Glassy-winged sharpshooter

Scientific name

Homalodisca vitripennis (Hemiptera: Cicadellidae)

Similar species

Homalodisca lacerta

smoke tree sharpshooter, Pheralacerta coagulata

Distribution

United States: Alabama, Arkansas, California (limited distribution), Florida, Georgia, Louisiana, Mississippi, North Carolina, South Carolina, Texas, and Hawaii.

Worldwide: French Polynesia and Mexico.

Native to the southeastern United States and Mexico.

Diagnostic characteristics

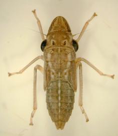
Adults
  • 13-14 mm (0.51 - 0.55 in.) in length.
  • Dark brown with yellow dots on headhead:
    one of the three main body segments in insects; the anterior-most segment containing the many sensory structures including the eyes, antennae, and mouthparts
    and middle body segment (thorax); the bottom of the rear-most body segment (abdomen) is white with black markings. Face and legs are yellow-orange, and large eyes are yellow with dark speckles
  • Cigar-shaped or projectile-shaped with a bulbous headhead:
    one of the three main body segments in insects; the anterior-most segment containing the many sensory structures including the eyes, antennae, and mouthparts
    tapering towards the front. Large compound eyes protrude from each side of the headhead:
    one of the three main body segments in insects; the anterior-most segment containing the many sensory structures including the eyes, antennae, and mouthparts
    .
  • Wings are translucent, smoky-brown, and membranousmembranous:
    with the same character as a membrane, typically used to refer to structures like wings that are clear and translucent like a membrane
    with reddish veins.
  • Thin, threadlike, and pointed antennae, located in front of the eyes and point slightly forward at approximately a 60 degree angle.
Immatures
  • Five nymphal instars.
  • Slate-colored with patches of rusty-red on the abdomenabdomen:
    one of the three body segments in insects; the most posterior segment containing the heart, reproductive organs, and digestive organs
    ; turning dark brown; red eyes.
  • Similar in appearance to adults.
Eggs
  • Opaque or yellowish-white.
  • Smooth, flattened, and cigar-shaped (elliptical) with one end more pointed than the other. The pointed end resembles the keel of a boat.
  • Eggs are deposited within the epidermis of plant leaves and covered by a white chalk-like substance.

Hosts

Citrus hosts

All Citrus species and their hybrids.

Non-citrus hosts

The glassy-winged sharpshooter is found on more than 100 plant species in 35 families. Sumac (Rhus spp.) and crepe myrtle (Lagerstroemia spp.) are especially preferred. A partial list includes:

  • alfalfa, Medicago sativa
  • almond, Prunus dulcis
  • apple, Malus domestica
  • Asparagus spp.
  • avocado, Persea americana
  • ash, Fraxinus spp.
  • blueberry, Vaccinium spp.
  • Bougainvillea spp.
  • coffee, Coffea spp.
  • crepe myrtle, Lagerstroemia indica
  • Gardenia spp.
  • grape, Vitis spp.
  • lychee, Litchi chinensis
  • Macadamia spp.
  • mango, Mangifera indica
  • orange jasmine or orange jessamine, Murraya paniculata
  • papaya, Carica papaya
  • peach, Prunus persica
  • pepper, Capsicum spp.
  • persimmon, Diospyros spp.
  • sunflower, Helianthus spp.

Weed species hosts (partial list)

  • Amaranthus spp.
  • choke cherry, Aronia spp.
  • goldenrod, Solidago spp.
  • pokeweed, Phytolacca spp.

Host damage

Fruits
  • Insect excretions harden on fruit causing fruit discoloration and post-harvest washing to remove it.
Twigs
  • Nymphs feed on stems, removing up to ten times their body weight in xylem fluid per hour. The loss of fluid can weaken the plant.
  • One of the first symptoms of glassy-winged sharpshooter infestation is caused by the large quantities of sticky fluid emitted as fine droplets. The droplets can appear like rain but only under the infested tree; when the liquid dries, it appears similar to white-wash.

Biology

The glassy-winged sharpshooter produces one to two generations per year. Once in their two-month life span, female glassy-winged sharpshooters lay or oviposit eggs side-by-side in a slightly curved 'blister-like' raft below the epidermis of plant leaves, usually in masses of 10 -12 eggs, but 20 - 30 eggs are possible. The eggs typically hatch in two weeks. The eggs are not easily seen, and the insect range likely expands with the movement of nursery plants and natural dispersal. The nymphs feed on sap obtained from the stems and will starve if not fed for four hours. The adults are strong fliers and are attracted to yellow sticky traps.

Comments

Yellow sticky traps are useful for monitoring the pest.

The glassy-winged sharpshooter is an efficient vector of the bacterium Xylella fastidiosa which causes several economically important diseases, including citrus variegated chlorosischlorosis:
yellow or white spotting on leaves and fruit resulting from feeding by certain pests
(CVC), Pierce's disease, phony peach disease, plum leaf scald, and oleander leaf scorch. Once the insect has acquired the bacterium, it will be infectious for the remainder of its life.

