Molorchus

Subfamily

Cerambycinae

Diagnosis - adult

Body length: 5–12 mm. 
Eyes: eye interommatidial setaeseta:
a sclerotized hair-like projection of the cuticle
absent, eye deeply emarginateemarginate:
notched at the margin
> half width, eye ommatidial density fine. 
Antennaeantenna:
in larval and adult insects, paired segmented appendages, borne one on each side of the head, functioning as sense organs and bearing a large number of sensilla
: antennal length reaches between basebase:
the part of any appendage or structure that is nearest the body
and end of elytraelytron:
the leathery forewing of beetles, serving as a covering for the hind wings, commonly meeting opposite elytron in a straight line down the middle of the dorsum in repose
or reaching/surpassing end of body, antennal flagellar segments elongateelongate:
much longer than wide
, scapescape:
the first proximal segment of the antenna
smooth/punctate at apexapex:
end of any structure distad to the base
, antennal scapescape:
the first proximal segment of the antenna
≥ segment 3 or segment 3 > scapescape:
the first proximal segment of the antenna

Pronotumpronotum:
the upper and dorsal part of the prothorax
: pronotumpronotum:
the upper and dorsal part of the prothorax
shape subquadratesubquadrate:
 not quite a square
or longer than wide, pronotumpronotum:
the upper and dorsal part of the prothorax
lateral armature absent or blunt tubercule. 
Prosternum: prosternal processprosternal process:
a posterior extension of the prosternum between the coxae
not dilated at apexapex:
end of any structure distad to the base
, rarely dilated at apexapex:
end of any structure distad to the base
, procoxal cavities open posteriorly. 
Elytraelytron:
the leathery forewing of beetles, serving as a covering for the hind wings, commonly meeting opposite elytron in a straight line down the middle of the dorsum in repose
: elytral length partial and revealing hind wings, elytral apicesapex:
end of any structure distad to the base
rounded or truncatetruncate:
cut off squarely at the tip
, elytral color black, brown, reddish, or orange, elytral color pattern present or absent. 
Legs: visible tarsomerestarsomere:
subdivision or article of the tarsus, usually numbering from two to five
: 4, femora clavateclavate:
thickening gradually toward the tip
, protibial spursprotibial spur:
sclerotized spine(s) located at the distal tibia; can be single, double, or absent
: 2, tarsal clawstarsal claw:
usually paired claws of the pretarsus, at the distal end of the leg
simple.

Head with front short, vertical; vertexvertex:
the top of the head between the eyes, frons and occiput, anterior to the occipital suture
slightly concave between antennal bases, antennaeantenna:
in larval and adult insects, paired segmented appendages, borne one on each side of the head, functioning as sense organs and bearing a large number of sensilla
much longer than body in male, shorter than body in female, eleventh segment appendiculateappendiculate:
bearing appendages
or divided in male, simple in female; eyes deeply emarginateemarginate:
notched at the margin
. Pronotumpronotum:
the upper and dorsal part of the prothorax
at least as long as broad, constricted at basebase:
the part of any appendage or structure that is nearest the body
, feebly so at apexapex:
end of any structure distad to the base
, disk roughened or callused; prosternum with intercoxal process very narrow. Elytraelytron:
the leathery forewing of beetles, serving as a covering for the hind wings, commonly meeting opposite elytron in a straight line down the middle of the dorsum in repose
with prominent humerihumerus:
shoulder; the basal exterior angle of the elytra
; apicesapex:
end of any structure distad to the base
dehiscent. Legs elongateelongate:
much longer than wide
, posterior pair attaining apexapex:
end of any structure distad to the base
of abdomen in male; tarsitarsus:
the leg segment distal to the apex of the tibia, bearing the pretarsus; consists of one to five tarsomeres (including pretarsus)
slender, first segment of posterior pair about as long as following 2 together (Linsley 1963Linsley 1963:
Linsley EG. 1963. The Cerambycidae of North America. Part IV. Taxonomy and Classification of the Subfamily Cerambycinae, Tribes Elaphidionini Through Rhinotragini. University of California Publications in Entomology, Vol. 21. 165 pp.
).

