Opsimus

Subfamily

Cerambycinae

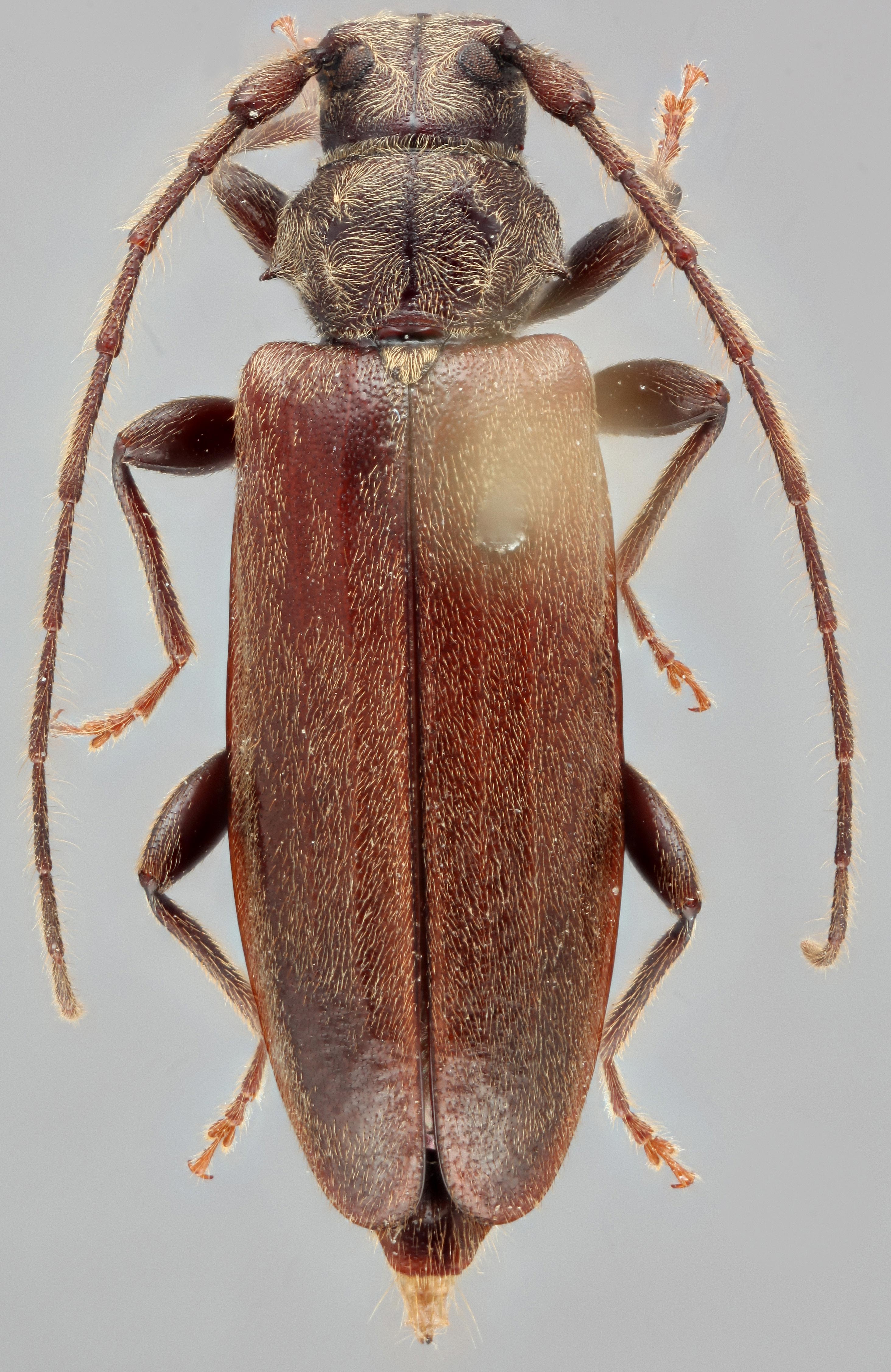
Diagnosis - adult

Body length: 5–12 mm.
Eyes: eye interommatidial setaeseta:
a sclerotized hair-like projection of the cuticle
absent, eye divided—max one row of facets between, eye ommatidial density coarse.
Antennaeantenna:
in larval and adult insects, paired segmented appendages, borne one on each side of the head, functioning as sense organs and bearing a large number of sensilla
: antennal length reaches between basebase:
the part of any appendage or structure that is nearest the body
and end of elytraelytron:
the leathery forewing of beetles, serving as a covering for the hind wings, commonly meeting opposite elytron in a straight line down the middle of the dorsum in repose
or reaching/surpassing end of body, antennal flagellar segments elongateelongate:
much longer than wide
, scapescape:
the first proximal segment of the antenna
smooth/punctate at apexapex:
end of any structure distad to the base
, antennal scapescape:
the first proximal segment of the antenna
≥ segment 3 or segment 3 > scapescape:
the first proximal segment of the antenna
.
Pronotumpronotum:
the upper and dorsal part of the prothorax
: pronotumpronotum:
the upper and dorsal part of the prothorax
shape transversetransverse:
broader than long
, pronotumpronotum:
the upper and dorsal part of the prothorax
lateral armature acute spinespine:
a protuberance with an acute (sharp) distal end
.
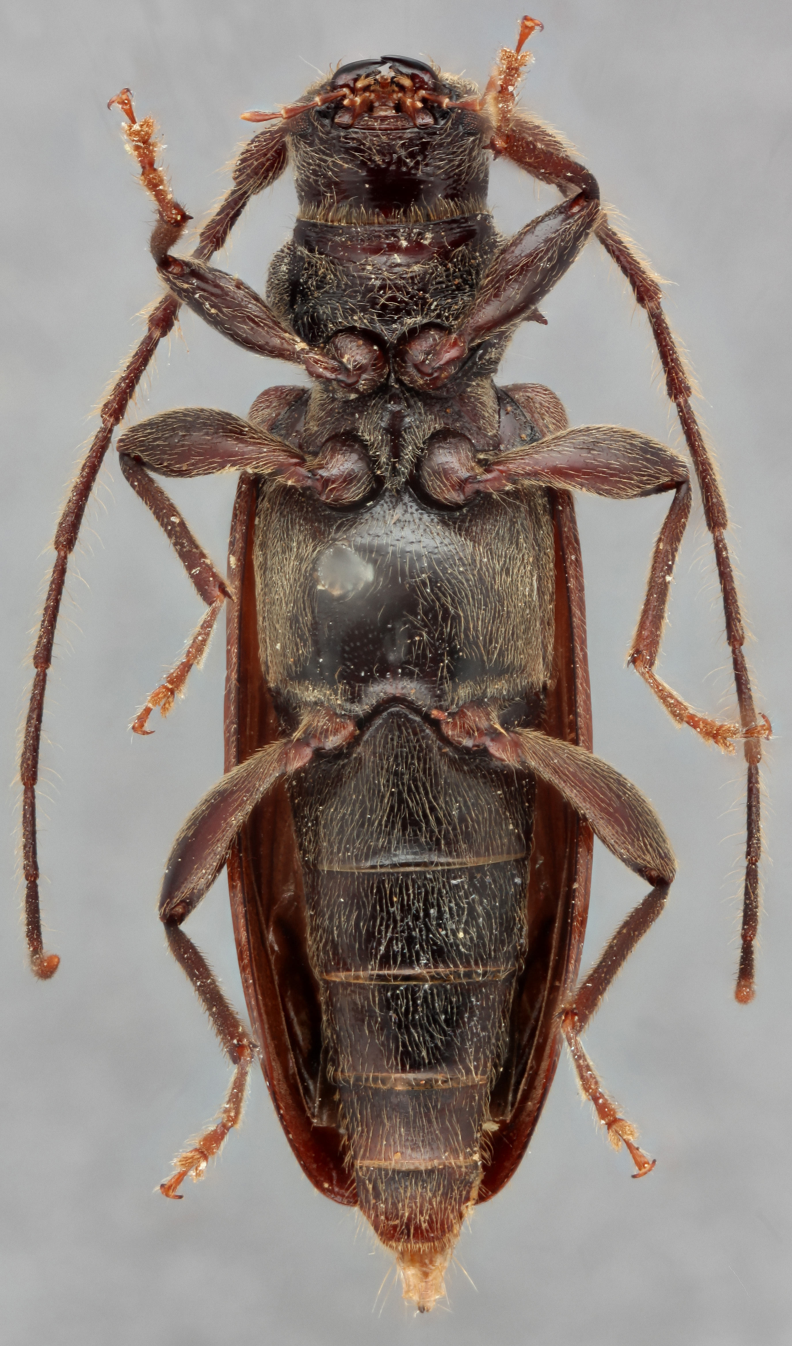
Prosternum: prosternal processprosternal process:
a posterior extension of the prosternum between the coxae
not dilated at apexapex:
end of any structure distad to the base
, rarely dilated at apexapex:
end of any structure distad to the base
, procoxal cavities open posteriorly.
Elytraelytron:
the leathery forewing of beetles, serving as a covering for the hind wings, commonly meeting opposite elytron in a straight line down the middle of the dorsum in repose
: elytral length reaching or close to end of abdomen, elytral apicesapex:
end of any structure distad to the base
rounded or truncatetruncate:
cut off squarely at the tip
, elytral color black or brown, elytral color pattern absent.
Legs: visible tarsomerestarsomere:
subdivision or article of the tarsus, usually numbering from two to five
: 4, femora clavateclavate:
thickening gradually toward the tip
, protibial spursprotibial spur:
sclerotized spine(s) located at the distal tibia; can be single, double, or absent
: 2, tarsal clawstarsal claw:
usually paired claws of the pretarsus, at the distal end of the leg
simple.

