Monochamus clamator clamator

Taxonomic history

Monohammus clamator LeConte, 1852: 149

Diagnosis - adult

Length: 14–30 mm.
Elytral length:width ratio: length > 2x width.
Face: shape elongateelongate:
much longer than wide
rectangle, subquadratesubquadrate:
 not quite a square
or wide rectangle; genagena:
the part of the cranium on each side below the eye
length longer than lower eye lobeeye lobe:
used to refer to the upper or lower portion when the eye is emarginate or separated
or subequal to lower eye lobeeye lobe:
used to refer to the upper or lower portion when the eye is emarginate or separated
.
Pronotum:pronotum:
the upper and dorsal part of the prothorax
dense setaeseta:
a sclerotized hair-like projection of the cuticle
on dorsum of lateral spines present; maculaemacula:
a spot or mark
on pronotal disk: 2 connected, longitudinal, or 2–4 dots present; posteromedial tubercletubercle:
a small knoblike or rounded protuberance
absent; lateral erect setaeseta:
a sclerotized hair-like projection of the cuticle
: only present posterior to spinespine:
a protuberance with an acute (sharp) distal end
, rarely present posterior and anterior to spinespine:
a protuberance with an acute (sharp) distal end
.
Scutellum:scutellum:
a small sclerite located directly posterior to the pronotum, bordered laterally by the elytra
dense and complete pubescence or pubescence broken at least partially along midline.
Elytra:elytron:
the leathery forewing of beetles, serving as a covering for the hind wings, commonly meeting opposite elytron in a straight line down the middle of the dorsum in repose
elytral integument color orange to red or black; elytral maculaemacula:
a spot or mark
: dense velvety pubescentpubescent:
downy; clothed with soft, short, fine, loosely set hair
patches present; elytral sutural apexapex:
end of any structure distad to the base
dentate; elevation in basal third followed by impression present or absent; basal granulation dense and smooth; middle to apical punctationpunctation:
pits or depression of variable size in cuticle
coarse.
Antennal length (female): 2–3.5 segments beyond elytral apexapex:
end of any structure distad to the base
or >3.5 segments beyond elytral apexapex:
end of any structure distad to the base
.
Aedeagus:aedeagus:
in male beetles, the penis
paramereparamere:
A pair of finger-like structures that are located where the male genitalia exits the abdomen.
mediobasal tooth present; apical tip (ventral view) truncatetruncate:
cut off squarely at the tip
or slightly rounded; scleritesclerite:
any hardened plate of the body wall bounded by membrane or sutures; sometimes found floating in the internal sac of male genitalia
in internal sac: scleritesclerite:
any hardened plate of the body wall bounded by membrane or sutures; sometimes found floating in the internal sac of male genitalia
absent.

