Oxypleurus

Subfamily

Spondylidinae

Diagnosis - adult

Body length: 11–16 mm. 
Eyes: eye interommatidial setaeseta:
a sclerotized hair-like projection of the cuticle
absent, eye deeply emarginateemarginate:
notched at the margin
> half width, eye ommatidial density coarse. 
Antennaeantenna:
in larval and adult insects, paired segmented appendages, borne one on each side of the head, functioning as sense organs and bearing a large number of sensilla
: antennal length reaches between basebase:
the part of any appendage or structure that is nearest the body
and end of elytraelytron:
the leathery forewing of beetles, serving as a covering for the hind wings, commonly meeting opposite elytron in a straight line down the middle of the dorsum in repose
, antennal flagellar segments elongateelongate:
much longer than wide
, scapescape:
the first proximal segment of the antenna
smooth/punctate at apexapex:
end of any structure distad to the base
, antennal scapescape:
the first proximal segment of the antenna
≥ segment 3. 
Pronotumpronotum:
the upper and dorsal part of the prothorax
: pronotumpronotum:
the upper and dorsal part of the prothorax
shape transversetransverse:
broader than long
, pronotumpronotum:
the upper and dorsal part of the prothorax
lateral armature acute spinespine:
a protuberance with an acute (sharp) distal end

Prosternum: prosternal processprosternal process:
a posterior extension of the prosternum between the coxae
dilated at apexapex:
end of any structure distad to the base
, procoxal cavities closed posteriorly. 
Elytraelytron:
the leathery forewing of beetles, serving as a covering for the hind wings, commonly meeting opposite elytron in a straight line down the middle of the dorsum in repose
: elytral length reaching or close to end of abdomen, elytral apicesapex:
end of any structure distad to the base
rounded or truncatetruncate:
cut off squarely at the tip
or with tooth or spinespine:
a protuberance with an acute (sharp) distal end
, elytral color brown or reddish, elytral color pattern present or absent. 
Legs: visible tarsomerestarsomere:
subdivision or article of the tarsus, usually numbering from two to five
: 4, femora clavateclavate:
thickening gradually toward the tip
, protibial spursprotibial spur:
sclerotized spine(s) located at the distal tibia; can be single, double, or absent
: 1, tarsal clawstarsal claw:
usually paired claws of the pretarsus, at the distal end of the leg
simple.

Head narrowed behind, broad forehead, separated from the epistome by an angular impression. Eyes emarginateemarginate:
notched at the margin
with coarse facets. Antennaeantenna:
in larval and adult insects, paired segmented appendages, borne one on each side of the head, functioning as sense organs and bearing a large number of sensilla
long and slender with 3rd section shorter than 4th. Pronotumpronotum:
the upper and dorsal part of the prothorax
a little longer than wide, sharply narrowed in front and behind, bearing a strong lateral spinespine:
a protuberance with an acute (sharp) distal end
. Elytraelytron:
the leathery forewing of beetles, serving as a covering for the hind wings, commonly meeting opposite elytron in a straight line down the middle of the dorsum in repose
broad, angular at the apexapex:
end of any structure distad to the base
in the male and bearing a small tooth in the female. Claviform femora; tarsitarsus:
the leg segment distal to the apex of the tibia, bearing the pretarsus; consists of one to five tarsomeres (including pretarsus)
almost as long as the tibiaetibia:
the leg segment distal to the femur, proximal to the tarsus
 (Villiers 1946Villiers 1946:
Villiers A. 1946. Coléoptères Cérambycides de l'Afrique du Nord. Faune de l'Empire Français, ORSC Paris 5: 1–152, 275 figs. http://www.cerambycoidea.com/titles/villiers1946.pdf
).

Similar genera

Saphanus

Differential diagnosis

A less robust body and non-serrate antennaeantenna:
in larval and adult insects, paired segmented appendages, borne one on each side of the head, functioning as sense organs and bearing a large number of sensilla
differentiate Oxypleurus from Saphanus.

