Monochamus scutellatus

Taxonomic history

Cerambyx scutellatus Say, 1824: 289

Diagnosis - adult

Length: 13–35 mm.
Elytral length:width ratio: length > 2x width.
Face: shape wide rectangle; genagena:
the part of the cranium on each side below the eye
length longer than lower eye lobeeye lobe:
used to refer to the upper or lower portion when the eye is emarginate or separated
or subequal to lower eye lobeeye lobe:
used to refer to the upper or lower portion when the eye is emarginate or separated
.
Pronotum:pronotum:
the upper and dorsal part of the prothorax
dense setaeseta:
a sclerotized hair-like projection of the cuticle
on dorsum of lateral spines absent; maculaemacula:
a spot or mark
on pronotal disk: absent; posteromedial tubercletubercle:
a small knoblike or rounded protuberance
absent; lateral erect setaeseta:
a sclerotized hair-like projection of the cuticle
: present posterior and anterior to spinespine:
a protuberance with an acute (sharp) distal end
or only present posterior to spinespine:
a protuberance with an acute (sharp) distal end
.
Scutellum:scutellum:
a small sclerite located directly posterior to the pronotum, bordered laterally by the elytra
dense and complete pubescence or pubescence broken at least partially along midline.
Elytra:elytron:
the leathery forewing of beetles, serving as a covering for the hind wings, commonly meeting opposite elytron in a straight line down the middle of the dorsum in repose
elytral integument color black; elytral maculaemacula:
a spot or mark
: sparse ash-like pubescence, absent, rarely many small circular spots; elytral sutural apexapex:
end of any structure distad to the base
rounded; elevation in basal third followed by impression present or absent; basal granulation dense and smooth; middle to apical punctationpunctation:
pits or depression of variable size in cuticle
fine.
Antennal length (female): 2–3.5 segments beyond elytral apexapex:
end of any structure distad to the base
.
Aedeagusaedeagus:
in male beetles, the penis
paramereparamere:
A pair of finger-like structures that are located where the male genitalia exits the abdomen.
mediobasal tooth present; apical tip (ventral view) slightly rounded; scleritesclerite:
any hardened plate of the body wall bounded by membrane or sutures; sometimes found floating in the internal sac of male genitalia
in internal sac: scleritesclerite:
any hardened plate of the body wall bounded by membrane or sutures; sometimes found floating in the internal sac of male genitalia
absent.

Male. Form moderate-sized to large; integument black, shining, often with a brassy caste, appendages often partially reddish, pubescence sparse to moderately dense, short, brownish, appressed. Head with front convex, finely to coarsely, confluently punctatepunctate:
set with fine, impressed points or punctures appearing as pin-pricks
, usually sparsely clothed with fine recumbent pubescence; genaegena:
the part of the cranium on each side below the eye
longer than lower eye lobeeye lobe:
used to refer to the upper or lower portion when the eye is emarginate or separated
, parallel to slightly convergent antennaeantenna:
in larval and adult insects, paired segmented appendages, borne one on each side of the head, functioning as sense organs and bearing a large number of sensilla
extending five or six segments beyond elytraelytron:
the leathery forewing of beetles, serving as a covering for the hind wings, commonly meeting opposite elytron in a straight line down the middle of the dorsum in repose
, usually twice the length of the body, segments finely, very densely asperate, nonpubescent, segments from third or fourth with apical sensory areas. Pronotumpronotum:
the upper and dorsal part of the prothorax
about as broad as long, lateral tubercles strongly produced, apicesapex:
end of any structure distad to the base
blunt: apical and basal transversetransverse:
broader than long
impressions shallow, plicate; disk irregularly, transversely punctatepunctate:
set with fine, impressed points or punctures appearing as pin-pricks
at middle, center often longitudinally impressed; pubescence sparse, short, fine; prosternum glabrousglabrous:
smooth, devoid of pubescence; devoid of any sculpturing
to moderately pubescentpubescent:
downy; clothed with soft, short, fine, loosely set hair
: meso- and metasternum sparsely to densely clothed with long suberect hairs and often small patches of white appressed pubescence. Elytraelytron:
the leathery forewing of beetles, serving as a covering for the hind wings, commonly meeting opposite elytron in a straight line down the middle of the dorsum in repose
a little more than twice as long as broad; punctures coarse, transversetransverse:
broader than long
, rugoserugose:
wrinkled
appearing, becoming finer toward apexapex:
end of any structure distad to the base
: pubescence very fine, brownish, sparse to moderately dense, often with small patches of white appressed pubescence at basal one-third; apicesapex:
end of any structure distad to the base
rounded. Scutellumscutellum:
a small sclerite located directly posterior to the pronotum, bordered laterally by the elytra
apically rounded, densely white pubescentpubescent:
downy; clothed with soft, short, fine, loosely set hair
, usually with a glabrousglabrous:
smooth, devoid of pubescence; devoid of any sculpturing
median line. Legs finely gray pubescentpubescent:
downy; clothed with soft, short, fine, loosely set hair
. Abdomen sparsely to moderately densely pubescentpubescent:
downy; clothed with soft, short, fine, loosely set hair
: last sternite rounded to subtruncatesubtruncate:
not quite cut off squarely at the tip
at apexapex:
end of any structure distad to the base
. Length, 13–35 mm.

