Saperda

Subfamily

Lamiinae

Diagnosis - adult

Body length: 7–19 mm. 
Eyes: eye interommatidial setaeseta:
a sclerotized hair-like projection of the cuticle
absent, eye deeply emarginateemarginate:
notched at the margin
> half width, eye ommatidial density fine. 
Antennaeantenna:
in larval and adult insects, paired segmented appendages, borne one on each side of the head, functioning as sense organs and bearing a large number of sensilla
: antennal length reaches between basebase:
the part of any appendage or structure that is nearest the body
and end of elytraelytron:
the leathery forewing of beetles, serving as a covering for the hind wings, commonly meeting opposite elytron in a straight line down the middle of the dorsum in repose
or reaching/surpassing end of body, antennal flagellar segments elongateelongate:
much longer than wide
, scapescape:
the first proximal segment of the antenna
smooth/punctate at apexapex:
end of any structure distad to the base
, antennal segment 3 > scapescape:
the first proximal segment of the antenna

Pronotumpronotum:
the upper and dorsal part of the prothorax
: pronotumpronotum:
the upper and dorsal part of the prothorax
shape transversetransverse:
broader than long
, pronotumpronotum:
the upper and dorsal part of the prothorax
lateral armature absent. 
Prosternum: prosternal processprosternal process:
a posterior extension of the prosternum between the coxae
dilated at apexapex:
end of any structure distad to the base
, procoxal cavities closed posteriorly, rarely open posteriorly. 
Elytraelytron:
the leathery forewing of beetles, serving as a covering for the hind wings, commonly meeting opposite elytron in a straight line down the middle of the dorsum in repose
: elytral length reaching or close to end of abdomen, elytral apicesapex:
end of any structure distad to the base
rounded or truncatetruncate:
cut off squarely at the tip
or with tooth or spinespine:
a protuberance with an acute (sharp) distal end
, elytral color black, elytral color pattern present or absent. 
Legs: visible tarsomerestarsomere:
subdivision or article of the tarsus, usually numbering from two to five
: 4, femora slender, protibial spursprotibial spur:
sclerotized spine(s) located at the distal tibia; can be single, double, or absent
: 2, tarsal clawstarsal claw:
usually paired claws of the pretarsus, at the distal end of the leg
simple.

Form small to large, subparallel to slightly tapering. Head with front convex to plane, usually broader than long; eyes deeply emarginateemarginate:
notched at the margin
, upper lobes small; genaegena:
the part of the cranium on each side below the eye
shorter than lower eye lobes; antennaeantenna:
in larval and adult insects, paired segmented appendages, borne one on each side of the head, functioning as sense organs and bearing a large number of sensilla
slender, about as long as body in males, shorter in females, basal segments sparsely fringed with fairly short, suberect hairs, scapescape:
the first proximal segment of the antenna
slender, cylindricalcylindrical:
shaped like a cylinder, parallel sided
, third segment longer than first, fourth subequal to or slightly longer than first. Pronotumpronotum:
the upper and dorsal part of the prothorax
usually broader than long, sides rounded; prosternum narrow, intercoxal process narrow, expanded apically, coxal cavities usually closed behind; mesosternummesosternum:
sternum of the mesothorax
with coxal cavities open to epimeronepimeron:
the posterior division of a thoracic pleuron, marked anteriorly by the pleural suture
; metasternum with episternumepisternum:
the aspect of a thoracic pleuron dorsal to the coxal cavity and anterior to the pleural suture
broad, tapering posteriorly. Legs moderately long; tarsitarsus:
the leg segment distal to the apex of the tibia, bearing the pretarsus; consists of one to five tarsomeres (including pretarsus)
short, claws divaricatedivaricate:
forked or divided into two branches
, usually with a process on anterior and/or middle pair in males. Abdomen normally segmented (Linsley and Chemsak 1995Linsley and Chemsak 1995:
Linsley EG and Chemsak JA. 1995. The Cerambycidae of North America. Part VII, No. 2. Taxonomy and Classification of the Subfamily Lamiinae, Tribes Acanthocinini Through Hemilophini. University of California Press, Berkeley and Los Angeles. 292 pp.
).

