Uroleucon compositae

Overview

A broadly distributed composite specialist.

Common names

None recognized.

Distribution

This aphid is found in the greater Mediterranean region, Africa, the Indian subcontinent, Taiwan, and South America.

Host associations

It has a narrow host range feeding on many species of Asteraceae but is known to feed on Malva (Malvaceae) and passionfruit (Passifloraceae).

Economic importance

It is particularly important on safflower and other composites that are important in the pharmaceutical industry (Carthamus and Senecio). It has been implicated in the transmission of at least two plant virus.

Additional resources

See also. Taxonomy at Aphid Species FileAphids on the World's Plants.

References

Blackman, R.L. and V.F. Eastop. 1994. Aphids on the World’s Trees. CAB International with The Natural History Museum, London. viii + 987 pages, 135 figures, 16 plates.

Blackman, R.L. and V.F. Eastop. 2000. Aphids on the World’s Crops, Second Edition. John Wiley & Sons with the Natural History Museum, London. x + 466 pages, 58 figures, 51 plates.

Blackman, R.L. and V.F. Eastop. 2006. Aphids on the World’s Herbaceous Plants and Shrubs. Volume 2 The Aphids. John Wiley & Sons with the Natural History Museum, London. viii + pages 1025–1439.

Holman, J. 2009. Host Plant Catalog of Aphids, Palaearctic Region. Springer Science and Business Mediamedia:
Basal stalk, arising near the base of the pterostigma of the forewing, from which produces 2—3 branches extending to the wing margin. The distal crossvein of the hindwing.
B.V. 1216 pp.

Scientific name

Uroleucon compositae (Theobald, 1915)

Habitus of aptera
Habitus of aptera
Head of aptera
Head of aptera
Rostrum of aptera
Rostrum of aptera
Antenna of aptera
Antenna of aptera
Abdomen of aptera
Abdomen of aptera
Siphunculus of aptera
Siphunculus of aptera
Cauda of aptera
Cauda of aptera
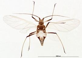
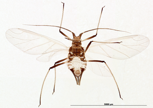
Habitus of alata
Habitus of alata
Head of alata
Head of alata
Rostrum of alata
Rostrum of alata
Antenna of alata
Antenna of alata
Abdomen of alata
Abdomen of alata
Siphunculus of alata
Siphunculus of alata
Cauda of alata
Cauda of alata