Eurysthea

Subfamily

Cerambycinae

Diagnosis - adult

Body length: 13–33.3 mm. 
Eyes: eye interommatidial setaeseta:
a sclerotized hair-like projection of the cuticle
present, eye deeply emarginateemarginate:
notched at the margin
> half width, eye ommatidial density coarse. 
Antennaeantenna:
in larval and adult insects, paired segmented appendages, borne one on each side of the head, functioning as sense organs and bearing a large number of sensilla
: antennal length reaches between basebase:
the part of any appendage or structure that is nearest the body
and end of elytraelytron:
the leathery forewing of beetles, serving as a covering for the hind wings, commonly meeting opposite elytron in a straight line down the middle of the dorsum in repose
or reaching/surpassing end of body, antennal flagellar segments elongateelongate:
much longer than wide
, scapescape:
the first proximal segment of the antenna
smooth/punctate at apexapex:
end of any structure distad to the base
, antennal segment 3 > scapescape:
the first proximal segment of the antenna

Pronotumpronotum:
the upper and dorsal part of the prothorax
: pronotumpronotum:
the upper and dorsal part of the prothorax
shape transversetransverse:
broader than long
, pronotumpronotum:
the upper and dorsal part of the prothorax
lateral armature absent or acute spinespine:
a protuberance with an acute (sharp) distal end

Prosternum: prosternal processprosternal process:
a posterior extension of the prosternum between the coxae
dilated at apexapex:
end of any structure distad to the base
, procoxal cavities open posteriorly. 
Elytraelytron:
the leathery forewing of beetles, serving as a covering for the hind wings, commonly meeting opposite elytron in a straight line down the middle of the dorsum in repose
: elytral length reaching or close to end of abdomen, elytral apicesapex:
end of any structure distad to the base
rounded or truncatetruncate:
cut off squarely at the tip
, emarginateemarginate:
notched at the margin
or with tooth or spinespine:
a protuberance with an acute (sharp) distal end
, elytral color black, brown, or reddish, elytral color pattern present or absent. 
Legs: visible tarsomerestarsomere:
subdivision or article of the tarsus, usually numbering from two to five
: 4, femora clavateclavate:
thickening gradually toward the tip
or slender, protibial spursprotibial spur:
sclerotized spine(s) located at the distal tibia; can be single, double, or absent
: 2, tarsal clawstarsal claw:
usually paired claws of the pretarsus, at the distal end of the leg
simple.

Similar genera

Mallocera

Differential diagnosis

Eurysthea is variable in many of these characters but can be diagnosed by the brown to reddish color, usually a yellowish maculamacula:
a spot or mark
on the elytraelytron:
the leathery forewing of beetles, serving as a covering for the hind wings, commonly meeting opposite elytron in a straight line down the middle of the dorsum in repose
, erect white setaeseta:
a sclerotized hair-like projection of the cuticle
on the elytraelytron:
the leathery forewing of beetles, serving as a covering for the hind wings, commonly meeting opposite elytron in a straight line down the middle of the dorsum in repose
and usually femora, and often (but not in all species) a lateral pronotal spinespine:
a protuberance with an acute (sharp) distal end
positioned on the posterior third. 

Distribution

Neotropical

Recorded host plants

broadleaf trees

Remarks

26 species

Synonyms

Euristhea Lacordaire, 1868 [misspelling]

