Caenocephus

Taxonomy

Family: Cephidae
Family common name: stem sawflies
Subfamily: Cephinae
Genus: Caenocephus Konow, 1896
Subgenera: none

Background

The Cephidae are commonly known as stem sawflies because larvaelarva:
the immature stage of holometabolous insects
feed and live within the stems of small herbaceousherbaceous:
describing a plant that does not have a woody stem and is often close to the ground; e.g., grasses, forbs, and vegetable plants
and woody plants. Many are considered pests, since this feeding behavior can damage or kill the plant host (Shanower and Hoelmer 2004Shanower and Hoelmer 2004:
Shanower TG and Hoelmer KA. 2004. Biological control of wheat stem sawflies: past and future. Journal of Agricultural and Urban Entomology 21 (4): 197-221.
).

Stem sawflies of the genus Caenocephus are generally black and slender, with slightly laterally compressed cylindrical bodies. The length of the abdomenabdomen:
the third and last segment of an insect's body; in sawflies this is usually made up of 11 segments (segments 9 and 10 often fused)
is about equal or slightly longer than the head and thoraxthorax:
the second and middle segment of the body, between the head and abdomen
together, and females have a short ovipositorovipositor:
the female organ that deposits eggs and is used to drill into plant tissue, located at the apex of the abdomen, made up of the lance and lancet
. Males and females sometimes have very different coloration, so it is more reliable to distinguish sex by the presence or absence of the ovipositorovipositor:
the female organ that deposits eggs and is used to drill into plant tissue, located at the apex of the abdomen, made up of the lance and lancet
(Ries 1937Ries 1937:
Ries DT. 1937. A revision of the Nearctic Cephidae (Hymemoptera: Tenthredinoidea). The American Entomological Society 63 (3): 259-327.
). Caenocephus species are among the largest Cephidae and can be up to 20 mm in length (Smith 1986).

Diversity

Worldwide, there are only five species, restricted to the Northern Hemisphere. One endemicendemic:
both native and unique to a particular region
species occurs in North America (Taeger et al. 2010Taeger et al. 2010:
Taeger A, Blank SM, and Liston AD. 2010. World Catalog of Symphyta (Hymenoptera). Zootaxa 2580: 1-1064.
).

Diagnostic characteristics

  • cenchri absent (Ries 1937Ries 1937:
    Ries DT. 1937. A revision of the Nearctic Cephidae (Hymemoptera: Tenthredinoidea). The American Entomological Society 63 (3): 259-327.
    )
  • head free from prothorax, pushed forward; head on a “neck” (Ries 1937Ries 1937:
    Ries DT. 1937. A revision of the Nearctic Cephidae (Hymemoptera: Tenthredinoidea). The American Entomological Society 63 (3): 259-327.
    )
  • clypeus clypeus:
    sclerotized area on the front of the head located between the antennal insertions and labrum
    and mandibles asymmetrical, larger on the right side (Ries 1937Ries 1937:
    Ries DT. 1937. A revision of the Nearctic Cephidae (Hymemoptera: Tenthredinoidea). The American Entomological Society 63 (3): 259-327.
    )
  • bifid bifid:
    divided or forked into two branches or parts
    tarsal claws, slightly curved with a distinct lobe at the basebase:
    the beginning or most proximal area of any structure
    (Ries 1937Ries 1937:
    Ries DT. 1937. A revision of the Nearctic Cephidae (Hymemoptera: Tenthredinoidea). The American Entomological Society 63 (3): 259-327.
    )
  • 25 antennal segments (Ries 1937Ries 1937:
    Ries DT. 1937. A revision of the Nearctic Cephidae (Hymemoptera: Tenthredinoidea). The American Entomological Society 63 (3): 259-327.
    )
  • antennae filiformfiliform:
    generally slender and of even diameter throughout
    with slight expansion in the middle (Ries 1937Ries 1937:
    Ries DT. 1937. A revision of the Nearctic Cephidae (Hymemoptera: Tenthredinoidea). The American Entomological Society 63 (3): 259-327.
    )
  • wings hyalinehyaline:
    transparent; glassy
    (Ries 1937Ries 1937:
    Ries DT. 1937. A revision of the Nearctic Cephidae (Hymemoptera: Tenthredinoidea). The American Entomological Society 63 (3): 259-327.
    )

May be confused with

Caenocephus can be confused with other Cephidae. The most reliable character that distinguishes this genus from others in the family is the lack of preapicalpreapical:
close to, but anterior to, the apex
spurs on the hind tibiaetibia:
the fourth segment of the leg, between the femur and the tarsus
. Additionally, this genus has an uncommon swelling at the basebase:
the beginning or most proximal area of any structure
of the tarsal claws (Ries 1937Ries 1937:
Ries DT. 1937. A revision of the Nearctic Cephidae (Hymemoptera: Tenthredinoidea). The American Entomological Society 63 (3): 259-327.
).

Exotic pest species of concern

none

Host associations

In North America, the only confirmed host plant for Caenocephus aldrichi is Holodiscus discolor (ocean spray) (Hanson and Miller 1988Hanson and Miller 1988:
Hanson PE and Miller JC. 1988. Notes on the biology of Caenocephus aldrichi Bradley (Hymenoptera: Cephidae). Proceedings of the Entomological Society of Washington 90 (2): 204-206.
). Middlekauff (1969) suggests a record from Conium maculatum (poison hemlock), but this host is unconfirmed.

