Monochamus alternatus

Taxonomic history

Monochamus alternatus Hope, 1842

Diagnosis - adult

Length: 15–30 mm. 
Elytral length:width ratio: length > 2x width. 
Face: shape wide rectangle; genagena:
the part of the cranium on each side below the eye
length shorter than lower eye lobeeye lobe:
used to refer to the upper or lower portion when the eye is emarginate or separated
or subequal to lower eye lobeeye lobe:
used to refer to the upper or lower portion when the eye is emarginate or separated

Pronotum:pronotum:
the upper and dorsal part of the prothorax
dense setaeseta:
a sclerotized hair-like projection of the cuticle
on dorsum of lateral spines present; maculaemacula:
a spot or mark
on pronotal disk: 2 connected, longitudinal or 2–4 dots present; posteromedial tubercletubercle:
a small knoblike or rounded protuberance
present; lateral erect setaeseta:
a sclerotized hair-like projection of the cuticle
: only present posterior to spinespine:
a protuberance with an acute (sharp) distal end

Scutellum:scutellum:
a small sclerite located directly posterior to the pronotum, bordered laterally by the elytra
dense and complete pubesence. 
Elytra:elytron:
the leathery forewing of beetles, serving as a covering for the hind wings, commonly meeting opposite elytron in a straight line down the middle of the dorsum in repose
elytral integument color orange to red or black; elytral maculaemacula:
a spot or mark
: dense velvety pubescentpubescent:
downy; clothed with soft, short, fine, loosely set hair
patches present or pubescence forming narrow longitudinal lines; elytral sutural apexapex:
end of any structure distad to the base
rounded or dentate; elevation in basal third followed by impression absent; basal granulation dense and coarse; middle to apical punctationpunctation:
pits or depression of variable size in cuticle
fine. 
Antennal length (female): >3.5 segments beyond elytral apexapex:
end of any structure distad to the base

Aedeagus:aedeagus:
in male beetles, the penis
paramereparamere:
A pair of finger-like structures that are located where the male genitalia exits the abdomen.
mediobasal tooth present; apical tip (ventral view) slightly rounded; terminal segment absent; scleritesclerite:
any hardened plate of the body wall bounded by membrane or sutures; sometimes found floating in the internal sac of male genitalia
in internal sac: scleritesclerite:
any hardened plate of the body wall bounded by membrane or sutures; sometimes found floating in the internal sac of male genitalia
absent.

Similar species

M. nigromaculatus, M. titillator, M. carolinensis, M. clamator clamator

Differential diagnosis

Can be distinguished from M. nigromaculatus by the brown-orange pubescentpubescent:
downy; clothed with soft, short, fine, loosely set hair
patches and reddish integument. The slightly divergentdivergent:
spreading out from a common base
, unarmed to weakly-dentate elytral suturesuture:
groove marking the line of fusion of two formerly distinct plates; the line of junction of elytra
, completely pubescentpubescent:
downy; clothed with soft, short, fine, loosely set hair
scutellumscutellum:
a small sclerite located directly posterior to the pronotum, bordered laterally by the elytra
, and contiguouscontiguous:
so near together as to touch
longitudinal orange stripes will help distinguish from any similar Nearctic species. 

Distribution

southern mainland Asia: China, Laos, Vietnam, Korea; Taiwan, Japan

Recorded host plants

Abies, Larix, Picea, Pinus, questionable Cupressaceae and hardwood records (Titan DatabaseTitan Database:
Tavakilian GL and Chevillotte H. 2022. Titan: base de données internationales sur les Cerambycidae ou Longicornes. Version 3.0. Available from: http://titan.gbif.fr/ last accessed September 2022
)

Remarks

Two subspecies are present for M. alternatusM. a. alternatus in southern mainland Asia and M. a. endai in Japan and southern South Korea including Jeju Island. Limited molecular evidence shows a specimen from China separates from Japan/South Korea with moderate support.

