Methia

Subfamily

Cerambycinae

Diagnosis - adult

Body length: 5–15 mm. 
Eyes: eye interommatidial setaeseta:
a sclerotized hair-like projection of the cuticle
present, eye deeply emarginateemarginate:
notched at the margin
> half width or divided-max one row of facets between, eye ommatidial density coarse. 
Antennaeantenna:
in larval and adult insects, paired segmented appendages, borne one on each side of the head, functioning as sense organs and bearing a large number of sensilla
: antennal length reaching/surpassing end of body, antennal flagellar segments elongateelongate:
much longer than wide
, scapescape:
the first proximal segment of the antenna
with small horn or smooth/punctate at apexapex:
end of any structure distad to the base
, antennal segment 3 > scapescape:
the first proximal segment of the antenna

Pronotumpronotum:
the upper and dorsal part of the prothorax
: pronotumpronotum:
the upper and dorsal part of the prothorax
shape transversetransverse:
broader than long
or subquadratesubquadrate:
 not quite a square
, pronotumpronotum:
the upper and dorsal part of the prothorax
lateral armature absent. 
Prosternum: prosternal processprosternal process:
a posterior extension of the prosternum between the coxae
not dilated at apexapex:
end of any structure distad to the base
, procoxal cavities open posteriorly. 
Elytraelytron:
the leathery forewing of beetles, serving as a covering for the hind wings, commonly meeting opposite elytron in a straight line down the middle of the dorsum in repose
: elytral length partial and revealing hind wings or reaching or close to end of abdomen, elytral apicesapex:
end of any structure distad to the base
rounded or truncatetruncate:
cut off squarely at the tip
, elytral color black, brown, yellow, reddish, or orange, elytral color pattern present or absent. 
Legs: visible tarsomerestarsomere:
subdivision or article of the tarsus, usually numbering from two to five
: 4, femora slender, protibial spursprotibial spur:
sclerotized spine(s) located at the distal tibia; can be single, double, or absent
: 2, tarsal clawstarsal claw:
usually paired claws of the pretarsus, at the distal end of the leg
simple.

Form slender, subcylindrical. Head moderately impressed between antennal bases; antennaeantenna:
in larval and adult insects, paired segmented appendages, borne one on each side of the head, functioning as sense organs and bearing a large number of sensilla
slender throughout, longer than body in both sexes, nearly twice as long as body in male, segments ciliate, scapescape:
the first proximal segment of the antenna
subcorneal, second segment small but distinct, third segment longer than scapescape:
the first proximal segment of the antenna
, subequal to or longer than fourth segment; eyes contiguouscontiguous:
so near together as to touch
or nearly contiguouscontiguous:
so near together as to touch
above and below in male, a little more widely separated in female, deeply emarginateemarginate:
notched at the margin
but not divided, dorsal and ventral lobes connected posteriorly by a line or by 1 or more rows of facets; maxillary palpi truncatetruncate:
cut off squarely at the tip
at apexapex:
end of any structure distad to the base
. Pronotumpronotum:
the upper and dorsal part of the prothorax
as wide as or wider than long, sides rounded or slightly obtuse; scutellumscutellum:
a small sclerite located directly posterior to the pronotum, bordered laterally by the elytra
nearly as long as broad, subtriangular, narrowly rounded posteriorly. Elytraelytron:
the leathery forewing of beetles, serving as a covering for the hind wings, commonly meeting opposite elytron in a straight line down the middle of the dorsum in repose
longer than basal width, gradually narrowing apically, suturesuture:
groove marking the line of fusion of two formerly distinct plates; the line of junction of elytra
entire, apicesapex:
end of any structure distad to the base
narrowly separated, rounded. Legs elongateelongate:
much longer than wide
; femora moderately slender, anterior pair not clavateclavate:
thickening gradually toward the tip
; anterior tibiaetibia:
the leg segment distal to the femur, proximal to the tarsus
strongly bent, oblique sinus distinct, posterior tibiaetibia:
the leg segment distal to the femur, proximal to the tarsus
longer than femora, sometimes moderately pilose; tarsitarsus:
the leg segment distal to the apex of the tibia, bearing the pretarsus; consists of one to five tarsomeres (including pretarsus)
slender, subcylindrical, posterior pair nearly 1/2 as long as tibiaetibia:
the leg segment distal to the femur, proximal to the tarsus
, first segment more than twice as long as broad, approximately as long as following 2 segments together. Abdomen elongateelongate:
much longer than wide
, that of female with 5 visible sternites, fifth hairy, deeply, angularly excavated, that of male broadly emarginateemarginate:
notched at the margin
, exposing sixth sternite (Linsley 1962Linsley 1962:
Linsley EG. 1962. The Cerambycidae of North America. Part III. Taxonomy and Classification of the Subfamily Cerambycinae, Tribes Opsimini Through Megaderini. University of California Publications in Entomology, Vol. 20. 188 pp.
).

