Haplidus

Subfamily

Cerambycinae

Diagnosis - adult

Body length: 8–16 mm.
Eyes: eye interommatidial setaeseta:
a sclerotized hair-like projection of the cuticle
present, eye entire/shallowly emarginateemarginate:
notched at the margin
or deeply emarginateemarginate:
notched at the margin
> half width, eye ommatidial density coarse.
Antennaeantenna:
in larval and adult insects, paired segmented appendages, borne one on each side of the head, functioning as sense organs and bearing a large number of sensilla
: antennal length reaches between basebase:
the part of any appendage or structure that is nearest the body
and end of elytraelytron:
the leathery forewing of beetles, serving as a covering for the hind wings, commonly meeting opposite elytron in a straight line down the middle of the dorsum in repose
or reaching/surpassing end of body, antennal flagellar segments elongateelongate:
much longer than wide
, scapescape:
the first proximal segment of the antenna
smooth/punctate at apexapex:
end of any structure distad to the base
, antennal scapescape:
the first proximal segment of the antenna
≥ segment 3 or segment 3 > scapescape:
the first proximal segment of the antenna
.
Pronotumpronotum:
the upper and dorsal part of the prothorax
: pronotumpronotum:
the upper and dorsal part of the prothorax
shape subquadratesubquadrate:
 not quite a square
or longer than wide, pronotumpronotum:
the upper and dorsal part of the prothorax
lateral armature absent.
Prosternum: prosternal processprosternal process:
a posterior extension of the prosternum between the coxae
not dilated at apexapex:
end of any structure distad to the base
, procoxal cavities open posteriorly.
Elytraelytron:
the leathery forewing of beetles, serving as a covering for the hind wings, commonly meeting opposite elytron in a straight line down the middle of the dorsum in repose
: elytral length reaching or close to end of abdomen, elytral apicesapex:
end of any structure distad to the base
rounded or truncatetruncate:
cut off squarely at the tip
, elytral color brown, elytral color pattern absent.
Legs: visible tarsomerestarsomere:
subdivision or article of the tarsus, usually numbering from two to five
: 4, femora clavateclavate:
thickening gradually toward the tip
, rarely slender, protibial spursprotibial spur:
sclerotized spine(s) located at the distal tibia; can be single, double, or absent
: 2, tarsal clawstarsal claw:
usually paired claws of the pretarsus, at the distal end of the leg
simple.

Body elongateelongate:
much longer than wide
, slender, depressed. Head short; front vertical; antennaeantenna:
in larval and adult insects, paired segmented appendages, borne one on each side of the head, functioning as sense organs and bearing a large number of sensilla
slender, longer than body in male, fourth segment shorter than third or fifth, segments unarmed at apicesapex:
end of any structure distad to the base
, second segment short; eyes large, coarsely faceted, moderately emarginateemarginate:
notched at the margin
, not or scarcely embracing antennal insertion; maxillary and labial palpi short, subequal in length, last segment cylindricalcylindrical:
shaped like a cylinder, parallel sided
. Pronotumpronotum:
the upper and dorsal part of the prothorax
suboctagonal, slightly constricted at basebase:
the part of any appendage or structure that is nearest the body
; prosternum with intercoxal process very narrow, not expanded posteriorly; anterior coxae moderately prominent, cavities broadly angulate externally, wide open posteriorly; intermediate coxal cavities open to epimera; metepisterna broad in front, narrowed to a point behind. Elytral elongateelongate:
much longer than wide
, parallel-sided, entire, not costate; apicesapex:
end of any structure distad to the base
rounded or feebly truncatetruncate:
cut off squarely at the tip
. Legs slender; femora feebly clavateclavate:
thickening gradually toward the tip
 (Linsley 1962Linsley 1962:
Linsley EG. 1962. The Cerambycidae of North America. Part III. Taxonomy and Classification of the Subfamily Cerambycinae, Tribes Opsimini Through Megaderini. University of California Publications in Entomology, Vol. 20. 188 pp.
).

