Phylloecus

Taxonomy

Family: Cephidae
Family common name: stem sawflies
Subfamily: Cephinae
Genus: Phylloecus Newman 1838
Subgenera: none

Background

The Cephidae are commonly known as “stem sawflies” because larvaelarva:
the immature stage of holometabolous insects
feed and live within the stems of small herbaceousherbaceous:
describing a plant that does not have a woody stem and is often close to the ground; e.g., grasses, forbs, and vegetable plants
and woody plants. Many are considered pests since this feeding behavior can damage or kill the host plant (Shanower and Hoelmer 2004Shanower and Hoelmer 2004:
Shanower TG and Hoelmer KA. 2004. Biological control of wheat stem sawflies: past and future. Journal of Agricultural and Urban Entomology 21 (4): 197-221.
).

Stem sawflies of the genus Phylloecus are generally black and slender, with slightly laterally compressed cylindrical bodies. They are the largest Cephidae of North America and can be up to 20 mm in length (Smith 1986aSmith 1986a:
Smith DR. 1986a. The berry and rose stem-borers of the genus Hartigia in North America (Hymenoptera: Cephidae). Transactions of the American Entomological Society 112 (2): 129-145.
). Sexes are best distinguished by the presence or absence of the ovipositorovipositor:
the female organ that deposits eggs and is used to drill into plant tissue, located at the apex of the abdomen, made up of the lance and lancet
(Ries 1937Ries 1937:
Ries DT. 1937. A revision of the Nearctic Cephidae (Hymemoptera: Tenthredinoidea). The American Entomological Society 63 (3): 259-327.
).

Diversity

There are 32 described species worldwide, restricted to the Northern Hemisphere. Five species are present in North America (Liston and Prous 2014Liston and Prous 2014:
Liston AD and Prous M. 2014. Sawfly taxa (Hymenoptera, Symphyta) described by Edward Newman and Charles Healy. ZooKeys 398: 83-98. https://doi.org/10.3897/zookeys.398.6595
, Taeger et al. 2018Taeger et al. 2018:
Taeger A, Liston AD, Prous M, Groll EK, Gehroldt T, and Blank SM. 2018. ECatSymmdash;Electronic World Catalog of Symphyta (Insecta, Hymenoptera). Program version 5.0 (19 Dec 2018), data version 40 (23 Sep 2018). Senckenberg Deutsches Entomologisches Institut (SDEI), Muuml;ncheberg. https://sdei.de/ecatsym/ Accessed: 28 Jan 2020.
).

A key to North American species of Phylloecus (as Hartigia) is included in Smith 1986aSmith 1986a:
Smith DR. 1986a. The berry and rose stem-borers of the genus Hartigia in North America (Hymenoptera: Cephidae). Transactions of the American Entomological Society 112 (2): 129-145.
.

Diagnostic characteristics

  • cenchri absent (Ries 1937Ries 1937:
    Ries DT. 1937. A revision of the Nearctic Cephidae (Hymemoptera: Tenthredinoidea). The American Entomological Society 63 (3): 259-327.
    )
  • head free from prothorax, pushed forward; head on a “neck” (Ries 1937Ries 1937:
    Ries DT. 1937. A revision of the Nearctic Cephidae (Hymemoptera: Tenthredinoidea). The American Entomological Society 63 (3): 259-327.
    )
  • mandibles asymmetrical; left mandiblemandible:
    the primary mouthpart used for biting and chewing; jaw
    bidentatebidentate:
    having two teeth; often used in descrbing mandibles or tarsal claws
    , right variable (Smith 1986aSmith 1986a:
    Smith DR. 1986a. The berry and rose stem-borers of the genus Hartigia in North America (Hymenoptera: Cephidae). Transactions of the American Entomological Society 112 (2): 129-145.
    )
  • third antennal segment slightly longer than fourth (Smith 1986aSmith 1986a:
    Smith DR. 1986a. The berry and rose stem-borers of the genus Hartigia in North America (Hymenoptera: Cephidae). Transactions of the American Entomological Society 112 (2): 129-145.
    )
  • flagellum flagellum:
    the third section of the antennae that includes all the segments beyond the pedicel; segments of the flagellum are known as flagellomeres
    swollen just after the third segment (Smith 1986aSmith 1986a:
    Smith DR. 1986a. The berry and rose stem-borers of the genus Hartigia in North America (Hymenoptera: Cephidae). Transactions of the American Entomological Society 112 (2): 129-145.
    )
  • one preapicalpreapical:
    close to, but anterior to, the apex
    spur on the hind tibiatibia:
    the fourth segment of the leg, between the femur and the tarsus
    (Smith 1986aSmith 1986a:
    Smith DR. 1986a. The berry and rose stem-borers of the genus Hartigia in North America (Hymenoptera: Cephidae). Transactions of the American Entomological Society 112 (2): 129-145.
    )
  • hind wing hind wing:
    the posterior wing of each pair of wings
    with veinvein:
    a tube-like, often darkened, structure on the wings
    3r-m present (Smith 1986aSmith 1986a:
    Smith DR. 1986a. The berry and rose stem-borers of the genus Hartigia in North America (Hymenoptera: Cephidae). Transactions of the American Entomological Society 112 (2): 129-145.
    )

