Pericasta

Diagnostic Features

Description

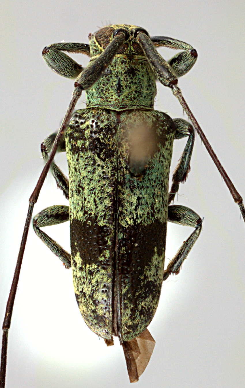
Elongate-oblong, small-sized, ranging from 7–9 mm in length. Integument generally dark brown or black with greenish and ochraceous pubescence. Head with frons elongate, about as wide as width of 1 1/2 lower eye lobes. Eyes with lower lobes oblong. Genae elongate, distinctly shorter than lower eye lobes. Antennal tubercles prominent, narrowly separated, contiguous at base; tubercles not armed at apex or armed with a small projection. Antennae distinctly longer than overall body length, as much as 3 times longer; scape gradually expanded to apex, shorter than antennomere IV; antennomere III nearly straight, longer than scape and antennomere IV; antennomere XI shorter than X (females) or longer than X (males). Pronotum transverse, roughly cylindrical, without lateral tubercles. Elytra with sides roughly parallel; elytral apices individually rounded; elytra generally uniform in coloration or speckled, or with distinct maculae; base of elytra without tubercles or with two prominent tubercles at humeri. Basal 1/3 of elytra with dense punctation, surface coarsely punctate to granulate-punctate. Procoxae without projection. Mesosternal process with apex subtruncate. Metafemora moderate to short in length, about 1/3–1/4 as long as elytra.

Diagnosis

The combination of the following characters will help to distinguish this genus: distinctly small form; narrowly separated antennal tubercles, contiguous at base; gradually expanded scape; antennae distinctly longer than overall body length, as much as 3 times longer; roughly cylindrical pronotum, without lateral tubercles; and elytra with sides roughly parallel.

Similar genus/genera

Strongly resembles Cylicasta.

Geographic Distribution

South America (Brazil)

Host Plants/Trees

Unknown

Girdling Behavior

Unknown

Included Species

The genus Pericasta currently contains one species: P. virescens (Aurivillius, 1920Aurivillius, 1920:
Aurivillius C. 1920. Neue oder wenig bekannte Coleoptera Longicornia. 17. Arkiv för Zoologi. 13(9):361–403, 9 figs.
).

More species images are available in the Gallery.

Taxonomy

Pericasta Dillon and Dillon, 1952
subtribe: Onciderina
type species: Cylicasta virescens Aurivillius, 1920Aurivillius, 1920:
Aurivillius C. 1920. Neue oder wenig bekannte Coleoptera Longicornia. 17. Arkiv för Zoologi. 13(9):361–403, 9 figs.

Selected References

Aurivillius (1920)Aurivillius (1920):
Aurivillius C. 1920. Neue oder wenig bekannte Coleoptera Longicornia. 17. Arkiv för Zoologi. 13(9):361–403, 9 figs.
, Bezark and Monné (2013)Bezark and Monné (2013):
Bezark LG, Monné MA. 2013. Checklist of the Oxypeltidae, Vesperidae, Disteniidae and Cerambycidae, (Coleoptera) of the Western Hemisphere.
, Dillon and Dillon (1945)Dillon and Dillon (1945):
Dillon LS, Dillon ES. 1945. The tribe Onciderini (Coleoptera: Cerambycidae) Part I. Reading, Scientific Publications, Reading Public Museum and Art Gallery, Number 5. 186 pp.
, Monné (2005)Monné (2005):
Monné MA. 2005. Catalogue of the Cerambycidae (Coleoptera) of the Neotropical Region. Part II. Subfamily Lamiinae. Zootaxa. 1023:1–759.

 Pericasta virescens,  male specimen; © E.H. Nearns
Pericasta virescens, male specimen; © E.H. Nearns
 Pericasta virescens,  male specimen; © E.H. Nearns
Pericasta virescens, male specimen; © E.H. Nearns
 Pericasta virescens,  male specimen; © E.H. Nearns
Pericasta virescens, male specimen; © E.H. Nearns
 Pericasta virescens , male; © E.H. Nearns
Pericasta virescens, male; © E.H. Nearns
 Pericasta virescens,  male type specimen; © G.L. Tavakilian
Pericasta virescens, male type specimen; © G.L. Tavakilian