Neoclytus

Subfamily

Cerambycinae

Diagnosis - adult

Body length: 5–15 mm. 
Eyes: eye interommatidial setaeseta:
a sclerotized hair-like projection of the cuticle
absent, eye entire/shallowly emarginateemarginate:
notched at the margin
or deeply emarginateemarginate:
notched at the margin
> half width, eye ommatidial density fine. 
Antennaeantenna:
in larval and adult insects, paired segmented appendages, borne one on each side of the head, functioning as sense organs and bearing a large number of sensilla
: antennal length barely surpassing pronotumpronotum:
the upper and dorsal part of the prothorax
or reaches between basebase:
the part of any appendage or structure that is nearest the body
and end of elytraelytron:
the leathery forewing of beetles, serving as a covering for the hind wings, commonly meeting opposite elytron in a straight line down the middle of the dorsum in repose
, antennal flagellar segments elongateelongate:
much longer than wide
, scapescape:
the first proximal segment of the antenna
smooth/punctate at apexapex:
end of any structure distad to the base
, antennal scapescape:
the first proximal segment of the antenna
≥ segment 3. 
Pronotumpronotum:
the upper and dorsal part of the prothorax
: pronotumpronotum:
the upper and dorsal part of the prothorax
shape subquadratesubquadrate:
 not quite a square
or longer than wide, pronotumpronotum:
the upper and dorsal part of the prothorax
lateral armature absent or blunt tubercule. 
Prosternum: prosternal processprosternal process:
a posterior extension of the prosternum between the coxae
dilated at apexapex:
end of any structure distad to the base
or not dilated at apexapex:
end of any structure distad to the base
, procoxal cavities open posteriorly. 
Elytraelytron:
the leathery forewing of beetles, serving as a covering for the hind wings, commonly meeting opposite elytron in a straight line down the middle of the dorsum in repose
: elytral length reaching or close to end of abdomen, elytral apicesapex:
end of any structure distad to the base
rounded or truncatetruncate:
cut off squarely at the tip
, emarginateemarginate:
notched at the margin
or with tooth or spinespine:
a protuberance with an acute (sharp) distal end
, elytral color pattern present. 
Legs: visible tarsomerestarsomere:
subdivision or article of the tarsus, usually numbering from two to five
: 4, femora clavateclavate:
thickening gradually toward the tip
or slender, protibial spursprotibial spur:
sclerotized spine(s) located at the distal tibia; can be single, double, or absent
: 2, tarsal clawstarsal claw:
usually paired claws of the pretarsus, at the distal end of the leg
simple. 

Head with front subvertical, not carinate; antennaeantenna:
in larval and adult insects, paired segmented appendages, borne one on each side of the head, functioning as sense organs and bearing a large number of sensilla
short, 11-segmented, segments not spinosespinose:
armed with thorny spines, more elongate than echinate
. Pronotumpronotum:
the upper and dorsal part of the prothorax
subquadratesubquadrate:
 not quite a square
, disk with transversetransverse:
broader than long
carinaecarina:
an elevated ridge or keel, not necessarily high or acute
. Elytraelytron:
the leathery forewing of beetles, serving as a covering for the hind wings, commonly meeting opposite elytron in a straight line down the middle of the dorsum in repose
elongate, subparallel, ornamented with yellow or white bands; apicesapex:
end of any structure distad to the base
truncate, rarely spinosespinose:
armed with thorny spines, more elongate than echinate
. Femora spined or unarmed at apexapex:
end of any structure distad to the base
(Linsley 1964Linsley 1964:
Linsley EG. 1964. The Cerambycidae of North America. Part V. Taxonomy and Classification of the Subfamily Cerambycinae, Tribes Callichromini Through Ancylocerini. University of California Publications in Entomology, Vol. 22. 197 pp.
).

Similar genera

Xylotrechus, Clytus, Perissus

Differential diagnosis

Adults can be distinguished from other clytines by the transversetransverse:
broader than long
carinaecarina:
an elevated ridge or keel, not necessarily high or acute
on the pronotumpronotum:
the upper and dorsal part of the prothorax
. The larvae can be distinguished from the similar-looking Xylotrechus and Clytus by the presence of small legs.

Distribution

Nearctic, Neotropical

Recorded host plants

broadleaf; Pinaceae

Remarks

50 species. Conifers: N. nubilus, N. muricatulus, N. approximatus.

