Xylotrechus

Subfamily

Cerambycinae

Diagnosis - adult

Body length: 8–27 mm. 
Eyes: eye interommatidial setaeseta:
a sclerotized hair-like projection of the cuticle
absent, eye entire/shallowly emarginateemarginate:
notched at the margin
, eye ommatidial density fine. 
Antennaeantenna:
in larval and adult insects, paired segmented appendages, borne one on each side of the head, functioning as sense organs and bearing a large number of sensilla
: antennal length barely surpassing pronotumpronotum:
the upper and dorsal part of the prothorax
or shorter or reaches between basebase:
the part of any appendage or structure that is nearest the body
and end of elytraelytron:
the leathery forewing of beetles, serving as a covering for the hind wings, commonly meeting opposite elytron in a straight line down the middle of the dorsum in repose
, antennal flagellar segments elongateelongate:
much longer than wide
, scapescape:
the first proximal segment of the antenna
smooth/punctate at apexapex:
end of any structure distad to the base
, antennal scapescape:
the first proximal segment of the antenna
≥ segment 3 or segment 3 > scapescape:
the first proximal segment of the antenna

Pronotumpronotum:
the upper and dorsal part of the prothorax
: pronotumpronotum:
the upper and dorsal part of the prothorax
shape transversetransverse:
broader than long
, subquadratesubquadrate:
 not quite a square
or longer than wide, pronotumpronotum:
the upper and dorsal part of the prothorax
lateral armature absent. 
Prosternum: prosternal processprosternal process:
a posterior extension of the prosternum between the coxae
dilated at apexapex:
end of any structure distad to the base
, procoxal cavities open posteriorly, rarely closed posteriorly. 
Elytraelytron:
the leathery forewing of beetles, serving as a covering for the hind wings, commonly meeting opposite elytron in a straight line down the middle of the dorsum in repose
: elytral length reaching or close to end of abdomen, elytral apicesapex:
end of any structure distad to the base
rounded or truncatetruncate:
cut off squarely at the tip
or with tooth or spinespine:
a protuberance with an acute (sharp) distal end
, elytral color pattern present. 
Legs: visible tarsomerestarsomere:
subdivision or article of the tarsus, usually numbering from two to five
: 4, femora clavateclavate:
thickening gradually toward the tip
, slender or robust, protibial spursprotibial spur:
sclerotized spine(s) located at the distal tibia; can be single, double, or absent
: 2, tarsal clawstarsal claw:
usually paired claws of the pretarsus, at the distal end of the leg
simple.

Head with front declivous, bicarinate; antennaeantenna:
in larval and adult insects, paired segmented appendages, borne one on each side of the head, functioning as sense organs and bearing a large number of sensilla
short, filiformfiliform:
threadlike, i.e., slender and of equal diameter, being commonly applied to antennae
, segments not spinose. Pronotumpronotum:
the upper and dorsal part of the prothorax
usually broader than long, rounded, constricted at basebase:
the part of any appendage or structure that is nearest the body
, disk without large transversetransverse:
broader than long
carinaecarina:
an elevated ridge or keel, not necessarily high or acute
. Femora not spinosespinose:
armed with thorny spines, more elongate than echinate
. Elytraelytron:
the leathery forewing of beetles, serving as a covering for the hind wings, commonly meeting opposite elytron in a straight line down the middle of the dorsum in repose
narrowed gradually to apexapex:
end of any structure distad to the base
, apicesapex:
end of any structure distad to the base
rounded or tr uncateuncate:
hooked; barbed
 (Linsley 1964Linsley 1964:
Linsley EG. 1964. The Cerambycidae of North America. Part V. Taxonomy and Classification of the Subfamily Cerambycinae, Tribes Callichromini Through Ancylocerini. University of California Publications in Entomology, Vol. 22. 197 pp.
). Antennaeantenna:
in larval and adult insects, paired segmented appendages, borne one on each side of the head, functioning as sense organs and bearing a large number of sensilla
more or less distantly inserted, intervening space fairly even; metepisternummetepisternum:
the episternal portion of the pleuron on the posterior thoracic segment
broad, 2-3 times as long as broad (Gressitt 1951Gressitt 1951:
Gressitt JL. 1951. Longicorn beetles of China. Longicornia, Paris 2: 1–667, 22 pls.
)

Similar genera

Perissus, Neoclytus

Differential diagnosis

Adults are recognizable by the strongly bicarinate fronsfrons:
the upper anterior portion of the head capsule, usually a distinct sclerite between the epicranium and clypeus
, the carinaecarina:
an elevated ridge or keel, not necessarily high or acute
frequently forming a Y-shape. The larvae are legless and usually have the posterior part of the pronotumpronotum:
the upper and dorsal part of the prothorax
velvety pubescentpubescent:
downy; clothed with soft, short, fine, loosely set hair
.

