Eucrossus

Subfamily

Cerambycinae

Diagnosis - adult

Body length: 16–26 mm.
Eyes: eye interommatidial setaeseta:
a sclerotized hair-like projection of the cuticle
absent, eye deeply emarginateemarginate:
notched at the margin
> half width, eye ommatidial density coarse.
Antennaeantenna:
in larval and adult insects, paired segmented appendages, borne one on each side of the head, functioning as sense organs and bearing a large number of sensilla
: antennal length reaches between basebase:
the part of any appendage or structure that is nearest the body
and end of elytraelytron:
the leathery forewing of beetles, serving as a covering for the hind wings, commonly meeting opposite elytron in a straight line down the middle of the dorsum in repose
or reaching/surpassing end of body, antennal flagellar segments elongateelongate:
much longer than wide
, scapescape:
the first proximal segment of the antenna
smooth/punctate at apexapex:
end of any structure distad to the base
, antennal segment 3 > scapescape:
the first proximal segment of the antenna
.
Pronotumpronotum:
the upper and dorsal part of the prothorax
: pronotumpronotum:
the upper and dorsal part of the prothorax
shape transversetransverse:
broader than long
, pronotumpronotum:
the upper and dorsal part of the prothorax
lateral armature absent, acute spinespine:
a protuberance with an acute (sharp) distal end
or blunt tubercule.
Prosternum: prosternal processprosternal process:
a posterior extension of the prosternum between the coxae
not dilated at apexapex:
end of any structure distad to the base
, procoxal cavities open posteriorly.
Elytraelytron:
the leathery forewing of beetles, serving as a covering for the hind wings, commonly meeting opposite elytron in a straight line down the middle of the dorsum in repose
: elytral length reaching or close to end of abdomen, elytral apicesapex:
end of any structure distad to the base
with tooth or spinespine:
a protuberance with an acute (sharp) distal end
, elytral color black or brown, elytral color pattern absent.
Legs: visible tarsomerestarsomere:
subdivision or article of the tarsus, usually numbering from two to five
: 4, femora clavateclavate:
thickening gradually toward the tip
, rarely slender, protibial spursprotibial spur:
sclerotized spine(s) located at the distal tibia; can be single, double, or absent
: 2, tarsal clawstarsal claw:
usually paired claws of the pretarsus, at the distal end of the leg
simple.

Body elongateelongate:
much longer than wide
, depressed, sides parallel. Head with front subvertical, frontal suturesuture:
groove marking the line of fusion of two formerly distinct plates; the line of junction of elytra
deep; antennaeantenna:
in larval and adult insects, paired segmented appendages, borne one on each side of the head, functioning as sense organs and bearing a large number of sensilla
longer than body in male, densely fringed with hair, segments 3 to 5 of male, or 6 of female, armed at apexapex:
end of any structure distad to the base
with a spinespine:
a protuberance with an acute (sharp) distal end
; eyes deeply emarginateemarginate:
notched at the margin
, embracing antennal insertion. Pronotumpronotum:
the upper and dorsal part of the prothorax
transversetransverse:
broader than long
, sides rounded or subangulate, basebase:
the part of any appendage or structure that is nearest the body
not constricted, disk with a smooth median vittavitta:
a broad longitudinal stripe
and on each side an arcuatearcuate:
arched or bow-like
dorsal callosity; anterior coxae prominent, cavities broadly angulate externally; intercoxal process of prosternum narrow, apexapex:
end of any structure distad to the base
rounded; metepisterna broad in front, narrowed to a point behind. Legs moderate; femora feebly clavateclavate:
thickening gradually toward the tip
before apexapex:
end of any structure distad to the base
. Elytraelytron:
the leathery forewing of beetles, serving as a covering for the hind wings, commonly meeting opposite elytron in a straight line down the middle of the dorsum in repose
parallel-sided, feebly costate; apicesapex:
end of any structure distad to the base
armed with a short sutural spinespine:
a protuberance with an acute (sharp) distal end
 (Linsley 1962Linsley 1962:
Linsley EG. 1962. The Cerambycidae of North America. Part III. Taxonomy and Classification of the Subfamily Cerambycinae, Tribes Opsimini Through Megaderini. University of California Publications in Entomology, Vol. 20. 188 pp.
).

Similar genera

Oeme

Differential diagnosis

This genus is distinguished by the spinosespinose:
armed with thorny spines, more elongate than echinate
elytral apicesapex:
end of any structure distad to the base
and antennal segments 3–5 or 6 and the peculiar pronotal disk sculpture.

