Monochamus carolinensis

Taxonomic history

Lamia carolinensis Olivier, 1797: 463

Diagnosis - adult

Length: 15–23 mm.
Elytral length:width ratio: length > 2x width.
Face: shape wide rectangle; genagena:
the part of the cranium on each side below the eye
length shorter than lower eye lobeeye lobe:
used to refer to the upper or lower portion when the eye is emarginate or separated
or subequal to lower eye lobeeye lobe:
used to refer to the upper or lower portion when the eye is emarginate or separated

Pronotum:pronotum:
the upper and dorsal part of the prothorax
dense setaeseta:
a sclerotized hair-like projection of the cuticle
on dorsum of lateral spines absent; maculaemacula:
a spot or mark
on pronotal disk: 2 connected, longitudinal or 2–4 dots present; posteromedial tubercletubercle:
a small knoblike or rounded protuberance
absent; lateral erect setaeseta:
a sclerotized hair-like projection of the cuticle
: only present posterior to spinespine:
a protuberance with an acute (sharp) distal end
.
Scutellum:scutellum:
a small sclerite located directly posterior to the pronotum, bordered laterally by the elytra
dense and complete pubescence or pubescence broken at least partially along midline.
Elytra:elytron:
the leathery forewing of beetles, serving as a covering for the hind wings, commonly meeting opposite elytron in a straight line down the middle of the dorsum in repose
elytral integument color orange to red; elytral maculaemacula:
a spot or mark
: dense velvety pubescentpubescent:
downy; clothed with soft, short, fine, loosely set hair
patches present; elytral sutural apexapex:
end of any structure distad to the base
dentate; elevation in basal third followed by impression absent; basal granulation dense and smooth or dense and coarse; middle to apical punctationpunctation:
pits or depression of variable size in cuticle
coarse.
Antennal length (female): 2–3.5 segments beyond elytral apexapex:
end of any structure distad to the base
.
Aedeagus:aedeagus:
in male beetles, the penis
paramereparamere:
A pair of finger-like structures that are located where the male genitalia exits the abdomen.
mediobasal tooth present or absent; apical tip (ventral view) acutely rounded/pointed; scleritesclerite:
any hardened plate of the body wall bounded by membrane or sutures; sometimes found floating in the internal sac of male genitalia
in internal sac: scleritesclerite:
any hardened plate of the body wall bounded by membrane or sutures; sometimes found floating in the internal sac of male genitalia
absent.

Male. Form moderate-sized, tapering posteriorly; integument reddish-brown; pubescence fulvous, brown and grayish, dark brown patches elevated. Head with front shallowly convex. shallowly, confluently punctatepunctate:
set with fine, impressed points or punctures appearing as pin-pricks
, irregularly clothed with fulvous pubescence; genaegena:
the part of the cranium on each side below the eye
short, slightly convergent toward apexapex:
end of any structure distad to the base
; antennaeantenna:
in larval and adult insects, paired segmented appendages, borne one on each side of the head, functioning as sense organs and bearing a large number of sensilla
extending about five segments beyond elytraelytron:
the leathery forewing of beetles, serving as a covering for the hind wings, commonly meeting opposite elytron in a straight line down the middle of the dorsum in repose
, basal segments finely asperate, outer segments rather densely clothed with very short, black, recumbent hairs, segments three to six with apical sensory areas. Pronotumpronotum:
the upper and dorsal part of the prothorax
about as long as broad, lateral tubercles moderate in size, apicesapex:
end of any structure distad to the base
subacute; apical and basal impressions rugoserugose:
wrinkled
transversely; disk linearly callused at middle; punctures at middle transversely rugoserugose:
wrinkled
, rather coarse and confluent at sides around bases of lateral tubercles; pubescence rather sparse, middle usually with two longitudinal bands of recumbent, fulvous pubescence, sides at anterior edge of lateral tubercles with a small patch of fulvous pubescence; prosternum transversely ruguloserugulose:
minutely rugose; minutely wrinkled
, moderately pubescentpubescent:
downy; clothed with soft, short, fine, loosely set hair
; meso- and metasternum impunctate at middle, irregularly pubescentpubescent:
downy; clothed with soft, short, fine, loosely set hair
. Elytraelytron:
the leathery forewing of beetles, serving as a covering for the hind wings, commonly meeting opposite elytron in a straight line down the middle of the dorsum in repose
less than 2.5 times as long as broad; basebase:
the part of any appendage or structure that is nearest the body
with small, rounded asperities, particularly on humeral area; basal punctures coarse, subconfluent, dense to apical one-third then becoming a little finer and sparser; pubescence mottled, dark brown elevated patches not numerous, interspaces whitish and brownish, basal one-fourth, with a fulvous patch toward lateral margins, two white patches present near suturesuture:
groove marking the line of fusion of two formerly distinct plates; the line of junction of elytra
before middle and apical one-third with an irregular, whitish band; apicesapex:
end of any structure distad to the base
narrowly rounded, sutures dentate. Scutellumscutellum:
a small sclerite located directly posterior to the pronotum, bordered laterally by the elytra
white and fulvous pubescentpubescent:
downy; clothed with soft, short, fine, loosely set hair
, medially glabrousglabrous:
smooth, devoid of pubescence; devoid of any sculpturing
, apexapex:
end of any structure distad to the base
rounded. Legs irregularly gray pubescentpubescent:
downy; clothed with soft, short, fine, loosely set hair
. Abdomen minutely, sparsely punctatepunctate:
set with fine, impressed points or punctures appearing as pin-pricks
, irregularly pubescentpubescent:
downy; clothed with soft, short, fine, loosely set hair
; last sternite shallowly emarginateemarginate:
notched at the margin
at apexapex:
end of any structure distad to the base
, black tufts at sides sparse. Length, 15–23 mm.