Female. Form more robust. Antennaeantenna:
in larval and adult insects, paired segmented appendages, borne one on each side of the head, functioning as sense organs and bearing a large number of sensilla
extending two or three segments beyond elytraelytron:
the leathery forewing of beetles, serving as a covering for the hind wings, commonly meeting opposite elytron in a straight line down the middle of the dorsum in repose
, segments apically broadly white annulateannulate:
surrounded by a ring of a different color
, not asperate. Elytraelytron:
the leathery forewing of beetles, serving as a covering for the hind wings, commonly meeting opposite elytron in a straight line down the middle of the dorsum in repose
usually with scattered small patches of white appressed pubescence. Abdomen with last sternite truncatetruncate:
cut off squarely at the tip
to shallowly emarginateemarginate:
notched at the margin
at apexapex:
end of any structure distad to the base
, densely tufted. Length, 14–30 mm. (Linsley and Chemsak 1984Linsley and Chemsak 1984:
Linsley EG and Chemsak JA. 1984. The Cerambycidae of North America. Part VII, No. 1. Taxonomy and Classification of the Subfamily Lamiinae, Tribes Parmenini Through Acanthoderini. University of California Press, Berkeley and Los Angeles. 258 pp.
)

Similar species

M. sutor, M. sartor sartor, M. impluviatusM. galloprovincialis, M. nitens, M. saltuarius, M. clamator latus

Differential diagnosis

The black integument with rounded sutural apexapex:
end of any structure distad to the base
is distinctive among North American species. When comparing with similar Eurasian species, M. scutellatus has ashier-looking pubescence with minimal spots, no pubescentpubescent:
downy; clothed with soft, short, fine, loosely set hair
dots on pronotumpronotum:
the upper and dorsal part of the prothorax
disc, and no floating scleritesclerite:
any hardened plate of the body wall bounded by membrane or sutures; sometimes found floating in the internal sac of male genitalia
in the male genital internal sac.

Distribution

North America

Recorded host plants

Pinus, Abies, Larix, Picea, Pseudotsuga, Tsuga (Bousquet et al. 2017Bousquet et al. 2017:
Bousquet Y, Laplante S, Hammond HEJ, and Langor DW. 2017. Cerambycidae (Coleoptera) of Canada and Alaska: identification guide with nomenclatural, taxonomic, distributional, host-plant, and ecological data. Nakladatelstvi Jan Farkac, Prague: 1–300, 46 pls.
)

Remarks

Recent molecular work has shown that the subspecies within M. scutellatus are not supported and others have published similar notes (Bousquet et al. 2017Bousquet et al. 2017:
Bousquet Y, Laplante S, Hammond HEJ, and Langor DW. 2017. Cerambycidae (Coleoptera) of Canada and Alaska: identification guide with nomenclatural, taxonomic, distributional, host-plant, and ecological data. Nakladatelstvi Jan Farkac, Prague: 1–300, 46 pls.
).

