Stromatium

Subfamily

Cerambycinae

Diagnosis - adult

Body length: 15–32 mm. 
Eyes: eye interommatidial setaeseta:
a sclerotized hair-like projection of the cuticle
absent, eye deeply emarginateemarginate:
notched at the margin
> half width, eye ommatidial density coarse. 
Antennaeantenna:
in larval and adult insects, paired segmented appendages, borne one on each side of the head, functioning as sense organs and bearing a large number of sensilla
: antennal length reaches between basebase:
the part of any appendage or structure that is nearest the body
and end of elytraelytron:
the leathery forewing of beetles, serving as a covering for the hind wings, commonly meeting opposite elytron in a straight line down the middle of the dorsum in repose
or reaching/surpassing end of body, antennal flagellar segments elongateelongate:
much longer than wide
, scapescape:
the first proximal segment of the antenna
smooth/punctate at apexapex:
end of any structure distad to the base
, antennal segment 3 > scapescape:
the first proximal segment of the antenna

Pronotumpronotum:
the upper and dorsal part of the prothorax
: pronotumpronotum:
the upper and dorsal part of the prothorax
shape transversetransverse:
broader than long
or subquadratesubquadrate:
 not quite a square
, pronotumpronotum:
the upper and dorsal part of the prothorax
lateral armature absent. 
Prosternum: prosternal processprosternal process:
a posterior extension of the prosternum between the coxae
not dilated at apexapex:
end of any structure distad to the base
, procoxal cavities open posteriorly. 
Elytraelytron:
the leathery forewing of beetles, serving as a covering for the hind wings, commonly meeting opposite elytron in a straight line down the middle of the dorsum in repose
: elytral length reaching or close to end of abdomen, elytral apicesapex:
end of any structure distad to the base
emarginate or with tooth or spinespine:
a protuberance with an acute (sharp) distal end
, elytral color black, brown, reddish, or orange, elytral color pattern present or absent. 
Legs: visible tarsomerestarsomere:
subdivision or article of the tarsus, usually numbering from two to five
: 4, femora slender or robust, protibial spursprotibial spur:
sclerotized spine(s) located at the distal tibia; can be single, double, or absent
: 2, tarsal clawstarsal claw:
usually paired claws of the pretarsus, at the distal end of the leg
simple. 

Form elongateelongate:
much longer than wide
. Head with a transversetransverse:
broader than long
ridge between antennaeantenna:
in larval and adult insects, paired segmented appendages, borne one on each side of the head, functioning as sense organs and bearing a large number of sensilla
, ridge sharply spined or angulate at each end on inner side of antennal tubercles; antennaeantenna:
in larval and adult insects, paired segmented appendages, borne one on each side of the head, functioning as sense organs and bearing a large number of sensilla
distinctly longer than body in male, scarcely so in female. Pronotumpronotum:
the upper and dorsal part of the prothorax
wider than long or subquadratesubquadrate:
 not quite a square
, more or less strongly rounded on sides in female, each with a large tomentose depression in male; prosternum with coxae rounded, coxal cavities slightly angulate, intercoxal process gradually deflected and narrowed at apexapex:
end of any structure distad to the base
. Elytraelytron:
the leathery forewing of beetles, serving as a covering for the hind wings, commonly meeting opposite elytron in a straight line down the middle of the dorsum in repose
rounded at apexapex:
end of any structure distad to the base
. Legs moderate; femora not reaching apexapex:
end of any structure distad to the base
of elytraelytron:
the leathery forewing of beetles, serving as a covering for the hind wings, commonly meeting opposite elytron in a straight line down the middle of the dorsum in repose
; posterior tarsitarsus:
the leg segment distal to the apex of the tibia, bearing the pretarsus; consists of one to five tarsomeres (including pretarsus)
with first segment shorter than 2 following together (Linsley 1962Linsley 1962:
Linsley EG. 1962. The Cerambycidae of North America. Part III. Taxonomy and Classification of the Subfamily Cerambycinae, Tribes Opsimini Through Megaderini. University of California Publications in Entomology, Vol. 20. 188 pp.
).

Similar genera

Hesperophanes, Icosium, Trichoferus

Differential diagnosis

The dentate or spined antennal tubercles (inner side) and often armed elytral apicesapex:
end of any structure distad to the base
will distinguish Stromatium from similar genera.

Distribution

Neotropical (Chile). Endemic to Mediterranean region but spread by commerce worldwide; reported from North America but not definitely known to be established (Linsley 1962Linsley 1962:
Linsley EG. 1962. The Cerambycidae of North America. Part III. Taxonomy and Classification of the Subfamily Cerambycinae, Tribes Opsimini Through Megaderini. University of California Publications in Entomology, Vol. 20. 188 pp.
).