Male. Form moderate-sized to large; integument reddish-brown to black; pubescence reddish-brown and fulvous, gray to dark brown and whitish, brownish patches often reduced. Head with front convex, finely to coarsely, confluently punctatepunctate:
set with fine, impressed points or punctures appearing as pin-pricks
, pubescence moderate, recumbent, fronsfrons:
the upper anterior portion of the head capsule, usually a distinct sclerite between the epicranium and clypeus
bordered by longitudinal bands of dense appressed pubescence; genaegena:
the part of the cranium on each side below the eye
slightly longer than lower eye lobeeye lobe:
used to refer to the upper or lower portion when the eye is emarginate or separated
, parallel to slightly convergent, antennaeantenna:
in larval and adult insects, paired segmented appendages, borne one on each side of the head, functioning as sense organs and bearing a large number of sensilla
extending about five segments beyond elytraelytron:
the leathery forewing of beetles, serving as a covering for the hind wings, commonly meeting opposite elytron in a straight line down the middle of the dorsum in repose
, usually twice the length of the body, segments minutely, densely asperate, first two segments finely pubescentpubescent:
downy; clothed with soft, short, fine, loosely set hair
, segments three to six with apical sensory areas. segments seven and eight with apical and basal sensory areas. Pronotumpronotum:
the upper and dorsal part of the prothorax
about as long as broad, lateral tubercles moderately produced, apicesapex:
end of any structure distad to the base
blunt; apical and basal transversetransverse:
broader than long
impressions broad, plicate; disk with a glabrousglabrous:
smooth, devoid of pubescence; devoid of any sculpturing
callus at middle and a tumid area on each side; punctures around bases or lateral tubercles coarse, confluent; pubescence irregular, recumbent, lateral tubercles densely pubescentpubescent:
downy; clothed with soft, short, fine, loosely set hair
, middle often, with two longitudinal pubescentpubescent:
downy; clothed with soft, short, fine, loosely set hair
bands; prosternum densely to sparsely pubescentpubescent:
downy; clothed with soft, short, fine, loosely set hair
: meso- and metasternum irregularly punctatepunctate:
set with fine, impressed points or punctures appearing as pin-pricks
at sides, pubescence recumbent, irregular, long, suberect hairs numerous. Elytraelytron:
the leathery forewing of beetles, serving as a covering for the hind wings, commonly meeting opposite elytron in a straight line down the middle of the dorsum in repose
slightly more than twice as long as broad; basebase:
the part of any appendage or structure that is nearest the body
rather densely covered, with small rounded asperities; punctures dense, coarse, confluent and rugoserugose:
wrinkled
, becoming finer toward apexapex:
end of any structure distad to the base
; pubescence variegated, recumbent, usually consisting of irregular brownish patches with small spots of whitish or fulvous intermixed; apicesapex:
end of any structure distad to the base
rounded, obtusely angulate to dentate at suturesuture:
groove marking the line of fusion of two formerly distinct plates; the line of junction of elytra
. Scutellumscutellum:
a small sclerite located directly posterior to the pronotum, bordered laterally by the elytra
rounded at apexapex:
end of any structure distad to the base
, densely pubescentpubescent:
downy; clothed with soft, short, fine, loosely set hair
with a medium glabrousglabrous:
smooth, devoid of pubescence; devoid of any sculpturing
line. Legs moderately to densely clothed with fine, grayish, recumbent pubescence. Abdomen usually with a submetallic caste, irregularly pubescentpubescent:
downy; clothed with soft, short, fine, loosely set hair
; last sternite rounded to subtruncatesubtruncate:
not quite cut off squarely at the tip
at apexapex:
end of any structure distad to the base
. Length, 14–30 mm.

Female. Form more robust. Antennaeantenna:
in larval and adult insects, paired segmented appendages, borne one on each side of the head, functioning as sense organs and bearing a large number of sensilla
extending slightly beyond elytraelytron:
the leathery forewing of beetles, serving as a covering for the hind wings, commonly meeting opposite elytron in a straight line down the middle of the dorsum in repose
, segments usually white annulateannulate:
surrounded by a ring of a different color
. Abdomen with last sternite truncatetruncate:
cut off squarely at the tip
at apexapex:
end of any structure distad to the base
, densely tufted. Length, 16–30 mm. (Linsley and Chemsak 1984Linsley and Chemsak 1984:
Linsley EG and Chemsak JA. 1984. The Cerambycidae of North America. Part VII, No. 1. Taxonomy and Classification of the Subfamily Lamiinae, Tribes Parmenini Through Acanthoderini. University of California Press, Berkeley and Los Angeles. 258 pp.
)

Similar species

M. obtusus, M. carolinensis, M. alternatus

Differential diagnosis

The dentate elytral apicesapex:
end of any structure distad to the base
, coarse punctationpunctation:
pits or depression of variable size in cuticle
, lack of pubescentpubescent:
downy; clothed with soft, short, fine, loosely set hair
stripes, and random velvet patches will distinguish M. clamator from similar species. M. c. latus has dark integument and dark pubescentpubescent:
downy; clothed with soft, short, fine, loosely set hair
patches but can skew lighter towards the Great Basin region.

Distribution

southern California and Mountain Southwest USA south to Honduras

Recorded host plants

Pinus spp., Pseudotsuga sp.

Remarks

All of the former subspecies belong here except for the putative ssp. M. c. latus. With further Central American sampling, a southern population may prove to be distinct.

