Diadelia

Subfamily

Lamiinae

Diagnosis - adult

Body length: 6–13 mm. 
Eyes: eye interommatidial setaeseta:
a sclerotized hair-like projection of the cuticle
absent, eye deeply emarginateemarginate:
notched at the margin
> half width, eye ommatidial density coarse. 
Antennaeantenna:
in larval and adult insects, paired segmented appendages, borne one on each side of the head, functioning as sense organs and bearing a large number of sensilla
: antennal length reaching/surpassing end of body, antennal flagellar segments elongateelongate:
much longer than wide
, scapescape:
the first proximal segment of the antenna
smooth/punctate at apexapex:
end of any structure distad to the base
, antennal scapescape:
the first proximal segment of the antenna
≥ segment 3. 
Pronotumpronotum:
the upper and dorsal part of the prothorax
: pronotumpronotum:
the upper and dorsal part of the prothorax
shape transversetransverse:
broader than long
, pronotumpronotum:
the upper and dorsal part of the prothorax
lateral armature acute spinespine:
a protuberance with an acute (sharp) distal end

Prosternum: prosternal processprosternal process:
a posterior extension of the prosternum between the coxae
dilated at apexapex:
end of any structure distad to the base
, procoxal cavities closed posteriorly. 
Elytraelytron:
the leathery forewing of beetles, serving as a covering for the hind wings, commonly meeting opposite elytron in a straight line down the middle of the dorsum in repose
: elytral length reaching or close to end of abdomen, elytral apicesapex:
end of any structure distad to the base
rounded or truncatetruncate:
cut off squarely at the tip
, emarginateemarginate:
notched at the margin
or with tooth or spinespine:
a protuberance with an acute (sharp) distal end
, elytral color pattern present. 
Legs: visible tarsomerestarsomere:
subdivision or article of the tarsus, usually numbering from two to five
: 4, femora clavateclavate:
thickening gradually toward the tip
, protibial spursprotibial spur:
sclerotized spine(s) located at the distal tibia; can be single, double, or absent
: 2, tarsal clawstarsal claw:
usually paired claws of the pretarsus, at the distal end of the leg
simple.

Very elongated. Antennaeantenna:
in larval and adult insects, paired segmented appendages, borne one on each side of the head, functioning as sense organs and bearing a large number of sensilla
slender, sparsely fringed below with short hairs; the scapescape:
the first proximal segment of the antenna
rather long and slender, the third segment shorter than the fourth, as long or shorter than the scapescape:
the first proximal segment of the antenna
. Antennal tubercles distant and not very prominent. Eyes rather coarsely faceted and strongly indented. Transversetransverse:
broader than long
pronotum, with four fine transversetransverse:
broader than long
furrows, two anterior and two posterior, and a lateral spinespine:
a protuberance with an acute (sharp) distal end
. Elytraelytron:
the leathery forewing of beetles, serving as a covering for the hind wings, commonly meeting opposite elytron in a straight line down the middle of the dorsum in repose
elongated, noticeably wider than the pronotumpronotum:
the upper and dorsal part of the prothorax
at its greatest width, sometimes furnished with erect hairs, the punctures sometimes aligned in the sutural third. Non-retractable head. Narrow prosternal projection, lower than the coxae, arched. Mesosternal prominence provided with a tubercletubercle:
a small knoblike or rounded protuberance
. Metasternum of normal length. Intermediate coxal cavities open. Medium length legs; weakly clavateclavate:
thickening gradually toward the tip
femurs; notched intermediate tibiaetibia:
the leg segment distal to the femur, proximal to the tarsus
 (Breuning 1959Breuning 1959:
Breuning S. 1959. Révision des Acanthocini de l'Afrique noire (Troisième partie). Bulletin de l'Institut Français d'Afrique Noire, Dakar, 21, série A (2): 607–652, fig. 20.
).

Similar genera

Neodiadelia, Mimectatina

Differential diagnosis

A rather morphologically diverse endemic African genus. The antennaeantenna:
in larval and adult insects, paired segmented appendages, borne one on each side of the head, functioning as sense organs and bearing a large number of sensilla
fringed with setaeseta:
a sclerotized hair-like projection of the cuticle
below, open mesocoxal cavities, and lateral pronotal spines will help to diagnose this genus.