Distribution

Palearctic: North Africa and Mediterranean; introduced in South Africa (Dürr 1952Dürr 1952:
Dürr HJR. 1952. A description of the woodborer Oxypleurus nodieri Muls. Journal of the Entomological Society of South Africa, Pretoria 15 (1): 83–89.
)

Recorded host plants

Pinus spp., Abies alba

Remarks

monotypic

Taxonomy

Oxypleurus Mulsant, 1839

  Oxypleurus nodieri  dorsal

Oxypleurus nodieri dorsal

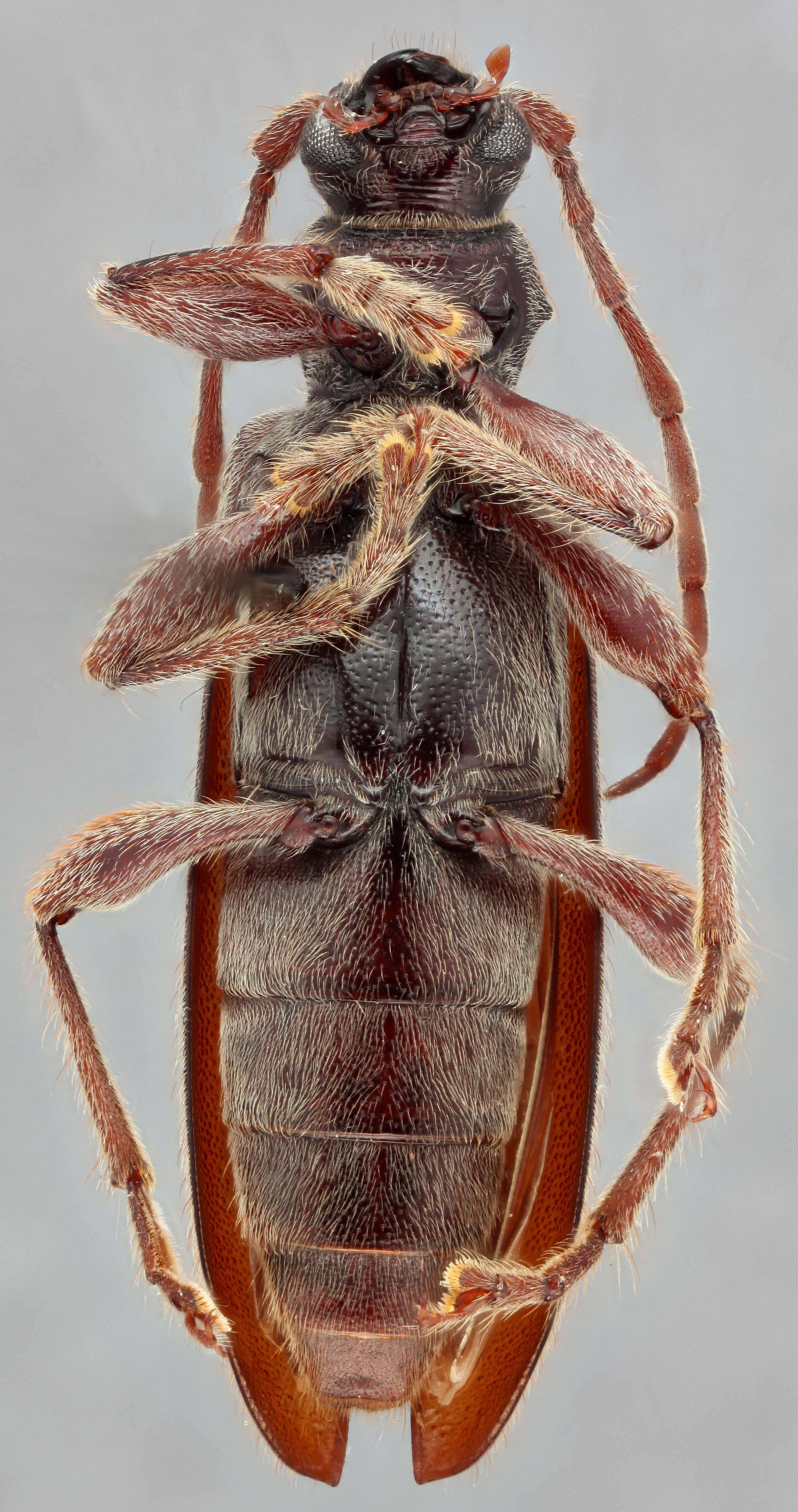
  Oxypleurus nodierinbsp; ventral

Oxypleurus nodieri ventral

  Oxypleurus nodierinbsp; frontal

Oxypleurus nodieri frontal

  Oxypleurus nodierinbsp; lateral

Oxypleurus nodieri lateral