Hegesidemus

Taxonomy

Hegesidemus Distant, 1911

Type species: Hegesidemus eliyanus Distant

Diagnostic characters

Head short, clypeus not surpassing apical half of first antennal segmentantennal segment:
subdivisions of the antennae, denoted by constrictions. All Tingidae have 4 segments.  
; cephalic spinescephalic spine:
a spine on the head
present; bucculaebuccula:
an elevated ridge on either side of the first labial segment
closed anteriorly; pronotum tricarinatetricarinate:
bearing both median carina and lateral carinae on pronotum
, median carinamedian carina:
an elevated ridge located on the midline of the pronotum
and lateral carinaelateral carina:
an elevated ridge located on either side of the pronotum
are same height; pronotal hood tectiformtectiform:
tent-like or roof-shaped
, not bulbous, slightly projecting above the base of head; paranotumparanotum:
lateral extension of pronotum; may be carinate, explanate, or reflexed
narrowly expanded, less than half the width of pronotal disc, slightly more expanded anteriorly, anterior margin not projecting anterad; hemelytrahemelytron:
one of the basally thickened forewings of Hemiptera
with claval areaclaval area:
parallel-sided and sharply pointed anal area of hemelytron
weakly developed, almost entirely covered by posterior margin of pronotumpronotum:
dorsal sclerite of the first thoracic segment
; costal areacostal area:
area of the costa delineated by the first longitudinal vein of the wing, usually running along the anterior margin
expanded, with at least two rows of areolaeareola:
a small enclosed space on a surface, such as an area enclosed by veinlets on wings
, and not reflexedreflexed:
bent or curved backwards, as in a reflexed paranotum
near base; discoidal areadiscoidal area:
area of the forewing posterior to the subcostal area
level, discoidal cell not extending beyond the middle of hemelytrahemelytron:
one of the basally thickened forewings of Hemiptera
; hypocostal laminaehypocostal lamina:
a ridge produced ventrally along costal margin
extending to the apex of abdomen.

Distribution

Afrotropical, Oriental (Drake and Ruhoff 1960Drake and Ruhoff 1960:
Drake, C. J., and F. Ruhoff, A. 1960. Lace-bug genera of the world (Hemiptera: Tingidae). Proceedings of the United States National Museum 112.
, Drake and Ruhoff 1965Drake and Ruhoff 1965:
Drake, C. J., and F. A. Ruhoff. 1965. Lacebugs of the World: A Catalog (Hemiptera: Tingidae) Bulletin of the United States National Museum: 1ndash;634.
, Guilbert 2019Guilbert 2019:
Guilbert, E. 2019. Lace bugs database - http://www.hemiptera-databases.com/tingidae
)

Interceptions at US ports of entry 1984 to 2018

Intercepted species Shipment origin(s) Inspected host(s)
Hegesidemus habrus Drake China Unknown

References

Drake and Ruhoff 1960Drake and Ruhoff 1960:
Drake, C. J., and F. Ruhoff, A. 1960. Lace-bug genera of the world (Hemiptera: Tingidae). Proceedings of the United States National Museum 112.
, Drake and Ruhoff 1965Drake and Ruhoff 1965:
Drake, C. J., and F. A. Ruhoff. 1965. Lacebugs of the World: A Catalog (Hemiptera: Tingidae) Bulletin of the United States National Museum: 1ndash;634.
, Guilbert 2019Guilbert 2019:
Guilbert, E. 2019. Lace bugs database - http://www.hemiptera-databases.com/tingidae

Additional images

Hegesidemus images at the Smithsonian

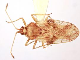
  Hegesidemus habrus , dorsal view; photo courtesy of USDA APHIS PPQ ITP imageID

Hegesidemus habrus, dorsal view; photo courtesy of USDA APHIS PPQ ITP imageID

  Hegesidemus habrus , dorsal view; photo: Sindhu Krishnankutty

Hegesidemus habrus, dorsal view; photo: Sindhu Krishnankutty

  Hegesidemus habrus , ventral view; photo: Sindhu Krishnankutty

Hegesidemus habrus, ventral view; photo: Sindhu Krishnankutty

  Hegesidemus habrus , lateral view; photo: Sindhu Krishnankutty

Hegesidemus habrus, lateral view; photo: Sindhu Krishnankutty