Female. Form similar, parallel-sided. Antennaeantenna:
in larval and adult insects, paired segmented appendages, borne one on each side of the head, functioning as sense organs and bearing a large number of sensilla
slightly longer than elytraelytron:
the leathery forewing of beetles, serving as a covering for the hind wings, commonly meeting opposite elytron in a straight line down the middle of the dorsum in repose
. Abdomen with last sternite truncatetruncate:
cut off squarely at the tip
apex, apical tufts dense. Length, 18–23 mm. (Linsley and Chemsak 1984Linsley and Chemsak 1984:
Linsley EG and Chemsak JA. 1984. The Cerambycidae of North America. Part VII, No. 1. Taxonomy and Classification of the Subfamily Lamiinae, Tribes Parmenini Through Acanthoderini. University of California Press, Berkeley and Los Angeles. 258 pp.
)

Similar species

M. titillator, M. alternatus, M. maculosus, M. notatus, M. clamator clamator

Differential diagnosis

M. titillator is distinct from M. carolinensis in the acute spinespine:
a protuberance with an acute (sharp) distal end
at the elytral suturesuture:
groove marking the line of fusion of two formerly distinct plates; the line of junction of elytra
, close to right angle at apical suturesuture:
groove marking the line of fusion of two formerly distinct plates; the line of junction of elytra
, elytral punctures not close together, and slightly rounded aedeagusaedeagus:
in male beetles, the penis
tip. M. alternatus has a densely pubescentpubescent:
downy; clothed with soft, short, fine, loosely set hair
scutellumscutellum:
a small sclerite located directly posterior to the pronotum, bordered laterally by the elytra
, obvious tubercletubercle:
a small knoblike or rounded protuberance
on the medial pronotumpronotum:
the upper and dorsal part of the prothorax
, and narrow orange longitudinal lines on the elytraelytron:
the leathery forewing of beetles, serving as a covering for the hind wings, commonly meeting opposite elytron in a straight line down the middle of the dorsum in repose
. In M. maculosus, the dense white pubescence on the pronotal tubercles and often fine brown setaeseta:
a sclerotized hair-like projection of the cuticle
on the elytraelytron:
the leathery forewing of beetles, serving as a covering for the hind wings, commonly meeting opposite elytron in a straight line down the middle of the dorsum in repose
distinguish it from M. carolinensis.

Distribution

New Brunswick to eastern Nebraska, south to eastern Texas and southern Florida

Recorded host plants

Pinus spp.

Remarks

There is evidence of mitochondrial introgression with M. maculosus.

