Sybra (Sybra)

Subfamily

Lamiinae

Diagnosis - adult

Body length: 3–12 mm. 
Eyes: eye interommatidial setaeseta:
a sclerotized hair-like projection of the cuticle
absent, eye deeply emarginateemarginate:
notched at the margin
> half width or divided—max one row of facets between, eye ommatidial density coarse. 
Antennaeantenna:
in larval and adult insects, paired segmented appendages, borne one on each side of the head, functioning as sense organs and bearing a large number of sensilla
: antennal length reaches between basebase:
the part of any appendage or structure that is nearest the body
and end of elytraelytron:
the leathery forewing of beetles, serving as a covering for the hind wings, commonly meeting opposite elytron in a straight line down the middle of the dorsum in repose
or reaching/surpassing end of body, antennal flagellar segments elongateelongate:
much longer than wide
, scapescape:
the first proximal segment of the antenna
smooth/punctate at apexapex:
end of any structure distad to the base
, antennal segment 3 > scapescape:
the first proximal segment of the antenna

Pronotumpronotum:
the upper and dorsal part of the prothorax
: pronotumpronotum:
the upper and dorsal part of the prothorax
shape transversetransverse:
broader than long
or subquadratesubquadrate:
 not quite a square
, pronotumpronotum:
the upper and dorsal part of the prothorax
lateral armature absent. 
Prosternum: prosternal processprosternal process:
a posterior extension of the prosternum between the coxae
dilated at apexapex:
end of any structure distad to the base
, procoxal cavities closed posteriorly. 
Elytraelytron:
the leathery forewing of beetles, serving as a covering for the hind wings, commonly meeting opposite elytron in a straight line down the middle of the dorsum in repose
: elytral length reaching or close to end of abdomen, elytral apicesapex:
end of any structure distad to the base
rounded or truncatetruncate:
cut off squarely at the tip
, emarginateemarginate:
notched at the margin
, or with tooth or spinespine:
a protuberance with an acute (sharp) distal end
, elytral color pattern present. 
Legs: visible tarsomerestarsomere:
subdivision or article of the tarsus, usually numbering from two to five
: 4, femora clavateclavate:
thickening gradually toward the tip
or robust, protibial spursprotibial spur:
sclerotized spine(s) located at the distal tibia; can be single, double, or absent
: 2, tarsal clawstarsal claw:
usually paired claws of the pretarsus, at the distal end of the leg
simple. 