Similar genera

Eutetrapha, Hebestola, Eupogonius, Mecas

Differential diagnosis

From other lamiines Saperda can be distinguished by the simple tarsal clawstarsal claw:
usually paired claws of the pretarsus, at the distal end of the leg
, lack of spines on the pronotumpronotum:
the upper and dorsal part of the prothorax
, and thin antennaeantenna:
in larval and adult insects, paired segmented appendages, borne one on each side of the head, functioning as sense organs and bearing a large number of sensilla
. Within the Saperdini, the genus is diagnosable by the broad elytral basebase:
the part of any appendage or structure that is nearest the body
, simple claws, third antennomereantennomere:
a subunit of the antenna, including the scape, pedicel, and flagellomeres
longer than scapescape:
the first proximal segment of the antenna
, and a weak/absent humeral ridge on the elytronelytron:
the leathery forewing of beetles, serving as a covering for the hind wings, commonly meeting opposite elytron in a straight line down the middle of the dorsum in repose
.

Distribution

Palearctic

Recorded host plants

Old World: broadleaf, Abies, Larix, Picea, Pinus, Tsuga

New World: broadleaf only

Remarks

24 spp (Saperda), 9 spp. (Compsidia), 16 spp (Lopezcolonia). Conifers: S. (Lopezcolonia) scalaris, S. (Lopezcolonia) interrupta. Divaricatedivaricate:
forked or divided into two branches
claws and broad metepisternummetepisternum:
the episternal portion of the pleuron on the posterior thoracic segment
.

Synonyms

Anaerea Mulsant, 1839

Amilia Mulsant, 1862

Saperda (Argalia) Mulsant, 1862 [for Lopezcolonia]

Nietzscheana, Zubov, 2014 [for Lopezcolonia]

Taxonomy

Subgenus Saperda Fabricius, 1775

Subgenus Lopezcolonia Alonso-Zarazaga, 1998

Subgenus Compsidia Mulsant, 1839

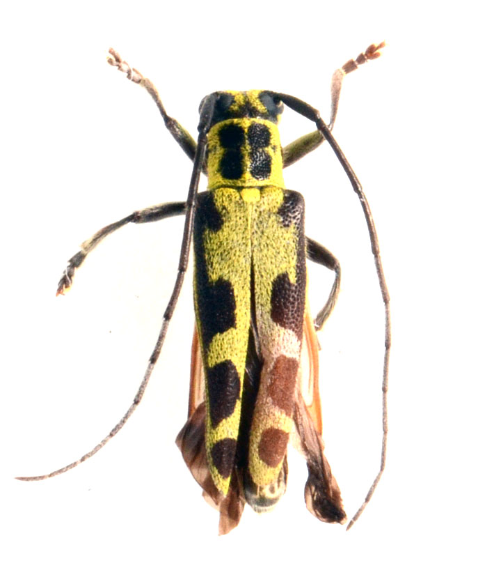
  Saperda  ( Lopezcolonia )  interrupta  dorsal

