Abdominal sclerotization

Patterns of scleritessclerite:
A thickened and darkened region of the cuticle resembling a plate.
on the back of the aphid

Ventralventral:
Of or pertaining to the lower surface of the body or structure.
abdominal sclerotizationsclerotization:
A series or pattern of sclerites.
is generally restricted to the genital plategenital plate:
A ventral sclerite (sternite), variable in size and shape, in front of the genital opening. It is present only in adults.
and anal plateanal plate:
A sternite of variable shape and size ventral to the anus.
. All other abdominal scleritessclerite:
A thickened and darkened region of the cuticle resembling a plate.
are usually dorsaldorsal:
Pertaining to the upper surface of the body or structure.
, whether they be marginalmarginal:
Of or pertaining to the margin. See also lateral.
, spinalspinal:
Of or pertaining to the dorsal midline of the body.
, or entirely covering the aphid's dorsumdorsum:
The back of the insect. See also tergum.
.

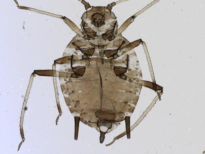
Fully sclerotized dorsum


This aphid's dorsumdorsum:
The back of the insect. See also tergum.
is almost completely sclerotizedsclerotized:
Descriptive of the state of being hardened. Usually refers to a structure with thickened and darkened cuticle.
. Only small gaps exist along the marginsmargin:
The side of the body or a structure.
and just in front of the siphunculisiphunculus:
Paired cylindrical chamber on the dorsal lateral surface of sixth abdominal segment from which alarm pheromones are expelled. See cornicle.
.

 

Dorsal patch


Some species exhibit a roughly square dorsal sclerotizedsclerotized:
Descriptive of the state of being hardened. Usually refers to a structure with thickened and darkened cuticle.
patch.

 

Patch with window


The dorsaldorsal:
Pertaining to the upper surface of the body or structure.
abdominal patch (arrow) may on occasion have a window (*).

 

Spinal sclerites


Spinal scleritessclerite:
A thickened and darkened region of the cuticle resembling a plate.
are located in the center of the abdominal dorsumdorsum:
The back of the insect. See also tergum.
, although they can also be paired on opposite sides of the midline.

The arrows highlight spinal scleritessclerite:
A thickened and darkened region of the cuticle resembling a plate.
on abdominalabdominal:
Pertaining or belonging to the abdomen.
segments 2 through 7.

 

Spinal sclerites


The eighth abdominalabdominal:
Pertaining or belonging to the abdomen.
segment very frequently has a scleritesclerite:
A thickened and darkened region of the cuticle resembling a plate.
, although it is sometimes obscured by the anal plateanal plate:
A sternite of variable shape and size ventral to the anus.
and caudacauda:
A taillike process or extension of the eighth abdominal segment.
in imperfect slide preparations.

The image highlights spinal scleritessclerite:
A thickened and darkened region of the cuticle resembling a plate.
on abdominalabdominal:
Pertaining or belonging to the abdomen.
segments 6, 7, and 8, and four setaeseta:
A socketed, hairlike extension of the body wall. Setae are sometimes called hairs.
located on the eighth abdominal scleritesclerite:
A thickened and darkened region of the cuticle resembling a plate.
.

 

Marginal sclerotization


Many alatae have marginal scleritessclerite:
A thickened and darkened region of the cuticle resembling a plate.
on abdominalabdominal:
Pertaining or belonging to the abdomen.
segments 2-4. Sometimes it is dissicult to distinguish between a marginal scleritesclerite:
A thickened and darkened region of the cuticle resembling a plate.
on the fifth abdominalabdominal:
Pertaining or belonging to the abdomen.
segment and an antesiphuncular scleriteantesiphuncular sclerite:
A sclerite on the abdominal dorsum immediately in front of the base of the siphunculus.
.

The arrows highlight the marginalmarginal:
Of or pertaining to the margin. See also lateral.
and siphuncular scleritessclerite:
A thickened and darkened region of the cuticle resembling a plate.
.

 

Spinal and marginal sclerites


Spinal scleritessclerite:
A thickened and darkened region of the cuticle resembling a plate.
are centrally located on the abdominal dorsumdorsum:
The back of the insect. See also tergum.
, whereas marginal scleritessclerite:
A thickened and darkened region of the cuticle resembling a plate.
are located laterally. Many alatae have marginal scleritessclerite:
A thickened and darkened region of the cuticle resembling a plate.
on abdominalabdominal:
Pertaining or belonging to the abdomen.
segments 2-4.

The arrows highlights marginal scleritessclerite:
A thickened and darkened region of the cuticle resembling a plate.
on abdominalabdominal:
Pertaining or belonging to the abdomen.
segments 3 and 4, spinal scleritessclerite:
A thickened and darkened region of the cuticle resembling a plate.
on segments 4 and 5, and scleritessclerite:
A thickened and darkened region of the cuticle resembling a plate.
in front of and behind the right siphunculussiphunculus:
Paired cylindrical chamber on the dorsal lateral surface of sixth abdominal segment from which alarm pheromones are expelled. See cornicle.
, the antesiphuncular and postsiphuncular scleritespostsiphuncular sclerite:
A sclerite on the abdominal dorsum immediately behind the base of the siphunculus.
.

 

Siphuncular sclerites


Siphunculisiphunculus:
Paired cylindrical chamber on the dorsal lateral surface of sixth abdominal segment from which alarm pheromones are expelled. See cornicle.
may have associated antesiphuncular or postsiphuncular scleritespostsiphuncular sclerite:
A sclerite on the abdominal dorsum immediately behind the base of the siphunculus.
. Postsiphuncular scleritespostsiphuncular sclerite:
A sclerite on the abdominal dorsum immediately behind the base of the siphunculus.
are more common and as a general rule an aphid will only have antesiphuncular scleritesantesiphuncular sclerite:
A sclerite on the abdominal dorsum immediately in front of the base of the siphunculus.
if it also has postisphuncular scleritessclerite:
A thickened and darkened region of the cuticle resembling a plate.
.

 

Postsiphuncular sclerites


This aphid has strongly pigmented postsiphuncular scleritespostsiphuncular sclerite:
A sclerite on the abdominal dorsum immediately behind the base of the siphunculus.
, but no antesiphuncular scleritesantesiphuncular sclerite:
A sclerite on the abdominal dorsum immediately in front of the base of the siphunculus.
.

 

Scleroites


When the dorsaldorsal:
Pertaining to the upper surface of the body or structure.
abdominal sclerotizationsclerotization:
A series or pattern of sclerites.
consists of small scleritessclerite:
A thickened and darkened region of the cuticle resembling a plate.
at the basebase:
The bottom end of a structure or appendage. The term is often used to describe that portion of the terminal antennal segment that is not the processus terminalis.
of dorsal setaeseta:
A socketed, hairlike extension of the body wall. Setae are sometimes called hairs.
, they are called scleroitesscleroite:
A small sclerite restricted to and encircling the base of a single seta.
.