Monochamus marmorator

Taxonomic history

Monochamus marmorator Kirby, 1837: 169

Diagnosis - adult

Length: 18–29 mm.
Elytral length:width ratio: length > 2x width.
Face: shape wide rectangle; genagena:
the part of the cranium on each side below the eye
length shorter than lower eye lobeeye lobe:
used to refer to the upper or lower portion when the eye is emarginate or separated
or subequal to lower eye lobeeye lobe:
used to refer to the upper or lower portion when the eye is emarginate or separated
.
Pronotum:pronotum:
the upper and dorsal part of the prothorax
dense setaeseta:
a sclerotized hair-like projection of the cuticle
on dorsum of lateral spines absent, rarely present; maculaemacula:
a spot or mark
on pronotal disk: 2 connected, longitudinal or 2–4 dots present; posteromedial tubercletubercle:
a small knoblike or rounded protuberance
absent; lateral erect setaeseta:
a sclerotized hair-like projection of the cuticle
: only present posterior to spinespine:
a protuberance with an acute (sharp) distal end
.
Scutellum:scutellum:
a small sclerite located directly posterior to the pronotum, bordered laterally by the elytra
dense and complete pubescence or pubescence broken at least partially along midline.
Elytra:elytron:
the leathery forewing of beetles, serving as a covering for the hind wings, commonly meeting opposite elytron in a straight line down the middle of the dorsum in repose
elytral integument color orange to red or black; elytral maculaemacula:
a spot or mark
: dense velvety pubescentpubescent:
downy; clothed with soft, short, fine, loosely set hair
patches present; elytral sutural apexapex:
end of any structure distad to the base
rounded or attenuateattenuate:
gradually tapering apically
; elevation in basal third followed by impression absent; basal granulation dense and smooth; middle to apical punctationpunctation:
pits or depression of variable size in cuticle
fine or nearly impunctate.
Antennal length (female): 0–1 segment beyond elytral apexapex:
end of any structure distad to the base
.
Aedeagus:aedeagus:
in male beetles, the penis
paramereparamere:
A pair of finger-like structures that are located where the male genitalia exits the abdomen.
mediobasal tooth present; apical tip (ventral view) acutely rounded/pointed; scleritesclerite:
any hardened plate of the body wall bounded by membrane or sutures; sometimes found floating in the internal sac of male genitalia
in internal sac: scleritesclerite:
any hardened plate of the body wall bounded by membrane or sutures; sometimes found floating in the internal sac of male genitalia
absent.

Male. Form moderate-sized, tapering posteriorly; integument brownish to fuscus, legs, head and pronotumpronotum:
the upper and dorsal part of the prothorax
usually dark; pubescence recumbent fulvous and whitish. Head with front shallowly convex, finely shallowly punctatepunctate:
set with fine, impressed points or punctures appearing as pin-pricks
. densely clothed with fulvous recumbent pubescence: genaegena:
the part of the cranium on each side below the eye
short, slightly convergent; antennaeantenna:
in larval and adult insects, paired segmented appendages, borne one on each side of the head, functioning as sense organs and bearing a large number of sensilla
extending about four segments beyond elytraelytron:
the leathery forewing of beetles, serving as a covering for the hind wings, commonly meeting opposite elytron in a straight line down the middle of the dorsum in repose
, basal segments minutely, densely punctatepunctate:
set with fine, impressed points or punctures appearing as pin-pricks
, not asperate, segments clothed with minute depressed pubescence, segments three to six with apical sensory areas. Pronotumpronotum:
the upper and dorsal part of the prothorax
about as long as broad, lateral tubercles prominent blunt at apicesapex:
end of any structure distad to the base
; apical and basal transversetransverse:
broader than long
impressions shallow, vaguely ruguloserugulose:
minutely rugose; minutely wrinkled
; disk with a median, linear, glabrousglabrous:
smooth, devoid of pubescence; devoid of any sculpturing
callus; punctures sparse, irregular, each bearing an erect dark setaseta:
a sclerotized hair-like projection of the cuticle
; pubescence irregular, fulvous and recumbent; prosternum ruguloserugulose:
minutely rugose; minutely wrinkled
, densely pubescentpubescent:
downy; clothed with soft, short, fine, loosely set hair
; meso- and metasternum vaguely punctatepunctate:
set with fine, impressed points or punctures appearing as pin-pricks
, densely, somewhat irregularly pubescentpubescent:
downy; clothed with soft, short, fine, loosely set hair
, suberect hairs numerous. Elytraelytron:
the leathery forewing of beetles, serving as a covering for the hind wings, commonly meeting opposite elytron in a straight line down the middle of the dorsum in repose
about 2.5 times as long as broad; basebase:
the part of any appendage or structure that is nearest the body
behind scutellumscutellum:
a small sclerite located directly posterior to the pronotum, bordered laterally by the elytra
rugose, humerihumerus:
shoulder; the basal exterior angle of the elytra
with few small asperities; punctures behind fine, sparse, becoming obsolete toward apexapex:
end of any structure distad to the base
; pubescence consisting of variegated patches of fulvous and whitish recumbent pubescence, nonpubescent areas strongly shining; apicesapex:
end of any structure distad to the base
elongate, narrow, sutures vaguely angulate. Scutellumscutellum:
a small sclerite located directly posterior to the pronotum, bordered laterally by the elytra
rounded at apexapex:
end of any structure distad to the base
, densely pubescentpubescent:
downy; clothed with soft, short, fine, loosely set hair
. Legs densely pubescentpubescent:
downy; clothed with soft, short, fine, loosely set hair
. Abdomen minutely punctatepunctate:
set with fine, impressed points or punctures appearing as pin-pricks
, densely, irregularly, pubescentpubescent:
downy; clothed with soft, short, fine, loosely set hair
; last sternite rounded at apexapex:
end of any structure distad to the base
. Length, 20–24 mm.