Saperda (Lopezcolonia) interrupta dorsal

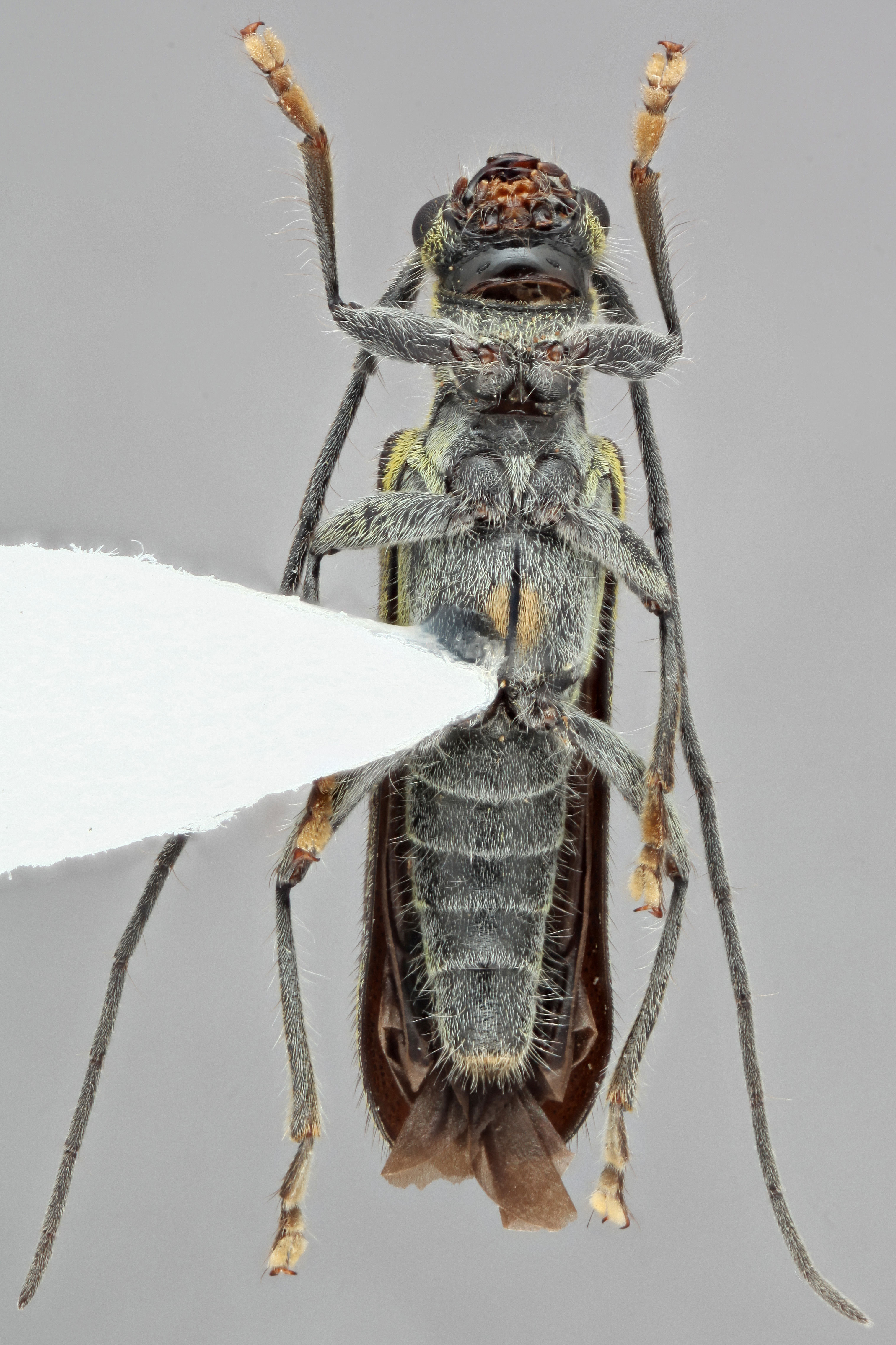
  Saperda  ( Lopezcolonia )  interrupta  ventral
Saperda (Lopezcolonia) interrupta ventral
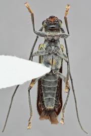
  Saperda  ( Lopezcolonia )  interrupta  frontal
Saperda (Lopezcolonia) interrupta frontal
  Saperda  ( Lopezcolonia )  interrupta  lateral
Saperda (Lopezcolonia) interrupta lateral
 PSG000970nbsp; Saperda interrupta  voucher
PSG000970 Saperda interrupta voucher