Pronocera

Subfamily

Cerambycinae

Diagnosis - adult

Body length: 8.5–14 mm. 
Eyes: eye interommatidial setaeseta:
a sclerotized hair-like projection of the cuticle
absent, eye entire/shallowly emarginateemarginate:
notched at the margin
or deeply emarginateemarginate:
notched at the margin
> half width, eye ommatidial density fine. 
Antennaeantenna:
in larval and adult insects, paired segmented appendages, borne one on each side of the head, functioning as sense organs and bearing a large number of sensilla
: antennal length reaches between basebase:
the part of any appendage or structure that is nearest the body
and end of elytraelytron:
the leathery forewing of beetles, serving as a covering for the hind wings, commonly meeting opposite elytron in a straight line down the middle of the dorsum in repose
or reaching/surpassing end of body, antennal flagellar segments elongateelongate:
much longer than wide
, scapescape:
the first proximal segment of the antenna
smooth/punctate at apexapex:
end of any structure distad to the base
, antennal segment 3 > scapescape:
the first proximal segment of the antenna

Pronotumpronotum:
the upper and dorsal part of the prothorax
: pronotumpronotum:
the upper and dorsal part of the prothorax
shape transversetransverse:
broader than long
, pronotumpronotum:
the upper and dorsal part of the prothorax
lateral armature absent or blunt tubercule. 
Prosternum: prosternal processprosternal process:
a posterior extension of the prosternum between the coxae
not dilated at apexapex:
end of any structure distad to the base
, procoxal cavities open posteriorly. 
Elytraelytron:
the leathery forewing of beetles, serving as a covering for the hind wings, commonly meeting opposite elytron in a straight line down the middle of the dorsum in repose
: elytral length reaching or close to end of abdomen, elytral apicesapex:
end of any structure distad to the base
rounded or truncatetruncate:
cut off squarely at the tip
, elytral color black or metallic, elytral color pattern absent. 
Legs: visible tarsomerestarsomere:
subdivision or article of the tarsus, usually numbering from two to five
: 4, femora slender, rarely clavateclavate:
thickening gradually toward the tip
, protibial spursprotibial spur:
sclerotized spine(s) located at the distal tibia; can be single, double, or absent
: 2, tarsal clawstarsal claw:
usually paired claws of the pretarsus, at the distal end of the leg
simple. 

Form elongateelongate:
much longer than wide
, slender, somewhat flattened. Eyes feebly embracing antennal insertions; antennaeantenna:
in larval and adult insects, paired segmented appendages, borne one on each side of the head, functioning as sense organs and bearing a large number of sensilla
narrow, third segment distinctly longer than fourth, last segment of male appendiculateappendiculate:
bearing appendages
or divided, of female normal. Pronotumpronotum:
the upper and dorsal part of the prothorax
wider than long, sides rounded or obtusely angulate at middle, constricted at basebase:
the part of any appendage or structure that is nearest the body
; intercoxal process of presternum short, narrow, pointed behind; mesosternal processmesosternal process:
a prolongation of the mesosternum extending between the mesocoxae
large, narrowing and obtusely rounded behind. Femora slender; first segment of posterior tarsitarsus:
the leg segment distal to the apex of the tibia, bearing the pretarsus; consists of one to five tarsomeres (including pretarsus)
slender, more than twice as long as broad (Linsley 1964Linsley 1964:
Linsley EG. 1964. The Cerambycidae of North America. Part V. Taxonomy and Classification of the Subfamily Cerambycinae, Tribes Callichromini Through Ancylocerini. University of California Publications in Entomology, Vol. 22. 197 pp.
).

Similar genera

Batyle, Turanium

Differential diagnosis

Batyle is superficially similar to Pronocera, but the elytraelytron:
the leathery forewing of beetles, serving as a covering for the hind wings, commonly meeting opposite elytron in a straight line down the middle of the dorsum in repose
are dense with erect setaeseta:
a sclerotized hair-like projection of the cuticle
and the procoxal cavities are angulate externally. Turanium has a bald groove under tarsomerestarsomere:
subdivision or article of the tarsus, usually numbering from two to five
1–3 while Pronocera is completely setosesetose:
furnished or covered with setae or stiff hairs
.

Distribution

Holarctic conifer forests

Recorded host plants

New World: Picea spp., Pinus spp.

Old World: Abies, Larix, Pinus, Picea

Remarks

Three species. The genus Pronocera is found in areas with conifer forest in the Holarctic and all species feed on conifers.

