Chloridolum (Leontium)

Subfamily

Cerambycinae

Diagnosis - adult

Body length: 12–19.5 mm. 
Eyes: eye interommatidial setaeseta:
a sclerotized hair-like projection of the cuticle
absent, eye entire/shallowly emarginateemarginate:
notched at the margin
, eye ommatidial density fine. 
Antennaeantenna:
in larval and adult insects, paired segmented appendages, borne one on each side of the head, functioning as sense organs and bearing a large number of sensilla
: antennal length reaching/surpassing end of body, antennal flagellar segments elongateelongate:
much longer than wide
, scapescape:
the first proximal segment of the antenna
cicatrix (scar) at apexapex:
end of any structure distad to the base
, antennal segment 3 > scapescape:
the first proximal segment of the antenna

Pronotumpronotum:
the upper and dorsal part of the prothorax
: pronotumpronotum:
the upper and dorsal part of the prothorax
shape transversetransverse:
broader than long
or subquadratesubquadrate:
 not quite a square
, pronotumpronotum:
the upper and dorsal part of the prothorax
lateral armature acute spinespine:
a protuberance with an acute (sharp) distal end

Prosternum: prosternal processprosternal process:
a posterior extension of the prosternum between the coxae
dilated at apexapex:
end of any structure distad to the base
, procoxal cavities open posteriorly. 
Elytraelytron:
the leathery forewing of beetles, serving as a covering for the hind wings, commonly meeting opposite elytron in a straight line down the middle of the dorsum in repose
: elytral length reaching or close to end of abdomen, elytral apicesapex:
end of any structure distad to the base
rounded or truncatetruncate:
cut off squarely at the tip
, elytral color metallic or orange, elytral color pattern present or absent. 
Legs: visible tarsomerestarsomere:
subdivision or article of the tarsus, usually numbering from two to five
: 4, femora clavateclavate:
thickening gradually toward the tip
or slender, protibial spursprotibial spur:
sclerotized spine(s) located at the distal tibia; can be single, double, or absent
: 2, tarsal clawstarsal claw:
usually paired claws of the pretarsus, at the distal end of the leg
simple.

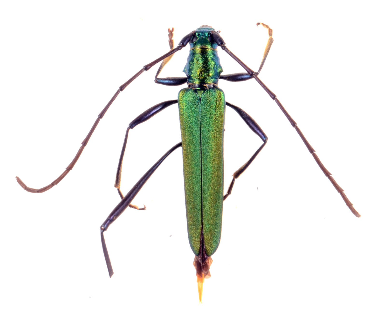
Body elongateelongate:
much longer than wide
, bright green. Antennaeantenna:
in larval and adult insects, paired segmented appendages, borne one on each side of the head, functioning as sense organs and bearing a large number of sensilla
barely longer than body. Pronotumpronotum:
the upper and dorsal part of the prothorax
laterally with small sharp tubercletubercle:
a small knoblike or rounded protuberance
, transversely rugoserugose:
wrinkled
on disk. Elytraelytron:
the leathery forewing of beetles, serving as a covering for the hind wings, commonly meeting opposite elytron in a straight line down the middle of the dorsum in repose
markedly elongateelongate:
much longer than wide
, with dense fine punctationpunctation:
pits or depression of variable size in cuticle
. Legs very long, slender; hind femora extend beyond elytral apices (Cherepanov 1988bCherepanov 1988b:
Cherepanov AI. 1988b. Cerambycidae of Northern Asia, Vol. 2. Cerambycinae Part I. Oxonian Press, New Delhi 2(1): i–xiii + 1–292, 133 figs.
).

Similar genera

other Callichromatini

Differential diagnosis

The elongateelongate:
much longer than wide
form and metallic green integument make this genus distinct among conifer feeders. The first metatarsomere longer than the remaining 4 combined will distinguish from many other Callichromatini.

Distribution

eastern Palearctic, Indomalaya

Recorded host plants

broadleaf; Abies, Larix, Picea, Pinus; Juniperus

Remarks

25 species in (Leontium). Conifers: C. (L.) viride. There are two more subgenera not treated here.

Taxonomy

Leontium Thomson, 1864Thomson, 1864:
Thomson J. 1864–65. Systema cerambycidarum ou exposé de tous les genres compris dans la famille des célrambycides et familles limitrophes. H. Dessain, Liége, 578 pp. [1864: pp. 1–352; 1865: 353–578; Also published in Mémoires de la Société Royale des Sciences de Liége 19 [1866]: 1–578].

  Chloridolum viridenbsp; dorsal

Chloridolum viride dorsal

  Chloridolum viridenbsp; ventral

Chloridolum viride ventral

  Chloridolum viridenbsp; frontal

Chloridolum viride frontal

  Chloridolum viridenbsp; lateral

Chloridolum viride lateral

 PSG000974  Chloridolum (Leontium) viride  voucher
PSG000974 Chloridolum (Leontium) viride voucher