Paratimia

Subfamily

Spondylidinae

Diagnosis - adult

Body length: 8–13 mm. 
Eyes: eye interommatidial setaeseta:
a sclerotized hair-like projection of the cuticle
absent, eye deeply emarginateemarginate:
notched at the margin
> half width, eye ommatidial density coarse. 
Antennaeantenna:
in larval and adult insects, paired segmented appendages, borne one on each side of the head, functioning as sense organs and bearing a large number of sensilla
: antennal length reaches between basebase:
the part of any appendage or structure that is nearest the body
and end of elytraelytron:
the leathery forewing of beetles, serving as a covering for the hind wings, commonly meeting opposite elytron in a straight line down the middle of the dorsum in repose
, antennal flagellar segments elongateelongate:
much longer than wide
, scapescape:
the first proximal segment of the antenna
smooth/punctate at apexapex:
end of any structure distad to the base
, antennal scapescape:
the first proximal segment of the antenna
≥ segment 3. 
Pronotumpronotum:
the upper and dorsal part of the prothorax
: pronotumpronotum:
the upper and dorsal part of the prothorax
shape transversetransverse:
broader than long
, rarely subquadratesubquadrate:
 not quite a square
, pronotumpronotum:
the upper and dorsal part of the prothorax
lateral armature absent. 
Prosternum: prosternal processprosternal process:
a posterior extension of the prosternum between the coxae
dilated at apexapex:
end of any structure distad to the base
, procoxal cavities closed posteriorly. 
Elytraelytron:
the leathery forewing of beetles, serving as a covering for the hind wings, commonly meeting opposite elytron in a straight line down the middle of the dorsum in repose
: rlytral length reaching or close to end of abdomen, rlytral apicesapex:
end of any structure distad to the base
rounded or truncatetruncate:
cut off squarely at the tip
, rlytral color pattern present. 
Legs: visible tarsomerestarsomere:
subdivision or article of the tarsus, usually numbering from two to five
: 4, femora slender, protibial spursprotibial spur:
sclerotized spine(s) located at the distal tibia; can be single, double, or absent
: 1, tarsal clawstarsal claw:
usually paired claws of the pretarsus, at the distal end of the leg
simple. 

Form elongateelongate:
much longer than wide
, slender, sub cylindricalcylindrical:
shaped like a cylinder, parallel sided
; vestiture moderately coarse, appressed, with intermixture of long, erect setaeseta:
a sclerotized hair-like projection of the cuticle
on dorsal surface; pronotumpronotum:
the upper and dorsal part of the prothorax
, elytraelytron:
the leathery forewing of beetles, serving as a covering for the hind wings, commonly meeting opposite elytron in a straight line down the middle of the dorsum in repose
, abdominal sternites without denuded areas. Head short, broad; eyes emarginateemarginate:
notched at the margin
, dorsal and ventral lobes connected posteriorly by about 4 rows of facets; antennal scapescape:
the first proximal segment of the antenna
subconical, outer segments flattened and expanded slightly in female, slender in male; maxillary palpi with last segment triangular. Pronotumpronotum:
the upper and dorsal part of the prothorax
as long as broad, sides more or less evenly rounded; anterior coxae narrowly separated by prosternum, intercoxal process less than 1/3 as wide as coxae, cavities angulated externally. Elytraelytron:
the leathery forewing of beetles, serving as a covering for the hind wings, commonly meeting opposite elytron in a straight line down the middle of the dorsum in repose
about 2 1/2 times as long as broad, slightly narrowed apically; costae not evident; apicesapex:
end of any structure distad to the base
separately rounded. Abdomen of female with fifth tergite about twice as long as basal width, broad at basebase:
the part of any appendage or structure that is nearest the body
, sides subparallel, apexapex:
end of any structure distad to the base
truncatetruncate:
cut off squarely at the tip
, fifth sternite about twice as long as fourth, sides subparallel, apexapex:
end of any structure distad to the base
truncatetruncate:
cut off squarely at the tip
(Chemsak 1996Chemsak 1996:
Chemsak JA. 1996. Illustrated Revision of the Cerambycidae of North America. Volume I. Parandrinae, Spondylidinae, Aseminae, Prioninae. Wolfsgarden Books. Burbank, California 1: i–x + 1–150, pls I–X. ISBN 1-885850-02-6
).

Similar genera

Proatimia, Atimia

Differential diagnosis

Paratimia is distinguished from Atimia by the narrow body and absence of denuded areas on the elytra/pronotum. The cylindricalcylindrical:
shaped like a cylinder, parallel sided
shape, apical narrowing of elytraelytron:
the leathery forewing of beetles, serving as a covering for the hind wings, commonly meeting opposite elytron in a straight line down the middle of the dorsum in repose
, and color pattern will distinguish from Proatimia.

