Hesperophanes

Subfamily

Cerambycinae

Diagnosis - adult

Body length: 18–28 mm. 
Eyes: eye interommatidial setaeseta:
a sclerotized hair-like projection of the cuticle
present, eye deeply emarginateemarginate:
notched at the margin
> half width, eye ommatidial density coarse. 
Antennaeantenna:
in larval and adult insects, paired segmented appendages, borne one on each side of the head, functioning as sense organs and bearing a large number of sensilla
: antennal length reaches between basebase:
the part of any appendage or structure that is nearest the body
and end of elytraelytron:
the leathery forewing of beetles, serving as a covering for the hind wings, commonly meeting opposite elytron in a straight line down the middle of the dorsum in repose
or reaching/surpassing end of body, antennal flagellar segments elongateelongate:
much longer than wide
, scapescape:
the first proximal segment of the antenna
smooth/punctate at apexapex:
end of any structure distad to the base
, antennal scapescape:
the first proximal segment of the antenna
≥ segment 3 or segment 3 > scapescape:
the first proximal segment of the antenna

Pronotumpronotum:
the upper and dorsal part of the prothorax
: pronotumpronotum:
the upper and dorsal part of the prothorax
shape transversetransverse:
broader than long
, pronotumpronotum:
the upper and dorsal part of the prothorax
lateral armature absent. 
Prosternum: prosternal processprosternal process:
a posterior extension of the prosternum between the coxae
dilated at apexapex:
end of any structure distad to the base
, rarely not dilated at apexapex:
end of any structure distad to the base
, procoxal cavities open posteriorly. 
Elytraelytron:
the leathery forewing of beetles, serving as a covering for the hind wings, commonly meeting opposite elytron in a straight line down the middle of the dorsum in repose
: elytral length reaching or close to end of abdomen, elytral apicesapex:
end of any structure distad to the base
rounded or truncatetruncate:
cut off squarely at the tip
, rarely with tooth or spinespine:
a protuberance with an acute (sharp) distal end
, elytral color brown, reddish, or orange, elytral color pattern present or absent. 
Legs: visible tarsomerestarsomere:
subdivision or article of the tarsus, usually numbering from two to five
: 4, femora robust, rarely clavateclavate:
thickening gradually toward the tip
, protibial spursprotibial spur:
sclerotized spine(s) located at the distal tibia; can be single, double, or absent
: 2, tarsal clawstarsal claw:
usually paired claws of the pretarsus, at the distal end of the leg
simple.

Form elongateelongate:
much longer than wide
, moderately robust, a little depressed. Head slightly concave and without transversetransverse:
broader than long
ridge between antennaeantenna:
in larval and adult insects, paired segmented appendages, borne one on each side of the head, functioning as sense organs and bearing a large number of sensilla
, antennal tubercles not prominent, not acute; front subvertical; antennaeantenna:
in larval and adult insects, paired segmented appendages, borne one on each side of the head, functioning as sense organs and bearing a large number of sensilla
longer than body in male, shorter than body in female. Pronotumpronotum:
the upper and dorsal part of the prothorax
a little wider than long, convex, rounded at sides, narrowed more toward basebase:
the part of any appendage or structure that is nearest the body
than apexapex:
end of any structure distad to the base
, without large tomentose depression on each side; presternum with intercoxal process slightly arched, sloping gradually posteriorly, usually a little widened toward end. Elytraelytron:
the leathery forewing of beetles, serving as a covering for the hind wings, commonly meeting opposite elytron in a straight line down the middle of the dorsum in repose
with rounded apicesapex:
end of any structure distad to the base
. Legs moderate; femora gradually thickened, not clavateclavate:
thickening gradually toward the tip
, posterior pair not reaching elytral apicesapex:
end of any structure distad to the base
; posterior tarsitarsus:
the leg segment distal to the apex of the tibia, bearing the pretarsus; consists of one to five tarsomeres (including pretarsus)
with first segment not longer than 2 following together (Linsley 1962Linsley 1962:
Linsley EG. 1962. The Cerambycidae of North America. Part III. Taxonomy and Classification of the Subfamily Cerambycinae, Tribes Opsimini Through Megaderini. University of California Publications in Entomology, Vol. 20. 188 pp.
).

Fairly large head, as wide as the thoraxthorax:
the middle body segment in insects which bears the legs and wings, consists of the pro-, meso-, and meta- thorax
at the apexapex:
end of any structure distad to the base
. Coarse faceted eyes. Antennaeantenna:
in larval and adult insects, paired segmented appendages, borne one on each side of the head, functioning as sense organs and bearing a large number of sensilla
not exceeding, or exceeding very slightly, the apexapex:
end of any structure distad to the base
of the body in males. The 1st article three times longer than the 2nd. Pronotumpronotum:
the upper and dorsal part of the prothorax
rounded and convex. Elytraelytron:
the leathery forewing of beetles, serving as a covering for the hind wings, commonly meeting opposite elytron in a straight line down the middle of the dorsum in repose
sub-parallel, rounded at the apexapex:
end of any structure distad to the base
. Globular anterior coxae. Anterior coxal cavities closely open behind (including Trichoferus, Villiers 1946Villiers 1946:
Villiers A. 1946. Coléoptères Cérambycides de l'Afrique du Nord. Faune de l'Empire Français, ORSC Paris 5: 1–152, 275 figs. http://www.cerambycoidea.com/titles/villiers1946.pdf
).