Synonyms

Rhopalopachys Chevrolat, 1860

Rhopalomerus Chevrolat, 1860

Plagithymsis Horn, 1875

Plagitmesus Schaufuss, 1916 (error for Plagithymsis)

Taxonomy

Neoclytus Thomson, 1860

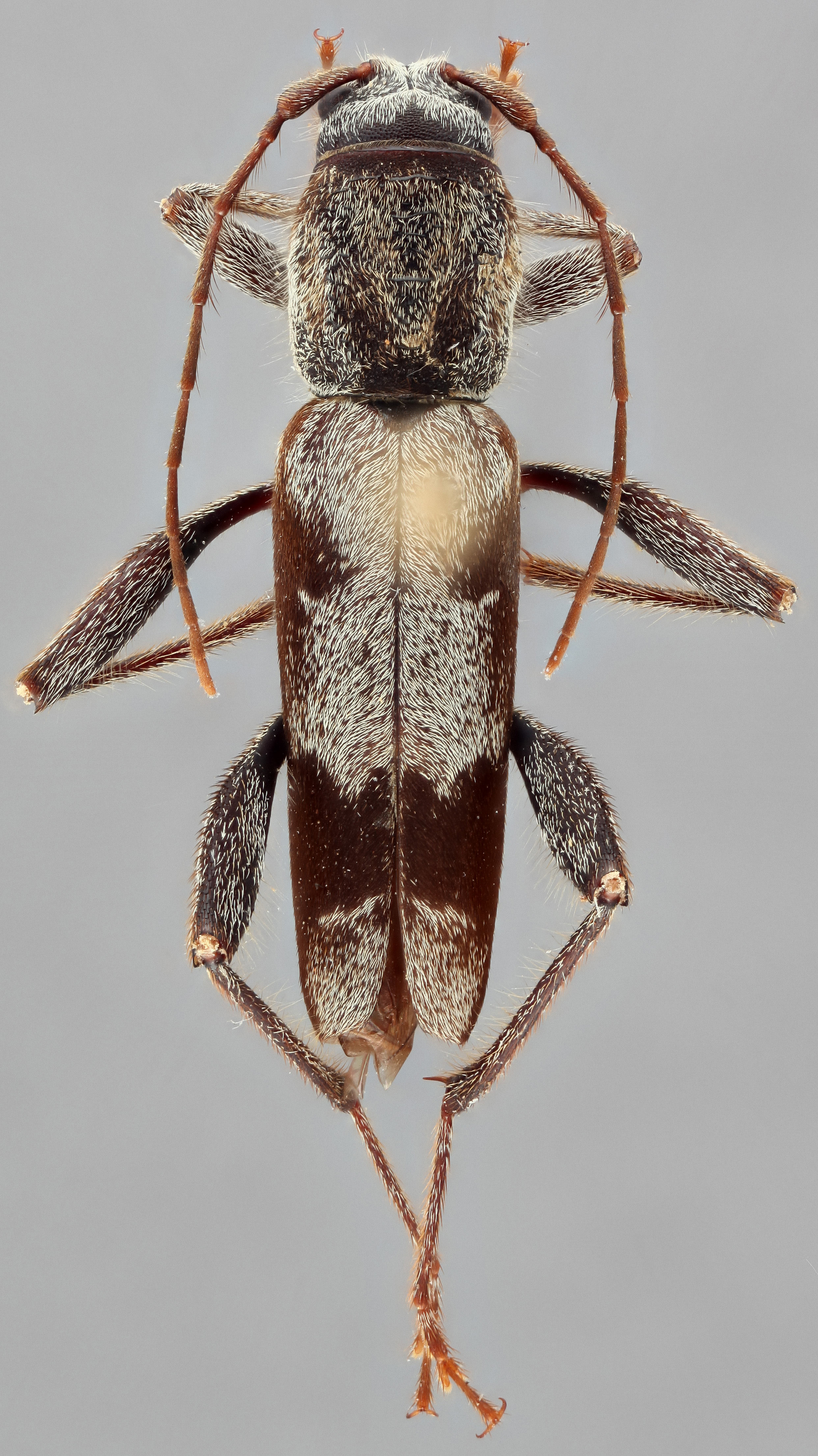
  Neoclytus nubilus  dorsal

Neoclytus nubilus dorsal

  Neoclytus nubilusnbsp; lateral

Neoclytus nubilus lateral

  Neoclytus nubilusnbsp; frontal

Neoclytus nubilus frontal

  Neoclytus nubilusnbsp; lateral

Neoclytus nubilus lateral