Penichroa

Subfamily

Cerambycinae

Diagnosis - adult

Body length: 9–14 mm. 
Eyes: eye interommatidial setaeseta:
a sclerotized hair-like projection of the cuticle
absent, eye deeply emarginateemarginate:
notched at the margin
> half width, eye ommatidial density coarse. 
Antennaeantenna:
in larval and adult insects, paired segmented appendages, borne one on each side of the head, functioning as sense organs and bearing a large number of sensilla
: antennal length reaching/surpassing end of body, antennal flagellar segments elongateelongate:
much longer than wide
, scapescape:
the first proximal segment of the antenna
smooth/punctate at apexapex:
end of any structure distad to the base
, antennal segment 3 > scapescape:
the first proximal segment of the antenna

Pronotumpronotum:
the upper and dorsal part of the prothorax
: pronotumpronotum:
the upper and dorsal part of the prothorax
shape subquadratesubquadrate:
 not quite a square
, rarely transversetransverse:
broader than long
, pronotumpronotum:
the upper and dorsal part of the prothorax
lateral armature absent. 
Prosternum: prosternal processprosternal process:
a posterior extension of the prosternum between the coxae
dilated at apexapex:
end of any structure distad to the base
, procoxal cavities open posteriorly. 
Elytraelytron:
the leathery forewing of beetles, serving as a covering for the hind wings, commonly meeting opposite elytron in a straight line down the middle of the dorsum in repose
: elytral length reaching or close to end of abdomen, elytral apicesapex:
end of any structure distad to the base
rounded or truncatetruncate:
cut off squarely at the tip
, elytral color brown, elytral color pattern present or absent. 
Legs: visible tarsomerestarsomere:
subdivision or article of the tarsus, usually numbering from two to five
: 4, femora clavateclavate:
thickening gradually toward the tip
, protibial spursprotibial spur:
sclerotized spine(s) located at the distal tibia; can be single, double, or absent
: 2, tarsal clawstarsal claw:
usually paired claws of the pretarsus, at the distal end of the leg
simple. 

Form elongateelongate:
much longer than wide
, moderately slender, depressed. Head small, front short, canaliculate; eyes small, coarsely granulategranulate:
minutely and densely verrucose or minutely farinose
, deeply emarginateemarginate:
notched at the margin
, upper lobelobe:
a rounded projection or protuberence
small, lower lobelobe:
a rounded projection or protuberence
extending to front of head; palpi very unequal, maxillary more than twice as long as labial, last segment securiform; antennaeantenna:
in larval and adult insects, paired segmented appendages, borne one on each side of the head, functioning as sense organs and bearing a large number of sensilla
slender, extending 2 to 3 segments beyond apexapex:
end of any structure distad to the base
of elytraelytron:
the leathery forewing of beetles, serving as a covering for the hind wings, commonly meeting opposite elytron in a straight line down the middle of the dorsum in repose
in male, barely attaining apexapex:
end of any structure distad to the base
of elytraelytron:
the leathery forewing of beetles, serving as a covering for the hind wings, commonly meeting opposite elytron in a straight line down the middle of the dorsum in repose
in female, segments unarmed, not sulcate, scapescape:
the first proximal segment of the antenna
ciliate externally, segments 3 to 6 or 7 sparsely ciliate internally, second segment distinctly longer than broad, third largest, fourth a little shorter than fifth, fifth and sixth subequal, seventh to tenth gradually decreasing, eleventh longer than tenth in male. Pronotumpronotum:
the upper and dorsal part of the prothorax
elongate, somewhat ovoidovoid:
see ovate
, more strongly narrowed at basebase:
the part of any appendage or structure that is nearest the body
than apexapex:
end of any structure distad to the base
; anterior coxal cavities rounded or very narrowly angulate; intercoxal process of prosternum very narrow; metepisternummetepisternum:
the episternal portion of the pleuron on the posterior thoracic segment
moderate, nearly straight, only slightly attenuated posteriorly. Legs moderate; femora clavateclavate:
thickening gradually toward the tip
; tibiaetibia:
the leg segment distal to the femur, proximal to the tarsus
not clavateclavate:
thickening gradually toward the tip
(Linsley 1962Linsley 1962:
Linsley EG. 1962. The Cerambycidae of North America. Part III. Taxonomy and Classification of the Subfamily Cerambycinae, Tribes Opsimini Through Megaderini. University of California Publications in Entomology, Vol. 20. 188 pp.
).