May be confused with

Species of Phylloecus are often confused with other Cephidae, especially with similar genus, Janus. It is distinguished from Caenocephus by the presence of the preapicalpreapical:
close to, but anterior to, the apex
hind-tibia spurs and presence of veinvein:
a tube-like, often darkened, structure on the wings
3r-m in the hind winghind wing:
the posterior wing of each pair of wings
. It can be distinguished from Janus by the lack of a basalbasal:
towards the base; closest to the body
lobe on the tarsal claws and the presence of only a single preapicalpreapical:
close to, but anterior to, the apex
spur on hind tibiatibia:
the fourth segment of the leg, between the femur and the tarsus
 (Smith 1986aSmith 1986a:
Smith DR. 1986a. The berry and rose stem-borers of the genus Hartigia in North America (Hymenoptera: Cephidae). Transactions of the American Entomological Society 112 (2): 129-145.
).

Exotic pest species of concern

none

Host associations

In North America, the known hosts are the Rosaceae genera Rosa (rose) and Rubus, including blackberry, raspberry, and boysenberry (Ries 1937Ries 1937:
Ries DT. 1937. A revision of the Nearctic Cephidae (Hymemoptera: Tenthredinoidea). The American Entomological Society 63 (3): 259-327.
, Smith 1986aSmith 1986a:
Smith DR. 1986a. The berry and rose stem-borers of the genus Hartigia in North America (Hymenoptera: Cephidae). Transactions of the American Entomological Society 112 (2): 129-145.
).

Life history

Female Phylloecus oviposit into stems of shrubs (Middlekauff 1969Middlekauff 1969:
Middlekauff WW. 1969. The cephid stem borers of California (Hymenoptera: Cephidae). Bulletin of the California Insect Survey 2: 1-25.
). The larvalarva:
the immature stage of holometabolous insects
feeds spirally on the cambium and pith just below the bark, moving upwards towards the growth tip (Alston et al. 2009Alston et al. 2009:
Alston D, Black B, and Murray M. 2009. Raspberry horntail ( Hartigia cressonii ). Utah State University Extension and Utah Plant Pest Diagnostic Laboratory Utah Pests Fact Sheet ENT-132-09: 1-4.
). LarvaeLarva:
the immature stage of holometabolous insects
are creamy white and grub-like in appearance. They lack abdominal prolegs, and thoracicthoracic:
of or on the thorax
legs are vestigial. Cephidae larvaelarva:
the immature stage of holometabolous insects
possess a tubular dorsaldorsal:
of or on the top surface of the body or structure
horn on the posterior end of the body (Middlekauff 1969Middlekauff 1969:
Middlekauff WW. 1969. The cephid stem borers of California (Hymenoptera: Cephidae). Bulletin of the California Insect Survey 2: 1-25.
). As the larvalarva:
the immature stage of holometabolous insects
feeds, it uses this horn to pack frassfrass:
solid larval excrement
in the gallery behind it. At the tip of the branch, the larvaelarva:
the immature stage of holometabolous insects
turn around and burrow deeper into the now hollow cane (Alston et al. 2009Alston et al. 2009:
Alston D, Black B, and Murray M. 2009. Raspberry horntail ( Hartigia cressonii ). Utah State University Extension and Utah Plant Pest Diagnostic Laboratory Utah Pests Fact Sheet ENT-132-09: 1-4.
). Some of the species are documented girdling the stem above the burrow, which can cause the cane to die and fall off (Smith 1986aSmith 1986a:
Smith DR. 1986a. The berry and rose stem-borers of the genus Hartigia in North America (Hymenoptera: Cephidae). Transactions of the American Entomological Society 112 (2): 129-145.
).

