Proatimia

Subfamily

Spondylidinae

Diagnosis - adult

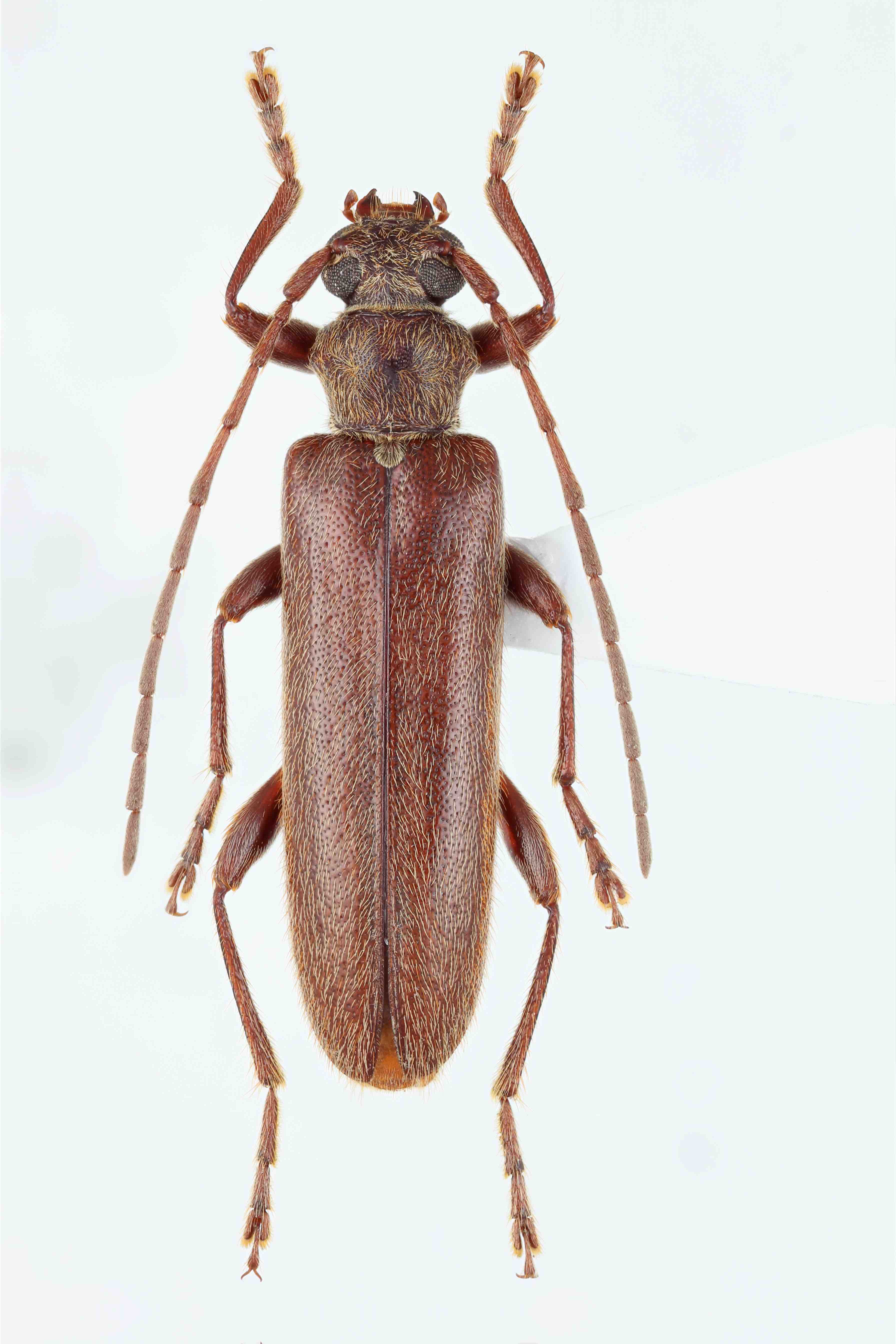
Body length: 12.5–13 mm. 
Eyes: eye interommatidial setaeseta:
a sclerotized hair-like projection of the cuticle
absent, eye deeply emarginateemarginate:
notched at the margin
> half width, eye ommatidial density coarse. 
Antennaeantenna:
in larval and adult insects, paired segmented appendages, borne one on each side of the head, functioning as sense organs and bearing a large number of sensilla
: antennal length reaches between basebase:
the part of any appendage or structure that is nearest the body
and end of elytraelytron:
the leathery forewing of beetles, serving as a covering for the hind wings, commonly meeting opposite elytron in a straight line down the middle of the dorsum in repose
, antennal flagellar segments elongateelongate:
much longer than wide
, scapescape:
the first proximal segment of the antenna
smooth/punctate at apexapex:
end of any structure distad to the base
, antennal scapescape:
the first proximal segment of the antenna
≥ segment 3. 
Pronotumpronotum:
the upper and dorsal part of the prothorax
: pronotumpronotum:
the upper and dorsal part of the prothorax
shape transversetransverse:
broader than long
or subquadratesubquadrate:
 not quite a square
, pronotumpronotum:
the upper and dorsal part of the prothorax
lateral armature absent. 
Prosternum: prosternal processprosternal process:
a posterior extension of the prosternum between the coxae
dilated at apexapex:
end of any structure distad to the base
, procoxal cavities closed posteriorly. 
Elytraelytron:
the leathery forewing of beetles, serving as a covering for the hind wings, commonly meeting opposite elytron in a straight line down the middle of the dorsum in repose
: elytral length reaching or close to end of abdomen, elytral apicesapex:
end of any structure distad to the base
rounded or truncatetruncate:
cut off squarely at the tip
, elytral color brown or reddish, elytral color pattern absent. 
Legs: visible tarsomerestarsomere:
subdivision or article of the tarsus, usually numbering from two to five
: 4, femora slender, protibial spursprotibial spur:
sclerotized spine(s) located at the distal tibia; can be single, double, or absent
: 1, tarsal clawstarsal claw:
usually paired claws of the pretarsus, at the distal end of the leg
simple.