Similar genera

Trichoferus, Stromatium

Differential diagnosis

Differs from Trichoferus by the lack of erect elytral setaeseta:
a sclerotized hair-like projection of the cuticle
in a lateral view. Stromatium differs by having spined elytral apicesapex:
end of any structure distad to the base
and a dentate projection on the antennal tubercleantennal tubercle:
the protuberance on the head where the antenna arises
near the vertexvertex:
the top of the head between the eyes, frons and occiput, anterior to the occipital suture
.

Distribution

eastern Nearctic (H. pubescens); Palearctic, Afrotropical

Recorded host plants

broadleaf; Cupressus, Pinus (Danilevsky and Miroshnikov 1985)

Remarks

Eight species. H. sericeus known from conifers (Sama et al. 2010Sama et al. 2010:
Sama, G, Buse J, Orbach E, Friedman ALL, Rittner O and Chikatunov V. 2010. A new catalogue of the Cerambycidae (Coleoptera) of Israel with notes on their distribution and host plants. Munis Entomology & Zoology 5(1): 1–51
).

Synonyms

Anoplium Haldeman, 1847

Stromatium LeConte (non Audinet-Serville), 1873

Taxonomy

Hesperophanes Dejean, 1835

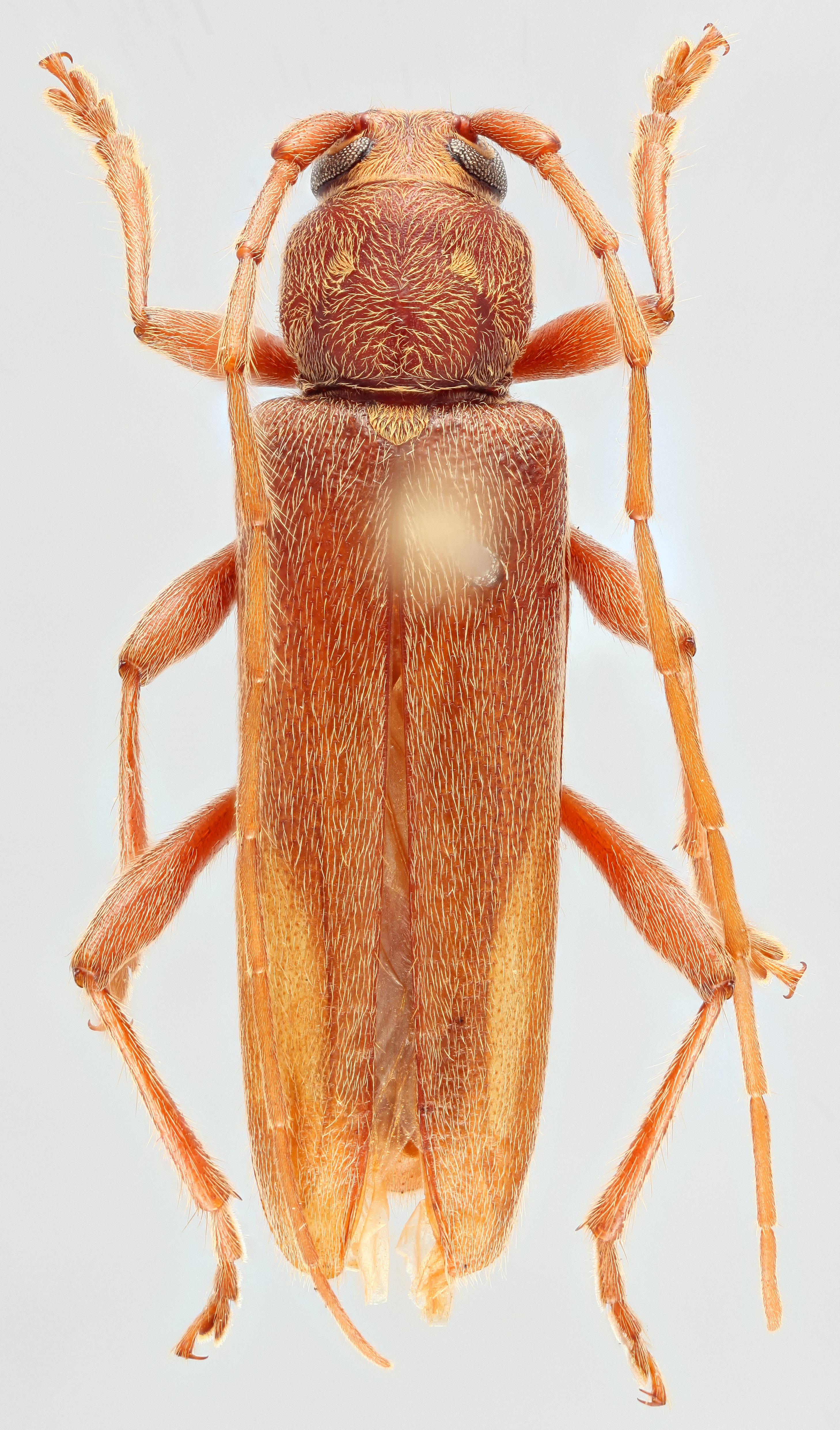
  Hesperophanes pubescensnbsp; dorsal

Hesperophanes pubescens dorsal

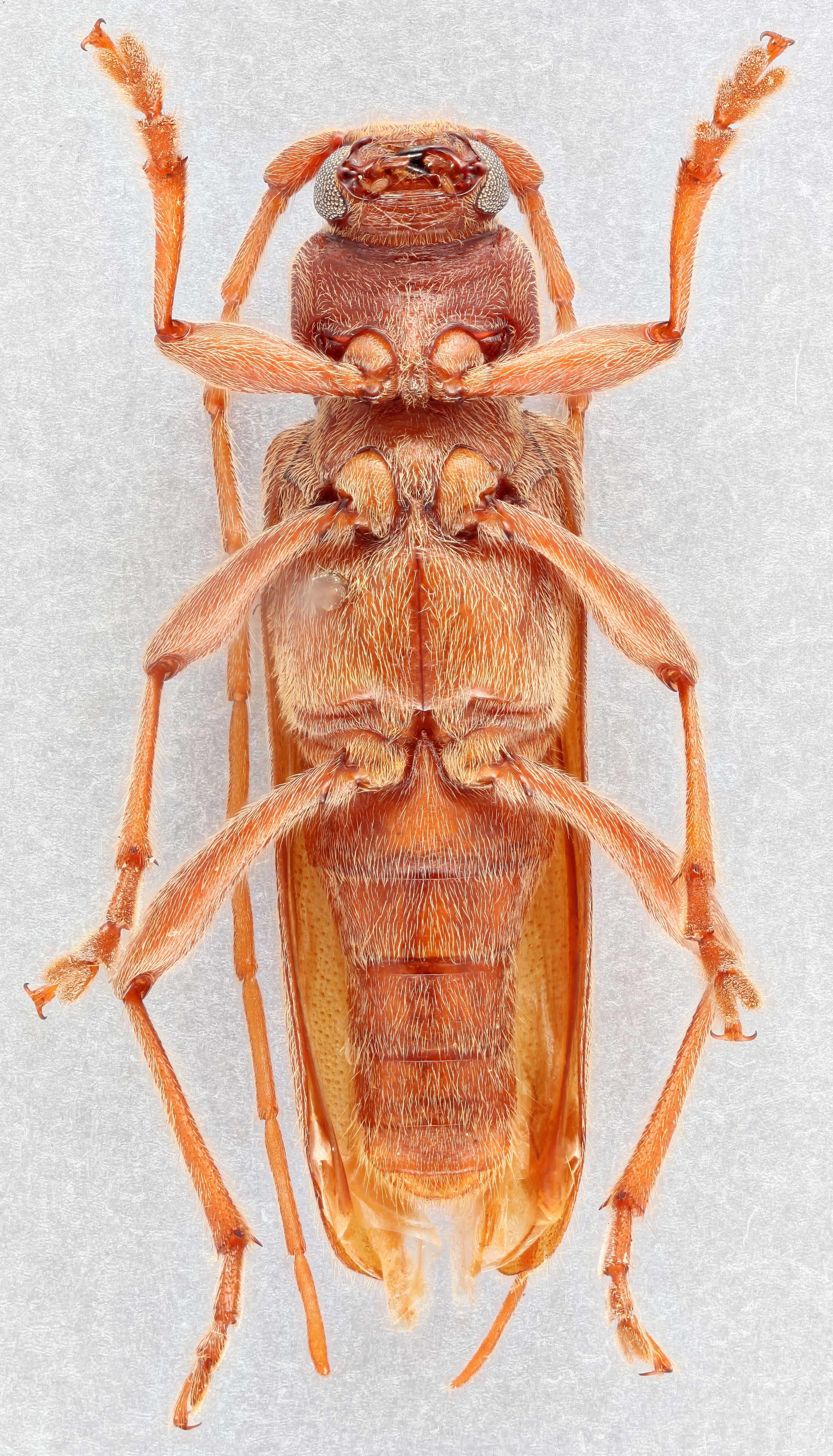
  Hesperophanes pubescens nbsp;ventral

Hesperophanes pubescens ventral

  Hesperophanes pubescensnbsp; frontal

Hesperophanes pubescens frontal

  Hesperophanes pubescensnbsp; lateral

Hesperophanes pubescens lateral

 PSG55  Hesperophanes pubescens  voucher
PSG55 Hesperophanes pubescens voucher