Hirticlytus

Subfamily

Cerambycinae

Diagnosis - adult

Body length: 8–11.5 mm.
Eyes: eye interommatidial setaeseta:
a sclerotized hair-like projection of the cuticle
absent, eye deeply emarginateemarginate:
notched at the margin
> half width, eye ommatidial density fine.
Antennaeantenna:
in larval and adult insects, paired segmented appendages, borne one on each side of the head, functioning as sense organs and bearing a large number of sensilla
: antennal length reaches between basebase:
the part of any appendage or structure that is nearest the body
and end of elytraelytron:
the leathery forewing of beetles, serving as a covering for the hind wings, commonly meeting opposite elytron in a straight line down the middle of the dorsum in repose
, antennal flagellar segments elongateelongate:
much longer than wide
, scapescape:
the first proximal segment of the antenna
smooth/punctate at apexapex:
end of any structure distad to the base
, antennal scapescape:
the first proximal segment of the antenna
≥ segment 3.
Pronotumpronotum:
the upper and dorsal part of the prothorax
: pronotumpronotum:
the upper and dorsal part of the prothorax
shape transversetransverse:
broader than long
or subquadratesubquadrate:
 not quite a square
, pronotumpronotum:
the upper and dorsal part of the prothorax
lateral armature absent.
Prosternum: prosternal processprosternal process:
a posterior extension of the prosternum between the coxae
dilated at apexapex:
end of any structure distad to the base
, procoxal cavities open posteriorly.
Elytraelytron:
the leathery forewing of beetles, serving as a covering for the hind wings, commonly meeting opposite elytron in a straight line down the middle of the dorsum in repose
: elytral length reaching or close to end of abdomen, elytral apicesapex:
end of any structure distad to the base
rounded or truncatetruncate:
cut off squarely at the tip
, with tooth or spinespine:
a protuberance with an acute (sharp) distal end
, rarely emarginateemarginate:
notched at the margin
, elytral color pattern present.
Legs: visible tarsomerestarsomere:
subdivision or article of the tarsus, usually numbering from two to five
: 4, femora clavateclavate:
thickening gradually toward the tip
, protibial spursprotibial spur:
sclerotized spine(s) located at the distal tibia; can be single, double, or absent
: 2, tarsal clawstarsal claw:
usually paired claws of the pretarsus, at the distal end of the leg
simple.

Short, broad and convex body (Niisato 2007Niisato 2007:
Niisato T. 2007. Yoshiakioclytus, a New Anaglyptine Genus (Coleoptera, Cerambycidae) from Taiwan. Elytra, Tokyo 35(2): 577–584, 13 figs.
).

Anaglyptini: short metepimeronmetepimeron:
the epimeral portion of the pleuron on the posterior thoracic segment
which barely reaches the anterior part of hind coxae, tubercletubercle:
a small knoblike or rounded protuberance
on basebase:
the part of any appendage or structure that is nearest the body
of each elytronelytron:
the leathery forewing of beetles, serving as a covering for the hind wings, commonly meeting opposite elytron in a straight line down the middle of the dorsum in repose
.

Similar genera

Anaglyptus, Yoshiakioclytus

Differential diagnosis

While a short, broad and convex body and a similar conformation of basal tubercles on the elytraelytron:
the leathery forewing of beetles, serving as a covering for the hind wings, commonly meeting opposite elytron in a straight line down the middle of the dorsum in repose
and the male genital organ are shared with Yoshiakioclytus, species of Yoshiakioclytus are smaller (<8mm), have two longitudinal lines of black setaeseta:
a sclerotized hair-like projection of the cuticle
on the pronotumpronotum:
the upper and dorsal part of the prothorax
reaching from the middle to posterior margin and a clear median white fascia on the elytraelytron:
the leathery forewing of beetles, serving as a covering for the hind wings, commonly meeting opposite elytron in a straight line down the middle of the dorsum in repose
angled posteriolaterally. 

Distribution

Japan, Laos

Recorded host plants

Podocarpus

Remarks

2 species. H. comosus bores in living Podocarpus trees. Feeding of H. apistus unknown.

Taxonomy

Hirticlytus, Ohbayashi, 1960

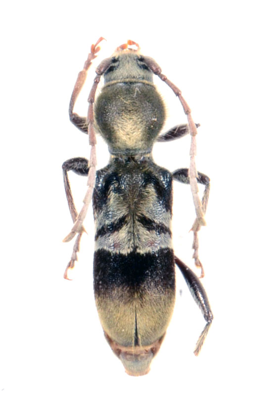
  Hirticlytus comosus nbsp;dorsal

Hirticlytus comosus dorsal

  Hirticlytus comosus nbsp;ventral

Hirticlytus comosus ventral

  Hirticlytus comosus nbsp;frontal

Hirticlytus comosus frontal

  Hirticlytus comosus nbsp;lateral

Hirticlytus comosus lateral

 PSG000983nbsp; Hirticlytus comosus  voucher
PSG000983 Hirticlytus comosus voucher