Demonax

Subfamily

Cerambycinae

Diagnosis - adult

Body length: 6.5–15 mm. 
Eyes: eye interommatidial setaeseta:
a sclerotized hair-like projection of the cuticle
absent, eye entire/shallowly emarginateemarginate:
notched at the margin
, eye ommatidial density fine. 
Antennaeantenna:
in larval and adult insects, paired segmented appendages, borne one on each side of the head, functioning as sense organs and bearing a large number of sensilla
: antennal length reaches between basebase:
the part of any appendage or structure that is nearest the body
and end of elytraelytron:
the leathery forewing of beetles, serving as a covering for the hind wings, commonly meeting opposite elytron in a straight line down the middle of the dorsum in repose
or reaching/surpassing end of body, antennal flagellar segments elongateelongate:
much longer than wide
, scapescape:
the first proximal segment of the antenna
smooth/punctate at apexapex:
end of any structure distad to the base
, antennal segment 3 > scapescape:
the first proximal segment of the antenna

Pronotumpronotum:
the upper and dorsal part of the prothorax
: pronotumpronotum:
the upper and dorsal part of the prothorax
shape subquadratesubquadrate:
 not quite a square
or longer than wide, pronotumpronotum:
the upper and dorsal part of the prothorax
lateral armature absent. 
Prosternum: prosternal processprosternal process:
a posterior extension of the prosternum between the coxae
dilated at apexapex:
end of any structure distad to the base
, procoxal cavities open posteriorly. 
Elytraelytron:
the leathery forewing of beetles, serving as a covering for the hind wings, commonly meeting opposite elytron in a straight line down the middle of the dorsum in repose
: elytral length reaching or close to end of abdomen, elytral apicesapex:
end of any structure distad to the base
rounded or truncatetruncate:
cut off squarely at the tip
, emarginateemarginate:
notched at the margin
or with tooth or spinespine:
a protuberance with an acute (sharp) distal end
, elytral color black or yellow, elytral color pattern present or absent. 
Legs: visible tarsomerestarsomere:
subdivision or article of the tarsus, usually numbering from two to five
: 4, femora slender, protibial spursprotibial spur:
sclerotized spine(s) located at the distal tibia; can be single, double, or absent
: 2, tarsal clawstarsal claw:
usually paired claws of the pretarsus, at the distal end of the leg
simple. 

Antennaeantenna:
in larval and adult insects, paired segmented appendages, borne one on each side of the head, functioning as sense organs and bearing a large number of sensilla
rather closely inserted, intervening space elevated near each side and concave in middle; metepisternummetepisternum:
the episternal portion of the pleuron on the posterior thoracic segment
narrow, at least four times as long as broad. First posterior tarsal segment much longer than remaining segments combined , generally twice as long, but at least one-half again as long. Antennaeantenna:
in larval and adult insects, paired segmented appendages, borne one on each side of the head, functioning as sense organs and bearing a large number of sensilla
with third and fourth segments spined internally at apicesapex:
end of any structure distad to the base
 (Gressitt 1951Gressitt 1951:
Gressitt JL. 1951. Longicorn beetles of China. Longicornia, Paris 2: 1–667, 22 pls.
).

Similar genera

Rhaphuma, Chlorophorus, Grammographus

Differential diagnosis

Having only antennomeresantennomere:
a subunit of the antenna, including the scape, pedicel, and flagellomeres
3 and 4 with apical spines will distinguish among the Clytini.

Distribution

Australasia, Indomalaya, Palearctic

Recorded host plants

broadleaf; Abies, Pinus; Thujopsis, Chamaecyparis, Juniperus

Remarks

461 spp. + 4 more sspp. Conifers: D. transilis

Synonyms

Elezira Pascoe, 1869

Taxonomy

Demonax Thomson, 1861

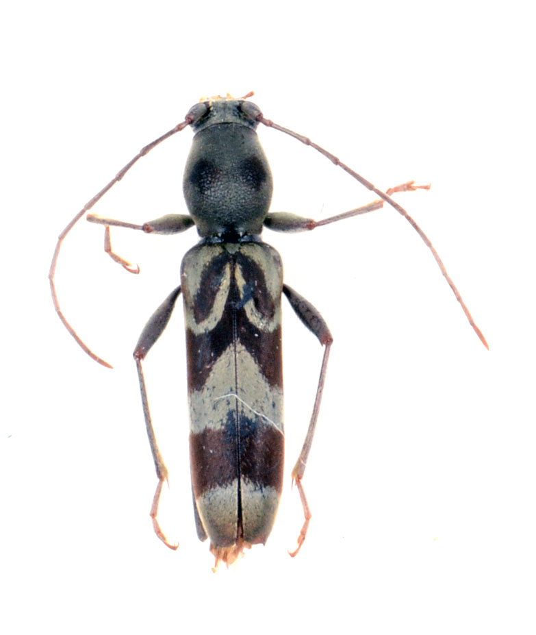
  Demonax transilis  dorsal
Demonax transilis dorsal
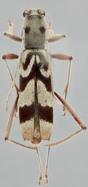
  Demonaxnbsp;transilis nbsp;ventral