Similar genera

Styloxus, Pseudomethia, Nathrius

Differential diagnosis

The rounded and transversetransverse:
broader than long
pronotum, non-clavate femora, and a less obvious scapescape:
the first proximal segment of the antenna
horn will distinguish from Styloxus. Pseudomethia has the third antennal segment shorter than the scapescape:
the first proximal segment of the antenna
and lateral pronotal tubercles.

Distribution

southern Nearctic, Neotropical

Recorded host plants

Taxodium, Juniperus, Quercus, Prosopis

Remarks

50 species. Small and delicate looking. Host of many unknown. M. mormona reared from Juniperus (Cope 1984Cope 1984:
Cope JS. 1984. Notes on the ecology of western Cerambycidae. The Coleopterists Bulletin 38 (1): 27–36.
). M. necydalea from Taxodium.

Synonyms

Thia Newman, 1840

Tessaropa Haldeman, 1847

Dysphaga Leconte, 1852

Staphylinoeme Gounelle, 1913

Taxonomy

Methia Newman, 1842

  Methia mormona  dorsal

Methia mormona dorsal

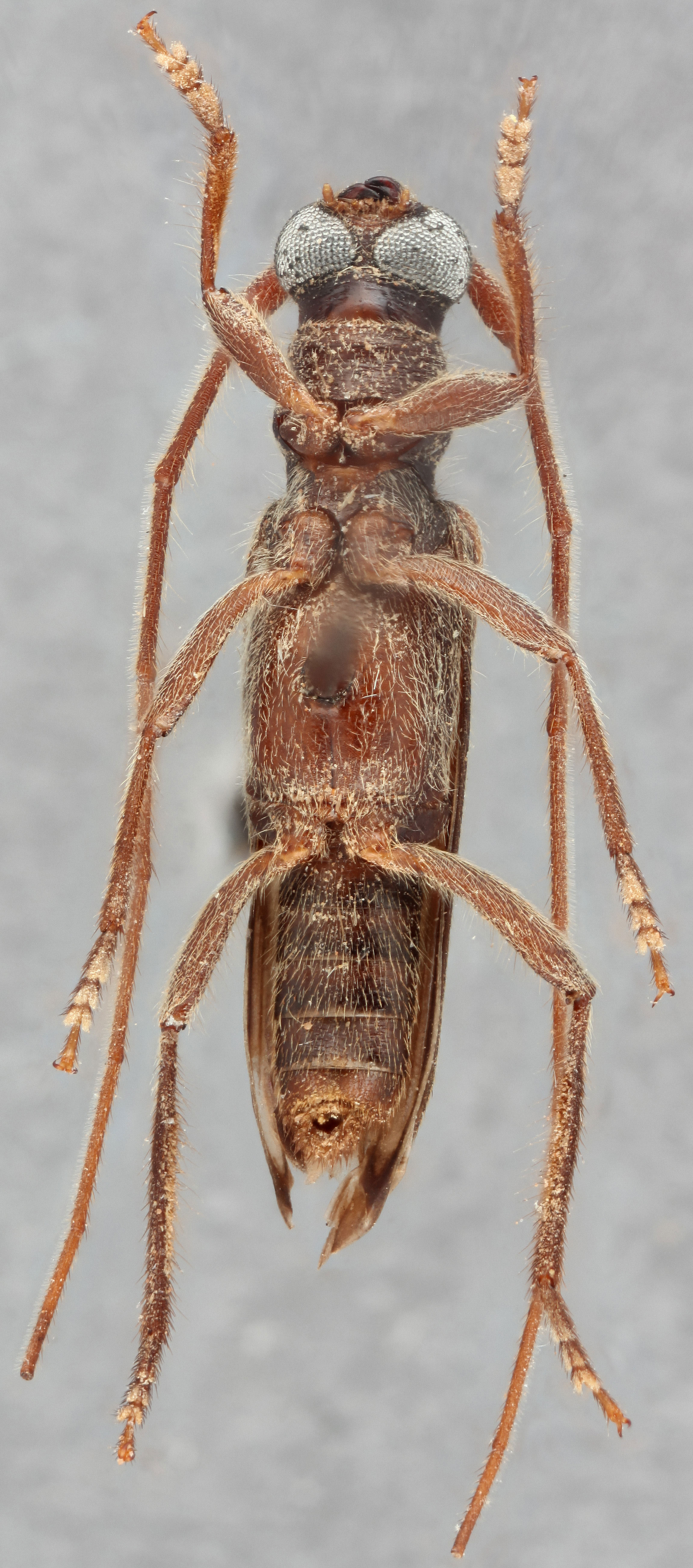
  Methia mormonanbsp; ventral

Methia mormona ventral

  Methia mormonanbsp; frontal

Methia mormona frontal

  Methia mormonanbsp; lateral

Methia mormona lateral