Synonyms

Lamia dentator Fabricius, 1793: 278

Monohammus minor LeConte, 1873: 231

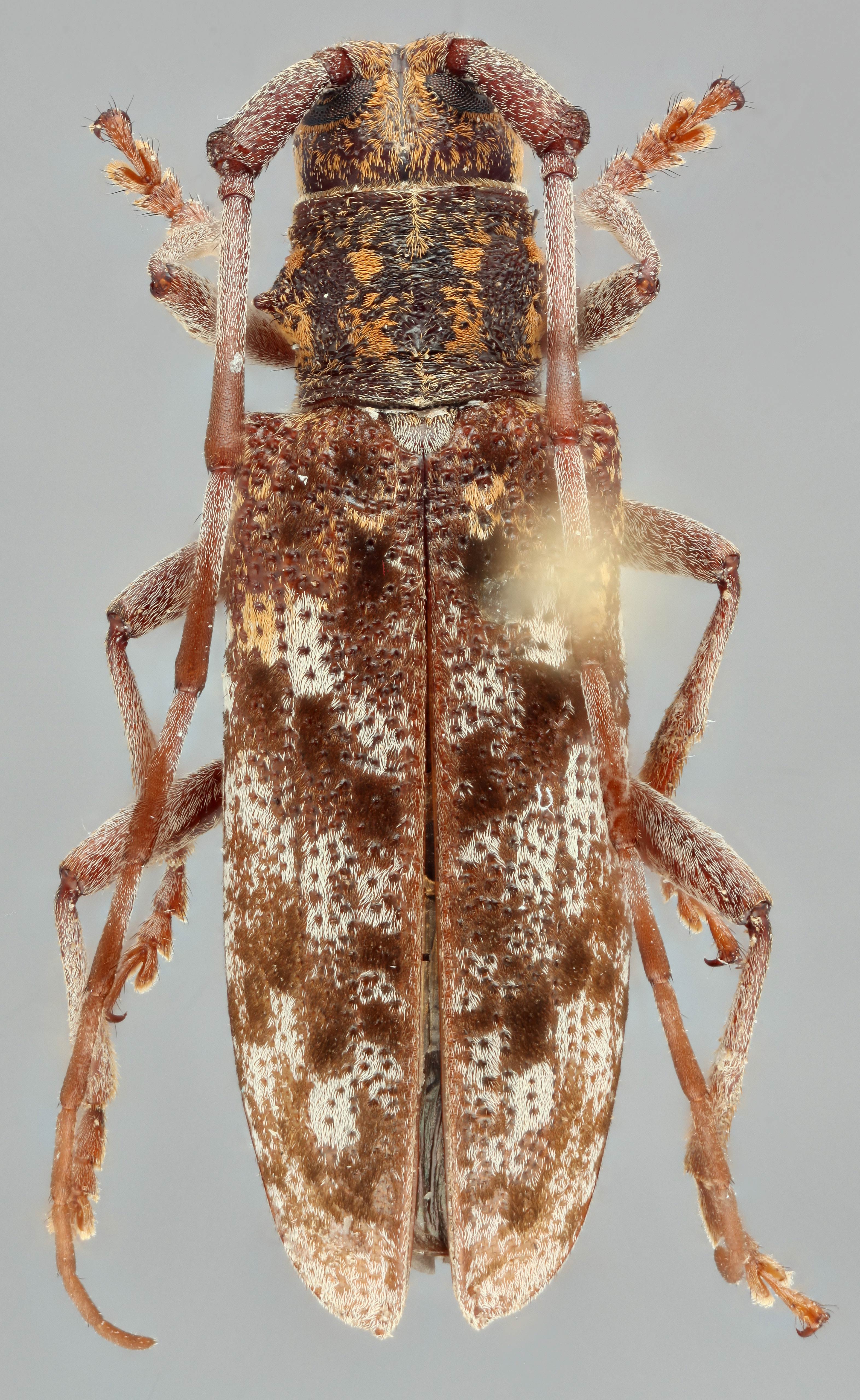
  Monochamus carolinensis  male dorsal

Monochamus carolinensis male dorsal

  Monochamus carolinensis nbsp;female dorsal

Monochamus carolinensis female dorsal