Larvae generally undergo a period of diapausediapause:
a non-active period of no development; sawflies often enter diapause as a prepupa or pupa to overwinter
, over winter, then pupate inside the hollow stem. The adult chews or pushes its way out of the stub and emerges. This genus is univoltineunivoltine:
describing an insect with a life cycle of one generation per year
(Smith 1986aSmith 1986a:
Smith DR. 1986a. The berry and rose stem-borers of the genus Hartigia in North America (Hymenoptera: Cephidae). Transactions of the American Entomological Society 112 (2): 129-145.
).

Two North American species, P. fasciatus and P. trimaculatus, are pests of caneberry crops (Ries 1937Ries 1937:
Ries DT. 1937. A revision of the Nearctic Cephidae (Hymemoptera: Tenthredinoidea). The American Entomological Society 63 (3): 259-327.
).

Distribution

World: Phylloecus is HolarcticHolarctic:
describing the region of the Northern Hemisphere that includes both the Nearctic and Palearctic regions
, with species recorded from Europe to Japan and in North America (Taeger et al. 2010Taeger et al. 2010:
Taeger A, Blank SM, and Liston AD. 2010. World Catalog of Symphyta (Hymenoptera). Zootaxa 2580: 1-1064.
).

North America: Phylloecus range throughout North America in southern Canada and the continental United States. Two species are restricted to the Pacific Northwest region of the United States. A single species occurs in Mexico, in the state of Chiapas (Smith 1986aSmith 1986a:
Smith DR. 1986a. The berry and rose stem-borers of the genus Hartigia in North America (Hymenoptera: Cephidae). Transactions of the American Entomological Society 112 (2): 129-145.
).

Map data from: GBIF.org (26 June 2019) GBIF Occurrence Download Hartigia and GBIF.org (30 January 2020) GBIF Occurrence Download Phylloecus

Details about data used for maps can be found here.

Host plant list

View full screen host table here

  Phylloecus fasciatus  nbsp; female lateral habitus; photo by J. Orr, WSDA

Phylloecus fasciatus female lateral habitus; photo by J. Orr, WSDA

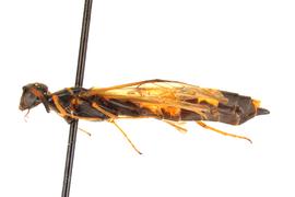
  Phylloecus fasciatusnbsp; female dorsal habitus; photo by J. Orr, WSDA

Phylloecus fasciatus female dorsal habitus; photo by J. Orr, WSDA

  Phylloecus fasciatus  female face; photo by J. Orr, WSDA

Phylloecus fasciatus female face; photo by J. Orr, WSDA

  Phylloecus fasciatus  nbsp; male lateral habitus; photo by J. Orr, WSDA

Phylloecus fasciatus male lateral habitus; photo by J. Orr, WSDA

  Phylloecus fasciatus  nbsp; male dorsal habitus; photo by J. Orr, WSDA

Phylloecus fasciatus male dorsal habitus; photo by J. Orr, WSDA

  Phylloecus fasciatusnbsp; male face; photo by J. Orr, WSDA

Phylloecus fasciatus male face; photo by J. Orr, WSDA

  Phylloecus fasciatusnbsp; wings, photo by J. Orr, WSDA

Phylloecus fasciatus wings, photo by J. Orr, WSDA

  Phylloecus fasciatus  nbsp; hind tibia; photo by J. Orr, WSDA

Phylloecus fasciatus hind tibia; photo by J. Orr, WSDA