Similar genera

Tylonotus, Gracilia

Differential diagnosis

This genus is superficially similar to Tylonotus but is clearly different in having the maxillary palpi more than twice as long as the labial palpi. Gracilia is always immaculate (Penichroa is occasionally), has an elongateelongate:
much longer than wide
pronotumpronotum:
the upper and dorsal part of the prothorax
and a 3rd antennal segment close in length to the scapescape:
the first proximal segment of the antenna
.

Distribution

southern Europe and Asia Minor; introduced in United States (PA, ID, NY)

Recorded host plants

broadleaf; Pinus; Thuja, Cupressus. Pinus halepensis (Sama et al. 2010Sama et al. 2010:
Sama, G, Buse J, Orbach E, Friedman ALL, Rittner O and Chikatunov V. 2010. A new catalogue of the Cerambycidae (Coleoptera) of Israel with notes on their distribution and host plants. Munis Entomology & Zoology 5(1): 1–51
)

Remarks

monotypic

Synonyms

Exilia Mulsant (not Conrad, 1860), 1863

Liagrica Costa, 1855

Graecoeme Adlbauer, 2006

Taxonomy

Penichroa Stephens, 1839

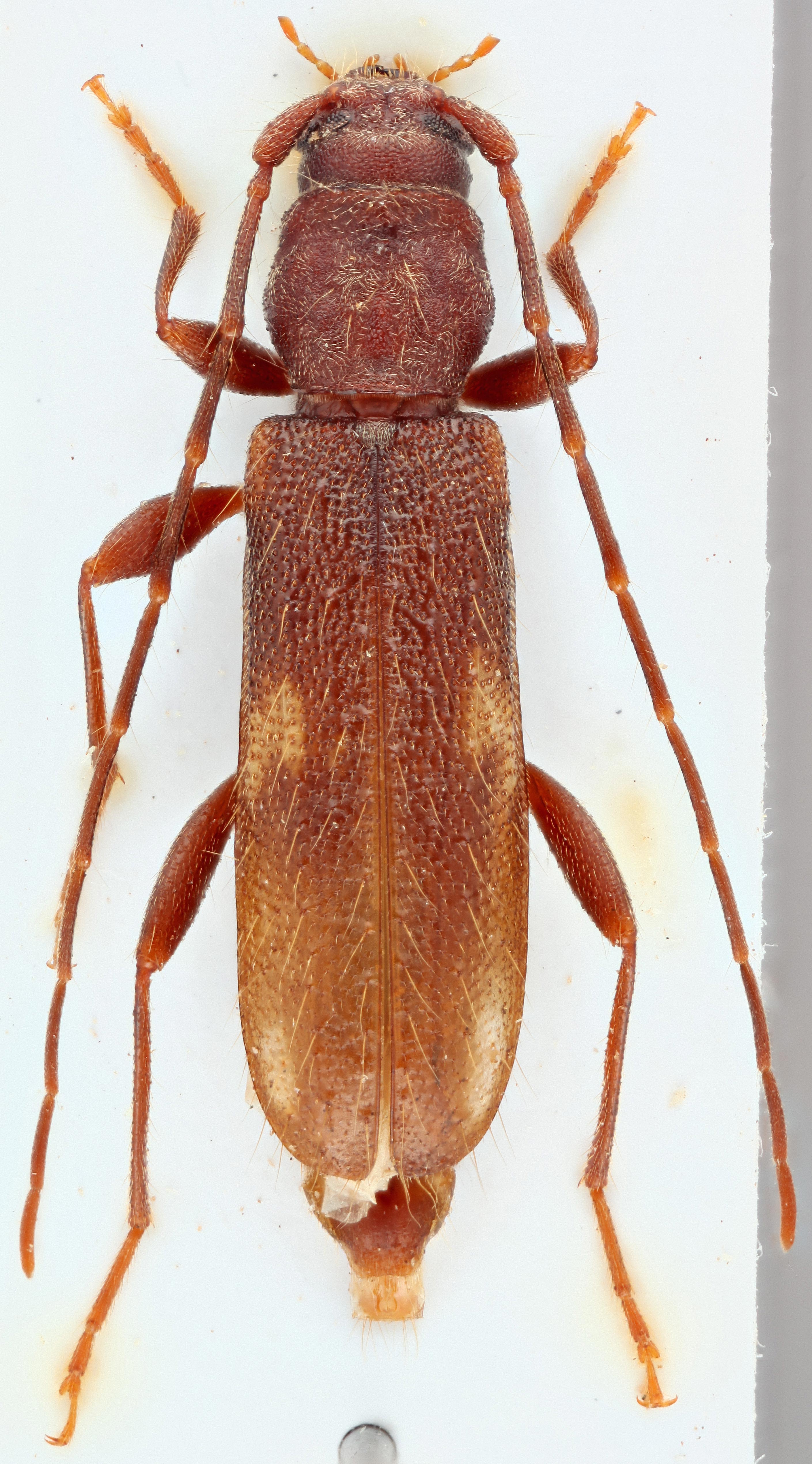
  Penichroa fasciata  dorsal

Penichroa fasciata dorsal

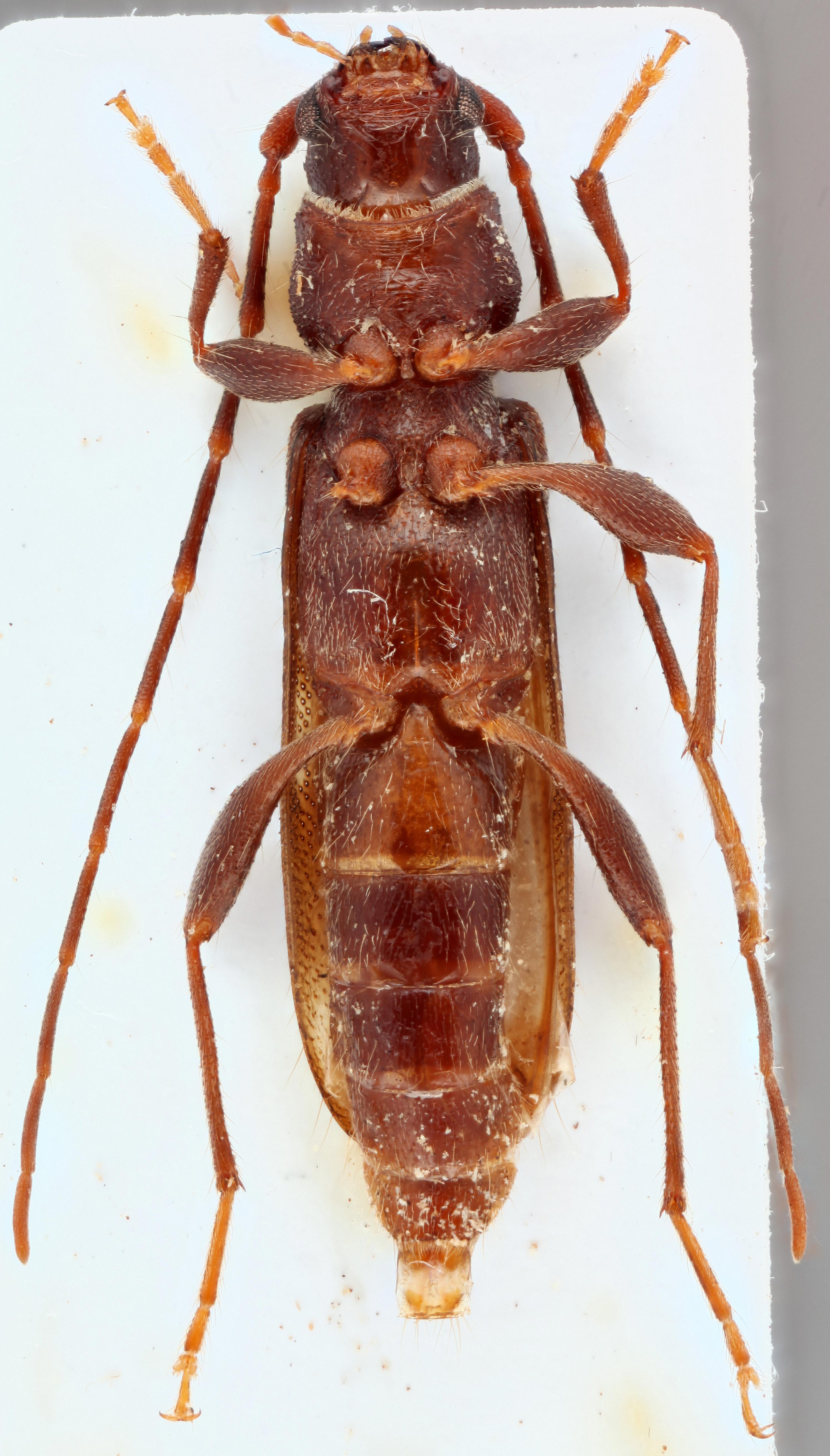
  Penichroa fasciata nbsp;ventral

Penichroa fasciata ventral

  Penichroa fasciata nbsp;frontal

Penichroa fasciata frontal

  Penichroa fasciata nbsp;lateral

Penichroa fasciata lateral