Holopleura

Subfamily

Cerambycinae

Diagnosis - adult

Body length: 5–11.5 mm.
Eyes: eye interommatidial setaeseta:
a sclerotized hair-like projection of the cuticle
absent, eye deeply emarginateemarginate:
notched at the margin
> half width, eye ommatidial density fine.
Antennaeantenna:
in larval and adult insects, paired segmented appendages, borne one on each side of the head, functioning as sense organs and bearing a large number of sensilla
: antennal length reaches between basebase:
the part of any appendage or structure that is nearest the body
and end of elytraelytron:
the leathery forewing of beetles, serving as a covering for the hind wings, commonly meeting opposite elytron in a straight line down the middle of the dorsum in repose
, rarely reaching/surpassing end of body, antennal flagellar segments elongateelongate:
much longer than wide
, scapescape:
the first proximal segment of the antenna
smooth/punctate at apexapex:
end of any structure distad to the base
, antennal scapescape:
the first proximal segment of the antenna
≥ segment 3.
Pronotumpronotum:
the upper and dorsal part of the prothorax
: pronotumpronotum:
the upper and dorsal part of the prothorax
shape transversetransverse:
broader than long
, pronotumpronotum:
the upper and dorsal part of the prothorax
lateral armature absent.
Prosternum: prosternal processprosternal process:
a posterior extension of the prosternum between the coxae
not dilated at apexapex:
end of any structure distad to the base
, rarely dilated at apexapex:
end of any structure distad to the base
, procoxal cavities open posteriorly.
Elytraelytron:
the leathery forewing of beetles, serving as a covering for the hind wings, commonly meeting opposite elytron in a straight line down the middle of the dorsum in repose
: elytral length reaching or close to end of abdomen, elytral apicesapex:
end of any structure distad to the base
rounded or truncatetruncate:
cut off squarely at the tip
, elytral color orange, elytral color pattern present or absent.
Legs: visible tarsomerestarsomere:
subdivision or article of the tarsus, usually numbering from two to five
: 4, femora clavateclavate:
thickening gradually toward the tip
, protibial spursprotibial spur:
sclerotized spine(s) located at the distal tibia; can be single, double, or absent
: 2, tarsal clawstarsal claw:
usually paired claws of the pretarsus, at the distal end of the leg
simple.

Body depressed. Head short; antennaeantenna:
in larval and adult insects, paired segmented appendages, borne one on each side of the head, functioning as sense organs and bearing a large number of sensilla
widely separated, filiformfiliform:
threadlike, i.e., slender and of equal diameter, being commonly applied to antennae
, eleventh segment undivided; eyes small, finely faceted, deeply emarginateemarginate:
notched at the margin
, upper lobelobe:
a rounded projection or protuberence
narrow. Pronotumpronotum:
the upper and dorsal part of the prothorax
moderately coarsely punctured on disk. Elytraelytron:
the leathery forewing of beetles, serving as a covering for the hind wings, commonly meeting opposite elytron in a straight line down the middle of the dorsum in repose
parallel-sided, apicesapex:
end of any structure distad to the base
rounded. Legs slender; femora pedunculate, clavateclavate:
thickening gradually toward the tip
; tarsitarsus:
the leg segment distal to the apex of the tibia, bearing the pretarsus; consists of one to five tarsomeres (including pretarsus)
broad, first segment of posterior pair 1 1/2 times as long as second, shorter than 2 following together (Linsley 1962Linsley 1962:
Linsley EG. 1962. The Cerambycidae of North America. Part III. Taxonomy and Classification of the Subfamily Cerambycinae, Tribes Opsimini Through Megaderini. University of California Publications in Entomology, Vol. 20. 188 pp.
).

Differential diagnosis

This genus is rather distinct, the body is depressed and the elytral suturesuture:
groove marking the line of fusion of two formerly distinct plates; the line of junction of elytra
is elevated towards the apexapex:
end of any structure distad to the base
. The body size and maculation are variable.

Distribution

Nearctic: British Columbia to California

Recorded host plants

Abies bracteata, Pseudotsuga taxifolia; Kalmia, Umbellularia californica

Remarks

Monotypic. Larvae in cambium of recently dead branches with pupation in heartwood (Penrose and Westcott 1974Penrose and Westcott 1974:
Penrose RL and Westcott RL. 1974. Notes on the distribution, hosts and bionomics of some pacific northwest Cerambycidae (Coleoptera). Coleopterists Bulletin 28: 233–36.
).

Taxonomy

Holopleura LeConte, 1873

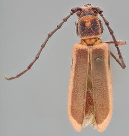
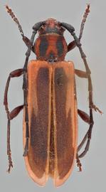
  Holopleura marginata  dorsal

Holopleura marginata dorsal

  Holopleura marginata nbsp;dorsal

Holopleura marginata dorsal

  Holopleura marginata nbsp;dorsal

Holopleura marginata dorsal

  Holopleura marginata nbsp;ventral

Holopleura marginata ventral

  Holopleura marginata nbsp;frontal

Holopleura marginata frontal

  Holopleura marginata nbsp;lateral

Holopleura marginata lateral