Priscatoides

Diagnostic Features

Description

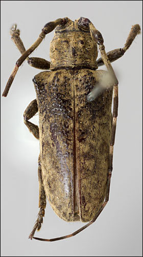
Elongate-oblong, moderate-sized, about 13 mm in length. Integument generally dark brown or black with brown and ochraceous pubescence. Head with frons elongate, about as wide as width of two lower eye lobes. Eyes with lower lobes oblong. Genae elongate, distinctly shorter than lower eye lobes. Antennal tubercles prominent, narrowly separated; tubercles armed at apex with small projection. Antennae distinctly longer than overall body length, as much as 1 1/2 times as long; scape clavate, about as long as antennomere IV; antennomere III sinuate, longer than scape and antennomere IV; antennomere XI shorter than X (females) or longer than X (males). Pronotum transverse, roughly cylindrical, without lateral tubercles. Elytra with sides attenuate; elytral apices individually rounded; elytra generally uniform in coloration or speckled; base of elytra with two prominent tubercles at humeri. Basal 1/3 of elytra with dense punctation, surface granulate-punctate. Procoxae without projection or with small projection. Mesosternal process with apex deeply emarginate. Metafemora moderate in length, about 1/3 as long as elytra.

Diagnosis

The combination of the following characters will help to distinguish this genus: sinuate antennomere III; roughly cylindrical pronotum, without lateral tubercles; base of elytra with two prominent tubercles at humeri; and elytra with sides attenuate.

Similar genus/genera

Superficially resembles Hesycha, Plerodia, Sulpitus, and Tibiosioma.

Geographic Distribution

South America (Bolivia, Brazil)

Host Plants/Trees

Unknown

Girdling Behavior

Unknown

Included Species

The genus Priscatoides currently contains one species: P. tatila Dillon and Dillon, 1945Dillon and Dillon, 1945:
Dillon LS, Dillon ES. 1945. The tribe Onciderini (Coleoptera: Cerambycidae) Part I. Reading, Scientific Publications, Reading Public Museum and Art Gallery, Number 5. 186 pp.
.

Notes

This species is rare in collections and is known from only two specimens.

Taxonomy

Priscatoides Dillon and Dillon, 1945Dillon and Dillon, 1945:
Dillon LS, Dillon ES. 1945. The tribe Onciderini (Coleoptera: Cerambycidae) Part I. Reading, Scientific Publications, Reading Public Museum and Art Gallery, Number 5. 186 pp.

subtribe: Onciderina
type species: Priscatoides tatila Dillon and Dillon, 1945Dillon and Dillon, 1945:
Dillon LS, Dillon ES. 1945. The tribe Onciderini (Coleoptera: Cerambycidae) Part I. Reading, Scientific Publications, Reading Public Museum and Art Gallery, Number 5. 186 pp.

Selected References

Bezark and Monné (2013)Bezark and Monné (2013):
Bezark LG, Monné MA. 2013. Checklist of the Oxypeltidae, Vesperidae, Disteniidae and Cerambycidae, (Coleoptera) of the Western Hemisphere.
, Dillon and Dillon (1945)Dillon and Dillon (1945):
Dillon LS, Dillon ES. 1945. The tribe Onciderini (Coleoptera: Cerambycidae) Part I. Reading, Scientific Publications, Reading Public Museum and Art Gallery, Number 5. 186 pp.
, Monné (2005)Monné (2005):
Monné MA. 2005. Catalogue of the Cerambycidae (Coleoptera) of the Neotropical Region. Part II. Subfamily Lamiinae. Zootaxa. 1023:1–759.

 Priscatoides tatila,  female holotype specimen; © E.H. Nearns
Priscatoides tatila, female holotype specimen; © E.H. Nearns
 Priscatoides tatila,  female holotype specimen; © E.H. Nearns
Priscatoides tatila, female holotype specimen; © E.H. Nearns
 Priscatoides tatila,  female holotype specimen; © E.H. Nearns
Priscatoides tatila, female holotype specimen; © E.H. Nearns
 Priscatoides tatila , female;  © E.H. Nearns
Priscatoides tatila, female; © E.H. Nearns