Synonyms

Monochamus resutor Kirby, 1837: 167

Monohammus oregonensis LeConte, 1873: 231

Monochamus monticola Casey, 1913: 293

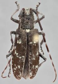
  Monochamus scutellatus  male dosal

Monochamus scutellatus male dosal

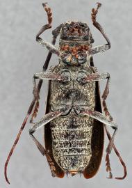
  Monochamusnbsp;scutellatus nbsp;female dorsal

Monochamus scutellatus female dorsal

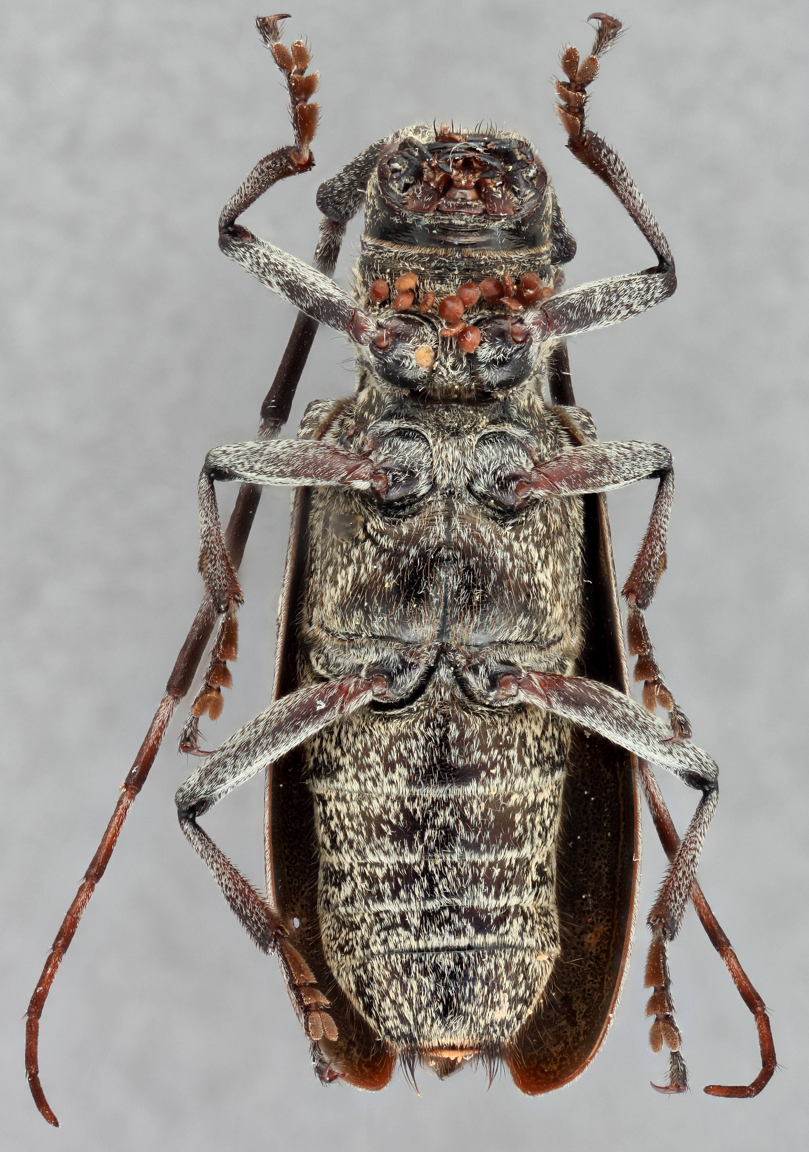
  Monochamusnbsp;scutellatus nbsp;femalenbsp;ventral

Monochamus scutellatus female ventral

  Monochamusnbsp;scutellatus nbsp;femalenbsp;frontal

Monochamus scutellatus female frontal

  Monochamusnbsp;scutellatus nbsp;femalenbsp;lateral

Monochamus scutellatus female lateral

  M. scutellatus  genitalia distal
M. scutellatus genitalia distal