Life history

Female Caenocephus oviposit into stems of shrubs (Middlekauff 1969Middlekauff 1969:
Middlekauff WW. 1969. The cephid stem borers of California (Hymenoptera: Cephidae). Bulletin of the California Insect Survey 2: 1-25.
). After hatching, larvaelarva:
the immature stage of holometabolous insects
girdle the stem above by chewing in a line along the inner wall and interrupting the vascular system (Hanson and Miller 1988Hanson and Miller 1988:
Hanson PE and Miller JC. 1988. Notes on the biology of Caenocephus aldrichi Bradley (Hymenoptera: Cephidae). Proceedings of the Entomological Society of Washington 90 (2): 204-206.
). The larvaelarva:
the immature stage of holometabolous insects
feed on the vascular tissue of the plant, moving downwards towards the basebase:
the beginning or most proximal area of any structure
(Shanower and Hoelmer 2004Shanower and Hoelmer 2004:
Shanower TG and Hoelmer KA. 2004. Biological control of wheat stem sawflies: past and future. Journal of Agricultural and Urban Entomology 21 (4): 197-221.
). LarvaeLarva:
the immature stage of holometabolous insects
are creamy white and grub-like in appearance. They lack abdominal prolegs, and thoracicthoracic:
of or on the thorax
legs are vestigial. Cephidae larvaelarva:
the immature stage of holometabolous insects
possess a tubular dorsaldorsal:
of or on the top surface of the body or structure
horn on the posterior end of the body (Middlekauff 1969Middlekauff 1969:
Middlekauff WW. 1969. The cephid stem borers of California (Hymenoptera: Cephidae). Bulletin of the California Insect Survey 2: 1-25.
). As the larvaelarva:
the immature stage of holometabolous insects
feed, they use this horn to pack frassfrass:
solid larval excrement
in the gallery behind them. At the basebase:
the beginning or most proximal area of any structure
of the branch, or after the tunnel reaches 1–5 cm, the larvaelarva:
the immature stage of holometabolous insects
turn around and girdle the stem a second time. Once the plant above the girdle weakens and dies, it breaks off, leaving a stub topped with a frassfrass:
solid larval excrement
plug, keeping the larvalarva:
the immature stage of holometabolous insects
safe inside (Shanower and Hoelmer 2004Shanower and Hoelmer 2004:
Shanower TG and Hoelmer KA. 2004. Biological control of wheat stem sawflies: past and future. Journal of Agricultural and Urban Entomology 21 (4): 197-221.
, Hanson and Miller 1988Hanson and Miller 1988:
Hanson PE and Miller JC. 1988. Notes on the biology of Caenocephus aldrichi Bradley (Hymenoptera: Cephidae). Proceedings of the Entomological Society of Washington 90 (2): 204-206.
).

Larvae generally undergo a period of diapausediapause:
a non-active period of no development; sawflies often enter diapause as a prepupa or pupa to overwinter
, either over winter or through a dry season, then pupate inside the stub. The adult chews or pushes its way out of the stub via the frassfrass:
solid larval excrement
plug and emerges. Little is known about the adult behavior of this genus (Hanson and Miller 1988Hanson and Miller 1988:
Hanson PE and Miller JC. 1988. Notes on the biology of Caenocephus aldrichi Bradley (Hymenoptera: Cephidae). Proceedings of the Entomological Society of Washington 90 (2): 204-206.
).

Distribution

World: Caenocephus species are found throughout the Northern Hemisphere, with most species unique to their range. The genus occurs in North America, Europe, North Africa, and East and Southeast Asia (Taeger et al. 2010Taeger et al. 2010:
Taeger A, Blank SM, and Liston AD. 2010. World Catalog of Symphyta (Hymenoptera). Zootaxa 2580: 1-1064.
).

North America: Caenocephus aldrichi occurs in the Pacific Northwest, with records in British Columbia, Washington, Oregon, California, and Idaho (Middlekauff 1969Middlekauff 1969:
Middlekauff WW. 1969. The cephid stem borers of California (Hymenoptera: Cephidae). Bulletin of the California Insect Survey 2: 1-25.
, Taeger et al. 2010Taeger et al. 2010:
Taeger A, Blank SM, and Liston AD. 2010. World Catalog of Symphyta (Hymenoptera). Zootaxa 2580: 1-1064.
).

Map data from: GBIF.org (26 June 2019) GBIF Occurrence Download Caenocephus

Details about data used for maps can be found here.

Host plant list

View full screen host table here

  Caenocephus   aldrichi  female lateral habitus; photo by Q. Baine, WSDA

Caenocephus aldrichi female lateral habitus; photo by Q. Baine, WSDA

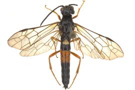
  Caenocephus aldrichi  female dorsal habitus; photo by Q. Baine, WSDA

Caenocephus aldrichi female dorsal habitus; photo by Q. Baine, WSDA

  Caenocephus aldrichi  female face; photo by Q. Baine, WSDA

Caenocephus aldrichi female face; photo by Q. Baine, WSDA

  Caenocephus aldrichinbsp; fore wing; photo by Q. Baine, WSDA

Caenocephus aldrichi fore wing; photo by Q. Baine, WSDA

  Caenocephus aldrichi nbsp;hind tibia; photo by J. Orr, WSDA

Caenocephus aldrichi hind tibia; photo by J. Orr, WSDA