Lucasianus

Subfamily

Cerambycinae

Diagnosis - adult

Body length: 5–10 mm. 
Eyes: eye interommatidial setaeseta:
a sclerotized hair-like projection of the cuticle
present, eye deeply emarginateemarginate:
notched at the margin
> half width, eye ommatidial density coarse. 
Antennaeantenna:
in larval and adult insects, paired segmented appendages, borne one on each side of the head, functioning as sense organs and bearing a large number of sensilla
: antennal length reaches between basebase:
the part of any appendage or structure that is nearest the body
and end of elytraelytron:
the leathery forewing of beetles, serving as a covering for the hind wings, commonly meeting opposite elytron in a straight line down the middle of the dorsum in repose
or reaching/surpassing end of body, antennal flagellar segments elongateelongate:
much longer than wide
, scapescape:
the first proximal segment of the antenna
smooth/punctate at apexapex:
end of any structure distad to the base
, antennal scapescape:
the first proximal segment of the antenna
≥ segment 3. 
Pronotumpronotum:
the upper and dorsal part of the prothorax
: pronotumpronotum:
the upper and dorsal part of the prothorax
shape longer than wide, rarely subquadratesubquadrate:
 not quite a square
, pronotumpronotum:
the upper and dorsal part of the prothorax
lateral armature blunt tubercule. 
Prosternum: prosternal processprosternal process:
a posterior extension of the prosternum between the coxae
dilated at apexapex:
end of any structure distad to the base
, procoxal cavities open posteriorly. 
Elytraelytron:
the leathery forewing of beetles, serving as a covering for the hind wings, commonly meeting opposite elytron in a straight line down the middle of the dorsum in repose
: elytral length reaching or close to end of abdomen, elytral apicesapex:
end of any structure distad to the base
rounded or truncatetruncate:
cut off squarely at the tip
, elytral color black, brown, reddish, or orange, elytral color pattern absent. 
Legs: visible tarsomerestarsomere:
subdivision or article of the tarsus, usually numbering from two to five
: 4, femora clavateclavate:
thickening gradually toward the tip
, protibial spursprotibial spur:
sclerotized spine(s) located at the distal tibia; can be single, double, or absent
: 2, tarsal clawstarsal claw:
usually paired claws of the pretarsus, at the distal end of the leg
simple. 

Eyes large and protruding, strongly indented, their lower lobelobe:
a rounded projection or protuberence
reaching almost to the basebase:
the part of any appendage or structure that is nearest the body
of the mandibles. Antennaeantenna:
in larval and adult insects, paired segmented appendages, borne one on each side of the head, functioning as sense organs and bearing a large number of sensilla
fairly robust, reaching the apexapex:
end of any structure distad to the base
of the body in the male, the apical third in the female, their section IV shorter than the III and V. Pronotumpronotum:
the upper and dorsal part of the prothorax
elongated, adorned above with shiny protrusions and laterally with a small smooth rounded protuberanceprotuberance:
any outgrowth or elevation above the surface
. Elytraelytron:
the leathery forewing of beetles, serving as a covering for the hind wings, commonly meeting opposite elytron in a straight line down the middle of the dorsum in repose
flat, subparallel, rounded separately at the apexapex:
end of any structure distad to the base
. Tarsitarsus:
the leg segment distal to the apex of the tibia, bearing the pretarsus; consists of one to five tarsomeres (including pretarsus)
 moderately long, femora strongly swollen (translated, Villiers 1946Villiers 1946:
Villiers A. 1946. Coléoptères Cérambycides de l'Afrique du Nord. Faune de l'Empire Français, ORSC Paris 5: 1–152, 275 figs. http://www.cerambycoidea.com/titles/villiers1946.pdf
).

Similar genera

Axinopalpis

Differential diagnosis

Lucasianus can be differentiated from Axinopalpis by the deeply emarginateemarginate:
notched at the margin
eyes, abundant erect setaeseta:
a sclerotized hair-like projection of the cuticle
, lack of a blade-like terminal maxillary segment, and the smooth calli on the pronotal disk.

