Body Overview

Headhead:
The first or most anterior region of the body, bearing primary sense organs.
, thoraxthorax:
The three segmented middle region of the insect body, sometimes bearing 2 pairs of wings and always 3 pairs of legs. Divisible into the prothorax, mesothorax, and metathorax.
, and abdomenabdomen:
Third main body region of the aphid, consisting of eight segments.

The aphid body consists of the headhead:
The first or most anterior region of the body, bearing primary sense organs.
, three thoracicthoracic:
Pertaining or belonging to the thorax.  
segments, and eight abdominalabdominal:
Pertaining or belonging to the abdomen.
segments. The three thoracicthoracic:
Pertaining or belonging to the thorax.  
segments are called the prothoraxprothorax:
The first segment of the thorax, bearing the forelegs.
, mesothoraxmesothorax:
The middle segment of the thorax, bearing the forewings and the midlegs.
, and metathoraxmetathorax:
The third segment of the thorax, bearing the hindwings and the hindlegs.
and each bears a pair of legsleg:
One of six ambulatory appendages of the thorax. Each leg is composed of the coxa, trochanter, femur, tibia, basitarsus, distitarsus, and tarsal claw.
. In the case of alatae, the two hind thoracicthoracic:
Pertaining or belonging to the thorax.  
segments each also bear a pair of wingswing:
One of four thoracic appendages used in aphid flight. Possessed by alatae (by definition). See also forewing and hindwing.
(forewings and hindwings).

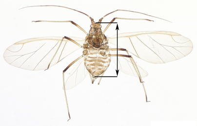
Body length


The body length is measured from the middle of the fronsfrons:
The most forward-facing aspect of the head.
on the headhead:
The first or most anterior region of the body, bearing primary sense organs.
to the end of the eighth abdominalabdominal:
Pertaining or belonging to the abdomen.
segment.

 

Body length as measured from the head


Body length is measured from the middle of the fronsfrons:
The most forward-facing aspect of the head.
of the headhead:
The first or most anterior region of the body, bearing primary sense organs.
. Note that it does not include the antennal tuberclesantennal tubercle:
An extension of the head near the medial margin of the antennal socket.
.

 

Body length as measured from the abdomen


Body length is measured from the end point of the eighth abdominalabdominal:
Pertaining or belonging to the abdomen.
segment, but does not include the caudacauda:
A taillike process or extension of the eighth abdominal segment.
or the siphunculussiphunculus:
Paired cylindrical chamber on the dorsal lateral surface of sixth abdominal segment from which alarm pheromones are expelled. See cornicle.
.

 

Body length without cauda


When there is no discernible caudacauda:
A taillike process or extension of the eighth abdominal segment.
, body length is simply measured to the tail end of the aphid.