Monochamus titillator

Taxonomic history

Lamia titillator Fabricius, 1775: 172

Diagnosis - adult

Length: 17–31 mm.
Elytral length:width ratio: length > 2x width.
Face: shape subquadratesubquadrate:
 not quite a square
or wide rectangle; genagena:
the part of the cranium on each side below the eye
length shorter than lower eye lobeeye lobe:
used to refer to the upper or lower portion when the eye is emarginate or separated
.
Pronotum:pronotum:
the upper and dorsal part of the prothorax
dense setaeseta:
a sclerotized hair-like projection of the cuticle
on dorsum of lateral spines absent; maculaemacula:
a spot or mark
on pronotal disk: 2 connected, longitudinal or 2–4 dots present; posteromedial tubercletubercle:
a small knoblike or rounded protuberance
absent or present; lateral erect setaeseta:
a sclerotized hair-like projection of the cuticle
: only present posterior to spinespine:
a protuberance with an acute (sharp) distal end
.
Scutellum:scutellum:
a small sclerite located directly posterior to the pronotum, bordered laterally by the elytra
pubescence broken at least partially along midline.
Elytra:elytron:
the leathery forewing of beetles, serving as a covering for the hind wings, commonly meeting opposite elytron in a straight line down the middle of the dorsum in repose
elytral integument color orange to red; elytral maculaemacula:
a spot or mark
: dense velvety pubescentpubescent:
downy; clothed with soft, short, fine, loosely set hair
patches present; elytral sutural apexapex:
end of any structure distad to the base
dentate or spinosespinose:
armed with thorny spines, more elongate than echinate
; elevation in basal third followed by impression absent; basal granulation dense and smooth; middle to apical punctationpunctation:
pits or depression of variable size in cuticle
fine.
Antennal length (female): 2–3.5 segments beyond elytral apexapex:
end of any structure distad to the base
.
Aedeagus:aedeagus:
in male beetles, the penis
paramereparamere:
A pair of finger-like structures that are located where the male genitalia exits the abdomen.
mediobasal tooth present, rarely absent; apical tip (ventral view) slightly rounded; scleritesclerite:
any hardened plate of the body wall bounded by membrane or sutures; sometimes found floating in the internal sac of male genitalia
in internal sac: scleritesclerite:
any hardened plate of the body wall bounded by membrane or sutures; sometimes found floating in the internal sac of male genitalia
absent.

Male. Form moderate-sized to large. slightly tapering posteriorly; integument reddish-brown to dark reddish-brown; pubescence mostly dark brown and grayish, recumbent. Head with front shallowly convex, rather finely, irregularly punctatepunctate:
set with fine, impressed points or punctures appearing as pin-pricks
, moderately densely clothed with pale brownish recumbent pubescence; genaegena:
the part of the cranium on each side below the eye
short, slightly divergentdivergent:
spreading out from a common base
toward apexapex:
end of any structure distad to the base
; antennaeantenna:
in larval and adult insects, paired segmented appendages, borne one on each side of the head, functioning as sense organs and bearing a large number of sensilla
usually more than twice as long as body, segments finely, rather densely asperate, segments three to at least eight with apical sensory areas, basal segments finely, thinly clothed with very short, recumbent pubescence. Eleventh segment arcuatearcuate:
arched or bow-like
. Pronotumpronotum:
the upper and dorsal part of the prothorax
about as long as broad, lateral tubercles slightly directed upward, apicesapex:
end of any structure distad to the base
subacute; apexapex:
end of any structure distad to the base
and basebase:
the part of any appendage or structure that is nearest the body
broadly impressed transversely, disk irregularly ruguloserugulose:
minutely rugose; minutely wrinkled
at middle except for the shallow median callus, apical impression almost im punctatepunctate:
set with fine, impressed points or punctures appearing as pin-pricks
; pubescence irregular, pale or yellowish, usually condensed into irregular patches on posterior one-half at bases of tubercles and on each side of middle; prosternum transversely ruguloserugulose:
minutely rugose; minutely wrinkled
, moderately densely pubescentpubescent:
downy; clothed with soft, short, fine, loosely set hair
, longer suberect hairs numerous. Elytraelytron:
the leathery forewing of beetles, serving as a covering for the hind wings, commonly meeting opposite elytron in a straight line down the middle of the dorsum in repose
a little more than twice as long as broad; basebase:
the part of any appendage or structure that is nearest the body
with small rounded asperites sparse, almost restricted to humerihumerus:
shoulder; the basal exterior angle of the elytra
, punctures behind small, sparse, becoming very sparse toward apexapex:
end of any structure distad to the base
; pubescence recumbent, consisting of irregular thick patches of dark brown and less dense patches of gray in between; apicesapex:
end of any structure distad to the base
moderately narrowly rounded, sutures spinosespinose:
armed with thorny spines, more elongate than echinate
. Scutellumscutellum:
a small sclerite located directly posterior to the pronotum, bordered laterally by the elytra
broader than long, apexapex:
end of any structure distad to the base
rounded, rather thinly white pubescentpubescent:
downy; clothed with soft, short, fine, loosely set hair
. Legs densely but irregularly pubescentpubescent:
downy; clothed with soft, short, fine, loosely set hair
, hind femora with a few, short, golden hairs interspersed. Abdomen finely, sparsely punctatepunctate:
set with fine, impressed points or punctures appearing as pin-pricks
, densely, irregularly pubescentpubescent:
downy; clothed with soft, short, fine, loosely set hair
; last sternite truncatetruncate:
cut off squarely at the tip
at apexapex:
end of any structure distad to the base
, sides with a thin tuft of long, black hairs. Length, 19–29 mm.