Distribution

Nevada and California to Arizona, New Mexico, and northern Mexico (Sonora)

Recorded host plants

Pinus spp., including P. torreyana, P. sabiniana, P. ponderosa, P. muricata, and P. jeffreyi

Remarks

Monotypic. Bores beneath the bark similar to Callidium. E. villicornis LeConte is extremely variable in size and in the shape of the pronotumpronotum:
the upper and dorsal part of the prothorax
. The latter is usually armed with a stout spinespine:
a protuberance with an acute (sharp) distal end
or tubercletubercle:
a small knoblike or rounded protuberance
but may be merely obtusely angulate.

Taxonomy

Eucrossus LeConte, 1873

  Eucrossus villicornisnbsp; dorsal

Eucrossus villicornis dorsal

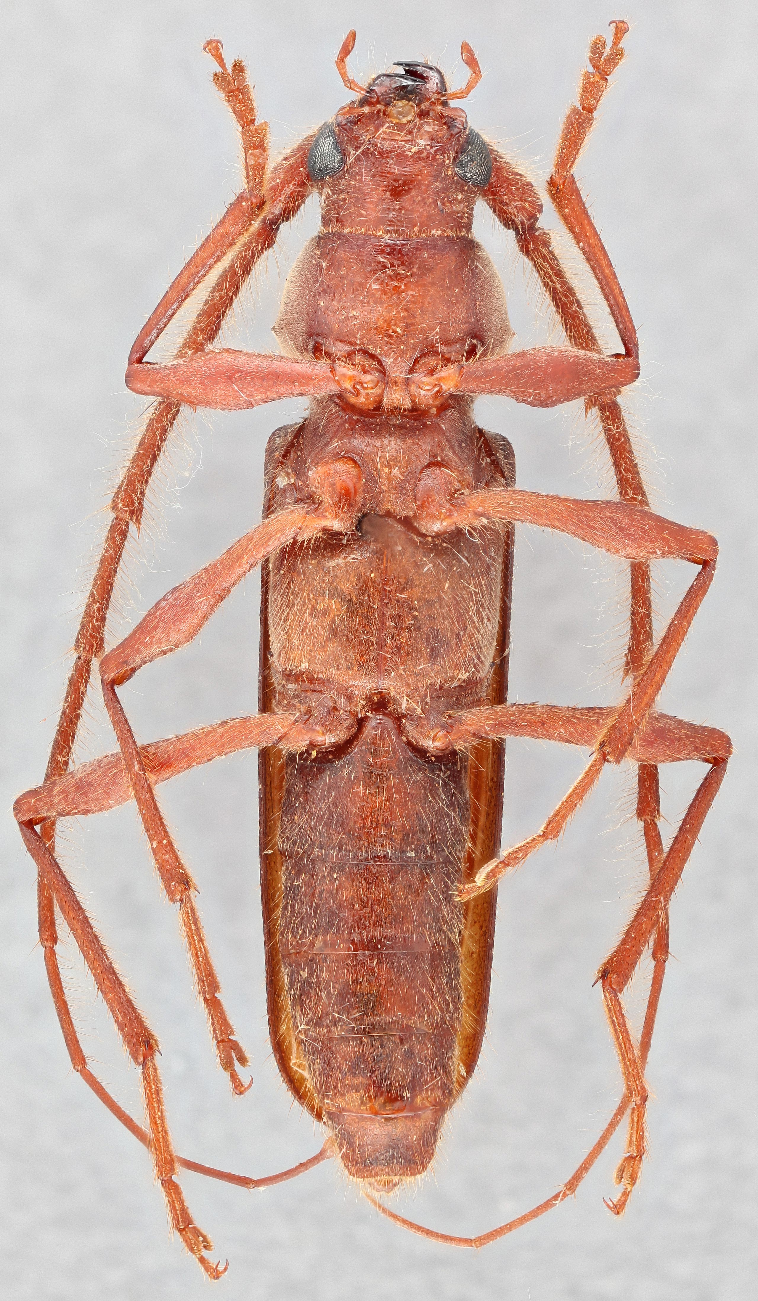
  Eucrossus villicornisnbsp; ventral

Eucrossus villicornis ventral

  Eucrossus villicornis  frontal

Eucrossus villicornis frontal

  Eucrossus villicornisnbsp; lateral

Eucrossus villicornis lateral