Mimectatina

Subfamily

Lamiinae

Diagnosis - adult

Body length: 4–12.5 mm. 
Eyes: eye interommatidial setaeseta:
a sclerotized hair-like projection of the cuticle
absent, eye deeply emarginateemarginate:
notched at the margin
> half width, eye ommatidial density fine. 
Antennaeantenna:
in larval and adult insects, paired segmented appendages, borne one on each side of the head, functioning as sense organs and bearing a large number of sensilla
: antennal length reaching/surpassing end of body, antennal flagellar segments elongateelongate:
much longer than wide
, scapescape:
the first proximal segment of the antenna
smooth/punctate at apexapex:
end of any structure distad to the base
, antennal scapescape:
the first proximal segment of the antenna
≥ segment 3. 
Pronotumpronotum:
the upper and dorsal part of the prothorax
: pronotumpronotum:
the upper and dorsal part of the prothorax
shape transversetransverse:
broader than long
or subquadratesubquadrate:
 not quite a square
, pronotumpronotum:
the upper and dorsal part of the prothorax
lateral armature blunt tubercule. 
Prosternum: prosternal processprosternal process:
a posterior extension of the prosternum between the coxae
dilated at apexapex:
end of any structure distad to the base
, procoxal cavities closed posteriorly. 
Elytraelytron:
the leathery forewing of beetles, serving as a covering for the hind wings, commonly meeting opposite elytron in a straight line down the middle of the dorsum in repose
: elytral length reaching or close to end of abdomen, elytral apicesapex:
end of any structure distad to the base
with tooth or spinespine:
a protuberance with an acute (sharp) distal end
, elytral color pattern present. 
Legs: visible tarsomerestarsomere:
subdivision or article of the tarsus, usually numbering from two to five
: 4, femora clavateclavate:
thickening gradually toward the tip
, protibial spursprotibial spur:
sclerotized spine(s) located at the distal tibia; can be single, double, or absent
: 2, tarsal clawstarsal claw:
usually paired claws of the pretarsus, at the distal end of the leg
simple. 

Body elongateelongate:
much longer than wide
. Elytraelytron:
the leathery forewing of beetles, serving as a covering for the hind wings, commonly meeting opposite elytron in a straight line down the middle of the dorsum in repose
elongate, with very prominent longitudinal ridges on hind clivus, somewhat sloping near suturesuture:
groove marking the line of fusion of two formerly distinct plates; the line of junction of elytra
, apically tapering inward (Cherepanov 1991aCherepanov 1991a:
Cherepanov AI. 1991a. Cerambycidae of Northern Asia, Vol. 3. Lamiinae, Part II. Oxonian Press, New Delhi 5: i–xi + 1–308, 133 figs.
).

Similar genera

Diadelia, Euseboides

Differential diagnosis

The elongateelongate:
much longer than wide
form, appressed elytral pubescence, and apically extended elytraelytron:
the leathery forewing of beetles, serving as a covering for the hind wings, commonly meeting opposite elytron in a straight line down the middle of the dorsum in repose
with inward taper and usually laterally divergentdivergent:
spreading out from a common base
tips will distinguish among conifer feeders. Euseboides has an elongateelongate:
much longer than wide
first tarsomeretarsomere:
subdivision or article of the tarsus, usually numbering from two to five
.

Distribution

Japan, China; Indomalaya

Recorded host plants

broadleaf; Abies, Larix, Picea, Pinus

Remarks

14 spp. Conifers: M. fuscoplagiata, M. variegata; conifer and broadleaf: M. divaricata.

