Monochamus maculosus

Taxonomic history

Monohammus maculosus Haldeman, 1847: 51

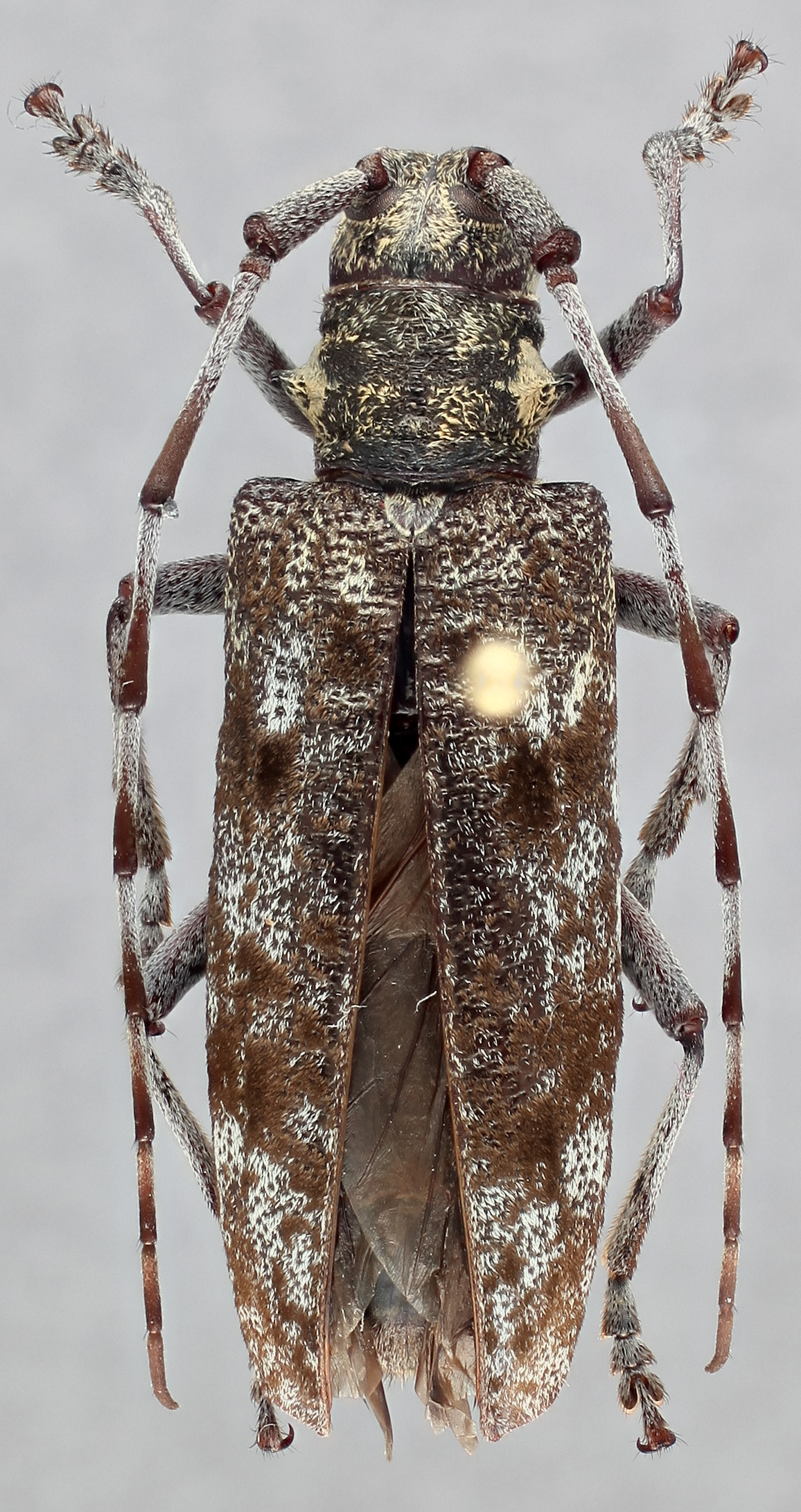
Diagnosis - adult

Length: 17–27 mm.
Elytral length:width ratio: length > 2x width.
Face: shape wide rectangle; genagena:
the part of the cranium on each side below the eye
length shorter than lower eye lobeeye lobe:
used to refer to the upper or lower portion when the eye is emarginate or separated
or subequal to lower eye lobeeye lobe:
used to refer to the upper or lower portion when the eye is emarginate or separated
.
Pronotum:pronotum:
the upper and dorsal part of the prothorax
dense setaeseta:
a sclerotized hair-like projection of the cuticle
on dorsum of lateral spines present; maculaemacula:
a spot or mark
on pronotal disk: 2–4 dots present or absent; posteromedial tubercletubercle:
a small knoblike or rounded protuberance
absent; lateral erect setaeseta:
a sclerotized hair-like projection of the cuticle
: only present posterior to spinespine:
a protuberance with an acute (sharp) distal end
.
Scutellum:scutellum:
a small sclerite located directly posterior to the pronotum, bordered laterally by the elytra
pubescence broken at least partially along midline, rarely dense and complete pubescence.
Elytra:elytron:
the leathery forewing of beetles, serving as a covering for the hind wings, commonly meeting opposite elytron in a straight line down the middle of the dorsum in repose
elytral integument color orange to red; elytral maculaemacula:
a spot or mark
: dense velvety pubescentpubescent:
downy; clothed with soft, short, fine, loosely set hair
patches present; elytral sutural apexapex:
end of any structure distad to the base
dentate; elevation in basal third followed by impression absent; basal granulation dense and smooth; middle to apical punctationpunctation:
pits or depression of variable size in cuticle
coarse.
Antennal length (female): >1–2 segments beyond.
Aedeagus:aedeagus:
in male beetles, the penis
paramereparamere:
A pair of finger-like structures that are located where the male genitalia exits the abdomen.
mediobasal tooth present; apical tip (ventral view) acutely rounded/pointed; scleritesclerite:
any hardened plate of the body wall bounded by membrane or sutures; sometimes found floating in the internal sac of male genitalia
in internal sac: scleritesclerite:
any hardened plate of the body wall bounded by membrane or sutures; sometimes found floating in the internal sac of male genitalia
absent.

Male. Form moderate-sized to large, slightly tapering posteriorly; integument dark reddish-brown to piceouspiceous:
black, pitch colored
, elytraelytron:
the leathery forewing of beetles, serving as a covering for the hind wings, commonly meeting opposite elytron in a straight line down the middle of the dorsum in repose
and appendages often paler reddish-brown; pubescence pale, gray, and dark brown. Head rather small; front shallowly convex, finely, shallowly, confluently punctatepunctate:
set with fine, impressed points or punctures appearing as pin-pricks
, sparsely clothed with pale appressed pubescence; genaegena:
the part of the cranium on each side below the eye
short, slightly convergent toward apexapex:
end of any structure distad to the base
