IPM Images ITP Node
imageID
PPQ IDaids
Search IDaids
IDtools
About
Scope
Authors and acknowledgments
Copyright, citation, and disclaimers
Release notes
References
Onciderini
Morphology atlas
Diagnostic Features
Taxonomy
Biology
Host Plants
Geographic Distribution
Fact sheets
Key
How to use the key
Key to genera
Glossary
Gallery
choose a page
Home
About
--Scope
--Authors and acknowledgments
--Copyright, citation, and disclaimers
--Release notes
--References
Onciderini
--Morphology atlas
--Diagnostic Features
--Taxonomy
--Biology
--Host Plants
--Geographic Distribution
Fact sheets
Key
--How to use the key
--Key to genera
Glossary
Gallery
Your session is about to expire. You will be logged out in two minutes if no action is taken.
seconds until your session expires.
If you wish to keep working, click continue.
Continue
Your session HAS EXPIRED
To continue editing this content you will need to click the link from FSM again.
Close
Gallery
view
anterior
dorsal
head illustration
lateral
ventral
genus
Agaritha
Alexera
Apamauta
Apocoptoma
Bacuris
Bucoides
Cacostola
Carenesycha
Cherentes
Chitron
Cicatrodea
Cipriscola syn. of Hypsioma
Clavidesmus
Cnemosioma
Cordites
Cydros
Cylicasta
Delilah
Ecthoea
Ephiales
Esonius
Eudesmus
Eupalessa
Euthima
Furona
Glypthaga
Hesycha
Hesychotypa
Hypselomus
Hypsioma
Iaquira
Ischiocentra
Ischioderes
Ischiosioma
Jamesia syn. of Hypselomus
Lachaerus
Lachnia
Lesbates
Leus
Lingafelteria
Lochmaeocles
Lydipta
Marensis
Microcanus
Midamiella
Monneoncideres
Neocherentes
Neodillonia
Neohylus
Neolampedusa
Oncideres
Oncioderes
Onocephala
Paratrachysomus
Paratritania
Pericasta
Periergates
Peritrox
Plerodia
Priscatoides
Prohylus
Proplerodia
Pseudobeta
Pseudoperma
Psyllotoxoides
Psyllotoxus syn. of Oncideres
Sternycha
Stethoperma
Strioderes
Sulpitus
Taricanus syn. of Oncideres
Thomsonista
Tibiosioma
Touroultia
Trachysomus
Trestoncideres
Trestonia
Tritania
Tulcoides
Tulcus
Tybalmia
Typhlocerus
Velozideres
Venustus
Xylomimus
native US species
native to the US
per page:
page:
20
40
60
80
1
2
3
4
5
6
7
8
9
10
11
12
13
14
15
16
17
18
19
20
21
22
23
24
25
26
27
28
29
30
31
32
33
34
35
36
37
38
of 38
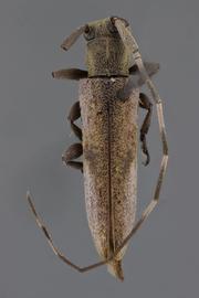
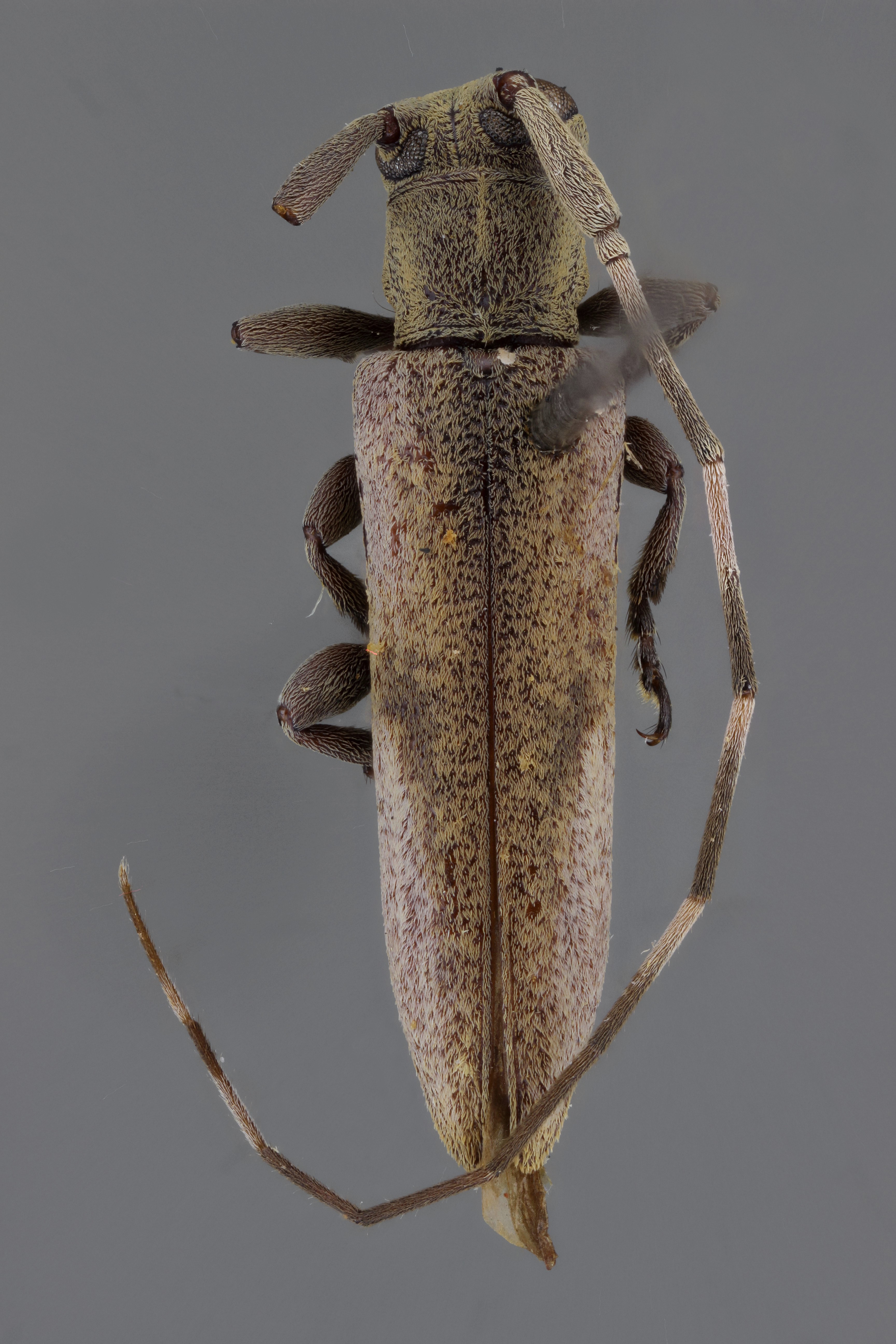
Bacuris sexvittatus
, male specimen; © E.H. Nearns
Bacuris
Bacuris sexvittatus
, male specimen; © E.H. Nearns