Female. Form more robust, sides parallel. Antennaeantenna:
in larval and adult insects, paired segmented appendages, borne one on each side of the head, functioning as sense organs and bearing a large number of sensilla
extending about 3 segments beyond elytraelytron:
the leathery forewing of beetles, serving as a covering for the hind wings, commonly meeting opposite elytron in a straight line down the middle of the dorsum in repose
, segments finely pale pubescentpubescent:
downy; clothed with soft, short, fine, loosely set hair
. Abdomen with two dense tufts at apexapex:
end of any structure distad to the base
of last sternite. Length, 17–31 mm. (Linsley and Chemsak 1984Linsley and Chemsak 1984:
Linsley EG and Chemsak JA. 1984. The Cerambycidae of North America. Part VII, No. 1. Taxonomy and Classification of the Subfamily Lamiinae, Tribes Parmenini Through Acanthoderini. University of California Press, Berkeley and Los Angeles. 258 pp.
)

Similar species

M. carolinensis, M. alternatus

Differential diagnosis

M. titillator is distinct from M. carolinensis in the acute spinespine:
a protuberance with an acute (sharp) distal end
at the elytral suturesuture:
groove marking the line of fusion of two formerly distinct plates; the line of junction of elytra
, close to right angle at suturesuture:
groove marking the line of fusion of two formerly distinct plates; the line of junction of elytra
, elytral punctures not close together, and slightly rounded aedeagusaedeagus:
in male beetles, the penis
tip. M. alternatus is dentate or rounded at the suturesuture:
groove marking the line of fusion of two formerly distinct plates; the line of junction of elytra
, has a densely pubescentpubescent:
downy; clothed with soft, short, fine, loosely set hair
scutellumscutellum:
a small sclerite located directly posterior to the pronotum, bordered laterally by the elytra
, and narrow orange longitudinal lines on the elytraelytron:
the leathery forewing of beetles, serving as a covering for the hind wings, commonly meeting opposite elytron in a straight line down the middle of the dorsum in repose
.

Distribution

eastern United States to Texas and North Dakota, Bahamas (Grand Bahama), Cuba, Puerto Rico

Recorded host plants

Pinus spp.

Remarks

Though M. titillator and M. carolinensis are superficially close and have been synonymized in the past, there are consistent diagnostic characters in the male genitalia and molecular data.

