IPM Images ITP Node
imageID
PPQ IDaids
Search IDaids
IDtools
About
Scope
Authors and acknowledgments
Copyright, citation, and disclaimers
Release notes
References
Onciderini
Morphology atlas
Diagnostic Features
Taxonomy
Biology
Host Plants
Geographic Distribution
Fact sheets
Key
How to use the key
Key to genera
Glossary
Gallery
choose a page
Home
About
--Scope
--Authors and acknowledgments
--Copyright, citation, and disclaimers
--Release notes
--References
Onciderini
--Morphology atlas
--Diagnostic Features
--Taxonomy
--Biology
--Host Plants
--Geographic Distribution
Fact sheets
Key
--How to use the key
--Key to genera
Glossary
Gallery
Your session is about to expire. You will be logged out in two minutes if no action is taken.
seconds until your session expires.
If you wish to keep working, click continue.
Continue
Your session HAS EXPIRED
To continue editing this content you will need to click the link from FSM again.
Close
Gallery
view
anterior
dorsal
head illustration
lateral
ventral
genus
Agaritha
Alexera
Apamauta
Apocoptoma
Bacuris
Bucoides
Cacostola
Carenesycha
Cherentes
Chitron
Cicatrodea
Cipriscola syn. of Hypsioma
Clavidesmus
Cnemosioma
Cordites
Cydros
Cylicasta
Delilah
Ecthoea
Ephiales
Esonius
Eudesmus
Eupalessa
Euthima
Furona
Glypthaga
Hesycha
Hesychotypa
Hypselomus
Hypsioma
Iaquira
Ischiocentra
Ischioderes
Ischiosioma
Jamesia syn. of Hypselomus
Lachaerus
Lachnia
Lesbates
Leus
Lingafelteria
Lochmaeocles
Lydipta
Marensis
Microcanus
Midamiella
Monneoncideres
Neocherentes
Neodillonia
Neohylus
Neolampedusa
Oncideres
Oncioderes
Onocephala
Paratrachysomus
Paratritania
Pericasta
Periergates
Peritrox
Plerodia
Priscatoides
Prohylus
Proplerodia
Pseudobeta
Pseudoperma
Psyllotoxoides
Psyllotoxus syn. of Oncideres
Sternycha
Stethoperma
Strioderes
Sulpitus
Taricanus syn. of Oncideres
Thomsonista
Tibiosioma
Touroultia
Trachysomus
Trestoncideres
Trestonia
Tritania
Tulcoides
Tulcus
Tybalmia
Typhlocerus
Velozideres
Venustus
Xylomimus
native US species
native to the US
per page:
page:
20
40
60
80
1
2
3
4
5
6
7
8
9
10
11
12
13
14
15
16
17
18
19
20
21
22
23
24
25
26
27
28
29
30
31
32
33
34
35
36
37
38
of 38
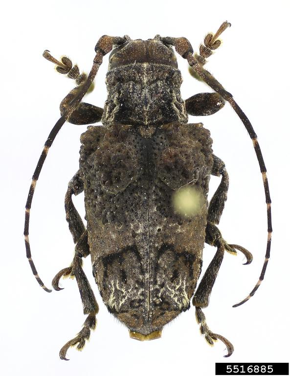
Tibiosioma martinsi,
male holotype specimen; © E.H. Nearns
Tibiosioma
Tibiosioma martinsi,
male holotype specimen; © E.H. Nearns
Tibiosioma martinsi,
male holotype specimen; © E.H. Nearns
Tibiosioma
Tibiosioma martinsi,
male holotype specimen; © E.H. Nearns
Tibiosioma remipes,
male holotype specimen; © E.H. Nearns
Tibiosioma
Tibiosioma remipes,
male holotype specimen; © E.H. Nearns
Touroultia lordi,
male holotype specimen; © Pierre Buirette
Touroultia
Touroultia lordi,
male holotype specimen; © Pierre Buirette
Touroultia obscurela
, male holotype specimen; © E.H. Nearns
Touroultia
Touroultia obscurela
, male holotype specimen; © E.H. Nearns
Touroultia obscurela
(=
Hypsioma obscurella
), type specimen; © G.L. Tavakilian
Touroultia
Touroultia obscurela
(=
Hypsioma obscurella
), type specimen; © G.L. Tavakilian
Touroultia swifti,
male holotype specimen; © N.P. Lord
Touroultia
Touroultia swifti,
male holotype specimen; © N.P. Lord
Trachysomus arriagadai,
holotype specimen; © E.H. Nearns
Trachysomus
Trachysomus arriagadai,
holotype specimen; © E.H. Nearns
Trachysomus buquetii,
type specimen; © G.L. Tavakilian
Trachysomus
Trachysomus buquetii,
type specimen; © G.L. Tavakilian
Trachysomus camelus,
type specimen; © G.L. Tavakilian
Trachysomus
Trachysomus camelus,
type specimen; © G.L. Tavakilian
Trachysomus cavigibb
a, holotype specimen; © E.H. Nearns
Trachysomus
Trachysomus cavigibb
a, holotype specimen; © E.H. Nearns
Trachysomus cavigibba,
male holotype specimen; © S.W. Lingafelter
Trachysomus
Trachysomus cavigibba,
male holotype specimen; © S.W. Lingafelter
Trachysomus fragifer,
type specimen; © E.H. Nearns
Trachysomus
Trachysomus fragifer,
type specimen; © E.H. Nearns
Trachysomus gibbosus,
type specimen; © G.L. Tavakilian
Trachysomus
Trachysomus gibbosus,
type specimen; © G.L. Tavakilian
Trachysomus hydaspes
; © E.H. Nearns
Trachysomus
Trachysomus hydaspes
; © E.H. Nearns
Trachysomus luederwaldti,
male holotype specimen; © S.W. Lingafelter
Trachysomus
Trachysomus luederwaldti,
male holotype specimen; © S.W. Lingafelter
Trachysomus mexicanus,
female holotype specimen; © G.L. Tavakilian
Trachysomus
Trachysomus mexicanus,
female holotype specimen; © G.L. Tavakilian
Trachysomus mexicanus
, holotype specimen; © E.H. Nearns
Trachysomus
Trachysomus mexicanus
, holotype specimen; © E.H. Nearns
Trachysomus peregrinus,
type specimen; © G.L. Tavakilian
Trachysomus
Trachysomus peregrinus,
type specimen; © G.L. Tavakilian
Trachysomus santarensis,
type specimen; © G.L. Tavakilian
Trachysomus
Trachysomus santarensis,
type specimen; © G.L. Tavakilian