Relatively small species (usually around 3 to 12 mm) of narrow, elongated shape. More or less densely hairy on the top and bottom, hair lying close, often arranged in lengthwise bands or more or less round blemishes on the top. Forehead square to trapezoidal, more or less strongly and roughly dotted. Eyes heavily edged, lower lobes larger than upper, roughly faceted, inner edges much closer than antennal tubercles. Scapescape:
the first proximal segment of the antenna
short and thick, weakly punctured, mostly shiny, scapus shorter than the 3rd or 4th segment, these two segments the longest, the others shorter, antennaeantenna:
in larval and adult insects, paired segmented appendages, borne one on each side of the head, functioning as sense organs and bearing a large number of sensilla
from about as long to about 1/4 longer than body, 2nd to 11th link fringed on the underside. Pronotum usually wider than long, narrower than the basebase:
the part of any appendage or structure that is nearest the body
of the elytraelytron:
the leathery forewing of beetles, serving as a covering for the hind wings, commonly meeting opposite elytron in a straight line down the middle of the dorsum in repose
, slightly rounded on the sides, without lateral humps or appendages, mostly covered with close-fitting hairs, with weak anterior and posterior transversetransverse:
broader than long
furrows. Elytraelytron:
the leathery forewing of beetles, serving as a covering for the hind wings, commonly meeting opposite elytron in a straight line down the middle of the dorsum in repose
with rows of dots, often somewhat confusedly dotted around the scutellumscutellum:
a small sclerite located directly posterior to the pronotum, bordered laterally by the elytra
, lateral elytraelytron:
the leathery forewing of beetles, serving as a covering for the hind wings, commonly meeting opposite elytron in a straight line down the middle of the dorsum in repose
sides parallel or narrowed backwards (usually only narrowed in the last third), apexapex:
end of any structure distad to the base
of various types: rounded, more or less obliquely truncated, drawn out or triangular pointed (this characteristic is not very suitable as a generic characteristic, since it also varies within a species). Humerihumerus:
shoulder; the basal exterior angle of the elytra
rounded, not very well-defined. Legs relatively short, hind femora mostly only up to the 3rd visible abdominal sternite, reaching up to the beginning of the 4th sternite at the most, femora clubbed in the middle, profemora strongest, middle tibiaetibia:
the leg segment distal to the femur, proximal to the tarsus
on the outside in the apical third with a strong bulge (including tribal feature of the Apomecynini), claws divergentdivergent:
spreading out from a common base
, tarsomeretarsomere:
subdivision or article of the tarsus, usually numbering from two to five
including claw relatively long, at least as long as 2nd + 3rd tarsomerestarsomere:
subdivision or article of the tarsus, usually numbering from two to five
together, usually longer, 3rd tarsomeretarsomere:
subdivision or article of the tarsus, usually numbering from two to five
split almost to the basebase:
the part of any appendage or structure that is nearest the body
. Pro and mesosternal processmesosternal process:
a prolongation of the mesosternum extending between the mesocoxae
lying between the coxae, flat, rounded, without special features. Anterior coxal cavities closed to the rear, middle coxal cavities closed to the epimera. 1st (visible) abdominal sternite at most as long as 2nd + 3rd sternite combined, but mostly shorter. Aedeagusaedeagus:
in male beetles, the penis
and tegmen are generally relatively uniform, species-specific structures are present in the endophallus (fibula, see below) (adapted from Weigel and Skale 2009Weigel and Skale 2009:
Weigel A and Skale A. 2009. Zur Systematik, Taxonomie und Faunistik der Apomecynini der Indomalayaischen und Australischen Region (Coleoptera: Cerambycidae: Lamiinae). Revision der Gattung Sybra Pascoe, 1865, Teil 1. Vernate 28: 421–450, 10 pls.
).

Similar genera

Ropica

Differential diagnosis

In Ropica the scapescape:
the first proximal segment of the antenna
is strongly punctured or granulategranulate:
minutely and densely verrucose or minutely farinose
and the entire elytraelytron:
the leathery forewing of beetles, serving as a covering for the hind wings, commonly meeting opposite elytron in a straight line down the middle of the dorsum in repose
have confused punctures.

Distribution

eastern Palearctic, Indomalaya, Afrotropical, Australasia

Recorded host plants

broadleaf; Pinus, Abies

Remarks

426 spp. + 12 more sspp. There are 8 additional subgenera not covered here. Conifers: S. (Sybra) basialbofasciata, S. (S.) flavomaculata.

Synonyms

Ropica Thomson, 1864Thomson, 1864:
Thomson J. 1864–65. Systema cerambycidarum ou exposé de tous les genres compris dans la famille des célrambycides et familles limitrophes. H. Dessain, Liége, 578 pp. [1864: pp. 1–352; 1865: 353–578; Also published in Mémoires de la Société Royale des Sciences de Liége 19 [1866]: 1–578].

Phaeapate Gemminger and Harold, 1873

Sybrinura Gahan, 1907

Cylindroplocia Heller, 1924

Epilystoides Breuning, 1939

Ropicomorpha Pic, 1944

Sybra (Cristosybra) Breuning, 1950Breuning, 1950:
Breuning S. 1950. Révision des "Morimopsini". In: Lepesme, P. (Ed.), Longicornia. Études et notes sur les longicornes. Volume I. Paul Lechevalier, Paris, pp. 161–262.

Paroopsis Dillon and Dillon, 1952

Euoopsis Dillon and Dillon, 1952

Microopsis Dillon and Dillon, 1952

Gracisybra Dillon and Dillon, 1952

Diasybra Breuning, 1959Breuning, 1959:
Breuning S. 1959. Révision des Acanthocini de l'Afrique noire (Troisième partie). Bulletin de l'Institut Français d'Afrique Noire, Dakar, 21, série A (2): 607–652, fig. 20.