Demonax transilis ventral

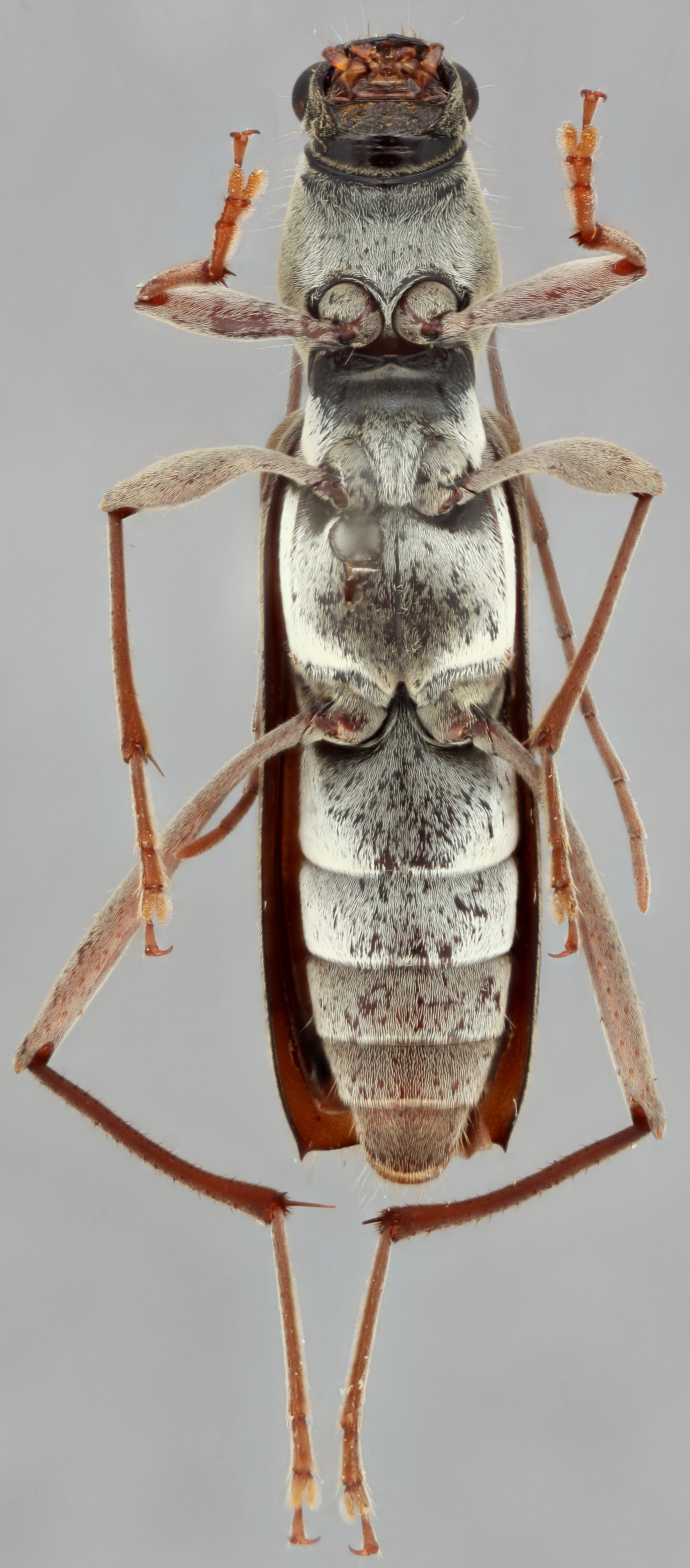
  Demonaxnbsp;transilis nbsp;frontal

Demonax transilis frontal

  Demonaxnbsp;transilis nbsp;lateral

Demonax transilis lateral

 PSG000981nbsp; Demonax transilis  voucher
PSG000981 Demonax transilis voucher