Antennaeantenna:
in larval and adult insects, paired segmented appendages, borne one on each side of the head, functioning as sense organs and bearing a large number of sensilla
about 1 1/2 times as long as body in male, shorter than body in female. Pronotumpronotum:
the upper and dorsal part of the prothorax
distinctly wider than long, armed on each side with a more or less obtuse lateral spinespine:
a protuberance with an acute (sharp) distal end
. Elytraelytron:
the leathery forewing of beetles, serving as a covering for the hind wings, commonly meeting opposite elytron in a straight line down the middle of the dorsum in repose
not maculate. Legs slender, femora distinctly clavateclavate:
thickening gradually toward the tip
; posterior tarsitarsus:
the leg segment distal to the apex of the tibia, bearing the pretarsus; consists of one to five tarsomeres (including pretarsus)
with first segment longer than 2 following together (Linsley 1962Linsley 1962:
Linsley EG. 1962. The Cerambycidae of North America. Part III. Taxonomy and Classification of the Subfamily Cerambycinae, Tribes Opsimini Through Megaderini. University of California Publications in Entomology, Vol. 20. 188 pp.
).

Similar genera

Dicentrus

Differential diagnosis

A single lateral pronotal spinespine:
a protuberance with an acute (sharp) distal end
, larger body size, and uniform brown to black color will distinguish from Dicentrus.

Distribution

west coast of North America, from Alaska south to central California

Recorded host plants

Pseudotsuga menziesii, Tsuga heterophylla, Picea sitchensis, P. englemannii, Abies grandis, Pinus contorta; Cupressus goveniana

Remarks

monotypic

Taxonomy

Opsimus Mannerheim, 1843

  Opsimus quadrilineatus  dorsal

Opsimus quadrilineatus dorsal

  Opsimus quadrilineatusnbsp; ventral

Opsimus quadrilineatus ventral

  Opsimus quadrilineatusnbsp; frontal

Opsimus quadrilineatus frontal

  Opsimus quadrilineatusnbsp; lateral

Opsimus quadrilineatus lateral