Kazuoclytus

Subfamily

Cerambycinae

Diagnosis - adult

Body length: 6–11 mm.
Eyes: eye interommatidial setaeseta:
a sclerotized hair-like projection of the cuticle
absent, eye entire/shallowly emarginateemarginate:
notched at the margin
, eye ommatidial density fine.
Antennaeantenna:
in larval and adult insects, paired segmented appendages, borne one on each side of the head, functioning as sense organs and bearing a large number of sensilla
: antennal length reaches between basebase:
the part of any appendage or structure that is nearest the body
and end of elytraelytron:
the leathery forewing of beetles, serving as a covering for the hind wings, commonly meeting opposite elytron in a straight line down the middle of the dorsum in repose
, antennal flagellar segments elongateelongate:
much longer than wide
, scapescape:
the first proximal segment of the antenna
smooth/punctate at apexapex:
end of any structure distad to the base
, antennal scapescape:
the first proximal segment of the antenna
≥ segment 3.
Pronotumpronotum:
the upper and dorsal part of the prothorax
: pronotumpronotum:
the upper and dorsal part of the prothorax
shape subquadratesubquadrate:
 not quite a square
, rarely longer than wide, pronotumpronotum:
the upper and dorsal part of the prothorax
lateral armature absent.
Prosternum: prosternal processprosternal process:
a posterior extension of the prosternum between the coxae
not dilated at apexapex:
end of any structure distad to the base
, procoxal cavities open posteriorly.
Elytraelytron:
the leathery forewing of beetles, serving as a covering for the hind wings, commonly meeting opposite elytron in a straight line down the middle of the dorsum in repose
: elytral length reaching or close to end of abdomen, elytral apicesapex:
end of any structure distad to the base
rounded or truncatetruncate:
cut off squarely at the tip
, elytral color pattern present.
Legs: visible tarsomerestarsomere:
subdivision or article of the tarsus, usually numbering from two to five
: 4, femora clavateclavate:
thickening gradually toward the tip
, rarely slender, protibial spursprotibial spur:
sclerotized spine(s) located at the distal tibia; can be single, double, or absent
: 1, tarsal clawstarsal claw:
usually paired claws of the pretarsus, at the distal end of the leg
simple.

Similar genera

Clytus

Differential diagnosis

The single protibial spurprotibial spur:
sclerotized spine(s) located at the distal tibia; can be single, double, or absent
is unique among conifer feeding clytines. Clytus does not have strong tubercles on metasternum.

Distribution

Japan, China, South Korea

Recorded host plants

broadleaf; Abies firma

Remarks

3 species. Conifers: K. lautoides.

Taxonomy

Kazuoclytus, Hayashi, 1968

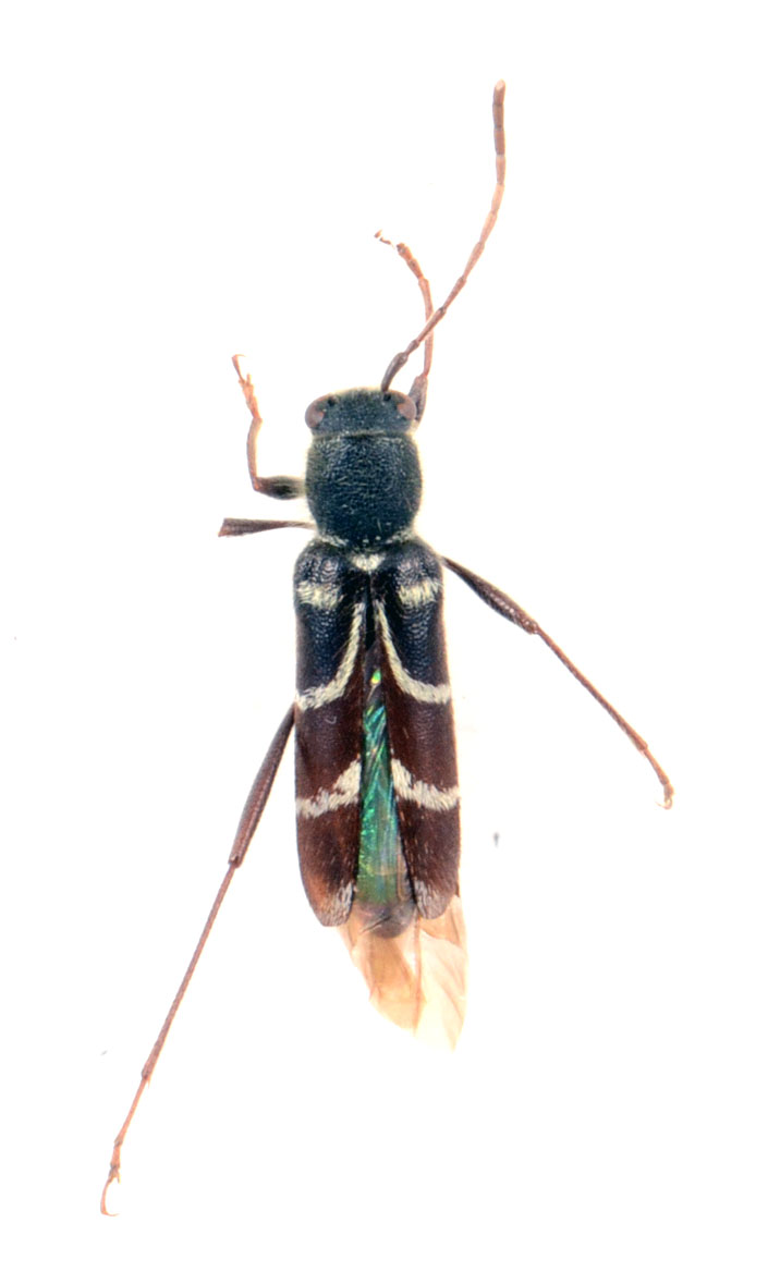
  Kazuoclytus lautoides  dorsal

Kazuoclytus lautoides dorsal

  Kazuoclytus lautoidesnbsp; ventral

Kazuoclytus lautoides ventral

  Kazuoclytus lautoidesnbsp; frontal

Kazuoclytus lautoides frontal

  Kazuoclytus lautoidesnbsp; lateral

Kazuoclytus lautoides lateral

 PSG000979nbsp; Kazuoclytus lautoides  voucher
PSG000979 Kazuoclytus lautoides voucher