Distribution

New World: North America

Old World: all

Recorded host plants

broadleaf; Pinaceae

Remarks

(Xylotrechus) 205 species; (Kostiniclytus) 6 spp.; (Ootora) 5 spp.; (Rusticoclytus) 6 spp.; (Xyloclytus) 4 spp.; (Turanoclytus) 5 spp. Conifer feeding: X. (Xylotrechus) sagittatus, X. (X.) cuneipennis, X. (X.) albonotatus, X. (X.) bowditchi, X. (X.) integer, X. (X.) lengi, X. (X.) undulatus, X. (X.) schaefferi (cone feeding), X. (Ootora) villioni, X. (Xyloclytus) altaicus.

Synonyms

Clytomorphus Hellrigl, 1974

Taxonomy

Subgenus Xylotrechus Chevrolat, 1860

Subgenus Kostiniclytus Danilevsky, 2009

Subgenus Ootora Niisato & Wakejima, 2008

Subgenus Rusticoclytus Vives, 1977

Subgenus Xyloclytus Reitter, 1912

Subgenus Turanoclytus Özdikmen, Bolu & Çelik, 2021

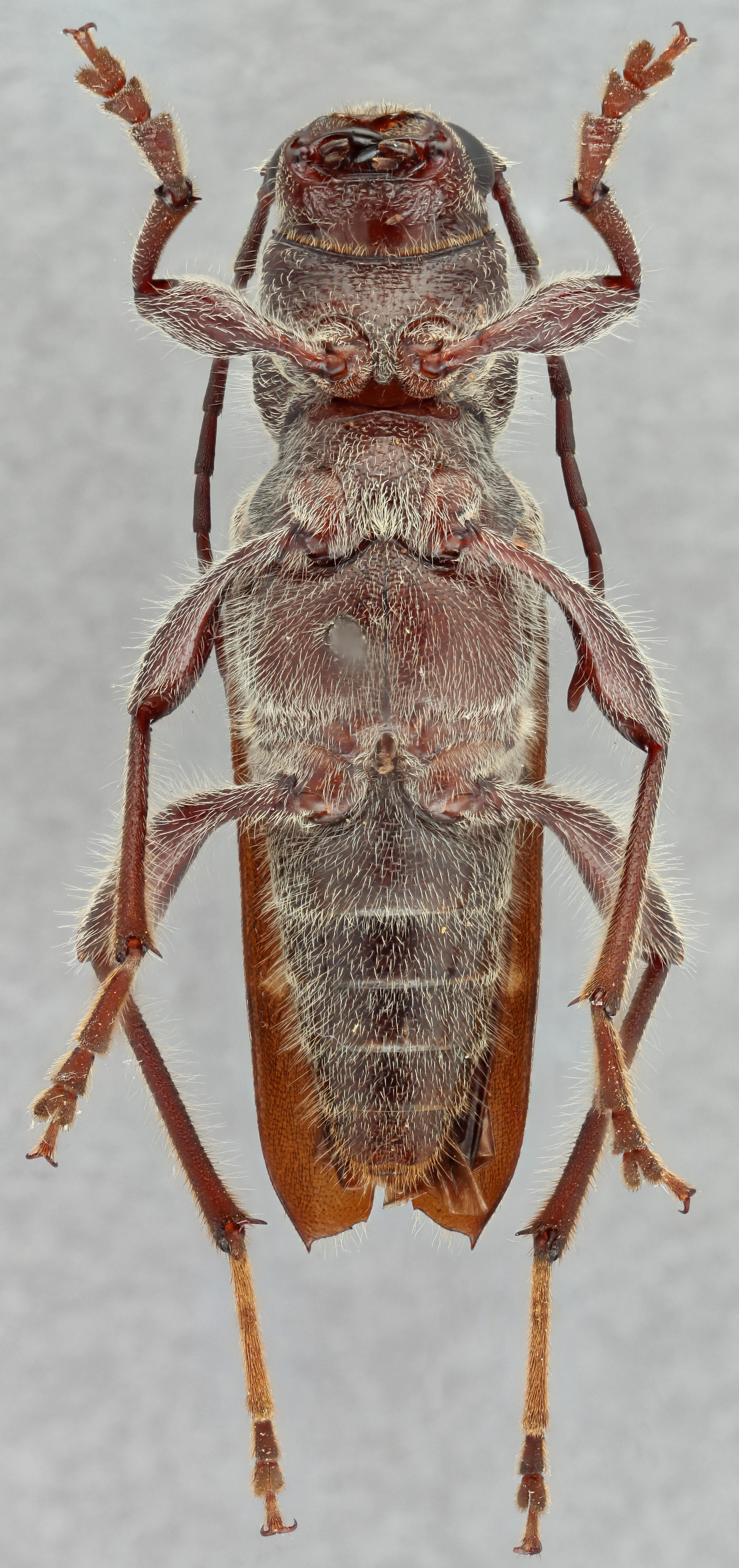
  Xylotrechus longitarsus nbsp;dorsal

Xylotrechus longitarsus dorsal

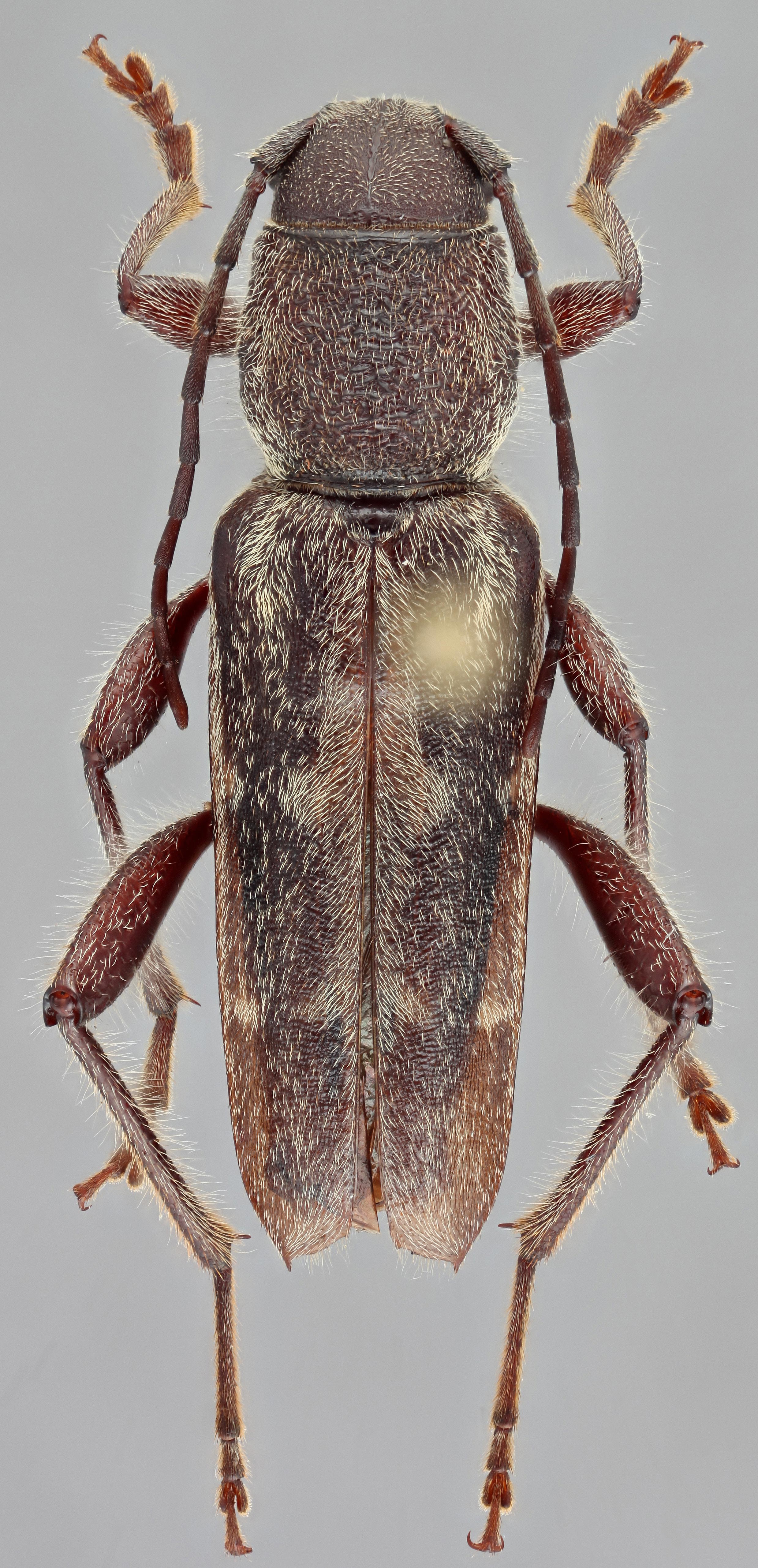
  Xylotrechus longitarsus nbsp;ventral

Xylotrechus longitarsus ventral

  Xylotrechus longitarsus nbsp;frontal

Xylotrechus longitarsus frontal

  Xylotrechus longitarsus nbsp;lateral

Xylotrechus longitarsus lateral

  Xylotrechus sagittatus sagittatusnbsp; dorsal

Xylotrechus sagittatus sagittatus dorsal

  Xylotrechus sagittatus sagittatus  ventral

Xylotrechus sagittatus sagittatus ventral

  Xylotrechus sagittatus sagittatusnbsp; frontal

Xylotrechus sagittatus sagittatus frontal

  Xylotrechus sagittatus sagittatus nbsp;lateral

