Delagrangeus

Subfamily

Cerambycinae

Diagnosis - adult

Body length: 6–12 mm. 
Eyes: eye interommatidial setaeseta:
a sclerotized hair-like projection of the cuticle
absent, eye deeply emarginateemarginate:
notched at the margin
> half width or divided-max one row of facets between, eye ommatidial density fine. 
Antennaeantenna:
in larval and adult insects, paired segmented appendages, borne one on each side of the head, functioning as sense organs and bearing a large number of sensilla
: antennal length reaches between basebase:
the part of any appendage or structure that is nearest the body
and end of elytraelytron:
the leathery forewing of beetles, serving as a covering for the hind wings, commonly meeting opposite elytron in a straight line down the middle of the dorsum in repose
or reaching/surpassing end of body, antennal flagellar segments elongateelongate:
much longer than wide
, scapescape:
the first proximal segment of the antenna
smooth/punctate at apexapex:
end of any structure distad to the base
, antennal segment 3 > scapescape:
the first proximal segment of the antenna

Pronotumpronotum:
the upper and dorsal part of the prothorax
: pronotumpronotum:
the upper and dorsal part of the prothorax
shape longer than wide, pronotumpronotum:
the upper and dorsal part of the prothorax
lateral armature absent. 
Prosternum: prosternal processprosternal process:
a posterior extension of the prosternum between the coxae
not dilated at apexapex:
end of any structure distad to the base
, procoxal cavities open posteriorly. 
Elytraelytron:
the leathery forewing of beetles, serving as a covering for the hind wings, commonly meeting opposite elytron in a straight line down the middle of the dorsum in repose
: elytral length reaching or close to end of abdomen, elytral apicesapex:
end of any structure distad to the base
rounded or truncatetruncate:
cut off squarely at the tip
, elytral color black or brown, elytral color pattern present. 
Legs: visible tarsomerestarsomere:
subdivision or article of the tarsus, usually numbering from two to five
: 4, femora clavateclavate:
thickening gradually toward the tip
, protibial spursprotibial spur:
sclerotized spine(s) located at the distal tibia; can be single, double, or absent
: 2, tarsal clawstarsal claw:
usually paired claws of the pretarsus, at the distal end of the leg
simple.

Procoxal cavities closed outside; anterior coxae almost spherical; large prosternum. Short legs, clavateclavate:
thickening gradually toward the tip
, with fairly short tarsitarsus:
the leg segment distal to the apex of the tibia, bearing the pretarsus; consists of one to five tarsomeres (including pretarsus)
, very long 1st section. Head small, short, with short palps and little enlarged last article, truncated; eyes large, indented, finely granulated; antennaeantenna:
in larval and adult insects, paired segmented appendages, borne one on each side of the head, functioning as sense organs and bearing a large number of sensilla
thin, slightly diminished at the end, well-furnished with setaeseta:
a sclerotized hair-like projection of the cuticle
, longer and more numerous below. Prothorax long, narrow, non-tubular, and slightly enlarged in the middle (adapted from Pic 1892Pic 1892:
Pic M. 1892. Séance du 13 avril 1892. Communications [Delagrangeus angustissimus n. gen., n. sp.]. Bulletin de la Société Entomologique de France, Paris 61: xciii–xciv.
, orig. desc.).

Similar genera

Deilus, Prosype

Differential diagnosis

The completely thin antennaeantenna:
in larval and adult insects, paired segmented appendages, borne one on each side of the head, functioning as sense organs and bearing a large number of sensilla
and first tarsomeretarsomere:
subdivision or article of the tarsus, usually numbering from two to five
longer than 2+3 combined will differentiate from Deilus.

Distribution

Palearctic: Near East (Turkey), Greece, Cyprus, Lebanon, Canary Islands

Recorded host plants

Juniperus, Cupressus, Thuja; Pinus

Remarks

Two subgenera. One species with two more sspp. (Delagrangeus), 1 sp. (Gertius). Conifers: D. (D.) angustissimus, D. (Gertius) schurmanni.

Synonyms

Edithia Reitter 1899

Mimophymatodes Pic 1920

Taxonomy

Delagrangeus Pic, 1892Pic, 1892:
Pic M. 1892. Séance du 13 avril 1892. Communications [Delagrangeus angustissimus n. gen., n. sp.]. Bulletin de la Société Entomologique de France, Paris 61: xciii–xciv.