Body depressed, parallel. Head transversetransverse:
broader than long
, level between antennal insertions which are distant, depressed and ensconced in the deeply emarginateemarginate:
notched at the margin
, large, coarsely facetted eyes; genaegena:
the part of the cranium on each side below the eye
extremely narrow. Antennaeantenna:
in larval and adult insects, paired segmented appendages, borne one on each side of the head, functioning as sense organs and bearing a large number of sensilla
with fifth segment distinctly longer than each of the proceding; fourth longer than third. Prothorax depressed, expanded at sides between middle and apexapex:
end of any structure distad to the base
. Anterior coxal cavities closed posteriorly, angulate externally; prosternal intercoxal process moderately wide, depressed, broadened apically; middle coxal cavities closed externally; mesosternal intercoxal process broad, flat. Abdomen with segments successively decreasing markedly in length, first segment nearly one-half as long as remaining combined (Gressitt 1951Gressitt 1951:
Gressitt JL. 1951. Longicorn beetles of China. Longicornia, Paris 2: 1–667, 22 pls.
).

Similar genera

Paratimia, Trichoferus

Differential diagnosis

Differs from Paratimia in having the body more flattened, particularly the head and prothorax, and with larger, more coarsely faceted eyes, the prothorax more expanded anteriorly, the elytraelytron:
the leathery forewing of beetles, serving as a covering for the hind wings, commonly meeting opposite elytron in a straight line down the middle of the dorsum in repose
broader and with straighter margins.

Distribution

Palearctic: Yunnan Prov. China

Recorded host plants

Pinus yunnanensis

Remarks

Monotypic. Very rarely collected.

Taxonomy

Proatimia Gressitt, 1951Gressitt, 1951:
Gressitt JL. 1951. Longicorn beetles of China. Longicornia, Paris 2: 1–667, 22 pls.

  Proatimia pinivora nbsp;dorsal 

 (c) Bi Wen-Xuan

Proatimia pinivora dorsal

(c) Bi Wen-Xuan

  Proatimia pinivora nbsp;ventral 

 (c) Bi Wen-Xuan

Proatimia pinivora ventral

(c) Bi Wen-Xuan