Paramallocera Aurivillius, 1912

Taxonomy

Eurysthea Thomson, 1861

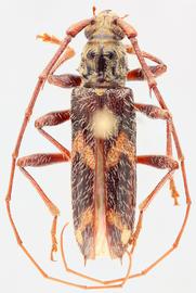
  Eurysthea cribripennis  dorsal

Eurysthea cribripennis dorsal

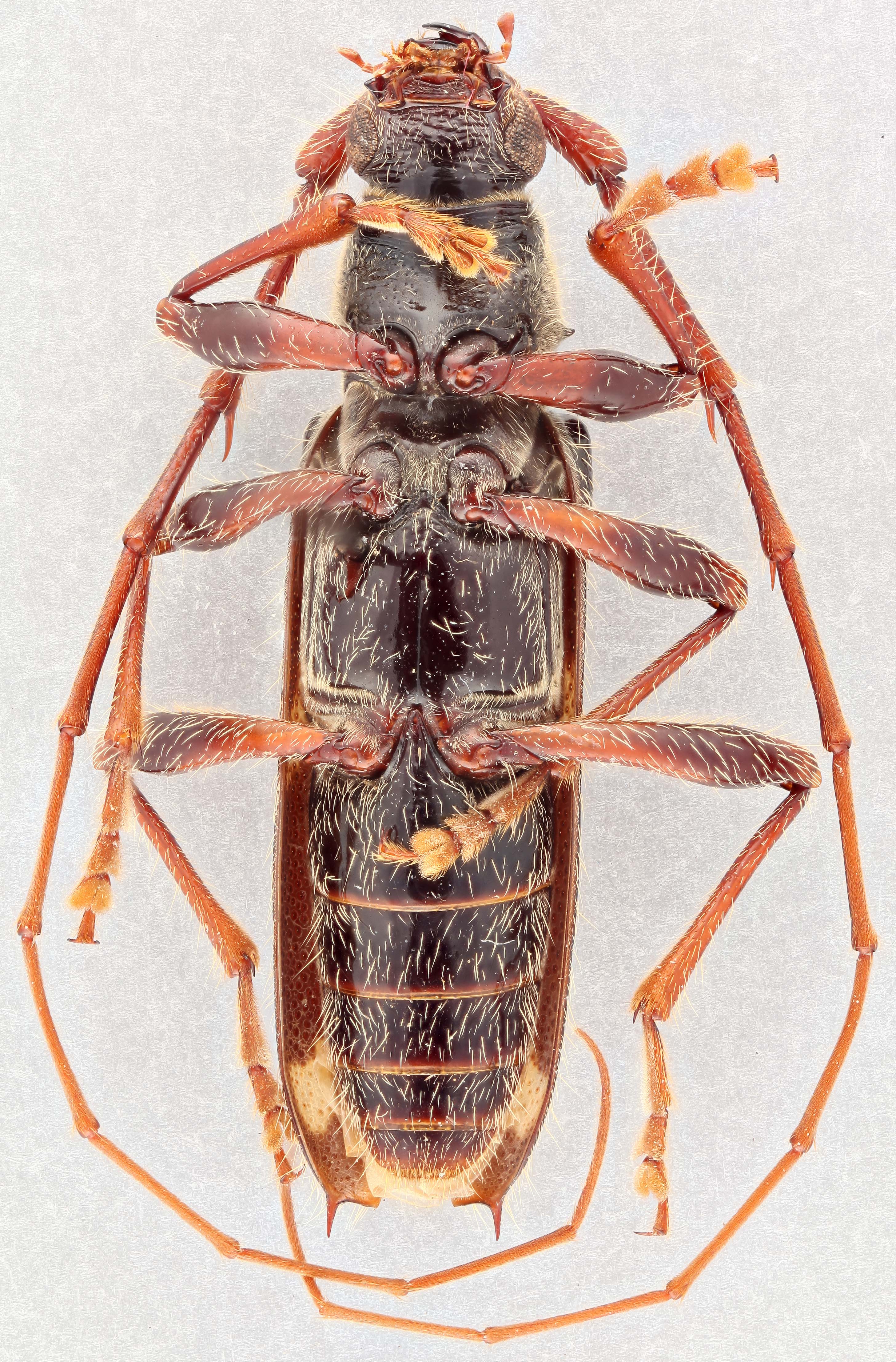
  Eurysthea cribripennis  ventral

Eurysthea cribripennis ventral

  Eurysthea cribripennisnbsp; frontal

Eurysthea cribripennis frontal

  Eurysthea cribripennisnbsp; lateral

Eurysthea cribripennis lateral