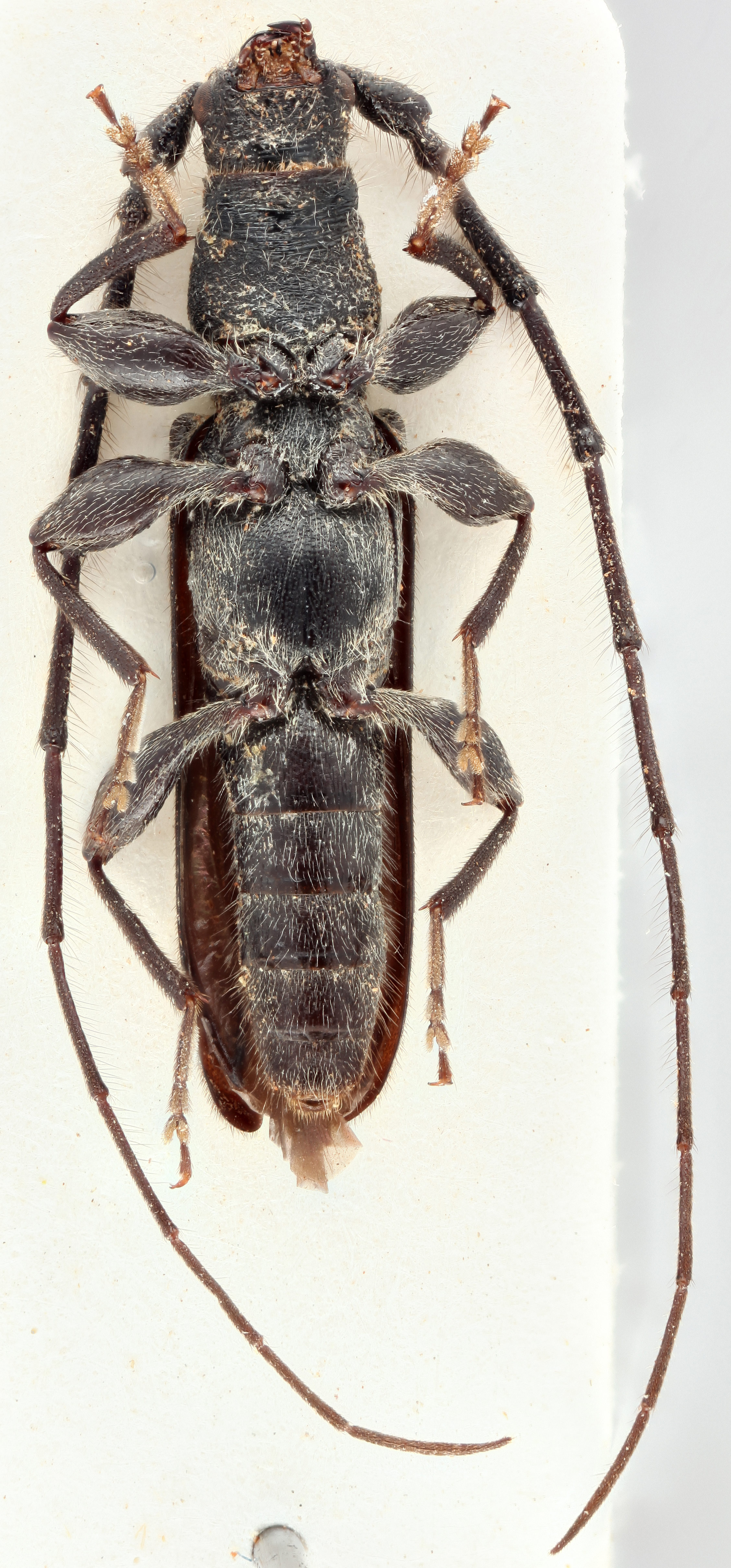
  Delagrangeus angustissimus  dorsal
Delagrangeus angustissimus dorsal
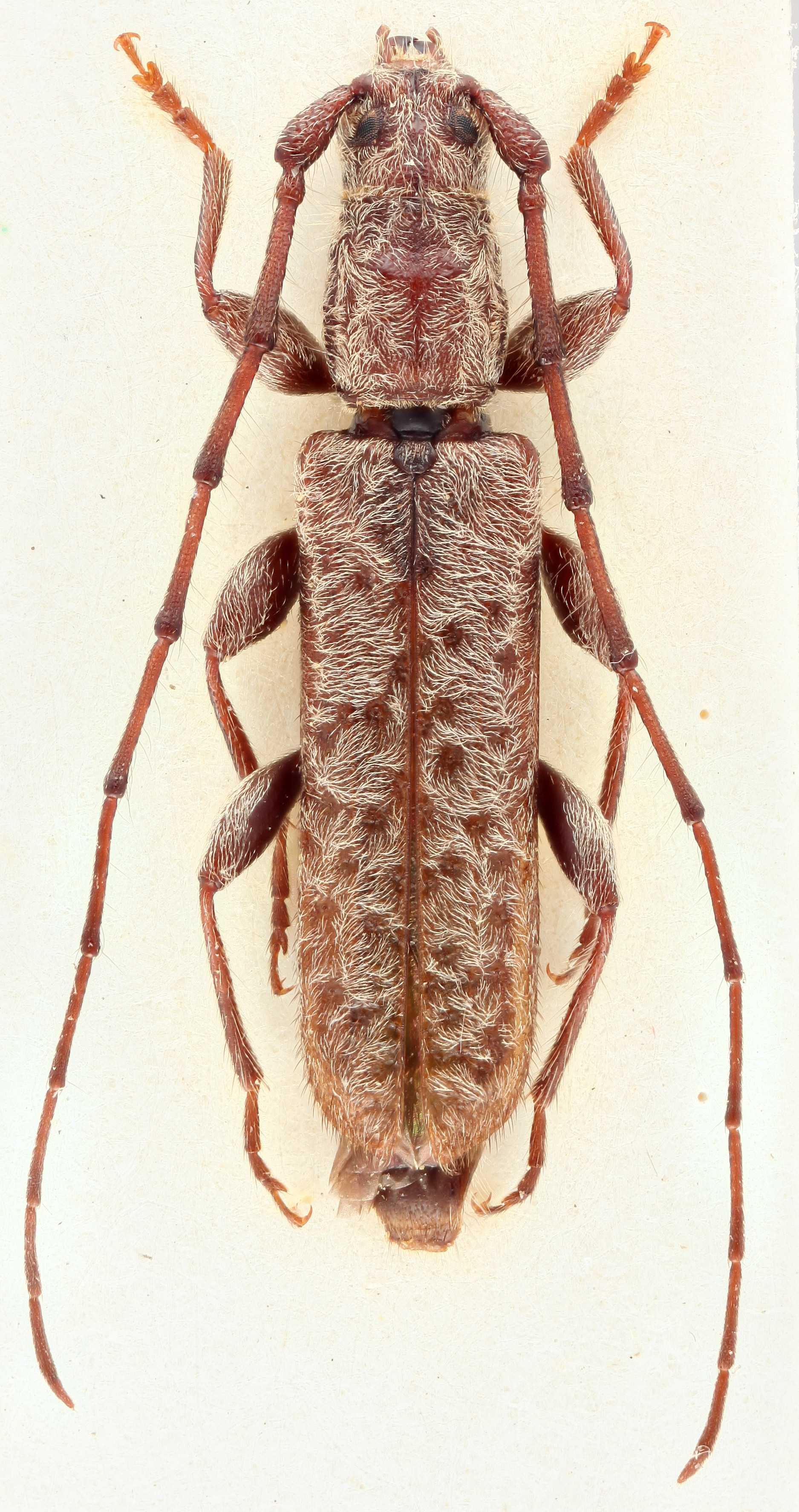
  Delagrangeus angustissimus  ventral

Delagrangeus angustissimus ventral

  Delagrangeus angustissimus  frontal

Delagrangeus angustissimus frontal

  Delagrangeus angustissimusnbsp; lateral

Delagrangeus angustissimus lateral

  Delagrangeus (Gertius) schurmanni  dorsal
Delagrangeus (Gertius) schurmanni dorsal
  Delagrangeus (Gertius) schurmanni nbsp;frontal

Delagrangeus (Gertius) schurmanni frontal

  Delagrangeus (Gertius) schurmanni  lateral

Delagrangeus (Gertius) schurmanni lateral