Similar genera

Hesperanoplium

Differential diagnosis

Can be differentiated from Hesperanoplium by the maxillary and labial palpi being cylindricalcylindrical:
shaped like a cylinder, parallel sided
rather than expanded and triangular. Differs from the Methiini by the short, slender, subequal palpi and shape (globular) of the anterior coxae.

Distribution

Nearctic: eastern California through Great Basin to Texas

Recorded host plants

Pinus monophylla, P. ponderosa

Remarks

Five species. Conifers: H. testaceus.

Taxonomy

Haplidus LeConte, 1873

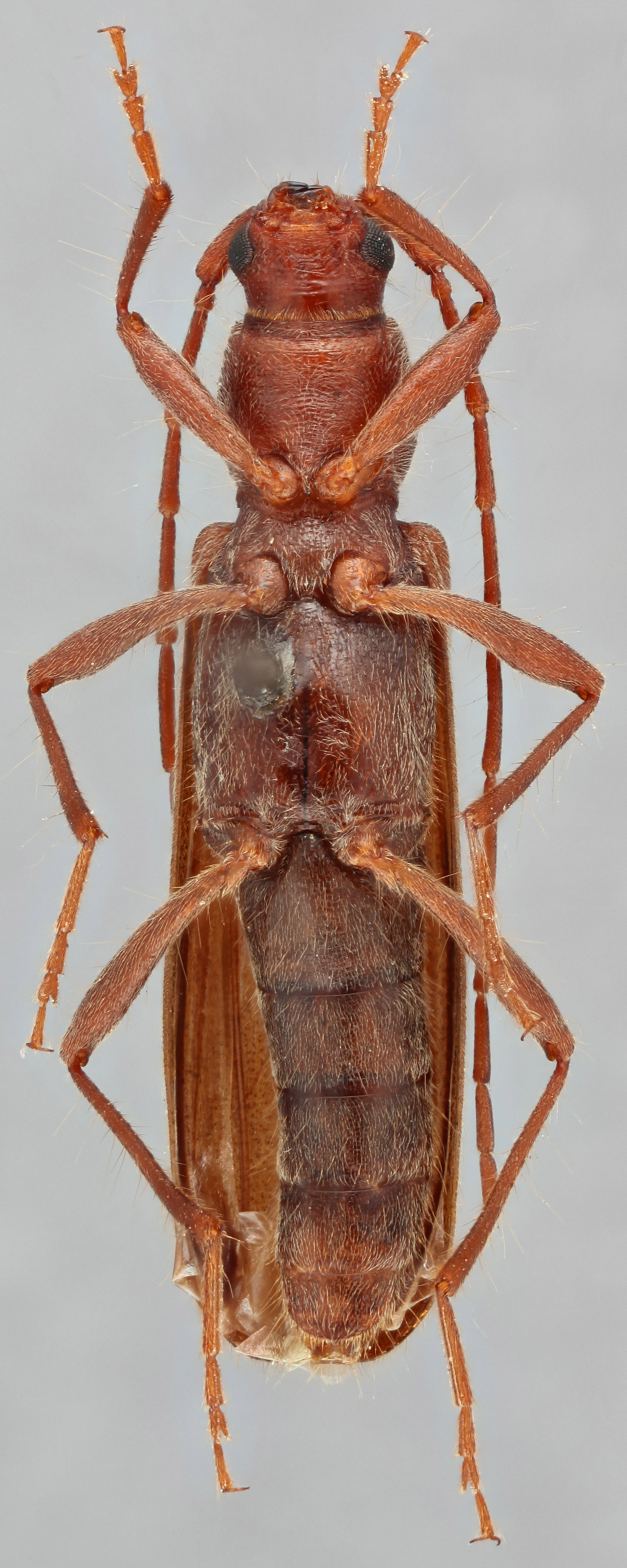
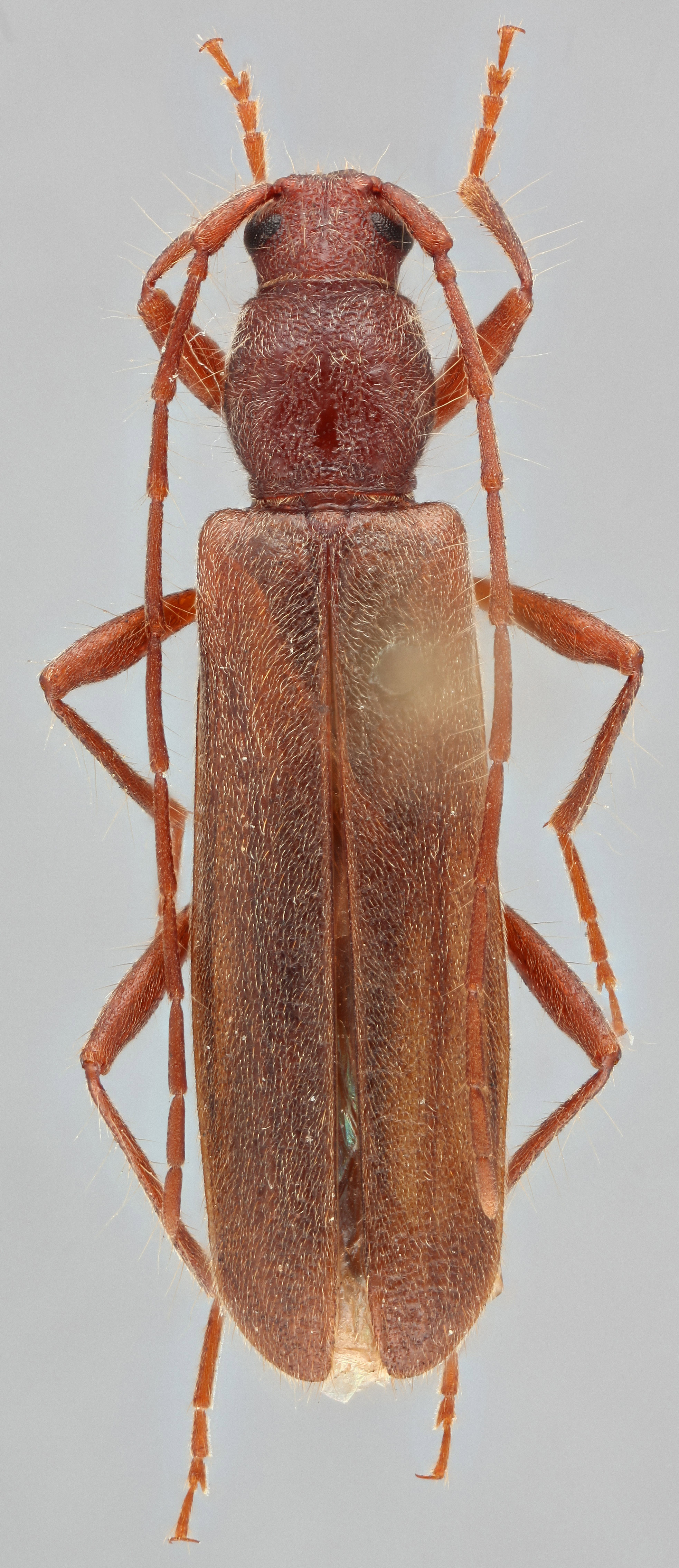
  Haplidus testaceus nbsp;dorsal

Haplidus testaceus dorsal

  Haplidus testaceus nbsp;ventral

Haplidus testaceus ventral

  Haplidus testaceus nbsp;frontal

Haplidus testaceus frontal

  Haplidus testaceus nbsp;lateral

Haplidus testaceus lateral

  Haplidus laticeps  dorsal

Haplidus laticeps dorsal

  Haplidus laticeps  ventral

Haplidus laticeps ventral

  Haplidus laticeps  frontal

Haplidus laticeps frontal

  Haplidus laticepsnbsp; lateral

Haplidus laticeps lateral