Distribution

Nearctic: Coast Range Mountains of California and Oregon

Recorded host plants

Pinus attenuata, P. bolanderi (cones)

Remarks

Monotypic. Develops within pine cones.

Taxonomy

Paratimia Fisher, 1915

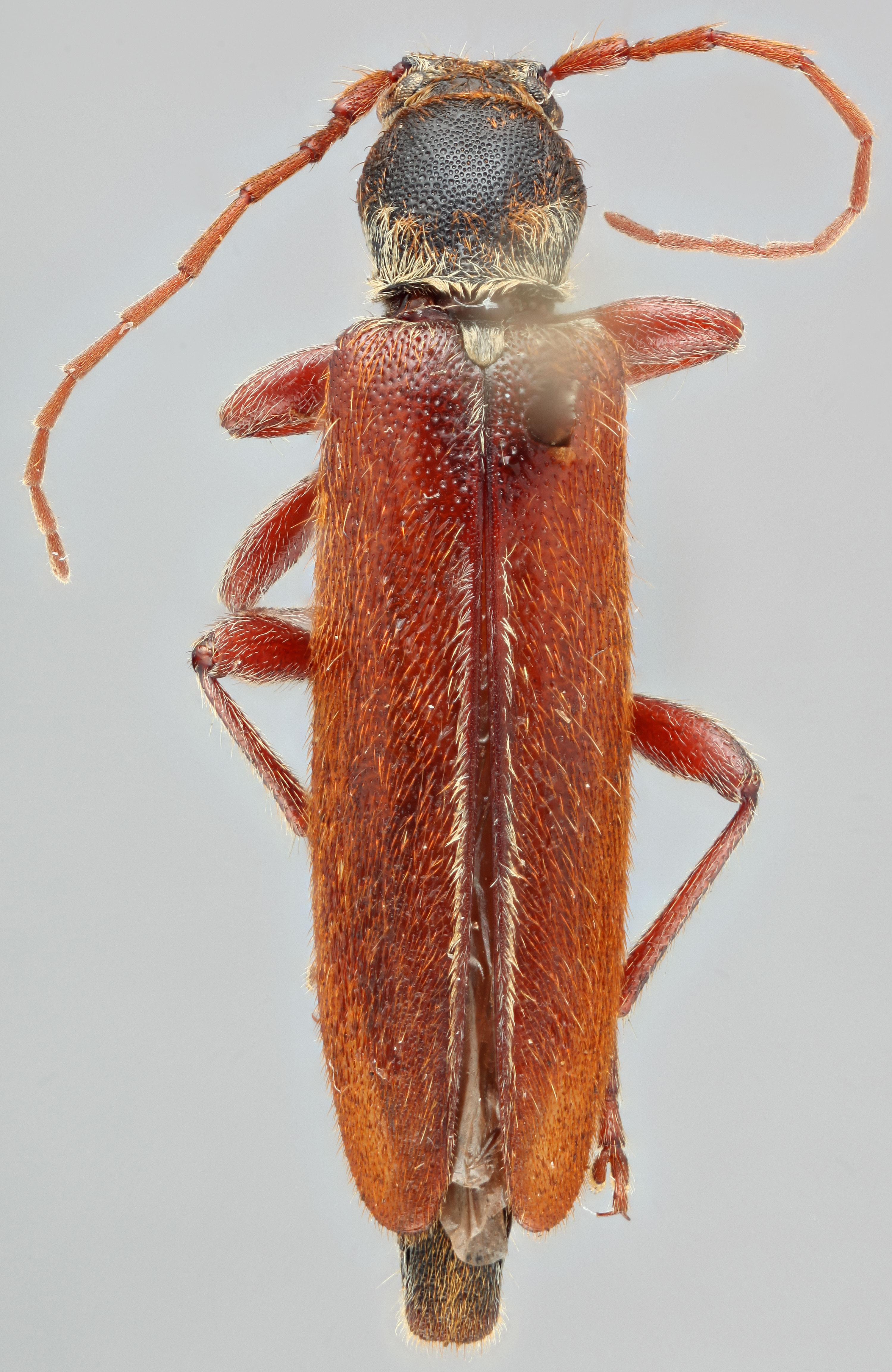
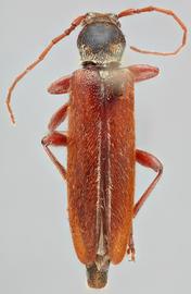
  Paratimia conicola nbsp;dorsal

Paratimia conicola dorsal

  Paratimia conicola  dorsal

Paratimia conicola dorsal

  Paratimia conicolanbsp; ventral

Paratimia conicola ventral

  Paratimia conicolanbsp; frontal

Paratimia conicola frontal

  Paratimia conicolanbsp; lateral

Paratimia conicola lateral