Synonyms

Monochamus strenuus Casey, 1913: 293

Monochamus clamator linsleyi Dillon and Dillon, 1941: 72

Monochamus clamator nevadensis Dillon and Dillon, 1941: 72

  Monochamus clamator  male dorsal

Monochamus clamator male dorsal

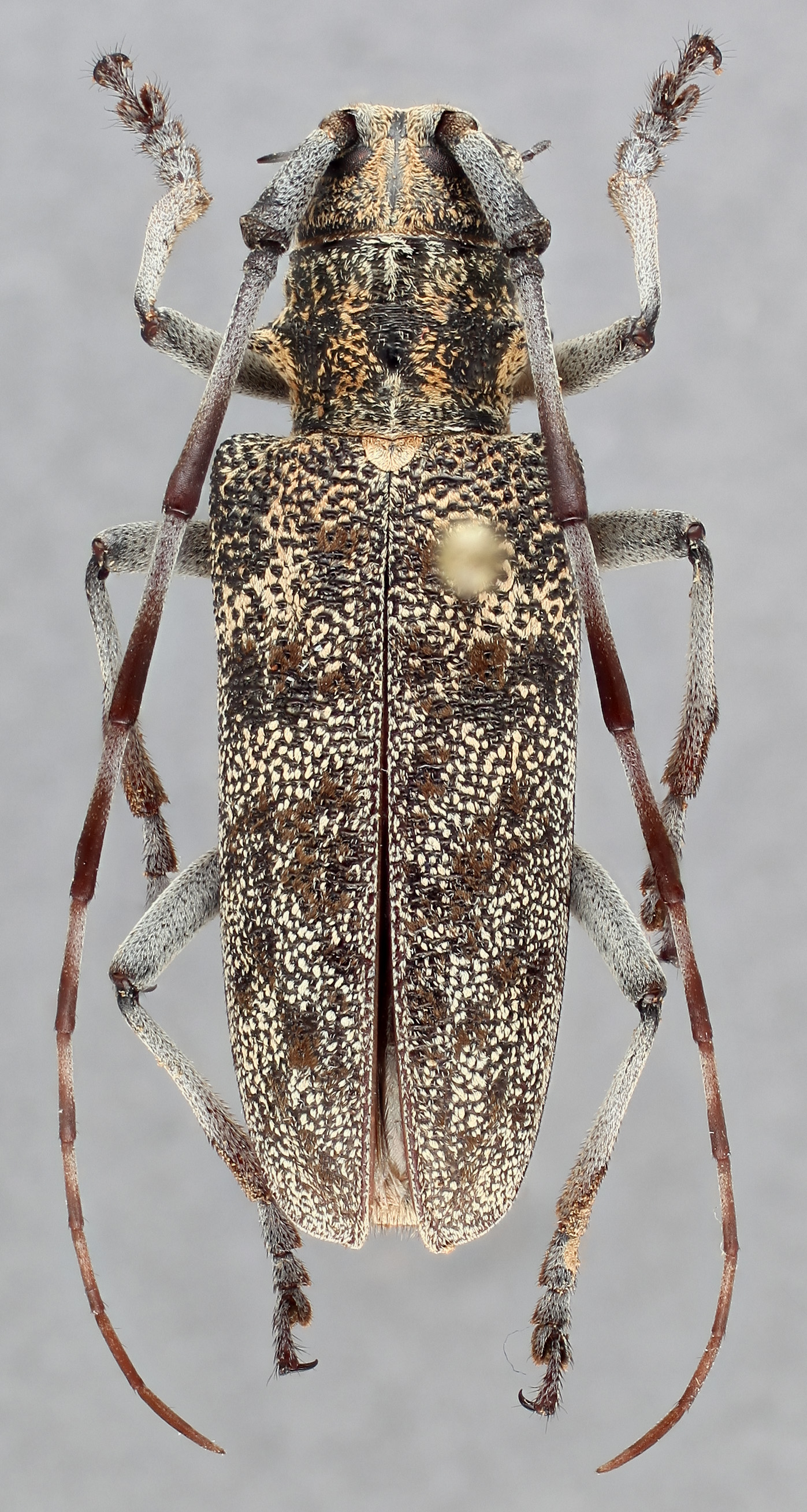
  Monochamus clamator  female dorsal

Monochamus clamator female dorsal

  Monochamus clamatornbsp; female ventral

Monochamus clamator female ventral

  Monochamus clamatornbsp; female frontal

Monochamus clamator female frontal

  Monochamus clamatornbsp; female lateral

Monochamus clamator female lateral

  M. clamator  genitalia distal
M. clamator genitalia distal