Phoracantha

Subfamily

Cerambycinae

Diagnosis - adult

Body length: 14–45.5 mm. 
Eyes: eye interommatidial setaeseta:
a sclerotized hair-like projection of the cuticle
present, eye deeply emarginateemarginate:
notched at the margin
> half width, eye ommatidial density coarse. 
Antennaeantenna:
in larval and adult insects, paired segmented appendages, borne one on each side of the head, functioning as sense organs and bearing a large number of sensilla
: antennal length reaches between basebase:
the part of any appendage or structure that is nearest the body
and end of elytraelytron:
the leathery forewing of beetles, serving as a covering for the hind wings, commonly meeting opposite elytron in a straight line down the middle of the dorsum in repose
or reaching/surpassing end of body, antennal flagellar segments elongateelongate:
much longer than wide
, scapescape:
the first proximal segment of the antenna
smooth/punctate at apexapex:
end of any structure distad to the base
, antennal scapescape:
the first proximal segment of the antenna
≥ segment 3 or segment 3 > scapescape:
the first proximal segment of the antenna

Pronotumpronotum:
the upper and dorsal part of the prothorax
: pronotumpronotum:
the upper and dorsal part of the prothorax
shape transversetransverse:
broader than long
or subquadratesubquadrate:
 not quite a square
, pronotumpronotum:
the upper and dorsal part of the prothorax
lateral armature acute spinespine:
a protuberance with an acute (sharp) distal end

Prosternum: prosternal processprosternal process:
a posterior extension of the prosternum between the coxae
dilated at apexapex:
end of any structure distad to the base
, procoxal cavities open posteriorly. 
Elytraelytron:
the leathery forewing of beetles, serving as a covering for the hind wings, commonly meeting opposite elytron in a straight line down the middle of the dorsum in repose
: elytral length reaching or close to end of abdomen, elytral apicesapex:
end of any structure distad to the base
emarginate or with tooth or spinespine:
a protuberance with an acute (sharp) distal end
, elytral color black, brown, yellow, or reddish, elytral color pattern present or absent. 
Legs: visible tarsomerestarsomere:
subdivision or article of the tarsus, usually numbering from two to five
: 4, femora slender, protibial spursprotibial spur:
sclerotized spine(s) located at the distal tibia; can be single, double, or absent
: 2, tarsal clawstarsal claw:
usually paired claws of the pretarsus, at the distal end of the leg
simple.

Similar genera

Semiphoracantha, Coptocercus

Differential diagnosis

Phoracantha is distinguished by the long antennaeantenna:
in larval and adult insects, paired segmented appendages, borne one on each side of the head, functioning as sense organs and bearing a large number of sensilla
with antennomeresantennomere:
a subunit of the antenna, including the scape, pedicel, and flagellomeres
3–7 spinosespinose:
armed with thorny spines, more elongate than echinate
and pronotumpronotum:
the upper and dorsal part of the prothorax
with lateral spines. Semiphoracantha has no lateral spines. Coptocercus has obviously clavateclavate:
thickening gradually toward the tip
femora and the pronotumpronotum:
the upper and dorsal part of the prothorax
longer than wide.

Distribution

Australasian; introduced in Neotropical, Nearctic, Afrotropical, and Palearctic (Mediterranean)

Recorded host plants

broadleaf trees

Remarks

44 species. Critical introduced species are P. recurva and P. semipunctata.

Synonyms

Stenocorus Hope, 1835 [part]

Tryphocharia Pascoe, 1866

Diospides Pascoe, 1866

Xypeta Pascoe, 1866

Phytrocaria W. Wang, 1996

Taxonomy

Phoracantha Newman, 1840

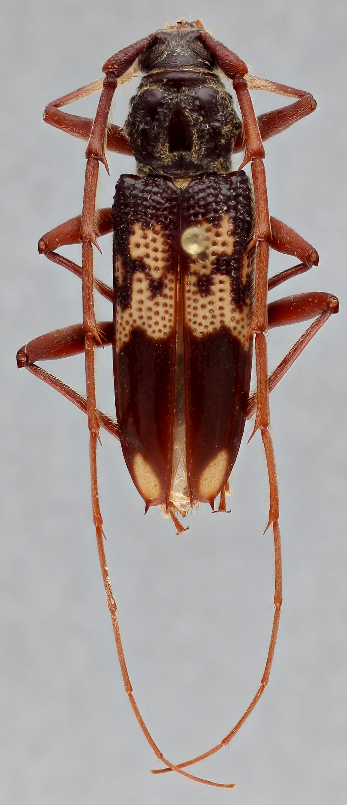
  Phoracantha semipunctata  dorsal

Phoracantha semipunctata dorsal

  Phoracantha semipunctata nbsp;ventral

Phoracantha semipunctata ventral

  Phoracantha semipunctata  frontal

Phoracantha semipunctata frontal

  Phoracantha semipunctata nbsp;lateral

Phoracantha semipunctata lateral