Megasemum

Subfamily

Spondylidinae

Diagnosis - adult

Body length: 15–35 mm. 
Eyes: eye interommatidial setaeseta:
a sclerotized hair-like projection of the cuticle
present, eye deeply emarginateemarginate:
notched at the margin
> half width, eye ommatidial density coarse. 
Antennaeantenna:
in larval and adult insects, paired segmented appendages, borne one on each side of the head, functioning as sense organs and bearing a large number of sensilla
: antennal length reaches between basebase:
the part of any appendage or structure that is nearest the body
and end of elytraelytron:
the leathery forewing of beetles, serving as a covering for the hind wings, commonly meeting opposite elytron in a straight line down the middle of the dorsum in repose
, antennal flagellar segments elongateelongate:
much longer than wide
, scapescape:
the first proximal segment of the antenna
smooth/punctate at apexapex:
end of any structure distad to the base
, antennal segment 3 > scapescape:
the first proximal segment of the antenna
, rarely scapescape:
the first proximal segment of the antenna
≥ segment 3. 
Pronotumpronotum:
the upper and dorsal part of the prothorax
: pronotumpronotum:
the upper and dorsal part of the prothorax
shape subquadratesubquadrate:
 not quite a square
, pronotumpronotum:
the upper and dorsal part of the prothorax
lateral armature absent. 
Prosternum: prosternal processprosternal process:
a posterior extension of the prosternum between the coxae
not dilated at apexapex:
end of any structure distad to the base
, procoxal cavities open posteriorly. 
Elytraelytron:
the leathery forewing of beetles, serving as a covering for the hind wings, commonly meeting opposite elytron in a straight line down the middle of the dorsum in repose
: elytral length reaching or close to end of abdomen, elytral apicesapex:
end of any structure distad to the base
rounded or truncatetruncate:
cut off squarely at the tip
, elytral color black or brown, elytral color pattern absent. 
Legs: visible tarsomerestarsomere:
subdivision or article of the tarsus, usually numbering from two to five
: 4, femora clavateclavate:
thickening gradually toward the tip
,protibial spurs: 1 or 2, tarsal clawstarsal claw:
usually paired claws of the pretarsus, at the distal end of the leg
simple.

New World: Head small; clypeusclypeus:
that part of the insect head below the frons, to which the labrum is attached anteriorly
elongateelongate:
much longer than wide
, labrumlabrum:
the upper lip, abutting the clypeus in front of the mouth
transversetransverse:
broader than long
; mandibles short, stout; maxillary palpi with last segment moderately broad at apexapex:
end of any structure distad to the base
; eyes large, coarsely faceted, emarginateemarginate:
notched at the margin
, not extending to underside of head; antennaeantenna:
in larval and adult insects, paired segmented appendages, borne one on each side of the head, functioning as sense organs and bearing a large number of sensilla
moderately stout, shorter than body in both sexes, eleventh segment feebly appendiculateappendiculate:
bearing appendages
. Pronotumpronotum:
the upper and dorsal part of the prothorax
about as wide as long, longitudinally excavated in middle; prosternum deeply emarginateemarginate:
notched at the margin
in front, slightly descending anteriorly, concave in profile; mesonotum with small stridulating areas; metepisterna moderately narrow throughout not greatly widened anteriorly. Elytraelytron:
the leathery forewing of beetles, serving as a covering for the hind wings, commonly meeting opposite elytron in a straight line down the middle of the dorsum in repose
elongate, subparallel; apicesapex:
end of any structure distad to the base
rounded. Anterior tibiaetibia:
the leg segment distal to the femur, proximal to the tarsus
with 2 spurs (Chemsak 1996Chemsak 1996:
Chemsak JA. 1996. Illustrated Revision of the Cerambycidae of North America. Volume I. Parandrinae, Spondylidinae, Aseminae, Prioninae. Wolfsgarden Books. Burbank, California 1: i–x + 1–150, pls I–X. ISBN 1-885850-02-6
).

Old World: Distinguished from the closely related genus Arhopalus by thicker, more bulging body, presence of tubercles on pronotumpronotum:
the upper and dorsal part of the prothorax
, and dense setaeseta:
a sclerotized hair-like projection of the cuticle
on under side of hind tarsitarsus:
the leg segment distal to the apex of the tibia, bearing the pretarsus; consists of one to five tarsomeres (including pretarsus)
forming tomentose platelets (Cherepanov 1988). Terminal joint of palpi only moderately broad; prosternum slightly descending; eyes not extended on under-surface of the head (Sharp 1905Sharp 1905:
Sharp D. 1905. The genus Criocephalus. The Transactions of the Entomological Society of London [1905]: 145–164, 15 figs, pl. IX. http://www.biodiversitylibrary.org/item/51242
). Single tibial spur.

Similar genera

Arhopalus

Differential diagnosis

Megasemum quadricostulatum and Arhopalus have one tibial spur while M. asperum has two. The thick granules on the pronotumpronotum:
the upper and dorsal part of the prothorax
and bulging body will distinguish M. quadricostulatum from Arhopalus.

Distribution

Holarctic: western Nearctic and eastern Palearctic

Recorded host plants

New World: Abies, Pinus, Pseudotsuga

Old World: Pinaceae; Chamaecyparis

Remarks

2 spp. (1 Old World + 1 New World), these probably belong to different genera. There is evidence to suggest the Old World species (which is the typetype:
a particular kind of specimen; e.g. allotype, cotype, holotype, lectotype, paratype, syntype
for Megasemum) nests within Arhopalus.

Taxonomy

Megasemum Kraatz, 1879

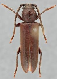
  Megasemum asperum  dorsal

Megasemum asperum dorsal

  Megasemum asperum nbsp;ventral

Megasemum asperum ventral

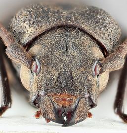
  Megasemum asperum nbsp;frontal

Megasemum asperum frontal

  Megasemum asperum nbsp;lateral

Megasemum asperum lateral

  Megasemum quadricostulatum  dorsal

Megasemum quadricostulatum dorsal

  Megasemum quadricostulatum nbsp;ventral

Megasemum quadricostulatum ventral

  Megasemum quadricostulatumnbsp; frontal

Megasemum quadricostulatum frontal

  Megasemum quadricostulatumnbsp; lateral

Megasemum quadricostulatum lateral

 PSG000955  Megasemum quadricostulatum  voucher
PSG000955 Megasemum quadricostulatum voucher