Synonyms

Doius Matsushita, 1933

Nipposybra Breuning, 1939

Parasydonia Breuning, 1949

Falsodoius Breuning, 1953

Taxonomy

Mimectatina Aurivillius, 1927

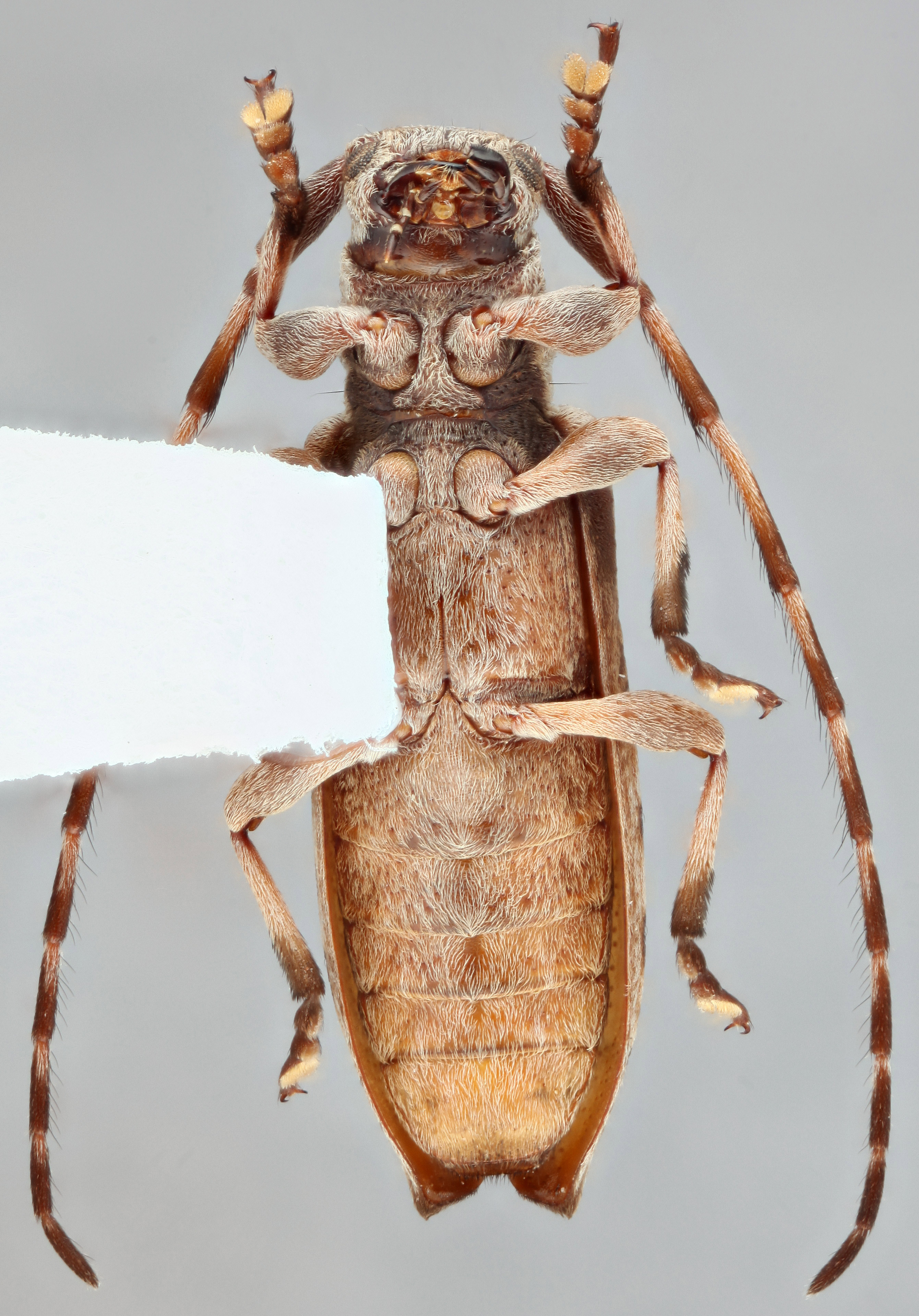
  Mimectatina divaricata  dorsal

Mimectatina divaricata dorsal

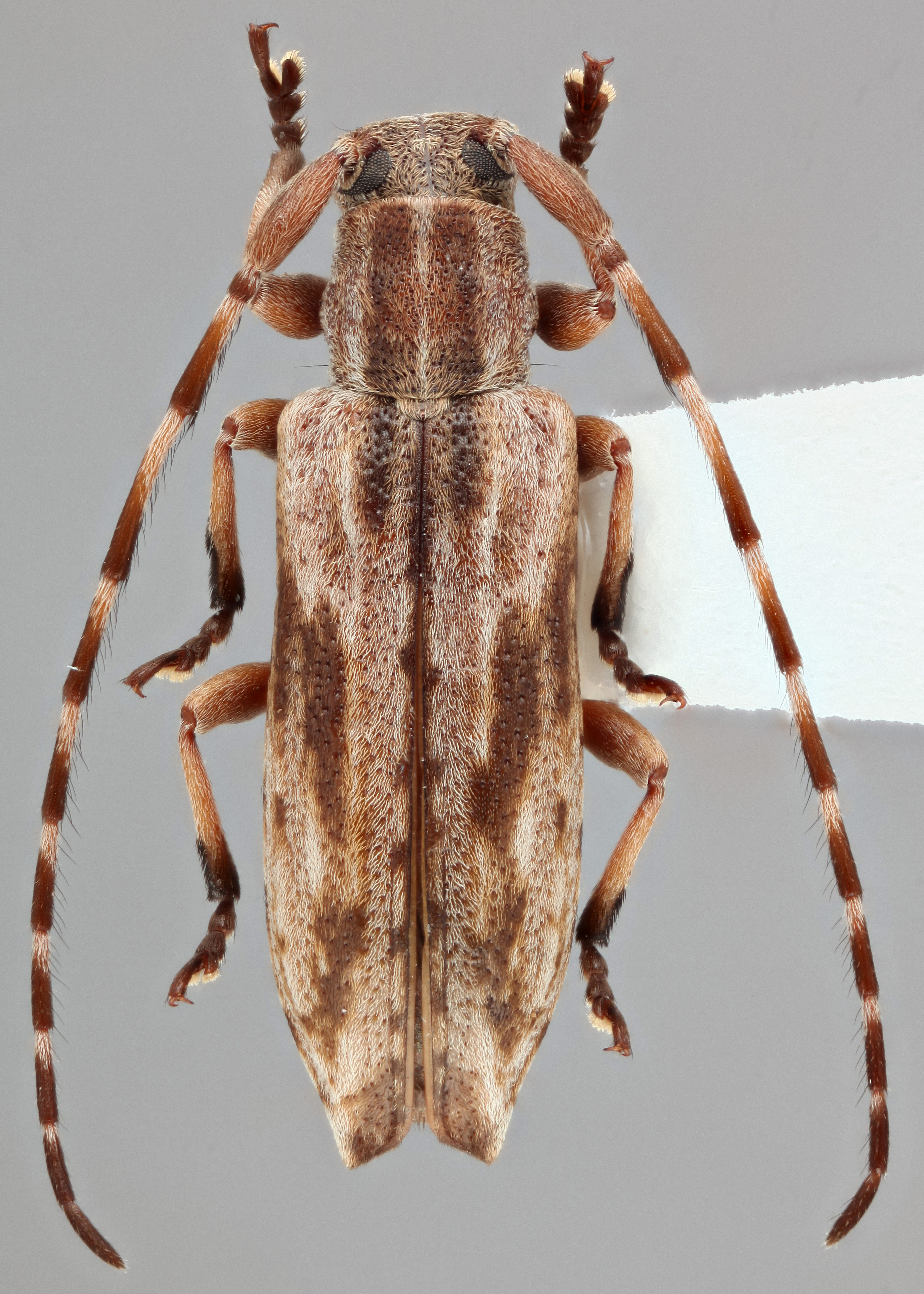
  Mimectatina divaricata nbsp;ventral

Mimectatina divaricata ventral

  Mimectatina divaricata nbsp;frontal

Mimectatina divaricata frontal

  Mimectatina divaricata nbsp;lateral

Mimectatina divaricata lateral

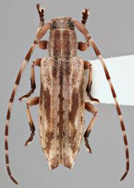
 PSG000967nbsp; Mimectatina fuscoplagiata  voucher
PSG000967 Mimectatina fuscoplagiata voucher