Distribution

Afrotropical (most in Madagascar)

Recorded host plants

broadleaf trees

Remarks

96 species in subgenus Diadelia; Adiadelia 2 spp.; Anadiadelia 1 sp.; Congodiadelia 1 sp.; Guineodiadelia 1 sp.; Myodiadela 7 spp.; Setodiadelia 5 spp.

Synonyms

Alophia Fairmaire, 1896

Paradera Aurivillius, 1915

Taxonomy

Diadelia Waterhouse, 1882

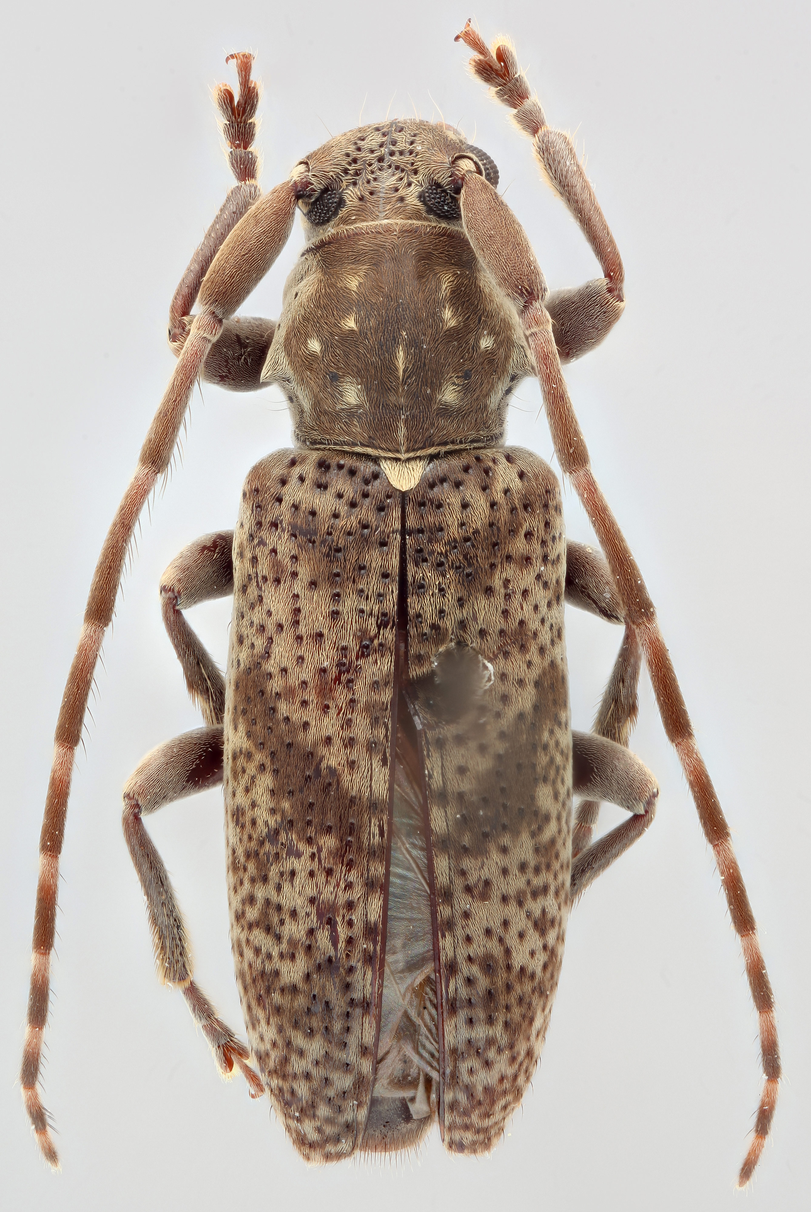
  Diadelia squamulosa  dorsal
Diadelia squamulosa dorsal
  Diadelia squamulosa nbsp;ventral

Diadelia squamulosa ventral

  Diadelia squamulosa nbsp;frontal

Diadelia squamulosa frontal

  Diadelia squamulosa nbsp;lateral

Diadelia squamulosa lateral