The European Plant Protection Organization describes CVC symptoms as "more obvious on 3 - 6 year-old trees and mainly on sweet orange cultivars. Affected trees show leaves with chlorotic yellow spots, recalling zinc deficiency; the lower surface shows slightly raised brownish necroticnecrotic:
the damage caused by cell death (necrosis) in plants or other organisms, often a result of insect feeding on plants, and displayed as brown or black coloration of tissues
spots. Fruits are much smaller than normal and very firm. Flower and fruit set occur at the same time on healthy and affected trees but fruits remain small and ripen earlier. The growth rate of affected trees is greatly reduced and twigs and branches may wilt. The plants do not usually die, nor do the roots show any apparent symptoms."

References

Al-Wahaibi, A.K., and J.G. Morse. 2009. Egg morphology and stages of embryonic development of the glassy-winged sharpshooter (Hemiptera: Cicadellidae). Ann. Entomol. Soc. Am. 102: 241-248.

(Biosecurity New Zealand). 2008. Glassy-winged sharpshooter - Homalodisca vitripennis fact sheet.(http://www.biosecurity.govt.nz/files/pests/glassy-winged-sharpshooter/glassy-winged-sharpshooter-booklet.pdf).

(California Department of Food and Agriculture). 2010. Glassy-winged sharpshooter. (http://www.cdfa.ca.gov/pdcp/Glassy-winged_Sharpshooter.html).

Cimino, A., and J.A. Danoff-Burg (ed.). 2002. Introduced species summary project: Glassy-winged sharpshooter, xylophagous leafhopper (Homalodisca coagulata). (http://www.columbia.edu/itc/cerc/danoffburg/invasion_bio/inv_spp_summ/Homalodisca_coagulata.html).

Damsteegt, V.D., R.H. Brlansky, P.A. Phillips, and R.A. 2006. Transmission of Xylella fastidiosa, causal agent of citrus variegated chlorosischlorosis:
yellow or white spotting on leaves and fruit resulting from feeding by certain pests
by the glassy-winged sharpshooter, Homalodisca coagulata. Plant Disease 90: 567-570.

(EPPO) European and Mediterranean Plant Protection Organization. 2006. Distribution map of quarantine pests for Europe: Homalodisca coagulata. (http://www.eppo.org/QUARANTINE/insects/Homalodisca_coagulata/HOMLTR_map.htm).

(National Biological Information Infrastructure and Invasiveinvasive:
term used to describe species that are not native and have the ability to adversely effect habitats they invade either ecologically or economically
Species Specialist Group). 2009. The global invasiveinvasive:
term used to describe species that are not native and have the ability to adversely effect habitats they invade either ecologically or economically
species database: Homalodisca vitripennis (insect). (http://www.issg.org/database/species/ecology.asp?fr=1&si=240).

(North American Plant Protection Organization). 2005. Glassy-winged sharpshooter detected in Arizona. (http://www.pestalert.org/viewArchNewsStory.cfm?nid=357).

Scortichini, M. 2004. Diagnostic protocol for regulated pests: Xylella fastidiosa, PM 7/24(1). OEPP/EPPO Bull. 34: 155-157.

Redak, R.A., A.H. Purcell, J.R. S. Lopes, M.J. Blua, R.F. Mizell III, and P.C. Anderson. 2004. Biology of xylem fluid-feeding insect vectors of Xylella fastidiosa and their relation to disease epidemiology. Ann. Rev. Entomol. 49: 243-270.

Takiya, D.M., S.H. McKamey, and R.R. Cavichioli. 2006. Validity of Homalodisca and of H. vitripennis as the name for Glassy-winged sharpshooter (Hemiptera: Cicadellidae: Cicadellinae). Ann. Entomol. Soc. Am. 99: 648-655. (http://etmd.nal.usda.gov/bitstream/10113/1615/1/IND43825252.pdf).

Takiya, D.M., and Dmitriev. 2008. An interactive key to genera of the tribe Proconiini. (http://ctap.inhs.uiuc.edu/takiya/key.asp?key=Proconia&lng=En&i=1&keyN=1).

University of California - Pierce's Disease Research and Emergency Response Task Force. 1999. Glassy-winged sharpshooter: A serious threat to Californian agriculture. (http://news.ucanr.org/mediakits/gwsskit/gwsbrochure.pdf).

University of California - Glassy-winged Sharpshooter Workgroup. 2005. Integrated pest management of the glassy-winged sharpshooter and the diseases it transmits. (http://gwss.ucanr.org/).

Walker, K. 2006. Glassy-winged sharpshooter (Homalodisca vitripennis) Pest and Diseases Image Library. (http://www.padil.gov.au).

Authors

Martin, K.W., A.C. Hodges, and N.C. Leppla

 glassy-winged sharpshooter adult; photo by Lyle Buss, Department of Entomology, University of Florida

glassy-winged sharpshooter adult; photo by Lyle Buss, Department of Entomology, University of Florida

 glassy-winged sharpshooter adults; photo by Paul Choate, Department of Entomology and Nematology, University of Florida

glassy-winged sharpshooter adults; photo by Paul Choate, Department of Entomology and Nematology, University of Florida

 glassy-winged sharpshooter adults; photo by Paul Choate, Department of Entomology, University of Florida

glassy-winged sharpshooter adults; photo by Paul Choate, Department of Entomology, University of Florida

 glassy-winged sharpshooter nymph; photo by Reyes Garcia III, USDA-ARS

glassy-winged sharpshooter nymph; photo by Reyes Garcia III, USDA-ARS