Distribution

Palearctic: Mediterranean

Recorded host plants

Cupressus sempervirens, Juniperus oxycedrus, Thuja sp., Tetraclinis articulata

Taxonomy

Lucasianus Pic, 1891

  Lucasianus levaillanti  dorsal

Lucasianus levaillanti dorsal

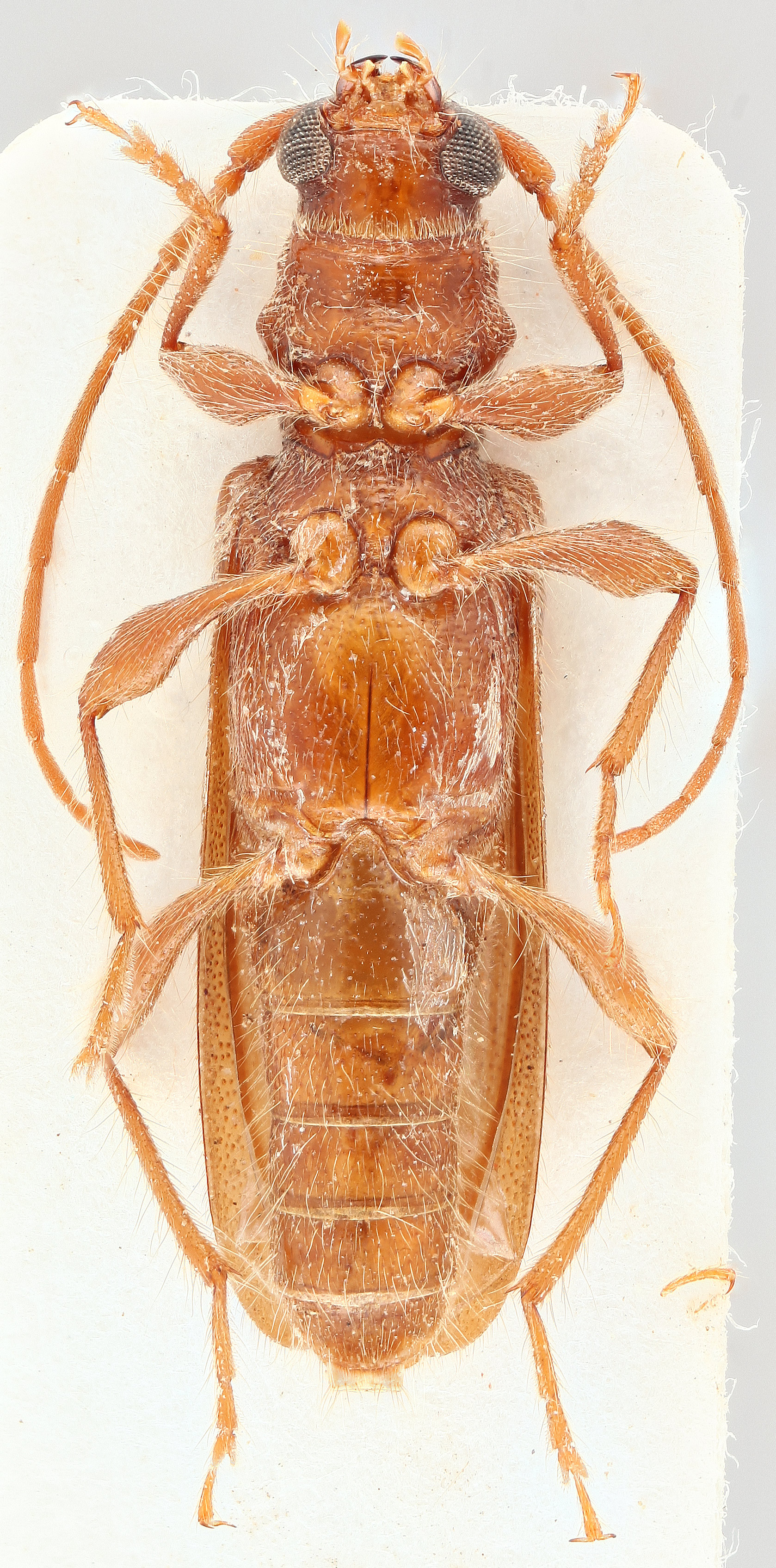
  Lucasianus levaillantinbsp; ventral

Lucasianus levaillanti ventral

  Lucasianus levaillantinbsp; frontal

Lucasianus levaillanti frontal

  Lucasianus levaillantinbsp; lateral

Lucasianus levaillanti lateral