Synonyms

Monohammus tesserula White, 1858: 408

Monochamus alternatus endai Makihara, 2004: 17

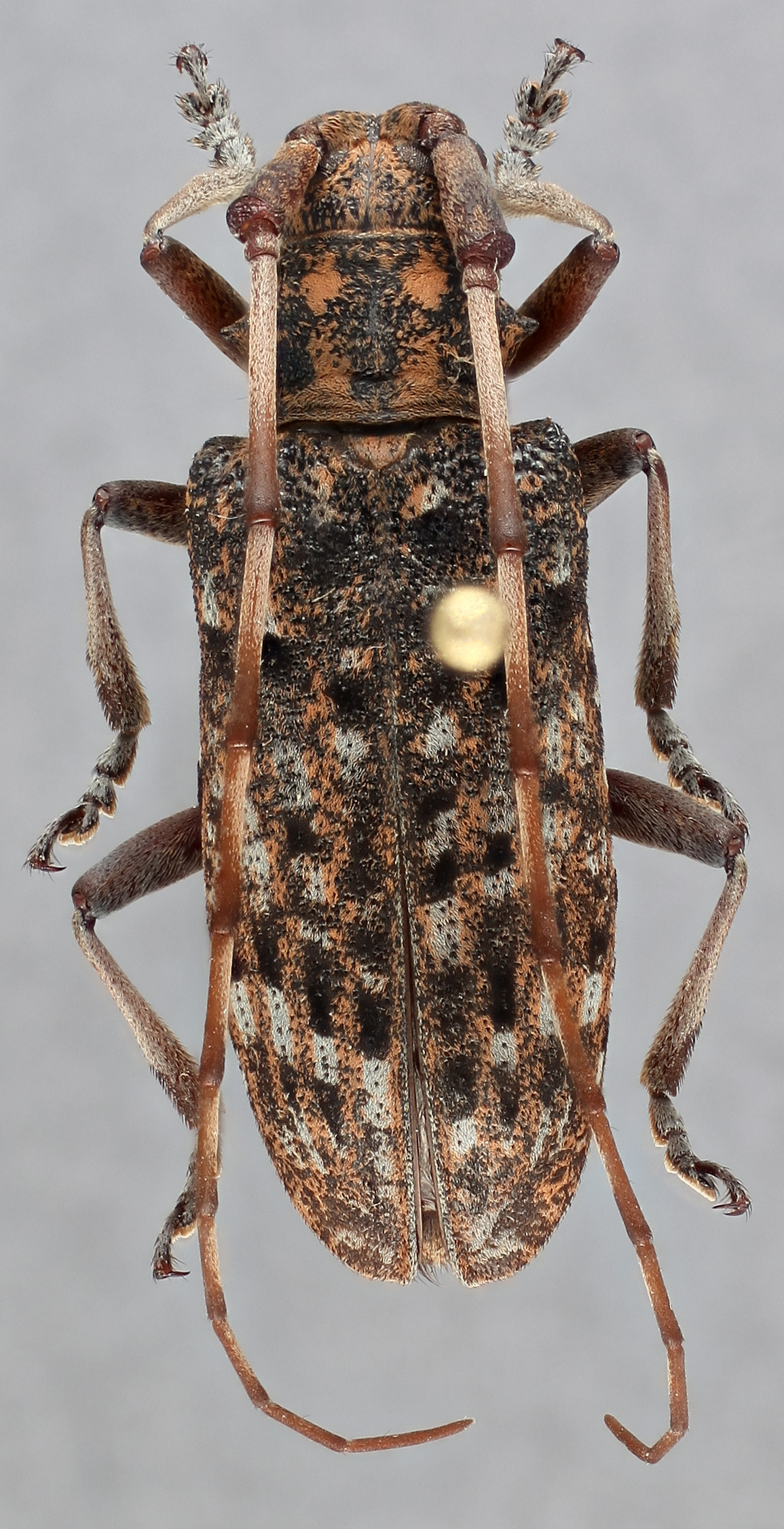
  Monochamus alternatus endai  female dorsal

Monochamus alternatus endai female dorsal

  Monochamus alternatus endai nbsp;female ventral

Monochamus alternatus endai female ventral

  Monochamus alternatus endai nbsp;female frontal

Monochamus alternatus endai female frontal

  Monochamus alternatus endai nbsp;female lateral

Monochamus alternatus endai female lateral

  M. alternatus nbsp;genitalia
M. alternatus genitalia