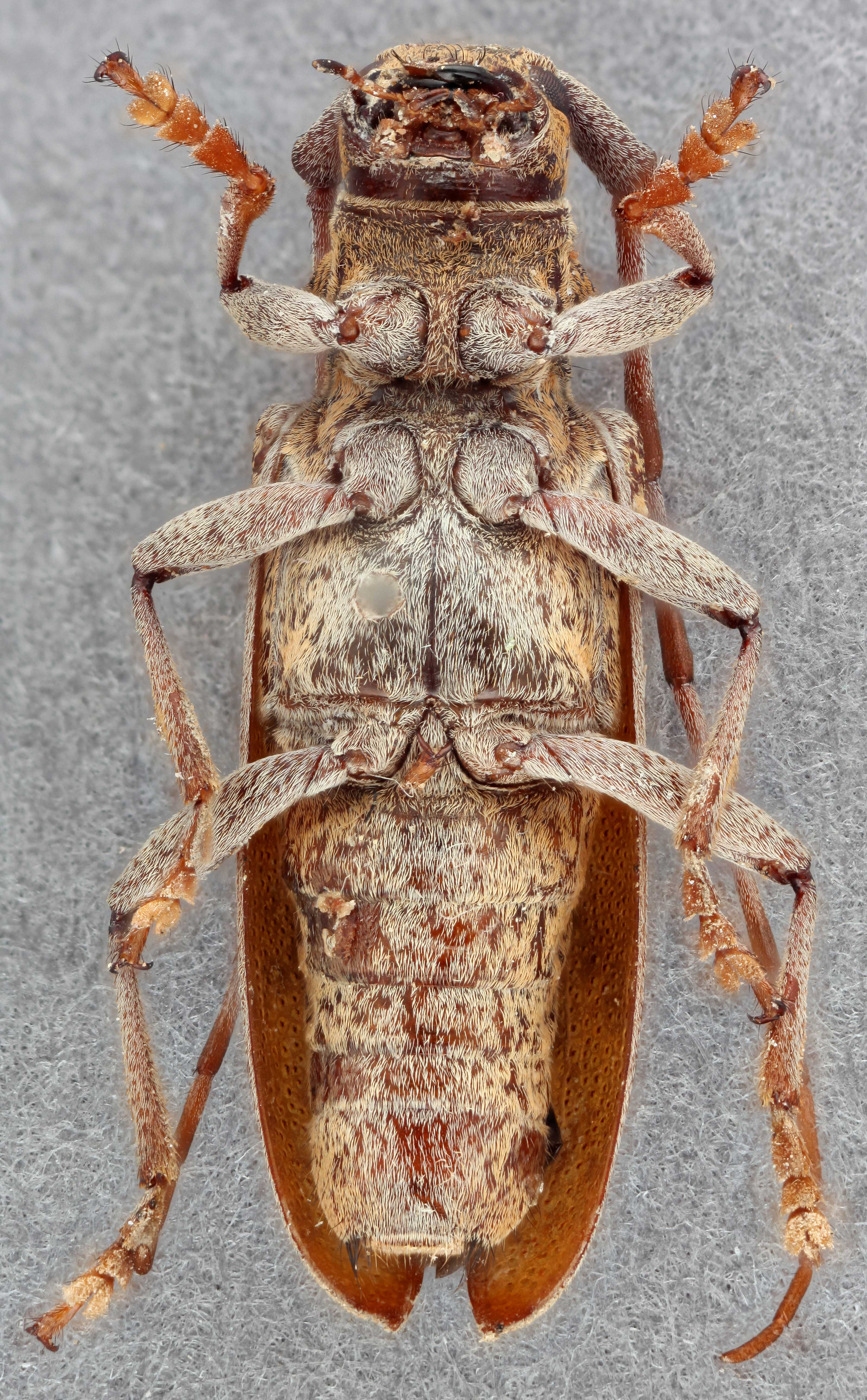
  Monochamus carolinensis nbsp;female ventral

Monochamus carolinensis female ventral

  Monochamus carolinensis nbsp;female frontal

Monochamus carolinensis female frontal

  Monochamus carolinensis nbsp;female lateral

Monochamus carolinensis female lateral