Female. Form more robust. Antennaeantenna:
in larval and adult insects, paired segmented appendages, borne one on each side of the head, functioning as sense organs and bearing a large number of sensilla
about as long as body, white annulateannulate:
surrounded by a ring of a different color
. Pronotumpronotum:
the upper and dorsal part of the prothorax
often broader than long. Abdomen with last sternite truncatetruncate:
cut off squarely at the tip
at apexapex:
end of any structure distad to the base
, sides tufted. Length, 18–29 mm. (Linsley and Chemsak 1984Linsley and Chemsak 1984:
Linsley EG and Chemsak JA. 1984. The Cerambycidae of North America. Part VII, No. 1. Taxonomy and Classification of the Subfamily Lamiinae, Tribes Parmenini Through Acanthoderini. University of California Press, Berkeley and Los Angeles. 258 pp.
)

Similar species

M. maculosus

Differential diagnosis

The attenuateattenuate:
gradually tapering apically
elytral apicesapex:
end of any structure distad to the base
and variegated pubescence with shining areas on the elytraelytron:
the leathery forewing of beetles, serving as a covering for the hind wings, commonly meeting opposite elytron in a straight line down the middle of the dorsum in repose
make this species distinct. The male aedeagal tip is pointed.

Distribution

North America: southeastern Canada to North Carolina and the Great Lakes

Recorded host plants

Abies balsamea

Remarks

This insect is of much economic importance in balsam fir following spruce budworm outbreaks in eastern Canada and the northeastern United States. It attacks the defoliated and weakened trees, causing their death. The adults are active at night, ovipositing under the balsam pustules on the trunk. The large egg punctures and copious flow of balsam from the wounds are very characteristic features of their attack The larval mines are more transversetransverse:
broader than long
than other species, thus more quickly girdling the tree. (adapted from Craighead 1923Craighead 1923:
Craighead FC. 1923. North American Cerambycid Larvae. A classification and the biology of North American cerambycid larvae. Bulletin of the Canada Department of Agriculture (n.s.) 27: 1–239, figs 1–8, pls 1–44.
)