Xylotrechus sagittatus sagittatus lateral

  Xylotrechus  ( Kostiniclytus )  zebratus  dorsal
Xylotrechus (Kostiniclytus) zebratus dorsal
  Xylotrechus  ( Kostiniclytus )  zebratus  ventral
Xylotrechus (Kostiniclytus) zebratus ventral
  Xylotrechus  ( Kostiniclytus )  zebratus  frontal
Xylotrechus (Kostiniclytus) zebratus frontal
  Xylotrechus  ( Kostiniclytus )  zebratus  lateral
Xylotrechus (Kostiniclytus) zebratus lateral
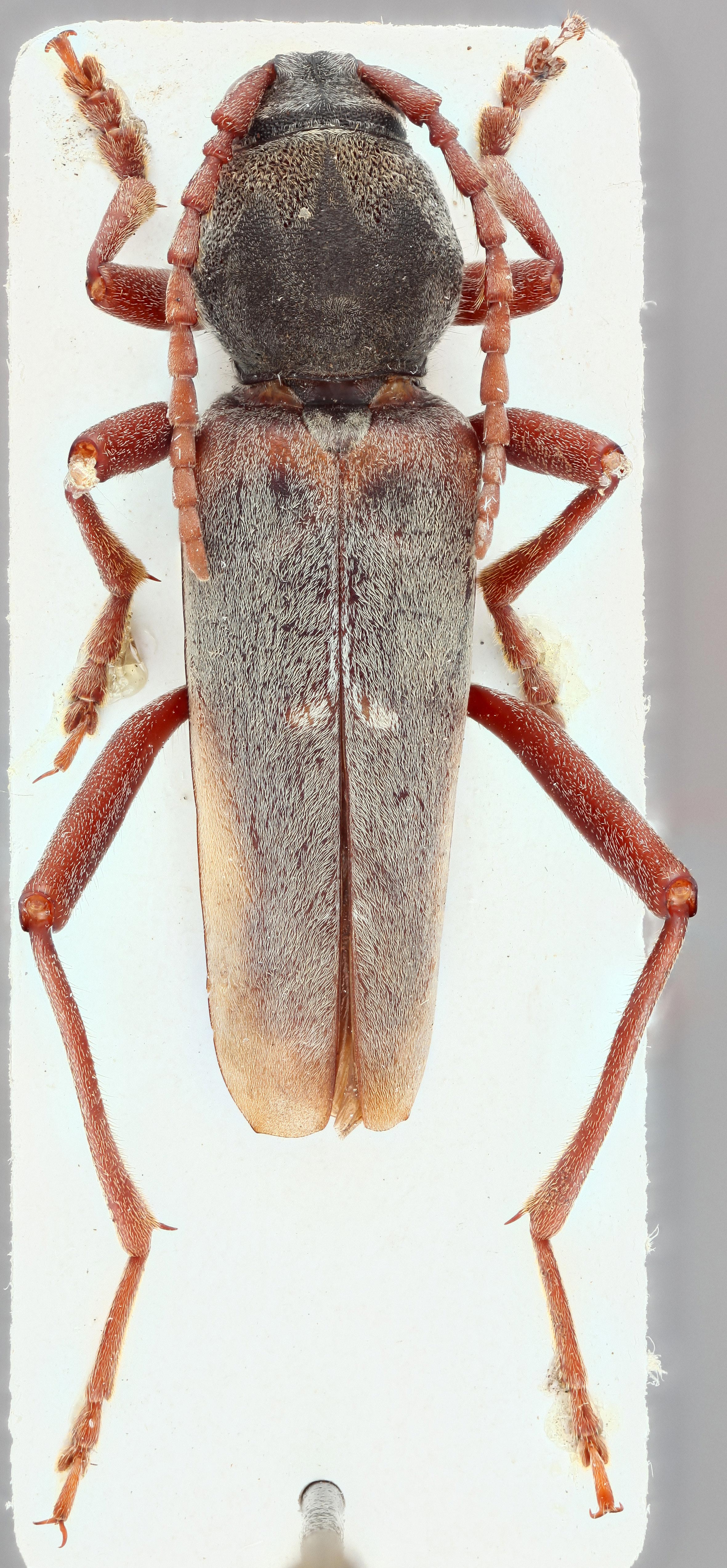
  Xylotrechus altaicus  dorsal

Xylotrechus altaicus dorsal

  Xylotrechus altaicusnbsp; frontal

Xylotrechus altaicus frontal

  Xylotrechus altaicusnbsp; lateral

Xylotrechus altaicus lateral

 EDRR6  Xylotrechus sagittatus  voucher
EDRR6 Xylotrechus sagittatus voucher