Similar genera

Nadezhdiana, Buddhapania, Epania

Differential diagnosis

The extremely short elytraelytron:
the leathery forewing of beetles, serving as a covering for the hind wings, commonly meeting opposite elytron in a straight line down the middle of the dorsum in repose
with exposed hindwings, a mesosternal processmesosternal process:
a prolongation of the mesosternum extending between the mesocoxae
narrowing towards the apexapex:
end of any structure distad to the base
, and the pronotumpronotum:
the upper and dorsal part of the prothorax
narrower than the elytraelytron:
the leathery forewing of beetles, serving as a covering for the hind wings, commonly meeting opposite elytron in a straight line down the middle of the dorsum in repose
are characters to help determine Molorchus. There are a number of hardwood feeding genera that look similar.

Distribution

Palearctic, Indomalaya, Nearctic, Afrotropical, Neotropical, M. minor introduced in Brazil

Recorded host plants

broadleaf; Pinaceae; Cupressus

Remarks

113 spp. (Molorchus), 13 spp. (Caenoptera), 4 spp. (Nathrioglaphyra), 1 sp. (Pakmolorchus), 2 spp. (Tsujius), 3 spp. (Yamatoglaphyra). Conifers: M. (Molorchus) kobotokensis, M. (M.) ishiharai, M. (M.) bassettii (Sama), M. (M.) marmottani Brisout, M. (M.) sterbai Heyrovsky, M. (Caenoptera) minor, M. (C.) pallidipennis (Heyden), M. (C.) abieticola, M. (C.) eburneus, M. (C.) pinivorus, M. (C.) ikedai, M. (C.) tjanschanicus.

Synonyms

Glaphyra Newman, 1840

Laphyra Newman (non Billberg, 1820), 1842 (nom. nov. pro Glaphyra Newman, non Glaphyrus Latreille)