Synonyms

Lamia marmorata Randall, 1838: 26

Monohammus fautor LeConte, 1852: 149

Monohammus acutus Lacordaire, 1869: 316

  Monochamus marmorator  male dorsal

Monochamus marmorator male dorsal

  Monochamus marmorator nbsp;female dorsal

Monochamus marmorator female dorsal

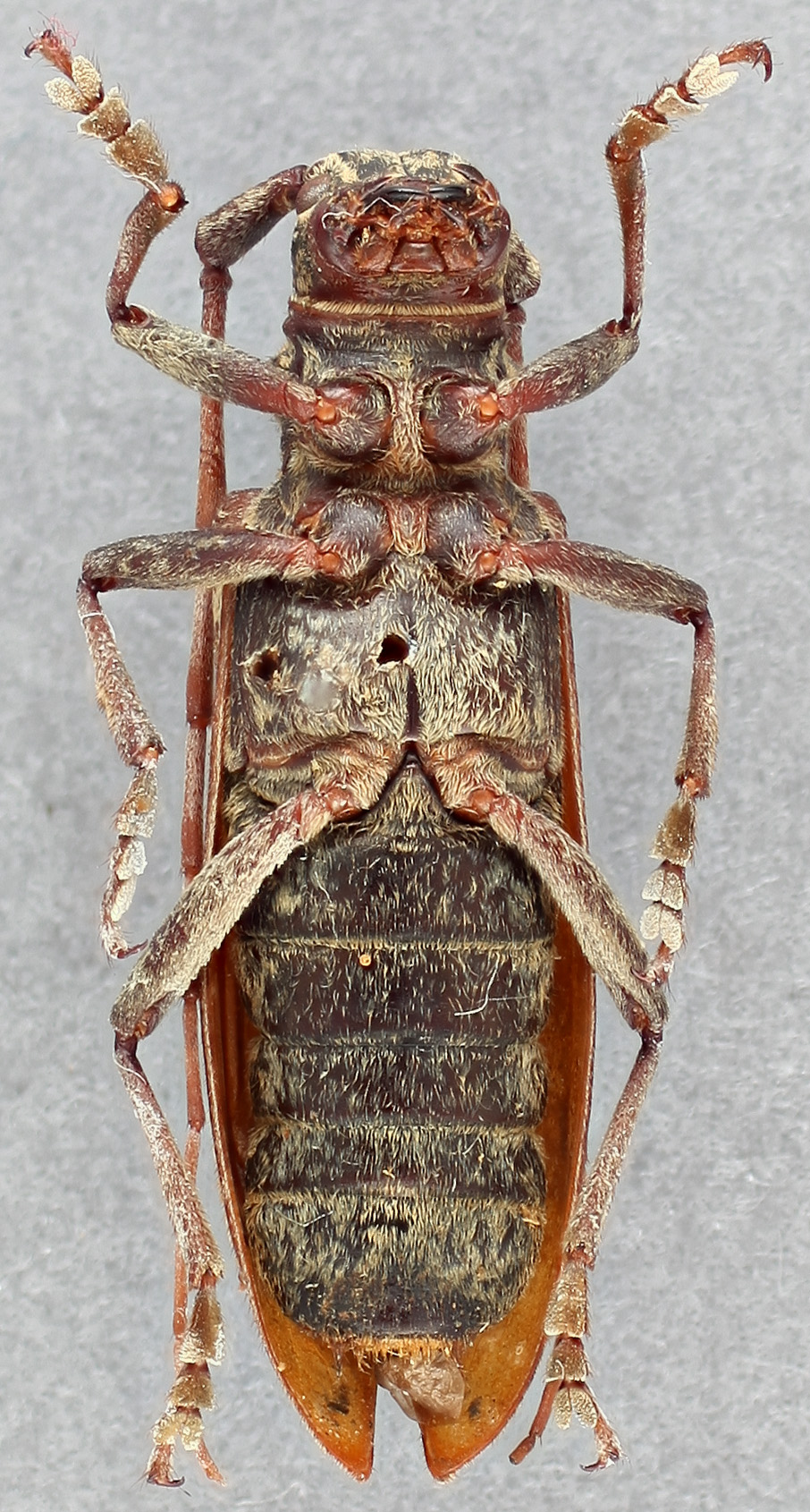
  Monochamus marmorator nbsp;female ventral

Monochamus marmorator female ventral

  Monochamus marmorator nbsp;female frontal

Monochamus marmorator female frontal

  Monochamus marmorator nbsp;female lateral

Monochamus marmorator female lateral

  M. marmorator  genitalia distal
M. marmorator genitalia distal