Xystrocera

Subfamily

Cerambycinae

Diagnosis - adult

Body length: 13–31 mm. 
Eyes: eye interommatidial setaeseta:
a sclerotized hair-like projection of the cuticle
absent, eye deeply emarginateemarginate:
notched at the margin
> half width, eye ommatidial density coarse or fine. 
Antennaeantenna:
in larval and adult insects, paired segmented appendages, borne one on each side of the head, functioning as sense organs and bearing a large number of sensilla
: antennal length reaching/surpassing end of body, antennal flagellar segments elongateelongate:
much longer than wide
, scapescape:
the first proximal segment of the antenna
cicatrix (scar) at apexapex:
end of any structure distad to the base
, antennal segment 3 > scapescape:
the first proximal segment of the antenna

Pronotumpronotum:
the upper and dorsal part of the prothorax
: pronotumpronotum:
the upper and dorsal part of the prothorax
shape transversetransverse:
broader than long
, rarely subquadratesubquadrate:
 not quite a square
, pronotumpronotum:
the upper and dorsal part of the prothorax
lateral armature absent. 
Prosternum: prosternal processprosternal process:
a posterior extension of the prosternum between the coxae
dilated at apexapex:
end of any structure distad to the base
, procoxal cavities open posteriorly. 
Elytraelytron:
the leathery forewing of beetles, serving as a covering for the hind wings, commonly meeting opposite elytron in a straight line down the middle of the dorsum in repose
: elytral length reaching or close to end of abdomen, elytral apicesapex:
end of any structure distad to the base
rounded or truncatetruncate:
cut off squarely at the tip
, elytral color black, brown, metallic, reddish, or orange, elytral color pattern present or absent. 
Legs: visible tarsomerestarsomere:
subdivision or article of the tarsus, usually numbering from two to five
: 4, femora clavateclavate:
thickening gradually toward the tip
, protibial spursprotibial spur:
sclerotized spine(s) located at the distal tibia; can be single, double, or absent
: 2, tarsal clawstarsal claw:
usually paired claws of the pretarsus, at the distal end of the leg
simple.

Differential diagnosis

The robust, apically spined scapescape:
the first proximal segment of the antenna
and flattened legs make this genus easily diagnosed.

Distribution

Palearctic, Afrotropical, Indomalaya, Australasian, Introduced in Puerto Rico

Recorded host plants

broadleaf trees

Remarks

64 species

Taxonomy

Xystrocera Audinet-Serville, 1834

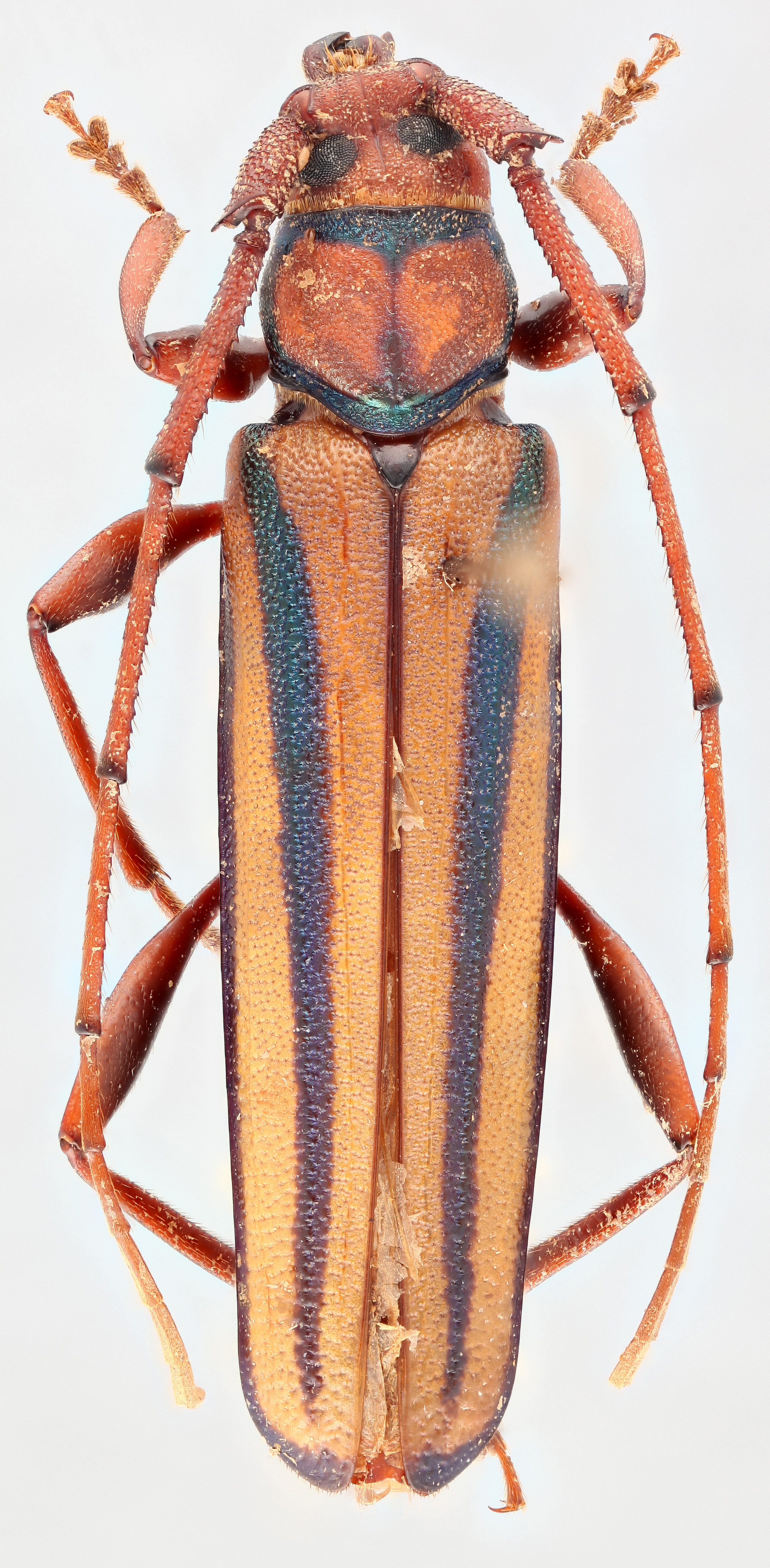
  Xystrocera globosa  dorsal

Xystrocera globosa dorsal

  Xystrocera globosanbsp; ventral

Xystrocera globosa ventral

  Xystrocera globosanbsp; frontal

Xystrocera globosa frontal

  Xystrocera globosanbsp; lateral

Xystrocera globosa lateral