Linomius Mulsant, 1862

Sinolus Mulsant, 1862

Conchopterus Fairmaire, 1868

Glaphyra (Epanioglaphyra) Niisato, 1986

Taxonomy

Subgenus Molorchus Fabricius, 1793

Subgenus Caenoptera Thomson, 1859

Subgenus Nathrioglaphyra Sama, 1995

Subgenus Pakmolorchus Holzschuh, 1989

Subgenus Tsujius Ikeda, 2001

Subgenus Yamatoglaphyra Niisato, 2006

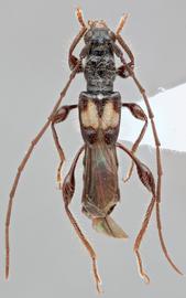
  Molorchus (Caenoptera) minor  dorsal

Molorchus (Caenoptera) minor dorsal

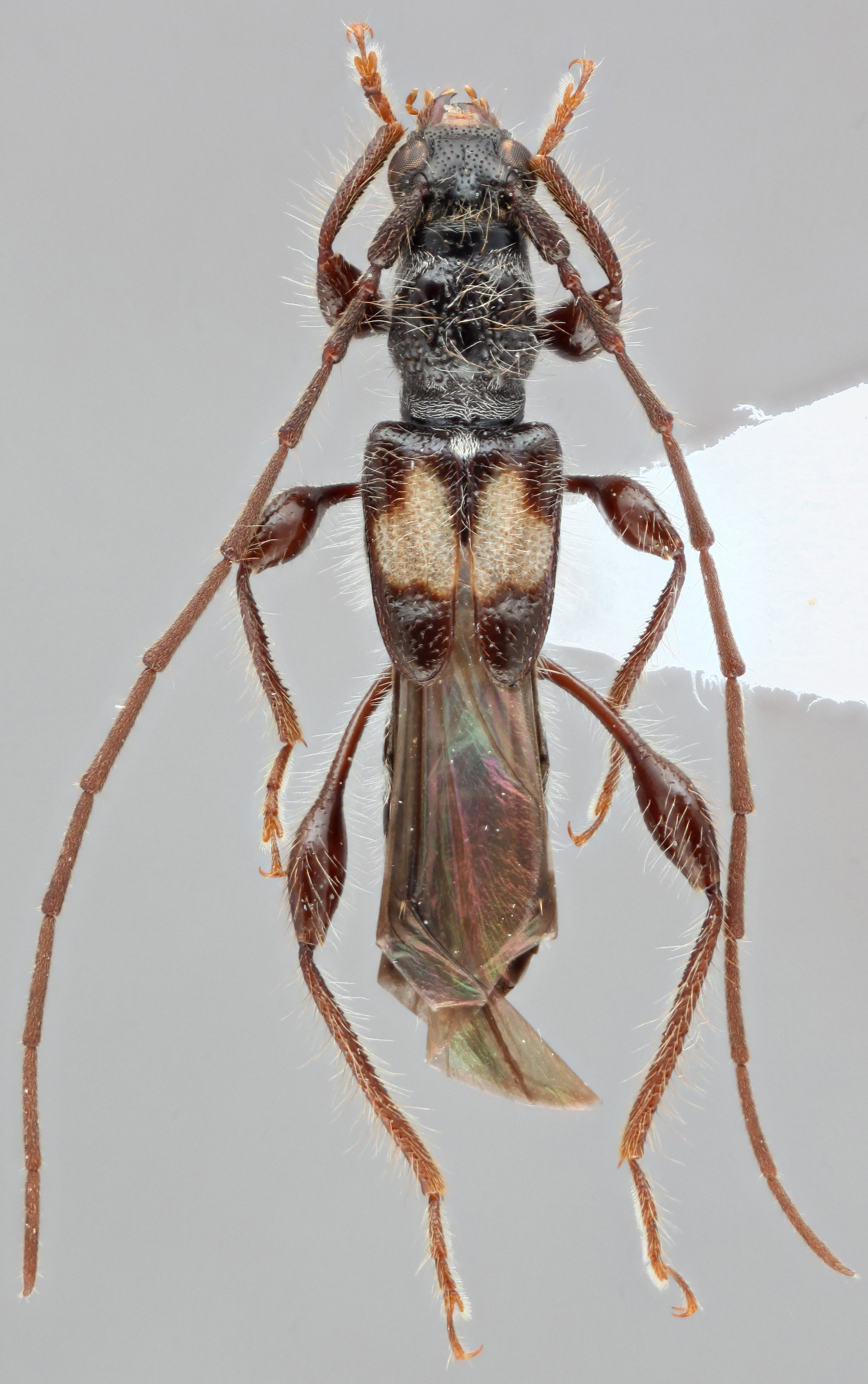
  Molorchus (Caenoptera) minor nbsp;ventral

Molorchus (Caenoptera) minor ventral

  Molorchus (Caenoptera) minor  frontal

Molorchus (Caenoptera) minor frontal

  Molorchus (Caenoptera) minor  lateral

Molorchus (Caenoptera) minor lateral

  Molorchus  ( Molorchus )  ishiharai  dorsal

Molorchus (Molorchus) ishiharai dorsal

  Molorchus  ( Molorchus )  ishiharai  ventral
Molorchus (Molorchus) ishiharai ventral
  Molorchus  ( Molorchus )  ishiharai  frontal
Molorchus (Molorchus) ishiharai frontal
  Molorchus  ( Molorchus )  ishiharai  lateral
Molorchus (Molorchus) ishiharai lateral
 PSG000971nbsp; Molorchus minor  voucher
PSG000971 Molorchus minor voucher
 PSG000973  Molorchus (Glaphyra) ishiharai  voucher
PSG000973 Molorchus (Glaphyra) ishiharai voucher