Icosium

Subfamily

Cerambycinae

Diagnosis - adult

Body length: 8–16 mm. 
Eyes: eye interommatidial setaeseta:
a sclerotized hair-like projection of the cuticle
present, eye deeply emarginateemarginate:
notched at the margin
> half width, eye ommatidial density coarse. 
Antennaeantenna:
in larval and adult insects, paired segmented appendages, borne one on each side of the head, functioning as sense organs and bearing a large number of sensilla
: antennal length reaches between basebase:
the part of any appendage or structure that is nearest the body
and end of elytraelytron:
the leathery forewing of beetles, serving as a covering for the hind wings, commonly meeting opposite elytron in a straight line down the middle of the dorsum in repose
or reaching/surpassing end of body, antennal flagellar segments elongateelongate:
much longer than wide
, scapescape:
the first proximal segment of the antenna
smooth/punctate at apexapex:
end of any structure distad to the base
, antennal segment 3 > scapescape:
the first proximal segment of the antenna

Pronotumpronotum:
the upper and dorsal part of the prothorax
: pronotumpronotum:
the upper and dorsal part of the prothorax
shape longer than wide, pronotumpronotum:
the upper and dorsal part of the prothorax
lateral armature absent. 
Prosternum: prosternal processprosternal process:
a posterior extension of the prosternum between the coxae
dilated at apexapex:
end of any structure distad to the base
, procoxal cavities open posteriorly. 
Elytraelytron:
the leathery forewing of beetles, serving as a covering for the hind wings, commonly meeting opposite elytron in a straight line down the middle of the dorsum in repose
: elytral length reaching or close to end of abdomen, elytral apicesapex:
end of any structure distad to the base
rounded or truncatetruncate:
cut off squarely at the tip
, elytral color brown or reddish, elytral color pattern present or absent. 
Legs: visible tarsomerestarsomere:
subdivision or article of the tarsus, usually numbering from two to five
: 4, femora slender, rarely clavateclavate:
thickening gradually toward the tip
, protibial spursprotibial spur:
sclerotized spine(s) located at the distal tibia; can be single, double, or absent
: 2, tarsal clawstarsal claw:
usually paired claws of the pretarsus, at the distal end of the leg
simple. 

Similar genera

Stromatium

Differential diagnosis

The 1–3 shining vertical lines on the pronotumpronotum:
the upper and dorsal part of the prothorax
and lack of armature on the antennal tubercles will differentiate from Stromatium and other Hesperophanini genera.

Distribution

Palearctic: southern Europe, North Africa

Introduced in USA: California

Recorded host plants

Cupressaceae; Pinus, Cedrus atlantica

Remarks

1 species with 2 sspp.

Taxonomy

Icosium Lucas, 1854

  Icosium t. tomentosumnbsp; dorsal

Icosium t. tomentosum dorsal

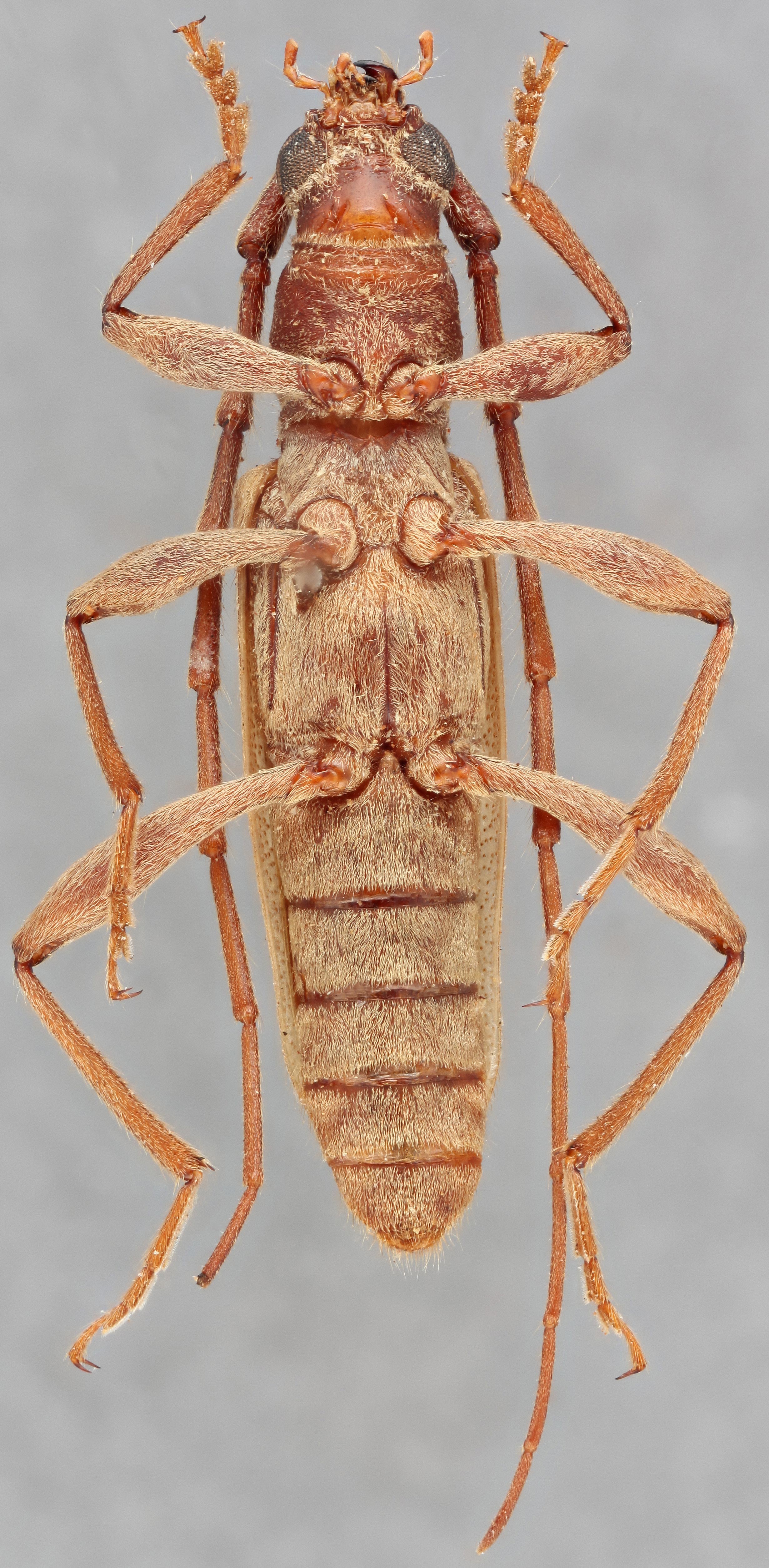
  Icosium t. tomentosumnbsp; ventral

Icosium t. tomentosum ventral

  Icosium t. tomentosumnbsp; frontal

Icosium t. tomentosum frontal

  Icosium t. tomentosumnbsp; lateral

Icosium t. tomentosum lateral