Synonyms

Cerambyx calcaratus Megerle, 1802: 8

Monochamus angusticollis Casey, 1913: 292

Monochamus titillator obesus Casey, 1924: 290

  Monochamus titillator  male dorsal

Monochamus titillator male dorsal

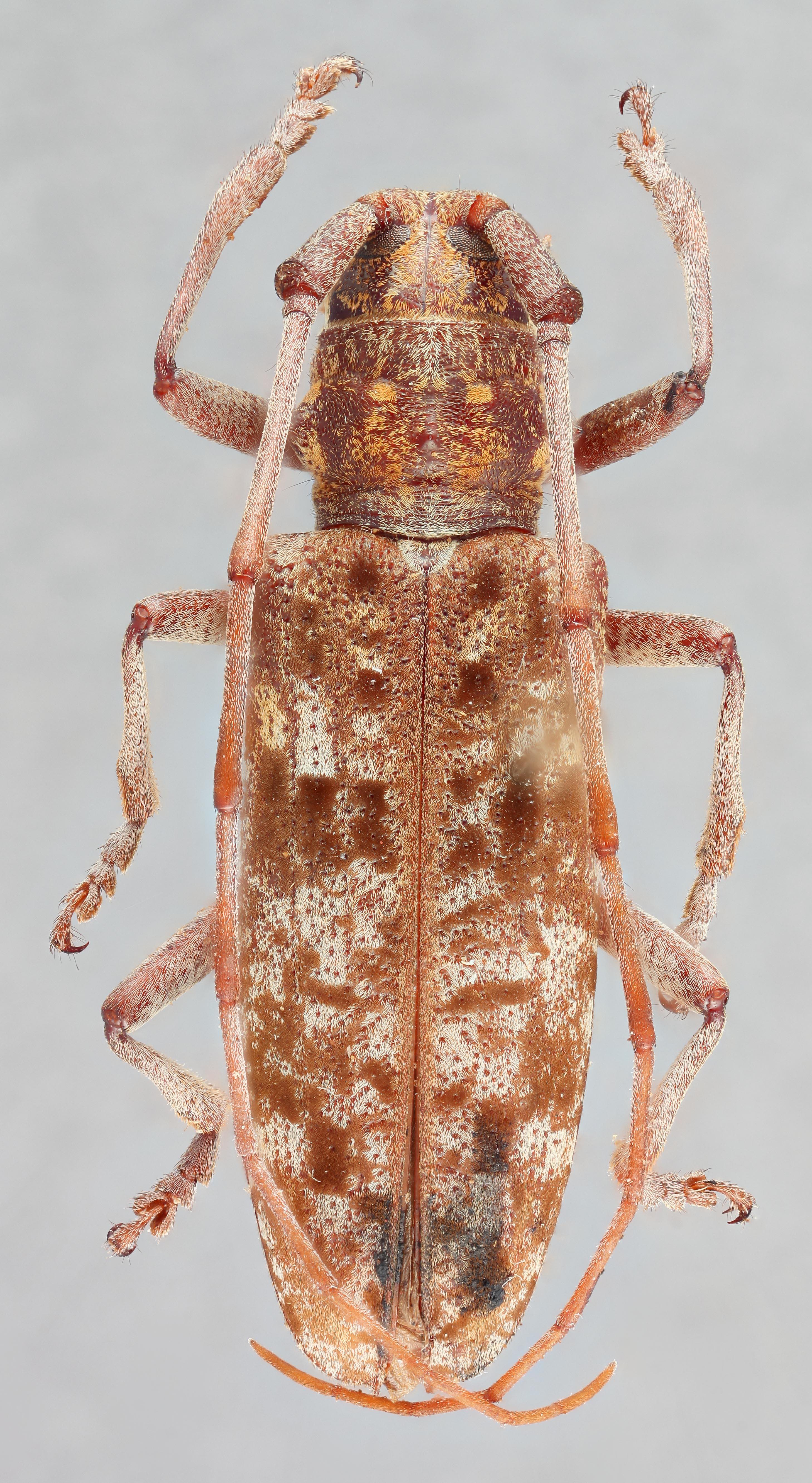
  Monochamusnbsp;titillator  female dorsal

Monochamus titillator female dorsal

  Monochamusnbsp;titillator  female ventral

Monochamus titillator female ventral

  Monochamusnbsp;titillator nbsp;female lateral

Monochamus titillator female lateral

  Monochamusnbsp;titillator  female frontal

Monochamus titillator female frontal