Recorded host plants

broadleaf; Cupressus, Cunninghamia, Cryptomeria; Pinus, Larix, Abies, Cedrus, Picea

Remarks

Six species. Conifers and broadleaf: S. auratum (Sama et al. 2010Sama et al. 2010:
Sama, G, Buse J, Orbach E, Friedman ALL, Rittner O and Chikatunov V. 2010. A new catalogue of the Cerambycidae (Coleoptera) of Israel with notes on their distribution and host plants. Munis Entomology & Zoology 5(1): 1–51
), S. barbatum. The larvae apparently develop in dead dry wood and sometimes attack and severely damage furniture. Their ability to live for extended periods of time has permitted their importation in lumber and furniture.

Synonyms

Solenophorus Mulsant, 1839

Taxonomy

Stromatium Audinet-Serville, 1834

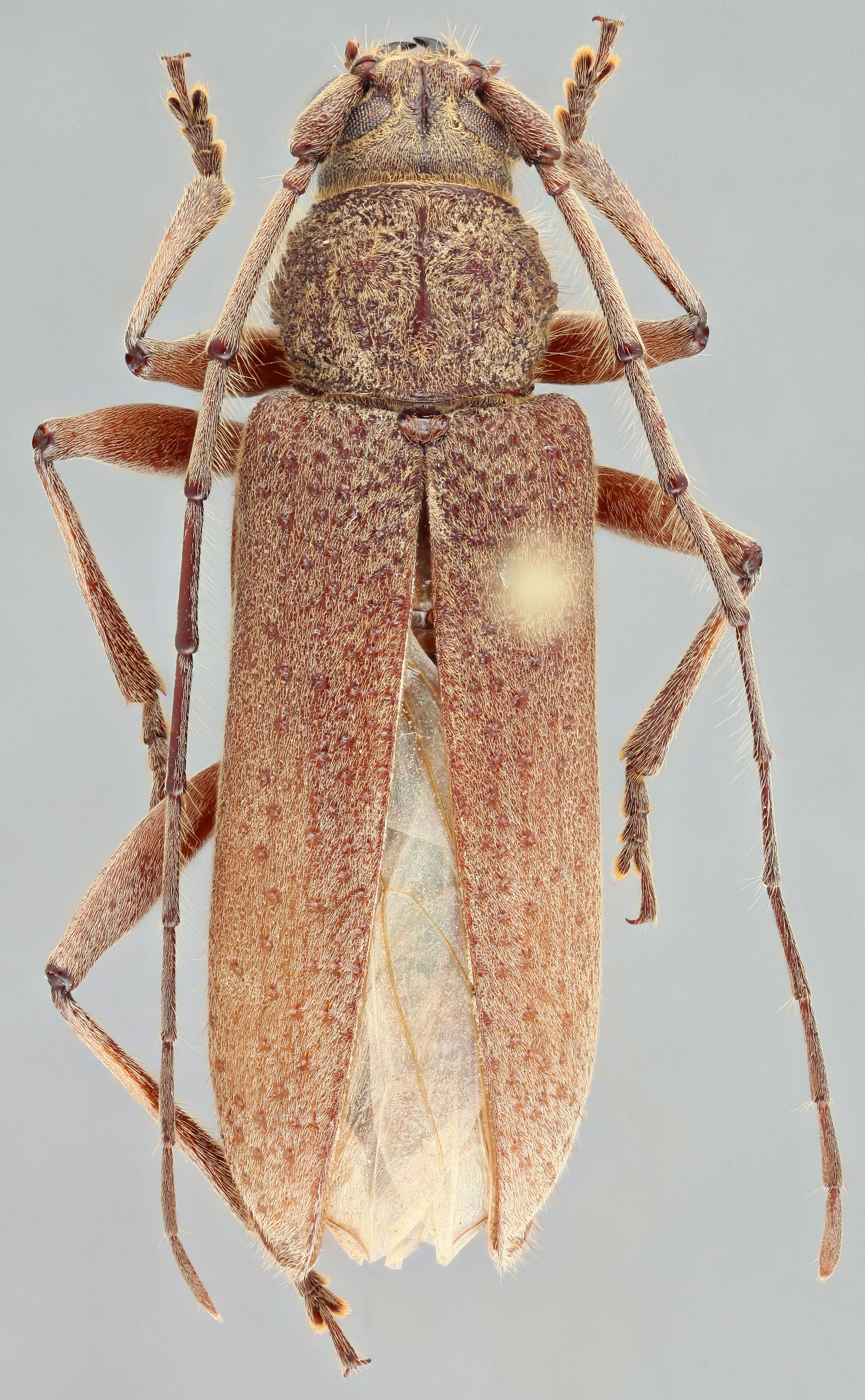
  Stromatium longicorne nbsp;dorsal

Stromatium longicorne dorsal

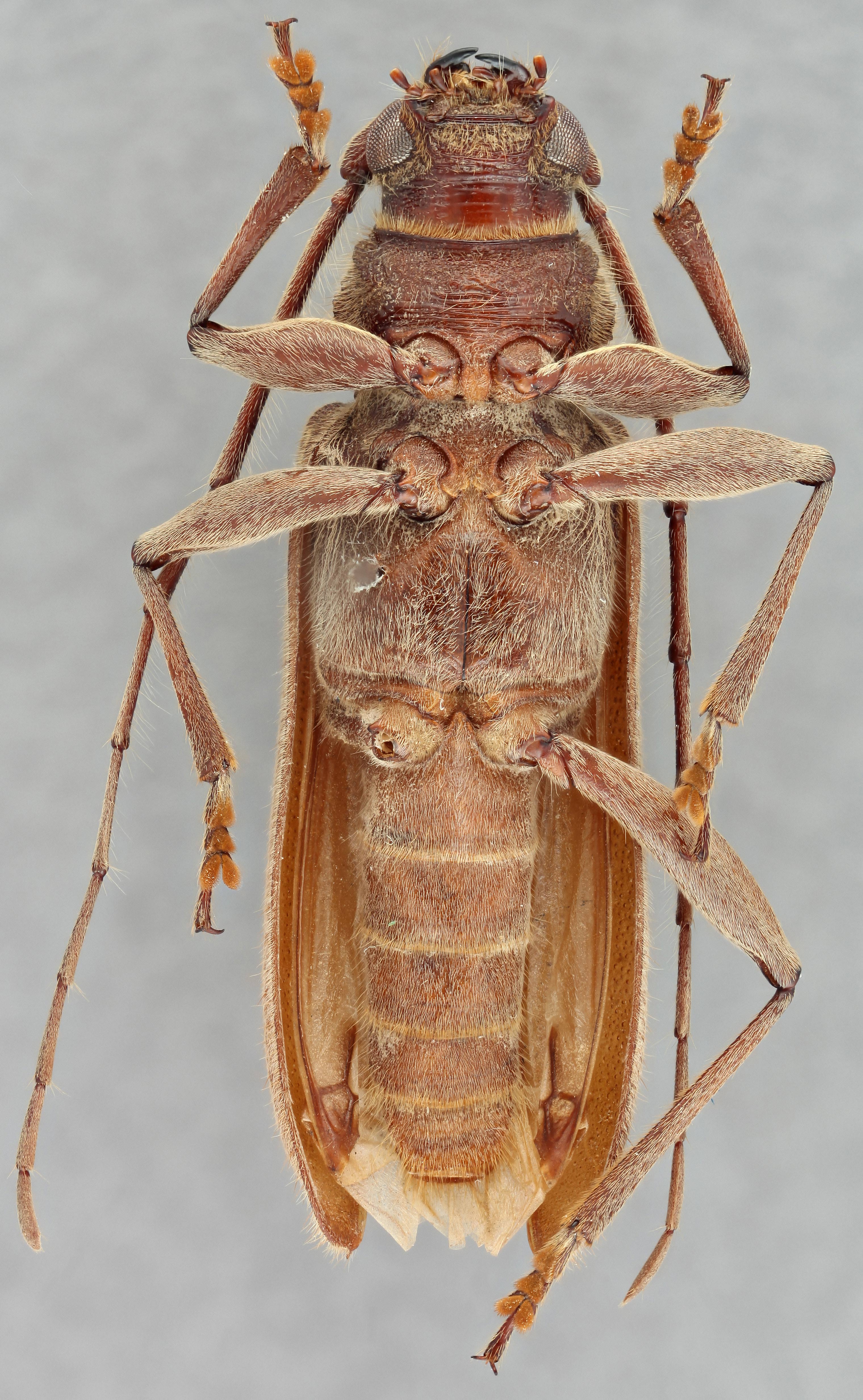
  Stromatium longicorne nbsp;ventral

Stromatium longicorne ventral

  Stromatium longicorne nbsp;frontal

Stromatium longicorne frontal

  Stromatium longicorne nbsp;lateral

Stromatium longicorne lateral