Dicentrus

Subfamily

Cerambycinae

Diagnosis - adult

Body length: 3–8 mm.
Eyes: eye interommatidial setaeseta:
a sclerotized hair-like projection of the cuticle
absent, eye divided—max one row of facets between, eye ommatidial density coarse.
Antennaeantenna:
in larval and adult insects, paired segmented appendages, borne one on each side of the head, functioning as sense organs and bearing a large number of sensilla
: antennal length reaches between basebase:
the part of any appendage or structure that is nearest the body
and end of elytraelytron:
the leathery forewing of beetles, serving as a covering for the hind wings, commonly meeting opposite elytron in a straight line down the middle of the dorsum in repose
or reaching/surpassing end of body, antennal flagellar segments elongateelongate:
much longer than wide
, scapescape:
the first proximal segment of the antenna
smooth/punctate at apexapex:
end of any structure distad to the base
, antennal scapescape:
the first proximal segment of the antenna
≥ segment 3.
Pronotumpronotum:
the upper and dorsal part of the prothorax
: pronotumpronotum:
the upper and dorsal part of the prothorax
shape transversetransverse:
broader than long
, pronotumpronotum:
the upper and dorsal part of the prothorax
lateral armature acute spinespine:
a protuberance with an acute (sharp) distal end
.
Prosternum: prosternal processprosternal process:
a posterior extension of the prosternum between the coxae
not dilated at apexapex:
end of any structure distad to the base
, procoxal cavities open posteriorly.
Elytraelytron:
the leathery forewing of beetles, serving as a covering for the hind wings, commonly meeting opposite elytron in a straight line down the middle of the dorsum in repose
: elytral length reaching or close to end of abdomen, elytral apicesapex:
end of any structure distad to the base
rounded or truncatetruncate:
cut off squarely at the tip
, elytral color brown, elytral color pattern present or absent.
Legs: visible tarsomerestarsomere:
subdivision or article of the tarsus, usually numbering from two to five
: 4, femora clavateclavate:
thickening gradually toward the tip
, protibial spursprotibial spur:
sclerotized spine(s) located at the distal tibia; can be single, double, or absent
: 2, tarsal clawstarsal claw:
usually paired claws of the pretarsus, at the distal end of the leg
simple.

Antennaeantenna:
in larval and adult insects, paired segmented appendages, borne one on each side of the head, functioning as sense organs and bearing a large number of sensilla
a little longer than body in male, shorter than body in female. Pronotumpronotum:
the upper and dorsal part of the prothorax
slightly wider than long, armed on each side with a small, acute, median lateral spinespine:
a protuberance with an acute (sharp) distal end
and a similar subbasal spinespine:
a protuberance with an acute (sharp) distal end
; basal plate thin. Elytraelytron:
the leathery forewing of beetles, serving as a covering for the hind wings, commonly meeting opposite elytron in a straight line down the middle of the dorsum in repose
maculate. Legs slender; femora feebly clavateclavate:
thickening gradually toward the tip
; posterior tarsitarsus:
the leg segment distal to the apex of the tibia, bearing the pretarsus; consists of one to five tarsomeres (including pretarsus)
with first segment as long as 2 following together (Linsley 1962Linsley 1962:
Linsley EG. 1962. The Cerambycidae of North America. Part III. Taxonomy and Classification of the Subfamily Cerambycinae, Tribes Opsimini Through Megaderini. University of California Publications in Entomology, Vol. 20. 188 pp.
).

Similar genera

Opsimus

Differential diagnosis

The doubly spined pronotumpronotum:
the upper and dorsal part of the prothorax
, smaller size, and maculate elytraelytron:
the leathery forewing of beetles, serving as a covering for the hind wings, commonly meeting opposite elytron in a straight line down the middle of the dorsum in repose
distinguish Dicentrus from Opsimus.

Distribution

west coast of North America British Columbia south to central California

Recorded host plants

Pseudotsuga menziesii, Abies concolor; Libocedrus decurrens, Sequoia sempervirens

Remarks

Two species. Bores in twigs and small branches.

Synonyms

Paraopsimus Champlain and Knull, 1926

Taxonomy

Dicentrus LeConte, 1880

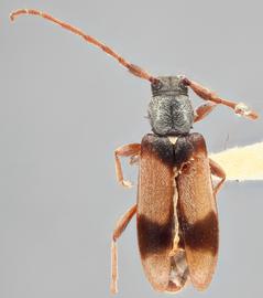
  Dicentrus bluthneri  dorsal
Dicentrus bluthneri dorsal
  Dicentrus bluthneri  dorsal

Dicentrus bluthneri dorsal

  Dicentrus bluthneri nbsp;dorsal

Dicentrus bluthneri dorsal

  Dicentrus bluthneri nbsp;frontal

Dicentrus bluthneri frontal

  Dicentrus bluthneri nbsp;ventral

Dicentrus bluthneri ventral

  Dicentrus bluthneri nbsp;lateral

Dicentrus bluthneri lateral