Parahathlia (Parahathlia) Breuning, 1960

Parahathlia (Linohathlia) Breuning, 1960

Mimofalsoropica Breuning, 1975

Taxonomy

Sybra Pascoe, 1865

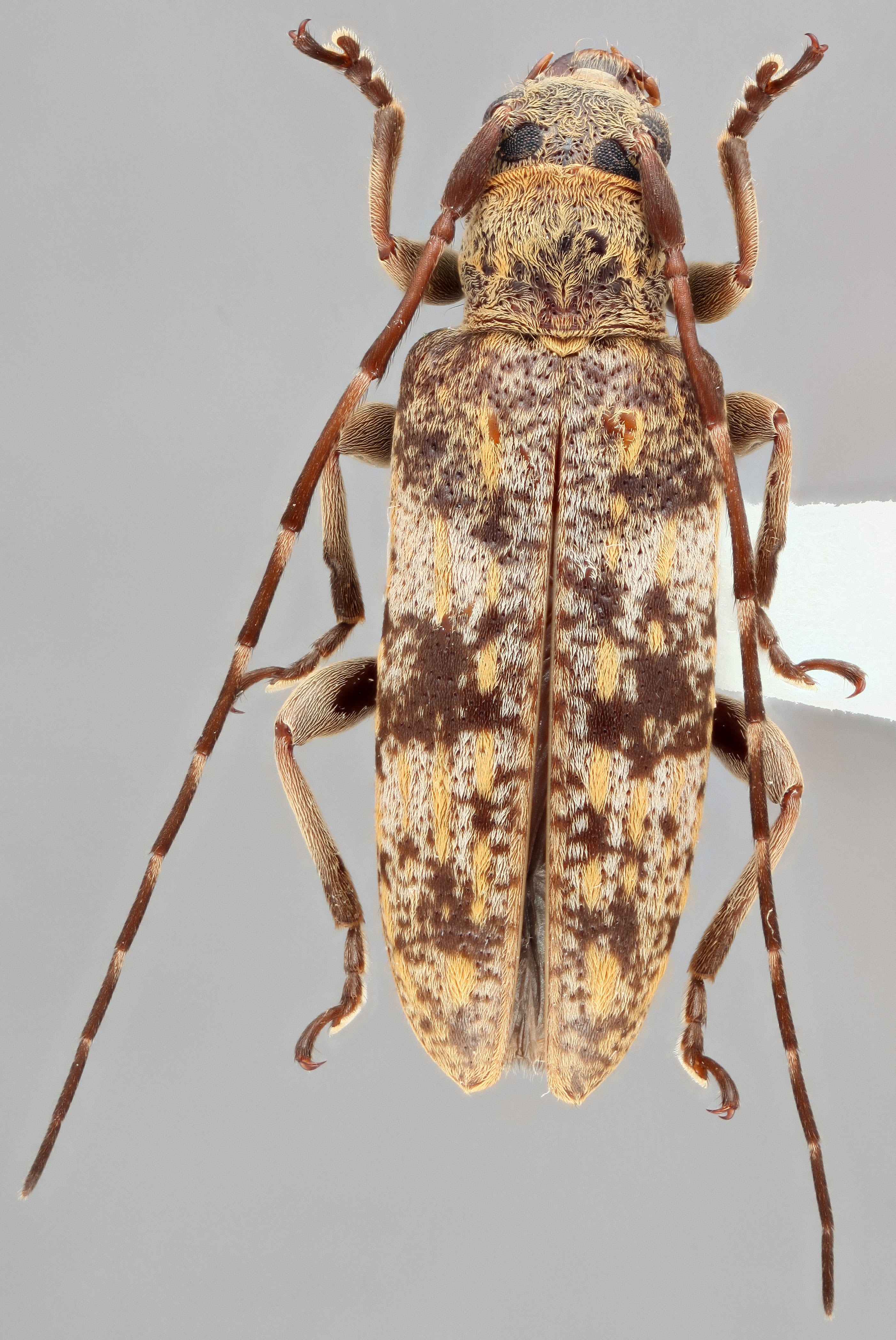
  Sybranbsp; ( S .)nbsp; flavomaculata  dorsal

Sybra (S.) flavomaculata dorsal

  Sybranbsp; ( S .)nbsp; flavomaculata nbsp;ventral

Sybra (S.) flavomaculata ventral

  Sybranbsp; ( S .)nbsp; flavomaculata nbsp;frontal

Sybra (S.) flavomaculata frontal

  Sybranbsp; ( S .)nbsp; flavomaculata nbsp;lateral

Sybra (S.) flavomaculata lateral