; median line shallow on front and vertexvertex:
the top of the head between the eyes, frons and occiput, anterior to the occipital suture
; antennaeantenna:
in larval and adult insects, paired segmented appendages, borne one on each side of the head, functioning as sense organs and bearing a large number of sensilla
extending more than five segments beyond elytraelytron:
the leathery forewing of beetles, serving as a covering for the hind wings, commonly meeting opposite elytron in a straight line down the middle of the dorsum in repose
, segments three to eight with minutely punctatepunctate:
set with fine, impressed points or punctures appearing as pin-pricks
sensory areas at apicesapex:
end of any structure distad to the base
, pubescence sparse, very short, appressed, becoming denser toward apical segments, eleventh segment slightly curved. Pronotumpronotum:
the upper and dorsal part of the prothorax
about as wide as long, lateral tubercles rounded at apicesapex:
end of any structure distad to the base
; disk with a shallow callus behind middle, middle transversely rugoserugose:
wrinkled
; basebase:
the part of any appendage or structure that is nearest the body
and apexapex:
end of any structure distad to the base
shallowly impressed; pubescence sparse, basebase:
the part of any appendage or structure that is nearest the body
of each lateral tubercletubercle:
a small knoblike or rounded protuberance
clothed with a patch of dense, pale, appressed pubescence; prosternum transversely ruguloserugulose:
minutely rugose; minutely wrinkled
, sparsely pubescentpubescent:
downy; clothed with soft, short, fine, loosely set hair
; meso- and metasternum minutely, irregularly punctatepunctate:
set with fine, impressed points or punctures appearing as pin-pricks
, clothed with patches of white recumbent pubescence and longer, suberect hairs. Elytraelytron:
the leathery forewing of beetles, serving as a covering for the hind wings, commonly meeting opposite elytron in a straight line down the middle of the dorsum in repose
over 2.5 times as long as broad; basebase:
the part of any appendage or structure that is nearest the body
with moderate number of rounded asperities, punctures behind moderately coarse, becoming finer toward apexapex:
end of any structure distad to the base
; pubescence mottled, usually dark brown in elevated patches with gray patches in between; apicesapex:
end of any structure distad to the base
narrowly rounded, sutures dentate. Scutellumscutellum:
a small sclerite located directly posterior to the pronotum, bordered laterally by the elytra
white pubescentpubescent:
downy; clothed with soft, short, fine, loosely set hair
, broader than long, apexapex:
end of any structure distad to the base
rounded. Legs moderately densely white pubescentpubescent:
downy; clothed with soft, short, fine, loosely set hair
, femora minutely densely punctatepunctate:
set with fine, impressed points or punctures appearing as pin-pricks
. Abdomen irregularly clothed with pale to fulvous recumbent pubescence; punctures sparse, minute; last sternite truncatetruncate:
cut off squarely at the tip
at apexapex:
end of any structure distad to the base
. Length, 17–27 mm.