Synonyms

Pronocerus Motschulsky, 1875

Phymatodes (Pseudophymatodes) Pic, 1901

Protocallidium Csiki, 1904

Phymatodes (Potocallidium) Reitter, 1912

Gonocallus LeConte, 1873

Taxonomy

Pronocera Motschulsky, 1859

  Pronocera collaris collaris  dorsal
Pronocera collaris collaris dorsal
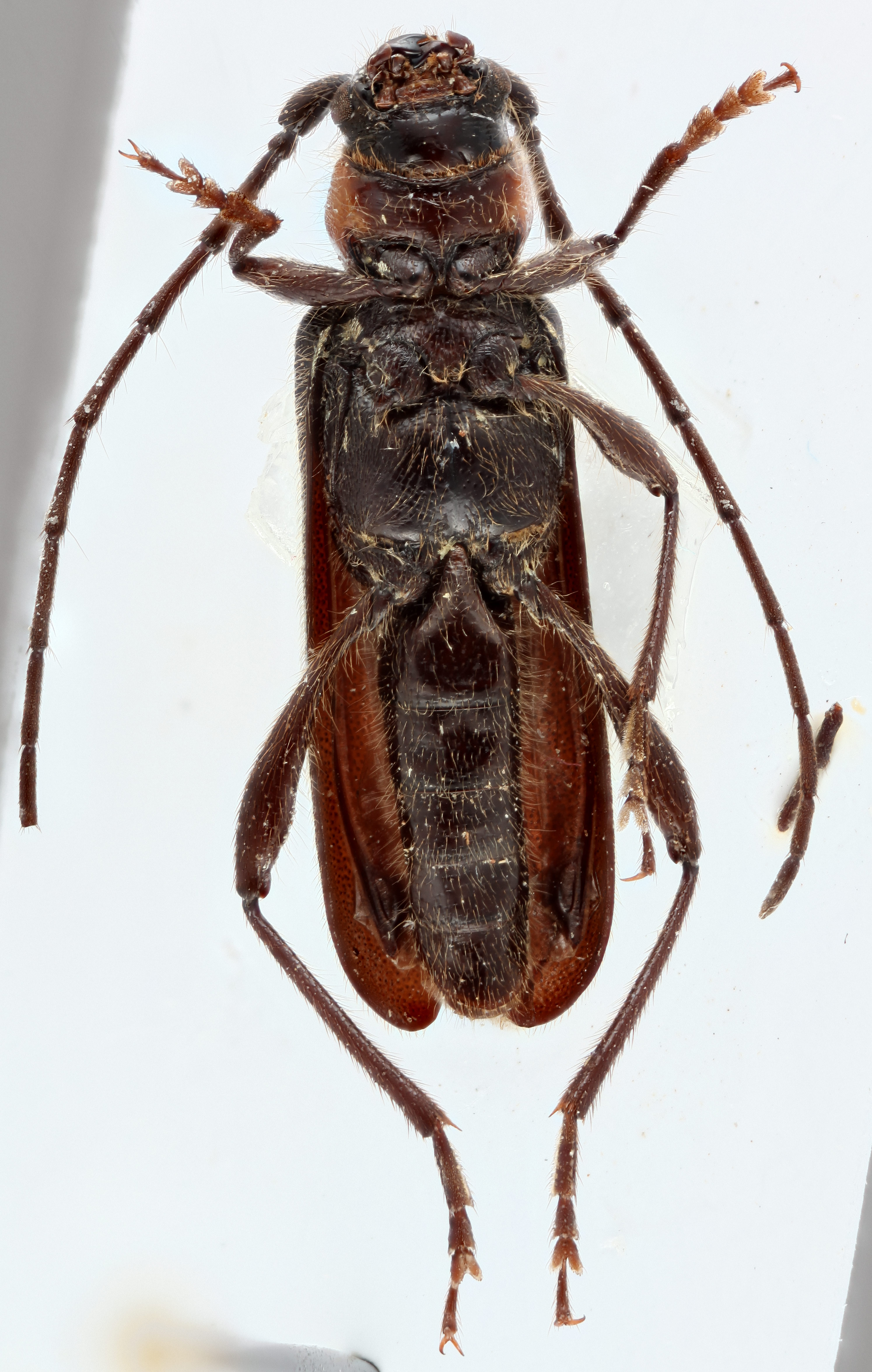
  Pronocera collaris collaris  ventral

Pronocera collaris collaris ventral

  Pronocera collaris collarisnbsp; frontal

Pronocera collaris collaris frontal

  Pronocera collaris collarisnbsp; lateral

Pronocera collaris collaris lateral

  Pronocera angusta  dorsal
Pronocera angusta dorsal
  Pronocera angusta  ventral

Pronocera angusta ventral

  Pronocera angusta  frontal

Pronocera angusta frontal

  Pronocera angusta  lateral

Pronocera angusta lateral