Pogonocherus

Subfamily

Lamiinae

Diagnosis - adult

Body length: 4.5–10 mm. 
Eyes: eye interommatidial setaeseta:
a sclerotized hair-like projection of the cuticle
absent, eye deeply emarginateemarginate:
notched at the margin
> half width, eye ommatidial density coarse. 
Antennaeantenna:
in larval and adult insects, paired segmented appendages, borne one on each side of the head, functioning as sense organs and bearing a large number of sensilla
: antennal length reaching/surpassing end of body, antennal flagellar segments elongateelongate:
much longer than wide
, scapescape:
the first proximal segment of the antenna
smooth/punctate at apexapex:
end of any structure distad to the base
, antennal segment 3 > scapescape:
the first proximal segment of the antenna

Pronotumpronotum:
the upper and dorsal part of the prothorax
: pronotumpronotum:
the upper and dorsal part of the prothorax
shape transversetransverse:
broader than long
, pronotumpronotum:
the upper and dorsal part of the prothorax
lateral armature acute spinespine:
a protuberance with an acute (sharp) distal end

Prosternum: prosternal processprosternal process:
a posterior extension of the prosternum between the coxae
dilated at apexapex:
end of any structure distad to the base
, procoxal cavities closed posteriorly. 
Elytraelytron:
the leathery forewing of beetles, serving as a covering for the hind wings, commonly meeting opposite elytron in a straight line down the middle of the dorsum in repose
: elytral length reaching or close to end of abdomen, elytral apicesapex:
end of any structure distad to the base
rounded or truncatetruncate:
cut off squarely at the tip
or emarginateemarginate:
notched at the margin
, elytral color pattern present. 
Legs: visible tarsomerestarsomere:
subdivision or article of the tarsus, usually numbering from two to five
: 4, femora clavateclavate:
thickening gradually toward the tip
, protibial spursprotibial spur:
sclerotized spine(s) located at the distal tibia; can be single, double, or absent
: 2, tarsal clawstarsal claw:
usually paired claws of the pretarsus, at the distal end of the leg
simple.

Body robust, subcylindrical, clothed with a short recumbent pubescence intermixed with long flying hairs. Head large, strongly concave between the antennal insertions; antennaeantenna:
in larval and adult insects, paired segmented appendages, borne one on each side of the head, functioning as sense organs and bearing a large number of sensilla
longer than the body in both sexes, usually annulated, clothed along the inner side with long flying hairs, scapescape:
the first proximal segment of the antenna
stout, clavateclavate:
thickening gradually toward the tip
, shorter than third segment, fourth segment longer than third, incurved. Pronotumpronotum:
the upper and dorsal part of the prothorax
wider than long, armed on each side with a short rather acute lateral tubercletubercle:
a small knoblike or rounded protuberance
, discal tubercles small or obsolete; anterior coxal cavities angulated, intermediate coxal cavities closed externally. Elytraelytron:
the leathery forewing of beetles, serving as a covering for the hind wings, commonly meeting opposite elytron in a straight line down the middle of the dorsum in repose
short, with or without costae, often with tufts of short erect hairs; apicesapex:
end of any structure distad to the base
variable. Legs short; femora clavateclavate:
thickening gradually toward the tip
; intermediate tibiaetibia:
the leg segment distal to the femur, proximal to the tarsus
with an external sinus (Linsley and Chemsak 1984Linsley and Chemsak 1984:
Linsley EG and Chemsak JA. 1984. The Cerambycidae of North America. Part VII, No. 1. Taxonomy and Classification of the Subfamily Lamiinae, Tribes Parmenini Through Acanthoderini. University of California Press, Berkeley and Los Angeles. 258 pp.
).

Similar genera

Eupogonius, Poliaenus, Lophopogonius, Miccolamia (Isomiccolamia), Miccolamia (Miccolamia)

Differential diagnosis

The stout scapescape:
the first proximal segment of the antenna
, incurved fourth antennal segment longer than third, and shorter erect body/antennal setaeseta:
a sclerotized hair-like projection of the cuticle
will differentiate from Poliaenus. Lophopogonius differs in having a large crest near the elytral basebase:
the part of any appendage or structure that is nearest the body
and blunted lateral pronotal tubercles. Miccolamia is very small, has rounded elytral apicesapex:
end of any structure distad to the base
, and has a clavateclavate:
thickening gradually toward the tip
, inflated scapescape:
the first proximal segment of the antenna
.

Distribution

Holarctic

Recorded host plants

Old World: broadleaf trees/shrubs; Pinus, Picea, Abies, Cedrus, Larix, Pseudotsuga; Juniperus

New World: Pinus, Picea, Larix

Remarks

33 species. Conifer feeding: P. arizonicus, P. mixtus, P. parvulus, P. penicillatus, P. pictus, P. propinquus, P. fasciculatus, P. decoratus, P. anatolicus, P. perroudi, P. caroli, P. eugeniae, P. neuhausi, P. plasoni, P. barbarae, P. cedri, P. ehdenensis, P. hispidulus, P. inermicollis, P. marcoi, P. ovatus, P. sturanii, P. zubovi

Synonyms

Strophinus, Gistel, 1856

Pogonocherus (Pityphilus), Mulsant, 1862

Pogonocherus (Eupogonocherus), Linsley, 1935

Taxonomy

Pogonocherus, Dejean, 1821

  Pogonocherus mixtus  dorsal

Pogonocherus mixtus dorsal

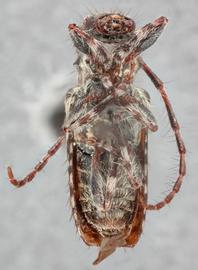
  Pogonocherus mixtus  ventral

Pogonocherus mixtus ventral

  Pogonocherus mixtus  frontal

Pogonocherus mixtus frontal

  Pogonocherus mixtusnbsp; lateral

Pogonocherus mixtus lateral

  Pogonocherus f. fasciculatus  dorsal

Pogonocherus f. fasciculatus dorsal

  Pogonocherus f. fasciculatusnbsp; ventral

Pogonocherus f. fasciculatus ventral

  Pogonocherus f. fasciculatusnbsp; frontal

Pogonocherus f. fasciculatus frontal

  Pogonocherus f. fasciculatusnbsp; lateral

Pogonocherus f. fasciculatus lateral

 EDRR15a  Pogonocherus mixtus  voucher
EDRR15a Pogonocherus mixtus voucher