Female. Form similar, sides parallel. Antennaeantenna:
in larval and adult insects, paired segmented appendages, borne one on each side of the head, functioning as sense organs and bearing a large number of sensilla
white annulateannulate:
surrounded by a ring of a different color
, extending almost three segments beyond elytraelytron:
the leathery forewing of beetles, serving as a covering for the hind wings, commonly meeting opposite elytron in a straight line down the middle of the dorsum in repose
. Abdomen with last sternite broadly truncatetruncate:
cut off squarely at the tip
at apexapex:
end of any structure distad to the base
, each side with a tuft of black hairs. Length, 17–25 mm. (Linsley and Chemsak 1984Linsley and Chemsak 1984:
Linsley EG and Chemsak JA. 1984. The Cerambycidae of North America. Part VII, No. 1. Taxonomy and Classification of the Subfamily Lamiinae, Tribes Parmenini Through Acanthoderini. University of California Press, Berkeley and Los Angeles. 258 pp.
)

Similar species

Monochamus carolinensis, Monochamus marmorator

Differential diagnosis

In M. maculosus, the dense white pubescence on the pronotal tubercles and often fine brown setaeseta:
a sclerotized hair-like projection of the cuticle
on the elytraelytron:
the leathery forewing of beetles, serving as a covering for the hind wings, commonly meeting opposite elytron in a straight line down the middle of the dorsum in repose
distinguish it from M. carolinensis.

Distribution

North America: Great Lakes region, southern Canada, northeastern USA

Recorded host plants

Pinus banksiana

Remarks

This species seems to be limited to the range of its preferred host, Pinus banksiana.

Synonyms

Monochamus mutator LeConte, 1850: 235

  Monochamus maculosus nbsp;male dorsal

Monochamus maculosus male dorsal

  Monochamusnbsp;maculosus  male dorsal

Monochamus maculosus male dorsal

  Monochamus maculosus  female dorsal

Monochamus maculosus female dorsal

  Monochamus maculosus nbsp;female ventral

Monochamus maculosus female ventral

  Monochamus maculosus nbsp;female frontal

Monochamus maculosus female frontal

  Monochamus maculosus nbsp;female lateral

Monochamus maculosus female lateral

  M. maculatus nbsp;genitalia distal
M. maculatus genitalia distal