Bacuris sexvittatus
, male specimen; © E.H. Nearns
Bacuris
Bacuris sexvittatus
, male specimen; © E.H. Nearns
Bacuris sexvittatus
, male; © E.H. Nearns
Bacuris
Bacuris sexvittatus
, male; © E.H. Nearns
Bacuris sexvittatus
, female type specimen; © G.L. Tavakilian
Bacuris
Bacuris sexvittatus
, female type specimen; © G.L. Tavakilian
Bucoides erichsoni
, male specimen; © E.H. Nearns
Bucoides
Bucoides erichsoni
, male specimen; © E.H. Nearns
Bucoides erichsoni
, male specimen; © E.H. Nearns
Bucoides
Bucoides erichsoni
, male specimen; © E.H. Nearns
Bucoides erichsoni
, male specimen; © E.H. Nearns
Bucoides
Bucoides erichsoni
, male specimen; © E.H. Nearns
Bucoides erichsoni
, male; © E.H. Nearns
Bucoides
Bucoides erichsoni
, male; © E.H. Nearns
Bucoides exotica
, female holotype specimen; © E.H. Nearns
Bucoides
Bucoides exotica
, female holotype specimen; © E.H. Nearns
Bucoides montana
, male holotype specimen; © E.H. Nearns
Bucoides
Bucoides montana
, male holotype specimen; © E.H. Nearns
Cacostola acuticauda,
female paratype specimen; © G.L. Tavakilian
Cacostola
Cacostola acuticauda,
female paratype specimen; © G.L. Tavakilian
Cacostola bimaculata
, male holotype specimen; © E.H. Nearns
Cacostola
Cacostola bimaculata
, male holotype specimen; © E.H. Nearns
Cacostola brasiliensis,
female type specimen; © G.L. Tavakilian
Cacostola
Cacostola brasiliensis,
female type specimen; © G.L. Tavakilian
Cacostola cana,
female holotype specimen; © G.L. Tavakilian
Cacostola
Cacostola cana,
female holotype specimen; © G.L. Tavakilian
Cacostola carinata
, female holotype specimen; © E.H. Nearns
Cacostola
Cacostola carinata
, female holotype specimen; © E.H. Nearns
Cacostola chlorinda
, female holotype specimen; © E.H. Nearns
Cacostola
Cacostola chlorinda
, female holotype specimen; © E.H. Nearns
Cacostola colombiana
, male holotype specimen; © E.H. Nearns
Cacostola
Cacostola colombiana
, male holotype specimen; © E.H. Nearns
Cacostola exilis
, male holotype specimen; © E.H. Nearns
Cacostola
Cacostola exilis
, male holotype specimen; © E.H. Nearns
Cacostola flexicornis,
female type specimen; © G.L. Tavakilian
Cacostola
Cacostola flexicornis,
female type specimen; © G.L. Tavakilian
Cacostola fusca,
female type specimen; © G.L. Tavakilian
Cacostola
Cacostola fusca,
female type specimen; © G.L. Tavakilian